AGENDA - LPP
|
Meeting: |
Georges River Local Planning Panel (LPP) |
|
Date: |
Thursday, 18 April 2019 |
|
Time: |
4.00pm |
|
Venue: |
Council Chambers, Civic Centre, Hurstville |
|
Participants: |
Paul Vergotis (Chairperson) Helen Deegan (Expert Panel Member) John Brockhoff (Expert Panel Member) Annette Ruhotas (Community Representative) |
|
Additional Invitees: |
Meryl Bishop (Director Environment and Planning) Nicole Askew (Acting Manager Development and Building) Cathy Mercer (PA to Manager Development Assessment) Sue Matthew (Team Leader DA Admin) Monica Wernej (Admin Assistant) |
|
1. On Site Inspections - 2.00pm – 3.30pm a) 1 Butler Road Hurstville b) 51 Laycock Road Penshurst
|
|
Break - 3.30pm |
|
2. Public Meeting – Consideration of Items 4.00pm – 6.00pm |
|
Public Meeting Session Closed - 6.00pm (Break – Light Supper served to Panel Members) |
|
Georges River Council – Local Planning Panel Thursday, 18 April 2019 |
Page 4 |
|
3. Reports and LPP Deliberations in Closed Session - 6.30pm |
LPP013-19 1 Butler Road Hurstville - DA2017/0402
(Report by Development Assessment Officer).......................................................... 2
LPP014-19 51 Laycock Road, Penshurst - DA2019/0020
(Report by Development Assessment Planner)..................................................... 80
|
4. Confirmation of Minutes by Chair |
REPORT TO GEORGES RIVER COUNCIL
LPP MEETING OF Thursday, 18 April 2019
|
LPP Report No |
LPP013-19 |
Development Application No |
DA2017/0402 |
|
Site Address & Ward Locality |
1 Butler Road Hurstville Kogarah Bay Ward |
||
|
Proposed Development |
Demolition of existing buildings and construction of a 12 storey mixed use development with 4 levels of basement carparking |
||
|
Owners |
WH Project Management Pty Ltd |
||
|
Applicant |
WH Project Management Pty Ltd C/- Nexus Project Delivery |
||
|
Planner/Architect |
Planner: Devlin Planning, Architect: Allen Jack Cottier |
||
|
Date Of Lodgement |
9/11/2017 |
||
|
Submissions |
One (1) submission |
||
|
Cost of Works |
$13,805,000 |
||
|
Local Planning Panel Criteria |
The application proposes development that is subject to SEPP 65 |
||
|
List of all relevant s.4.15 matters (formerly s79C(1)(a)) |
Environmental Planning and Assessment Act 1979, Environmental Planning and Assessment Regulation 2000, State Environmental Planning Policy No. 65 – Design Quality of Residential Apartment Development, State Environmental Planning Policy No 55 – Remediation of Land, State Environmental Planning Policy: BASIX 2004, State Environmental Planning Policy (Infrastructure) 2007, Greater Metropolitan Regional Environmental Plan No 2 – Georges River Catchment, Draft Environment State Environmental Planning Policy Kogarah Local Environmental Plan, Kogarah Development Control Plan 2012 |
||
|
List all documents submitted with this report for the Panel’s consideration |
Revised Clause 4.6 Variation Exception to Development Standard
|
||
|
Report prepared by |
Development Assessment Officer |
||
|
|
Summary of matters for consideration under Section 4.15 Have all recommendations in relation to relevant s4.15 matters been summarised in the Executive Summary of the assessment report? |
Yes |
|
Legislative clauses requiring consent authority satisfaction Have relevant clauses in all applicable environmental planning instruments where the consent authority must be satisfied about a particular matter been listed and relevant recommendations summarised, in the Executive Summary of the assessment report? |
Yes |
|
Clause 4.6 Exceptions to development standards If a written request for a contravention to a development standard (clause 4.6 of the LEP) has been received, has it been attached to the assessment report? |
Yes - Clause 4.6 Exception to Development Standard - Height |
|
Special Infrastructure Contributions Does the DA require Special Infrastructure Contributions conditions (under s7.24)? |
Not Applicable |
|
Conditions Have draft conditions been provided to the applicant for comment? |
No, as the application is recommended for refusal. |
|
Site Plan
Figure 1 – Aerial photograph (Source Nearmap, 2018). |
Executive Summary
Proposal
1. The development application (DA) seeks development consent for demolition of an existing commercial building, construction of a mixed use development comprising of one (1) ground floor commercial/retail tenancy and eleven (11) storeys of residential above containing twenty three (23) units, communal roof top open space and (4) four levels of basement car parking accessed via a single car lift on land known as 1 Butler Road, Hurstville.
2. The proposal comprises one (1) commercial/retail tenancy with an area of 117sqm, five (5) x 1 bedroom units and eighteen (18) x 2 bedroom units, roof top communal open space at the front north east corner and four (4) levels of basement serviced by a single (1) car lift.
Site and Locality
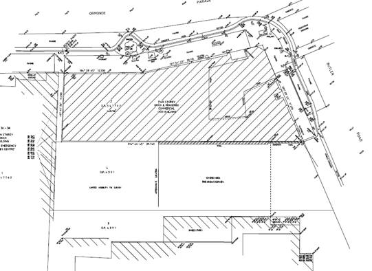
3. The subject site is legally described as Lot 2 DP 547762.
4. The site area and dimensions of the subject site are as follows:
|
Site Area |
468.9sqm |
|
Primary frontage to Butler Road (east boundary) |
17.225m |
|
Secondary frontage to Ormonde Parade (north boundary) |
12.93m, 20.115m |
|
Rear (west boundary) |
11.29m |
|
Side (south boundary) |
39.74m |
5. The subject site forms an irregular shaped rectangular in form corner allotment with a short primary frontage to Butler Road and longer secondary frontage to Ormonde Parade, Hurstville.
6. A two (2) storey commercial building occupies the allotment boundary to boundary; with no car parking provided on site. As surveyed, the site has an area of 468.9sqm and is considered to be generally flat.
7. The site is located within the Hurstville City Centre and is south of the Hurstville Railway Station. The immediate vicinity is characterised by commercial uses. The site adjoins emergency services which include the New South Wales Police Force (west) at 36-38 Ormonde Parade and New South Wales Fire Brigade and New South Wales Ambulance Services (south) at 5-9 Butler Road. Hurstville Railway Station and Hurstville Central are located to the north.
8. The Hurstville Town Centre is currently undergoing urban transformation with older established commercial buildings being replaced with high rise mixed use developments and residential flat buildings.
Zoning and Permissibility
9. The site is identified as being zoned Zone B4 Mixed Use under the Kogarah Local Environmental Plan 2012. The proposal forms a mixed use development defined as shop top housing; the proposal satisfies this definition as contained within the KLEP. The proposal forms a permissible use within the zone subject to development consent. The proposal has not considered adequately the objectives of the zone as demonstrated in detailed late in this report.
Assessment
10. The original proposal sought a floor space of 4.7:1. This was subsequently amended to a compliant floor space of 4.5:1. The proposal has been amended twice which incorporated the reconfiguration of the external stairs along the southern side elevation and internal and external design changes.
11. A clause 4.6 Exception to Clause 4.3 Height of Building as referenced in the KLEP has been sought for a maximum height of 42.87m (for the lift overrun and a communal roof and access) which equates to a 3.87m or 9.9% breach of the 39m height control. An amended Clause 4.6 Exception to Development Standard accompanied this application for Council’s consideration and is not supported for the reasons detailed within this report.
12. The proposal has failed to provide adequate vehicular access and car parking arrangements on site in accordance with the requirements under AS2890 as referenced within the Kogarah Development Control Plan 2012.
13. A Phase 2 Intrusive Investigation report has not been provided, therefore Council cannot be satisfied the development satisfies the criterion of State Environmental Planning Policy No 55 - Remediation of Land.
Submissions
14. The proposal was notified and amended plans renotified in accordance with the provisions of the Kogarah Development Control Plan 2013 (KDCP2013) for a period of 14 days on 2 separate occasions, in response one (1) submission was received objecting to the proposal raising the issue of limited access to information available on Council’s website. In response to this concern, a review of Council’s website found the required information is available for public viewing.
Reason for Referral to the Local Planning Panel
15. The DA is referred to the Local Planning Panel for determination, as the DA is subject to State Environmental Planning Policy No 65 - Design Quality of Residential Apartment Development as referenced in the 9.1 Ministerial direction of 23 February 2018.
Conclusion
16. An assessment has been undertaken based on the amended proposal of which has identified the following deficiencies;
· The proposal is considered to result in adverse traffic impacts on the immediate surrounding road network whereby the provision of a single car lift and lack of an on-site loading bay will result in reduced residential and commercial amenity. Based on the information provided, the proposed single car lift is considered to be inadequate in the absence of queuing analysis.
The proposal has not provided a loading bay in accordance with the Kogarah Development Control Plan 2012 as the ground floor tenancy may be a retail space. This lack of loading bay is considered to detract from the functionality of the commercial/retail use on site and limit opportunities for future residents to load and unload on site.
On this basis, due to current layout, central lift core location services and vehicular and pedestrian circulation, the proposal would require a significant redesign for such car parking amenity to be provided on site.
· The proposal seeks a change the sites existing use from commercial to a mixed use development which contains a residential component. A Phase 1 preliminary assessment under the provisions of SEPP 55 has been undertaken with supporting documentation accompanying the application. The applicant has requested that a condition be imposed that prior to construction that the phase 2 assessment be undertaken given that the site currently contains a two storey commercial building of which is currently tenanted. To adequately satisfy the provisions of State Environmental Planning Policy 55 Remediation of Land. Council contends that a Phase 2 Assessment must be undertaken and provided to Council for consideration prior to determination of the application to demonstrate the site is fit for purpose.
17. Given the above considerations, the proposal is not supported in its current form and is recommended for refusal.
Report in Full
Proposal
18. The development application (DA) seeks development consent for demolition of an existing commercial building, construction of a mixed use development comprising of one (1) ground floor commercial/retail tenancy and eleven (11) storeys of residential above containing twenty three (23) units, communal roof top open space and (4) four levels of basement car parking accessed via a single car lift on land known as 1 Butler Road, Hurstville.

Figure 2 - Photomontage of original proposal which is similar to the amended proposal when viewed from the corner of Butler Road and Ormonde Parade, Hurstville (Source: Allen Jack Cottier Architects, 2017).
19. In detail, the amended proposal as assessed is described as follows;
20. Basement 4 Plan:
§ Parking for 6 vehicles including 1 x adaptable space
§ Storage
§ Car lift
§ Services
§ Lift cores & fire stairs
Basement 3 Plan:
§ Parking 6 vehicles including 1 x adaptable space
§ Storage
§ Car lift
§ Services
§ Lift cores & fire stairs
Basement 2 Plan:
§ Parking 6 vehicles including 1 x adaptable space
§ Storage
§ Car lift
§ Services
§ Lift cores & fire stairs
Basement 1 Plan:
§ Parking 6 vehicles
§ Storage
§ 8 Bicycle spaces
§ Car lift
§ Services
§ Lift cores & fire stairs
Ground Floor Plan:
§ Commercial/Retail tenancy 117sqm
§ Commercial/Retail waste area
§ Commercial/Retail toilet facilities
§ Commercial/Retail storage area
§ Residential entry & lobby (accessed from Ormonde Parade)
§ Communications room
§ Residential lift and fire stairs x 2
§ Waste room
§ 3 x visitor bicycle spaces
§ Fire services storage
§ Bin holding area
§ Vehicular entry to building (accessed from Ormonde Parade)
§ Car lift
First Floor Plan:
§ 1 x 1 bedroom unit
§ Hydrant/sprinkler tank
§ Lift and fire stairs
§ Hot and cold water storage rooms
§ Pump room
§ Services and storage rooms
Second Floor Plan:
§ 2 x 1 bedroom units
§ 1 x 2 bedroom unit
§ Lift and fire stairs
§ Services storage
Third Floor Plan:
§ 2 x 1 bedroom units
§ 1 x 2 bedroom unit
§ Lift and fire stairs
§ Services storage
Fourth Floor through to Eleventh Floor Plan:
§ 2 x 2 bedroom units
§ Lift and fire stairs
§ Services storage
Roof Top Plan
§ Communal open space area containing landscaping, WC and BBQ facilities
§ Lift and fire stairs
§ Services storage
Driveway crossing along Ormonde Parade at north-west corner.
21. The original proposal comprised twenty-four (24) units with a more compressed stair well design. The proposal was subsequently amended during the DA process to comply with Floor Space and improve occupant amenity on site.
The Site and Locality
22. The subject site is legally described as Lot 2 DP 547762.
23. The combined area and dimensions of the subject site are as follows:
|
Site Area |
468.9sqm |
|
Primary frontage to Butler Road (east boundary) |
17.225m |
|
Secondary frontage to Ormonde Parade (north boundary) |
12.93m, 20.115m |
|
Rear (west boundary) |
11.29m |
|
Side (south boundary) |
39.74m |

Figure 3 - Survey of subject site being 1 Butler Road, Hurstville (Source: Beveridge Williams, 2017).

Figure 4 - Photograph of subject site taken from Ormonde Parade, Hurstville (Source: Author, March 2019).
24. There appears to be no apparent constraints on site, other than not being able to satisfy SEPP – 55, based on Council’s records and the registered survey provided.
25. The site accommodates a two (2) storey masonry commercial building which extends to the boundaries. No car parking or loading bays are located on site. The site is currently occupied by a commercial uses which include a pathologist, consulting suites and tutoring school.
26. The site does not contain any vegetation.

Figure 5 - Aerial photograph of subject site and surrounding area (Source: Nearmap, 27 December 2018).
Surrounding Area
27. Immediately adjoining the site to the south is Fire and Rescue New South Wales containing both an Ambulance and Fire Station within a part two part 5 storey building (5-9 Butler Road, Hurstville). Opposite the site to the north is Hurstville Central which is a two storey commercial building containing the Hurstville Train Station and a number of retail and food shops. To the immediate west of the site is Hurstville Police Station (36-38 Ormonde Parade, Hurstville) which is a seven storey building. To the east of the site opposite Butler Road and Ormonde Parade generally comprise of two storey commercial buildings with a mixture of food and drink premises, retail and commercial uses.

Figure 6 - Photograph of adjoining Ambulance and Fire Station to the south being 5-9 Butler Road, Hurstville (Source: Author, March 2019).

Figure 7 - Photograph of Adjoining Police Station being 36-38 Ormonde Parade, Hurstville (Source: Author, March 2019).

Figure 8 - Photograph of Hurstville Railway Station and Super Centre Loading dock adjacent to the site to the north (Source: Author, March 2019).
28. Electricity, Telstra, power poles and bollards are located within the frontage of Butler Road. Similar services in addition to a hydrant booster and garden planter with the street tree is located along the footway in front of Ormonde Parade. Ormonde Parade forms a one way road from west to east and Butler Road forms a one way road from north to south. There is limited parking within the surrounding area, as off street car parking spaces are for emergency vehicles, timed parking, accessible spaces and bus bays.
Zoning and Permissibility
29. The subject site is zoned Zone B4 Mixed Use under the provisions of the Kogarah Local Environmental Plan 2012 (KLEP2012).

Figure 9 – Zoning map – the site being 1 Butler Road, Hurstville is outlined in red (Source: Kogarah Local Environmental Plan, 2012).
Environmental Planning and Assessment Regulations 2000 (EP&A) Regulation 2000
30. The proposed development satisfies the relevant matters for consideration under the Regulations.
Consent authority is required to consider the objects in Section 1.3 of the EP&A Act when making decisions under the Act. Council has considered the object of the EP&A Act in the Table below and is satisfied that the proposal complies with all objects.
|
Objects of the EP&A Act |
Proposal |
Complies |
|
(a) to promote the social and economic welfare of the community and a better environment by the proper management, development and conservation of the State’s natural and other resources |
The proposal is not considered to be inconsistent with this objective. |
Yes |
|
(b) to facilitate ecologically sustainable development by integrating relevant economic, environmental, and social considerations in decision-making about environmental planning and assessment |
The proposal is accompanied by a revised BASIX Certificate which achieves a pass park and satisfies the requirement under State Environmental Planning Policy (BASIX) 2004 and Regulations. However the proposal has not provided a loading bay which is considered to detract from the amenity of the site. The proposal has not provided a queuing analysis or sight line analysis to ensure that the proposed layout provides adequate pedestrian and vehicular safety. |
No |
|
(c) to promote the orderly and economic use and development of land |
The proposal is not considered to provide an orderly and economic and development of the land due to excessive height of building sought, lack of loading bay which is considered to detract from the amenity of the commercial/retail use. |
Yes |
|
(d) to promote the delivery and maintenance of affordable housing |
The proposal seeks development consent for twenty-three (23) units. The proposal does not seek to provide or retain affordable housing. |
N/A |
|
(e) to protect the environment, including the conservation of threatened and other species of native animals and plants, ecological communities and their habitats |
Currently the does not contain any trees as a two storey commercial building occupies the site comprising of a building footprint boundary to boundary. The proposal seeks to provide planting on site along Butler Road, on the communal roof top and on several levels results in an improvement to the existing condition. This is considered to be acceptable. |
Yes |
|
(f) to promote the sustainable management of built and cultural heritage |
The proposal is not listed as heritage item or within the immediate vicinity to a heritage item or conservation area within a Local or Stage Heritage register. |
Yes |
|
(g) to promote good design and amenity of the built environment |
The proposal is considered to result in a poor design which is generated by the excessive height of building and poor vehicular amenity provided on site. |
No |
|
(h) to promote the proper construction and maintenance of buildings, including the protection of the health and safety of their occupants |
The proposal is considered to satisfy the intent of this control to ensure appropriate construction and maintenance of which is supported by Council’s Senior Building Surveyor. |
Yes |
|
(i) to promote the sharing of the responsibility for environmental planning and assessment between the different levels of government in the State |
The proposal was referred to the relevant applicable State Government authorities for consideration as part of this Local Development. |
Yes |
|
(j) to provide increased opportunity for community participation in environmental planning and assessment |
The proposal was notified and re-notified in accordance with the KDCP. In response, one (1) submission was received of which the concern has been addressed further within this report. |
Yes |
Ecologically Sustainable Development
The Act adopts the definition of ESD found in the Protection of the Environment Administration Act 1991. Section 6(2) of that Act states that ESD requires the effective integration of economic and environmental considerations in decision making processes and that ESD can be achieved through the implementation of:
(a) the precautionary principle
(b) inter-generational equity
(c) conservation of biological diversity and ecological integrity
(d) improved valuation, pricing and incentive mechanisms
Council has assessed the proposed development in relation to the ESD principles and has made the following conclusions;
(a) Precautionary Principle – the site has been appropriately planned for the development and will not result in any serious or irreversible environmental damage.
(b) Inter-Generational Equity – the proposal will not have adverse impacts on the environment for future generations.
(c) Biodiversity Principle – the site is within a highly urbanised area and contains no significant flora or fauna.
(d) Valuation Principle – the proposal includes a number of energy, water, and waste reducing measures to reduce the ongoing cost, resource, and energy requirements of the development.
Environmental Planning Instruments
State Environmental Planning Policies
31. Compliance with the relevant State Environmental Planning Policies is detailed and discussed below.
Greater Metropolitan Regional Environmental Plan No 2 – Georges River Catchment
32. The site is within the area affected by the Greater Metropolitan Regional Environmental Plan No 2 — Georges River Catchment. The proposal, including the disposal of stormwater, is considered to be consistent with Council's requirements for the disposal of stormwater within the catchment.
33. All stormwater from the proposed development will be managed and treated in accordance with Council’s Water Management Policy and will therefore satisfy the relevant provisions of the Deemed State Environmental Planning Policy – Georges River Catchment. The proposal is supported by Council’s Development Engineer.
State Environmental Planning Policy (Infrastructure) 2007
34. The proposed development is subject to Clause 85, Clause 86 and Clause 87 of the SEPP (Infrastructure) as the subject site is located adjacent to Eastern Suburbs and Illawarra Railway Line. The proposal seeks excavation greater than 2m within 25m of the Rail Corridor. In response, comments were received from Sydney Trains on 9 April 2019 which detailed if the application was able to be supported any favourable determination would need to be via deferred commencement, with the following to be provided and approved by Sydney Trains within for twenty-four (24) months of the determination, namely:
· Provision of a geotechnical report;
· Structural details;
· Construction methodology;
· A detailed survey plan; and
· A possible FE analysis and monitoring plan (this assesses the different stages of loading and unloading of the site and its effect on the rock mass surrounding the rail corridor.
Additional conditions have been recommended as part of prior, during Construction Certificate stages.
State Environmental Planning Policy No 55 - Remediation of Land
35. SEPP 55 aims to promote the remediation of contaminated land in order to reduce the risk of harm to human health or any other aspect of the environment.
36. Clause 7 requires contamination and remediation to be considered in determining a development application. The consent authority must not consent to the carrying out of development on land unless it has considered whether or not the land is contaminated.
37. A review of the site history suggests that the site has been used for commercial purposes for extended periods of time, and such uses and/or development are not typically associated with activities that would result in the contamination of the site.

Figure 6 – Aerial Photograph of subject site being 1 Butler Road, Hurstville and surrounding area (Source: Nearmap 14 Nov, 2009).
38. Further to the site review, submitted information and site inspections did not identify evidence of contamination. A phase 1 preliminary desktop assessment has been provided in support of the application. Given that the proposal seeks a change in use from commercial to mixed use which contains residential and excavation for a four (4) level basement, a phase 2 assessment is required for Council’s consideration.
39. Council has considered the request from the applicant regarding a condition of consent for a phase 2 assessment prior to construction on the basis of the phase 1 desktop assessment, site history and the fact that commercial leases are in place as the existing two storey building is tenanted making investigations difficult. It is considered that this cannot be conditioned as Council needs to be satisfied the site is suitable fr its intended use or can made suitable for its intended use. Without the benefit of he Phase 2 assessment the requirement of SEPP 55 cannot be satisfied.
State Environmental Planning Policy (Building Sustainability Index: BASIX) 2004
40. A revised BASIX Certificate No. 853750M_02 prepared by VIPAC Engineers dated 13 September 2018 has been issued for the proposed development. This is considered to be valid and satisfies all water, thermal and energy requirements. In this regard, the requirements of the SEPP have been reasonably satisfied.
State Environmental Planning Policy No. 65 - Design Quality of Residential Apartment Development
41. Clause 28(2) of SEPP 65 requires that the consent authority take into consideration the following as part of the determination of DAs to which SEPP 65 applies:
a) the advice (if any) obtained from the design review panel, and
b) the design quality of the development when evaluated in accordance with the design quality principles, and
c) the Unit Design Guide.
42. The extent to which the proposed development complies with the controls and principles in the State Environmental Planning Policy 65 – Design Quality of Residential Unit Development (SEPP 65) is detailed and discussed in the tables below.
Application of SEPP 65
Compliance with SEPP 65
|
Clause |
Standard |
Proposal |
Complies |
|
Clause 3 - Definitions |
SEPP 65 applies to residential unit development
The permitted uses within the zone B4 Mixed Use Zone are detailed as follows;
Boarding houses; Centre-based child care facilities; Commercial premises; Community facilities; Educational establishments; Entertainment facilities; Function centres; Hotel or motel accommodation; Information and education facilities; Medical centres; Oyster aquaculture; Passenger transport facilities; Recreation facilities (indoor); Registered clubs; Respite day care centres; Restricted premises; Seniors housing; Shop top housing; Tank-based aquaculture; Any other development not specified in item 2 or 4. |
The application is for “shop top housing” with residential units which satisfies the definition. |
Yes |
|
Clause 4 - Application of Policy |
Development involves the erection of a new RFB.
The definition of an RFB in the SEPP includes mixed use developments and shop top housing developments. |
Construction of a “shop top housing” being ground floor commercial and twenty three (23) residential units above satisfies this criterion of the application of this policy. |
Yes |
|
Clause 50 (1a) – Development Applications |
Design verification statement provided by qualified designer |
Design Verification Statement provided by Registered and practicing Architects: Michael Heenan, Reg. 5264 Peter Ireland, Reg. 6661 |
Yes |
43. The DA was reviewed by the Design Review Panel (DRP) at a meeting held on 6 October 2017 having regard to each of the nine (9) Design Quality Principles.
44. The minutes of the DRP recommended support of the application, subject to the issues raised being resolved as contained within the table below. It is noted that the DRP indicates that the application satisfied the design quality principles contained within SEPP65.
Compliance with the principles of the Apartment Design Guide (ADG)
|
SEPP 65 – Design Quality of Residential Flat Buildings |
DRP Comment |
Planner Comment |
|
Context and Neighbouring Character Good design responds and contributes to its context. Context is the key natural and built features of an area, their relationship and the character they create when combined. It also includes social, economic, health and environmental conditions. Responding to context involves identifying the desirable elements of an area’s existing or future character. Well designed buildings respond to and enhance the qualities and identity of the area including the adjacent sites, streetscape and neighbourhood. Consideration of local context is important for all sites, including sites in established areas, those undergoing change or identified for change. |
The presentation demonstrated consideration of the existing and future urban context and a very thoughtful design process.
The site is narrow and sandwiched between the brick Police Station and the neo-brutalist Ambulance/Fire Station buildings at the core of Hurstville, immediately adjacent to the Hurstville Railway Station. In this context high rise, mixed use buildings are appropriate. |
Applicant comment: “Noted”.
Planner comment: No further comment. |
|
Built Form and Scale Good design achieves a scale, bulk and height appropriate to the existing or desired future character of the street and surrounding buildings. Good design also achieves an appropriate built form for a site and the building’s purpose in terms of building alignments, proportions, building type, articulation and the manipulation of building elements. Appropriate built form defines the public domain, contributes to the character of streetscapes and parks, including their views and vistas, and provides internal amenity and outlook. |
As an outcome of the evolution in the thinking of the designers the built form models presented is satisfactory in principle.
The proposal is for a height of 42.87m (to top of lift over-run) compared with the 39m permissible. The protuberance of the lift over-run and small amenities room to serve and access the roof-garden is acceptable in this situation as no adverse amenity results and roof access for communal roof-garden is achieved. Only access and communal functions break through the height control.
Some of the ‘gravel roof’ areas on Level 1 appear to be inaccessible. Access should be provided for maintenance and safety purposes.
Toilet facilities should be provided to the roof top landscape area.
Street tree planting should be provided to Ormonde Parade and Butler Road to contribute to and improve the visual amenity of this area which is dominated by the Coles delivery and back-of-house function.
Planters could be provided at ground level to help define the residential entrance and lobby area within the streetscape.
Streetscape design should be further resolved including materials, structures, street furniture and planting.
The landscape drawings contain no north point. |
Applicant comment: “Noted”.
“Noted – height is acceptable by the DRP.
Access has been provided through a gate in the balustrade for maintenance.
WC was shown lower down so that there was no GFA above the height plane, and to satisfy the ADG. WC has now been moved to the common roof terrace.
There is little opportunity for this over and above the existing street tree. We request that Council confirms requirements as a condition of the approval.
A narrow planter has been added adjacent to the residential entry.
This will be dictated by Council’s requirements and could be covered by a DA condition.
SDS to update”
Planner comment: The amendments in response to these comments are considered to result in an improve design outcome. |
|
Density Good design achieves a high level of amenity for residents and each unit, resulting in a density appropriate to the site and its context. Appropriate densities are consistent with the area’s existing or projected population. Appropriate densities can be sustained by existing or proposed infrastructure, public transport, access to jobs, community facilities and the environment. |
The proposals presented exceed both FSR and height standards of the recently gazetted LEP. There is likely to be limited room for variation in this context.
From an urban design perspective a reasonable case for non compliance with the height control at the corner of the site which would need to be offset by strict compliance with the FSR. A potential solution would be deletion of the western top floor unit and substitution at that location with communal open space that would receive abundant sunlight and would have good outlook.
FSR proposed is 4.71:1 with 4.5:1 permissible. This represents an additional GFA of about 100sqm or one (1) x three (3) bedroom unit, which is not supported. |
Applicant comment: “FSR was previously reduced by omitting an apartment. DRP comments make not issue with height.
Planner comment: The development was amended and the FSR is compliant. |
|
Sustainability Good design combines positive environmental, social and economic outcomes. Good sustainable design includes use of natural cross ventilation and sunlight for the amenity and liveability of residents and passive thermal design for ventilation, heating and cooling reducing reliance on technology and operation costs. Other elements include recycling and reuse of materials and waste, use of sustainable materials and deep soil zones for groundwater recharge and vegetation. |
It would be appropriate in this location for a building of this scale and quality to investigate a wide range of sustainability features. The Panel noted that the scheme presented achieves 100% solar access and 100% natural ventilation as required by the ADG.
Whist excellent solar access and ventilation have been achieved, it would be expected that in a dense urban building such as this that further sustainability measure would be pursued. |
Applicant comment: “The following sustainability initiatives are proposed: • Low e (treated thermal) glass is proposed. • Provision for future solar panels. • Additional green roof not preferred due to maintenance. • Rainwater reuse tank is included on storm water drawings”
Planner comment: The inclusions within the development are considered to be acceptable. |
|
Landscape Good design recognises that together landscape and buildings operate as an integrated and sustainable system, resulting in attractive developments with good amenity. A positive image and contextual fit of well designed developments is achieved by contributing to the landscape character of the streetscape and neighbourhood. Good landscape design enhances the development’s environmental performance by retaining positive natural features which contribute to the local context, co-ordinating water and soil management, solar access, micro-climate, tree canopy, habitat values and preserving green networks. Good landscape design optimises useability, privacy and opportunities for social interaction, equitable access, respect for neighbours’ amenity and provides for practical establishment and long term management. |
All efforts should be made to investigate the opportunity for some deep soil on the site. In the instance that this is unachievable then on-structure planting must be provided.
The proponent should investigate the opportunity for street tree planting on Butler Street.
As the scheme develops the Panel recommends a parallel strategy for the design and use of common open space areas and landscaping.
The Panel feels that further roof garden and terrace opportunities could have been pursued at Levels 2, 4 and roof optimizing roof structures in the absence of any ground level or deep soil landscape opportunities.
The landscape plan should be more detailed, explaining the various functions and subsequent design solutions.
A detailed street tree planting regime should be documented in consultation with Council Landscape Architects. |
Applicant comment: “There is little opportunity for this but deep soil planting has been indicated on the Butler Road frontage.
Dictated by Council requirements – please see above.
This is an old comment from the previous DRP minutes. Design is now advanced.
The revised DA drawings show more planting added at L4.
SDS is to supplement their drawings if necessary, however this could be a DA condition.
Dictated by Council requirements. This could be a DA condition”.
Planner comment: The inclusions within the development are considered to be acceptable.. |
|
Amenity Good design positively influences internal and external amenity for residents and neighbours. Achieving good amenity contributes to positive living environments and resident well being. Good amenity combines appropriate room dimensions and shapes, access to sunlight, natural ventilation, outlook, visual and acoustic privacy, storage, indoor and outdoor space, efficient layouts and service areas and ease of access for all age groups and degrees of mobility. |
Satisfactory generally.
The projecting corner balconies are very exposed to winds and should be provided with adjustable screens so that they are habitable in all weather conditions
Small enclosed amenities room (WC and kitchenette/store) at roof level is very desirable. |
Applicant comment: “Noted
In AJ+C’s opinion screening is not necessary however the revised drawings show a fixed glass blade on the straight portion of the eastern edge to protect against southerly winds.
See above”
Planner comment: Noted. Acceptable. |
|
Safety Good design optimises safety and security within the development and the public domain. It provides for quality public and private spaces that are clearly defined and fit for the intended purpose. Opportunities to maximise passive surveillance of public and communal areas promote safety. A positive relationship between public and private spaces is achieved through clearly defined secure access points and well lit and visible areas that are easily maintained and appropriate to the location and purpose. |
No issues evident at this stage. Acceptable |
Applicant comment: “Noted”
Planner comment: Noted. Acceptable. |
|
Housing Diversity and Social Interaction Good design achieves a mix of unit sizes, providing housing choice for different demographics, living needs and household budgets. Well designed unit developments respond to social context by providing housing and facilities to suit the existing and future social mix. Good design involves practical and flexible features, including different types of communal spaces for a broad range of people and providing opportunities for social interaction among residents. |
The limitations of the site make it difficult to provide a mix of unit sizes and types. Acceptable
Communal area should include a small enclosed space as recommended above. |
Applicant comment: “Noted.
The revised DA drawing show a sheltered BBQ area with sink”
Planner comment: Amendments considered acceptable. |
|
Aesthetics Good design achieves a built form that has good proportions and a balanced composition of elements, reflecting the internal layout and structure. Good design uses a variety of materials, colours and textures. The visual appearance of a well-designed unit development responds to the existing or future local context, particularly desirable elements and repetitions of the streetscape. |
The form of the building is generally supported with the following reservations:
- The prominence of balcony undersides as viewed from the street
- The horizontal prominence of the white podium structure
The colour and materials palette could be more accommodating of its context (clinker brick and brutalist block) in a constructive and creative manner. The white and dark grey balustrades should have some warmth in tone and colour to be more in sympathy with the adjacent buildings. |
Applicant comment:
“These are preferred white to create a feeling of openness when viewed from inside the apartment.
In AJ+C’s opinion this is not a concern, and the horizontal podium is not excessive in the wider street context.
The brick building is in disrepair and may not be there much longer. End walls of the tower have textured concrete to relate to the Ambulance building. Natural materials at ground level add to the warmth of the facades”
Planner comment: Noted. Acceptable.
|
Design Review Panel Recommendation
45. The final comments from the Design Review Panel were in support of the application subject to the issues raised above being resolved. The DRP noted that the application satisfies the design quality principles contained in SEPP 65. The amended proposal is considered to adequately address the issues raised by the Panel.
The design quality of the development when evaluated in accordance with the design quality principles
46. Clause 28 of SEPP65 requires the consent authority to take into consideration the provisions of the ADG. A compliance table assessment has been provided below to detail how the proposed development, performs against the relevant provisions of the ADG.
47. As demonstrated within the ADG compliance table, the proposal is generally satisfactory when considered against the relevant objectives, design criteria and design guidance for residential flat buildings.
Clause 30 – Consideration of Unit Design Guide
48. The proposal has been considered in accordance with the applicable controls as per below.
Compliance with the ADG standards
|
Clause |
Standard |
Proposal |
Complies |
|
2G – Street setbacks |
Align street setbacks with building use. For example in mixed use buildings a zero street setback is appropriate |
The proposal seeks a zero podium setback and recessed residential component which reinforces the corner of a dual frontage site being Butler Road and Ormonde Parade frontages which is acceptable. |
Yes |
|
3D-Communal and Public Open Space
|
1. Communal open space has a minimum area equal to 25% of the site. -Where it cannot be provided on ground level it should be provided on a podium or roof
-Where developments are unable to achieve the design criteria, such as on small lots, sites within business zones, or in a dense urban area, they should: • provide communal spaces elsewhere such as a landscaped roof top terrace or a common room
• provide larger balconies or increased private open space for units • demonstrate good proximity to public open space and facilities and/or provide contributions to public open space
2. Developments achieve a minimum of 50% direct sunlight to the principal usable part of the communal open space for a minimum of 2 hours between 9 am and 3 pm on 21 June (mid winter) |
Communal open space of 113sqm (24%) has been provided on the roof top. This is directly accessible from the central lift, is located adjacent to a communal toilet, contains a kitchen and is covered.
The subject site is zoned B4 Mixed Use. Communal open space is located on the rooftop to minimise acoustic impacts and maximise solar access.
The proposal provides slightly oversized balconies for each unit being: 1 bedroom units: Required minimum: 8sqm in area and 2m in dimension Proposed - 9.3m – 11.8m 2 bedroom units: Required minimum: 10sqm in area and 2m in dimension Proposed - 12.1 – 12.3m
The rooftop communal open space achieves 100% solar access as this is orientated to the north. There are no adjoining buildings which cast an overshadowing impact to this communal open space. Given the surrounding sites development potential is not dissimilar to this site; solar access is envisaged to be retained to the compliant levels. |
No (1)
Yes
Yes
|
|
3E-Deep Soil zones |
1. Deep soil zones are to meet the following minimum requirements:
- 7% minimum area - 3m minimum dimension but where the site is less than 650sqm there is no minimum dimension. |
The proposed development provides 33.82sqm (7%) of deep soil zone within the site, given the size of the site is there is no minimum dimension. |
Yes |
|
3F-Visual Privacy |
Separation between windows and balconies is provided to ensure visual privacy is achieved.
Minimum required separation distances from buildings to the side and rear boundaries are as follows:
Habitable rooms and balconies:
Up to four storeys (approximately 12m): • 12m between habitable rooms/balconies (6m setback to the boundary)
Five to eight storeys (approximately 25m): • 9m between habitable and non-habitable rooms (4.5m setback to the boundary)
Over nine storeys (Over 25m): • 24m between habitable rooms/balconies (12m to the boundary)
Non-habitable rooms:
Up to four storeys (approximately 12m): • 6m between non-habitable rooms (3m to the boundary)
Five to eight storeys (approximately 25m): • 18m between habitable rooms/balconies (9m to the boundary)
Over nine storeys (Over 25m): • 12m between habitable and non-habitable rooms (6m to the boundary) • habitable rooms (4.5m to the boundary) |
Elements of the external walls being built to the boundary containing no openings on the ground floor and first floor on the western and southern elevations.
North: <12m, East: <12m, South: Nil for levels G -2 blank walls. Level 4, 6m blank walls, West: 2.7m walls and walkway, fire stair Nil setback
North: <9m East: <9m South: 6m blank walls West: 2.7m walls and walkway, fire stair Nil setback
North: <24m East: 14.13m (site adjoins 2 storey commercial to on the opposite eastern side of Butler Road. South: 6m Blank walls West: 2.7m, fire stair Nil setback
North: No non-habitable rooms proposed along this elevation with windows. East: No non-habitable rooms proposed along this elevation with windows. South: 6m Blank walls West: 2.7m, fire stair Nil setback
North: No non-habitable rooms proposed along this elevation with windows. East: No non-habitable rooms proposed along this elevation with windows. South: 6m Blank walls West: 2.7m, fire stair Nil setback
North: No non- habitable rooms proposed along this elevation with windows. East: No non-habitable rooms proposed along this elevation with windows. South: 6m Blank walls West: 2.7m, fire stair Nil setback |
Yes Yes Yes
No (2)
Yes Yes Yes No (2)
Yes No (2)
Yes No (2)
Yes
Yes
Yes No (2)
Yes
Yes
Yes No (2)
Yes
Yes
Yes No (2) |
|
3G-Pedestrian access and entries |
Building entries and pedestrian access connects to and addresses the public domain
Multiple entries (including communal building entries and individual ground floor entries) should be provided to activate the street edge. |
The proposal seeks individual entrances for the commercial and residential components which are both accessed from Ormonde Parade. |
Yes |
|
3H-Vehicle Access |
Vehicle access points are designed and located to achieve safety, minimise conflicts between pedestrians and vehicles and create high quality streetscapes. |
The proposed vehicle access point is located at the north-east corner of the site which is considered to be appropriately located given that the site forms a corner allotment. The proposed driveway entry is clear of the tangent points of the street intersection. Pedestrian access in granted via Ormonde Parade which is appropriate and logical given the entry points to he building. |
Yes |
|
3J- Bicycle and car parking |
For development in the following locations: - On sites that are within 800m of a railway station or light rail stop in the Sydney Metropolitan Area;
- The minimum car parking requirement for residents and visitors is set out in the Guide to Traffic Generating Developments, or the car parking requirement prescribed by the relevant council, whichever is less |
The subject site is located approximately 23m south of the Hurstville Railway Station.
The proposal complies with the minimum car parking rates under the RMS Guide to Traffic Generating Development. The site is located within 800m of the Hurstville Station of which Hurstville is identified as ‘Metropolitan Regional Centre (CBD) within ‘A Plan for Growing Sydney’.
The above car parking rates override Council’s minimum DCP residential car parking requirements.
A credit has been applied to existing commercial/retail car parking component. Refer to KDCP Section B4 Car Parking and Traffic for more detail. |
Yes
Yes
|
|
4A- Solar Access |
Living rooms and private open spaces of at least 70% of units in a building receive a minimum of 2 hours direct sunlight between 9 am and 3 pm at mid-winter in the Sydney Metropolitan Area
A maximum of 15% of units in a building receive no direct sunlight between 9 am and 3 pm at mid-winter
Daylight access is maximised where sunlight is limited. |
All 100% (23/23) of units achieve a minimum of 2 hours direct sunlight during 9am and 3pm during Winter Solstice. This is achieved by all units containing a north facing orientation. To the north of this site is the Hurstville Railway Station which also is occupied by Hurstville Central which comprises of a two storey built form.
All units receive direct sunlight between 9am to 3pm during Winter Solstice due to the north facing orientation of the units.
All units contain glazing which is orientated to the north achieving sunlight. |
Yes
Yes
Yes |
|
4B-Natural Ventilation |
At least 60% of units are naturally cross ventilated in the first nine storeys of the building.
Overall depth of a cross-over or cross-through unit does not exceed 18m, measured glass line to glass line.
The building should include dual aspect units, cross through units and corner units and limit unit depths |
100% of units are cross ventilated on the first nine storeys of the building.
Maximum depth does not exceed 18m.
10/23 units are corner units which is considered to be acceptable given the design and layout proposed. |
Yes
Yes
Yes
|
|
4C-Ceiling Heights |
Measured from finished floor level to finished ceiling level, minimum ceiling heights are:
If located in mixed use areas = 3.3m for ground and first floor to promote future flexibility of use. Habitable rooms = 2.7m Non-habitable rooms = 2.4m. Residential floor to floor height of 3.1m |
3.8m
2.7m 2.7m
3.1m |
Yes
Yes
Yes |
|
4D-Unit size and layout |
Units are required to have the following minimum internal areas:
1 bedroom = 50sqm 2 bedroom = 70sqm
The minimum internal areas include only one bathroom. Additional bathrooms increase the minimum internal area by 5sqm each
Every habitable room must have a window in an external wall with a total minimum glass area of not less than 10% of the floor area of the room. Daylight and air may not be borrowed from other rooms |
Over 50sqm Over 75sqm
Units with 2 bathrooms contain a minimum floor area of 75sqm.
Key habitable rooms such as living, dining, study nooks have a glass area of not less than 10%
|
Yes Yes
Yes
Yes
|
|
4D- Unit rooms, location and sizes |
Habitable room depths are limited to a maximum of 2.5 x the ceiling height
In open plan layouts (where the living, dining and kitchen are combined) the maximum habitable room depth is 8m from a window |
Habitable room depths compliant with dimension.
Maximum habitable room depth less than 8m. |
Yes
Yes |
|
4D- Unit rooms, location and sizes |
Master bedrooms have a minimum area of 10sqm and other bedrooms 9sqm (excluding wardrobe space)
Bedrooms have a minimum dimension of 3m (excluding wardrobe space)
Living rooms or combined living/dining rooms have a minimum width of:
- 3.6m for studio and 1 bedroom - 4m for 2 and 3 bedroom units
The width of cross-over or cross-through units are at least 4m internally to avoid deep narrow unit layouts |
Master bedrooms contain a minimum dimension of 10sqm with a minimum dimension of 3m (excluding wardrobe space).
Secondary bedrooms on the north-east corner on levels 3-11 (10 Units) contain an area of 8sqm square metres with a minimum dimension of 3m (excluding wardrobe space). These rooms contain a total area of 10.7sqm inclusive of room dimensions of less than 3.
Combined living/dining rooms have a width of at least 3.6m for 1 bedroom units and 4m for 2 bedroom units.
Cross through units are at least 4m in width.
|
Yes
No (2)
Yes
Yes |
|
4E-Private Open space and balconies |
All units are required to have primary balconies as follows: 1 bedroom = 8sqm/2m depth
2 bedroom = 10sqm/2m depth
The minimum balcony depth to be counted as contributing to the balcony area is 1m For units at ground level or on a podium or similar structure, a private open space is provided instead of a balcony. It must have a minimum area of 15sqm and a minimum depth of 3m |
9.5 – 11.8sqm with minimum depth of 2m
12.1 – 12.3sqm with minimum depth of 2m
Private open space provided in the
form a balcony for each unit which are above the minimum area required. |
Yes
Yes
Yes |
|
4F- Circulation spaces |
The maximum number of units off a circulation core on a single level is eight |
Level 1: 1 unit Levels 2 and 3 - 3 units Levels 4 to 11 - 2 units |
Yes |
|
4G- Storage |
1. In addition to storage in kitchens, bathrooms and bedrooms, the following storage is provided:
1 bedroom = 6m³ 2 bedroom – 8m³ |
More than 6m³ provided for 1 bedroom units, more than 8m³ provided for 2 bedroom units. |
Yes |
|
4K- Unit mix |
A variety of unit types is provided |
The proposal seeks a unit composition comprising of 5 x 1 bedroom units and 18 x 2 bedroom units which varying internal layouts.
The proposal comprises of the following: 5 x 1 bedroom, 5/23 = 21.7% 18 x 2 bedroom, 18/23 = 78.2% |
Yes |
|
4M-Facades |
Facades should be well resolved with an appropriate scale and proportion to the streetscape and human scale. |
The façade is: · appropriate given the prominent corner location of the site. · balanced with an appropriate scale along the vertical and horizontal planes. · is considered to positively contribute to the Streetscape along Butler Road and Ormonde Parade. |
Yes |
|
4N-Roof design |
Roof treatments are integrated into the building design and positively respond to the street. Opportunities to use roof space for residential accommodation and open space are maximised. Incorporates sustainability features. |
Roof treatments are integrated with the remained of the building. |
Yes |
|
4O-Landscape design |
Landscape design is viable and sustainable, contributes to the streetscape and amenity |
The proposed landscaping is considered to be appropriate and adequate given the scale and design of the proposal. |
Yes |
|
4P- Planting on structures |
Planting on structures – appropriate soil profiles are provided, plant growth is optimised with appropriate selection and maintenance, contributes to the quality and amenity of communal and public open spaces |
Acceptable landscape areas provided: · to the ground level along Butler Road · roofs and · within the roof top communal open space. |
Yes |
|
4Q-Universal design |
Universal design – design of units allow for flexible housing, adaptable designs, accommodate a range of lifestyle needs |
The proposal provides good levels of design within the units. 2 units are nominated as adaptable. |
Yes |
|
4R- Adaptive reuse |
Adaptive reuse as unit of existing buildings- new additions are contemporary and complementary, provide residential amenity while not precluding future adaptive reuse. |
The proposal forms a new mixed use development with the existing two storey commercial building to be demolished. |
N/A |
|
4S-Mixed Use |
Mixed use developments are provided in appropriate locations, provide active street frontages, residential levels of the building are integrated within the development and safety and amenity is maximised for residents. |
The proposed mixed use development is located directly across from the Hurstville Railway Station. The proposal provides an appropriate active street frontage for the scale and type of the development. |
Yes |
|
4T- Awnings |
Awnings and signage – awnings are well located and compliment and integrate with the building design, signage responds to the context and desired streetscape character. |
The proposal incorporates awnings along Ormonde Parade and Butler Road which results in the continuation of a covered pedestrian streetscape. |
Yes |
|
4U- Energy Efficiency |
Development incorporates passive environmental design, passive solar design to optimise heat storage in winter and reduce heat transfer in summer, natural ventilation minimises need for mechanical ventilation. |
An amended compliant BASIX certificate has been provided. Given that the development is built to the front and side boundaries mechanical ventilation has been proposed throughout the building extending to the roof level.
|
Yes |
|
4V Water management and conservation |
Potable water use is minimised Urban stormwater is treated on site before being discharged to receiving waters Flood management systems are integrated into site design. |
An amended compliant BASIX certificate has been provided addressing the potable water usage and the stormwater has been supported by Council’s Development Engineer. |
Yes |
|
4W Waste management |
Waste storage facilities are designed to minimise impacts on the streetscape, building entry and amenity of residents Domestic waste is minimised by providing safe and convenient source separation and recycling. |
Garbage rooms have been nominated on the ground floor level and a bin collection bay on the driveway of the development and supported by Council’s Waste Officer. |
Yes |
|
4X Building maintenance |
Building design detail provides protection from weathering Systems and access enable ease of maintenance Material selection reduces ongoing maintenance costs |
The proposal adopts appropriate materials and design. |
Yes |
(1) Communal Open Space
49. Clause 3D-Communal and Public Open Space prescribes that public communal open space should comprise of 25% of the site area. In this instance the site area equates to 468.9sqm and therefore equating to 117.25sqm communal open space. The proposal seeks to provide communal open space on the north-east roof top level being 113sqm or (24%). This is considered to be a negligible prescriptive shortfall of 4.22sqm or (1%). It is noted that the roof top communal open space achieves good levels of solar access given the north facing orientation.
50. Further to the above, the proposal has provided 1 bedroom and 2 bedroom units which exceed the minimum prescribed balcony requirements under the ADG. It is also noted that each balcony is also north facing to maximise solar access. This is considered to appropriately offset the prescriptive shortfall of the minimum prescribed communal open space as good levels of amenity are provided for each unit. It is also noted that the Design Review Panel did not raise any concern regarding the minor shortfall in communal open space.
51. It is also acknowledged there is the possibility for an additional roof top area to be provided within the north-western area to achieve strict numerical compliance.
52. (2) Minimum width for secondary bedroom sizes
Clause 4D- Unit rooms, location and sizes prescribes a minimum size of 9sqm (excluding wardrobes) with a minimum dimension for secondary bedrooms. The proposal seeks a variation to this clause for secondary bedrooms on the north-east corner on levels 3-11, which affects (10 Units) contain an area of 8sqm square metres with a minimum dimension of 3m (excluding wardrobe space).
This variation is considered to satisfactory for the following reasons;
· Despite the numerical departure, the proposal results in a functional space and usable dimensions with good levels of amenity. The configuration of the room tapers towards the wardrobes however the functional areas are located to the eastern portion of the room with an eastern outlook to Butler Road.
· In total, these rooms contain a total area of 10.7sqm which are inclusive of room dimensions of less than 3 which is acceptable and does not result in material diminished amenity for future occupants.
(3) Setbacks
53. Clause 3F- Privacy prescribes spatial separation setbacks between developments. For the purposes of assessment the proposed variations to the setbacks are detailed as follows:
54. East Elevation: (fronting Bulter Road) The ADG prescribes a setback of 12m habitable use rooms above 12m along the eastern side elevation. The proposal results in a proposed setback of 14.13m to the commercial buildings along the western side of Butler Road. This is considered to be negligible variation given that the proposed rooms form bedrooms and not high habitable use rooms such as lounge or dining rooms.
55. Southern elevation (side): the proposal seeks a 2.7m southern side setback which comprises of generally bathrooms with the exception of a kitchen window on level 3. The stairwell along this southern side elevation seeks a nil boundary setback which is considered to be of a low material impact.
56. It is noted that the proposal complies with the Northern elevation (fronting Ormonde Parade) and rear western side elevation as no windows are proposed.
57. The proposal seeks variations to this clause whereby the applicant’s SEE has stated the following;
“neighbours are currently not residential. Due to the constrained nature of an urban site:
Separation from the west boundary stays at min 6m above the 4th storey. Apartment walls on the south are min 2.7m (revised proposed) from the boundary. However the proposal is mindful of future residential properties on neighbouring sites. A min 6m setback from the west boundary is proposed allowing solar access and outlook from the west and south. The main mass of the new building is pushed to the north of the site to reduce overshadowing.”
58. The variations proposed have been assessed and are considered to be acceptable for the following reasons;
· The subject site and immediate surrounding area is zoned B4 Mixed Use. Given the zoning development may occur a nil boundary setback. In this instance the proposal forms a corner allotment and has been oriented towards the north-east corner and has attempted to provide spatial separation to the adjoining commercial properties to the west and south.
· The proposal as sought to create a ‘light well’ between the southern property to provide ambient light to this elevation.
· Strict numerical compliance along of this control would significantly constrain the site further given that the allotment width at its narrowest point along the western side boundary is 11.29m in length and the longest side is 17.22m.
· No unreasonable solar access impacts arise to adjoining properties.
· No unreasonable privacy impacts arise given that the western side elevation forms blank walls. The southern side elevation windows form low habitable use rooms such as bathrooms, furthermore the access corridors are not considered to result in any unreasonable impact. Along the northern elevation, windows fronting Ormonde Parade which face Hurstville Railway Station and Hurstville Central comprises of commercial and retail uses. Windows along the eastern elevation form bedroom windows being low habitable use rooms which front commercial shops along Butler Road.
· Given the design of the proposal, adjoining context and B4 Mixed Use zoning, it is considered that the proposal will unlikely result in restricting development potential of adjoining sites.
· Despite the reduced setbacks along the eastern elevation to Butler Road, it is considered additional screening is not considered necessary as the rooms form bedrooms and not key living areas. In regards to the southern side elevation additional screening is not considered necessary as the windows generally form low habitable use rooms with the entries for each unit in close proximity to the lift core. Trafficable areas to access the fire stairs unlikely to be heavily utilised given the nature of design.
59. The proposed variations to the prescriptive controls are considered to be acceptable in this instance given the site dimensions, area and immediate context. As the site and adjoining neighbouring properties are zoned B4 a nil boundary setback is permitted. Given the merits the design and relationship to the site, the proposal is considered to be acceptable given the negligible impact regarding visual privacy, solar access and visual bulk.
60. As stated above, the proposal is considered to generally satisfy the provisions of State Environmental Planning Policy No 65. Design Quality of Residential Apartment Design. The proposed variation to the landscaping is considered to be minimal and is offset by the good levels of solar access and oversized balcony sizes proposed for each unit. The proposed variation to the setbacks are considered to be reasonable given that the subject site and immediate surrounding areas permit a nil boundary setback, in this instance a reasonable built form has been achieved.
Draft Environmental Planning Instruments
Draft Environment SEPP
61. The Draft Environment SEPP was exhibited from 31 October 2017 to 31 January 2018. This consolidated SEPP proposes to simplify the planning rules for a number of water catchments, waterways, urban bushland, and Willandra Lakes World Heritage Property.
62. Changes proposed include consolidating the following seven existing SEPPs:
· State Environmental Planning Policy No. 19 – Bushland in Urban Areas
· State Environmental Planning Policy (Sydney Drinking Water Catchment) 2011
· State Environmental Planning Policy No. 50 – Canal Estate Development
· Greater Metropolitan Regional Environmental Plan No. 2 – Georges River Catchment
· Sydney Regional Environmental Plan No. 20 – Hawkesbury-Nepean River (No.2-1997)
· Sydney Regional Environmental Plan (Sydney Harbour Catchment) 2005
· Willandra Lakes Regional Environmental Plan No. 1 – World Heritage Property.
63. The proposal is not inconsistent with the provisions of this Draft Instrument.
Kogarah Local Environmental Plan 2012
64. The extent to which the proposal complies with the relevant standards of Kogarah Local Environmental Plan 2012 (KLEP2012) is outlined in the table below.
|
Clause |
Standard |
Proposed |
Complies |
|
1.2 Aims of the Plan |
Aims of the Plan to be satisfied
(2) The particular aims of this Plan are as follows: (a) To guide the orderly and sustainable development of Kogarah. |
The development has not included a loading bay in the design of the building and a Phase 2 Preliminary Intrusive Investigation under the provisions of SEPP 55 has also not been lodged to demonstrate the site is fit for purpose. In this regard it is considered that the current proposal has not satisfied this aim. |
No (1) – refer to discussion below |
|
Part 2 – Permitted or Prohibited Development |
B4 Mixed Use |
The proposal being a mixed use development – shop top housing is permissible with Council's consent. |
Yes |
|
|
Objectives of the Zone
|
The proposal is considered to be inconsistent with zone objectives. |
No (2) -refer to discussion below |
|
4.3 – Height of Buildings
|
39m as identified on Height of Buildings Map |
Lift Overrun: 42.87m (RL113.85) (+9.9%) Parapet: 39.39m (RL113.4)(+1%). |
No (3) refer to discussion below |
|
4.4 – Floor Space Ratio
|
4.5:1 as identified on Floor Space Ratio Map |
Site area 468.9sqm per survey plan. Maximum permitted FSR = 2,011.05sqm. Proposed FSR = 2,011.05sqm |
Yes |
|
4.5 – Calculation of floor space ratio and site area |
FSR and site area calculated in accordance with Cl.4.5 |
FSR and site area calculated in accordance with this Clause. |
Yes |
|
4.6 Exception to Development Standard |
Exception to Development Standard to be provided for Council’s consideration. |
An amended Clause 4.6 Exception to Development Standard has been lodged for the non compliance with Clause 4.3 Height of Building has been provided for Council’s consideration. |
Yes (4) refer to discussion below |
|
5.10 – Heritage Conservation |
The objectives of this clause are; (i) to conserve the environmental heritage of Kogarah, (ii) to conserve the heritage significance of heritage items and heritage conservation areas, including associated fabric, settings and views. |
The site is not identified as a Local Heritage Item and not within a Heritage Conservation Area. The site does not adjoin any heritage items. The closest Heritage Conservation area is located due south-west being Obrien’s Estate which is characterised by generally federation dwellings. |
Yes |
|
6.2 Earthworks |
To ensure that earthworks do not have a detrimental impact on environmental functions and processes, neighbouring uses, cultural or heritage items or features of the surrounding land |
The proposed earthworks being excavation to accommodate four (4) levels of basement are considered acceptable having regard to the provisions of this clause. The works are unlikely to have a detrimental impact on environmental functions and processes, neighbouring uses, or features of the surrounding land.
It is noted however that the proposal has not provided a Phase 2 Intrusive Investigation assessment which was a recommendation of the Phase 1 assessment given the proposal seeks a change of use from commercial to mixed use which contains a residential component. |
Yes |
|
6.5 Airspace Operations |
The consent authority must not grant development consent to development that is a controlled activity within the meaning of Division 4 of Part 12 of the Airports Act 1996 of the Commonwealth unless the applicant has obtained approval for the controlled activity under regulations made for the purposes of that Division. |
The height of the proposed development is below the Obstacle Limitation Surface (OLS) of 140AHD. The maximum height of 39m applies to the development and (113.85AHD).
A referral was sent to Sydney Airports for comment. In response, Sydney Airports provided comment which supported the application. |
Yes |
(1) Aims of the Plan
65. Clause 1.2 Aims of the Plan objective (a) states “To guide the orderly and sustainable development of Kogarah”. The proposal is not considered to adequate satisfy the intention of this clause as poor on site loading amenity has been provided in addition inadequate information has been provided to demonstrate to Council that the site is suitable for development under the consideration of SEPP No 55 - Remediation of Land.
(2) Objectives of the B4 Mixed Use Zone
66. The proposal is considered to be inconsistent with the objectives of the B4 Mixed Use Zone. The proposal is not considered to satisfy the following zone objectives;
· To encourage development that contributes to economic growth and employment opportunities.
· To encourage development that contributes to an active, vibrant and sustainable town centre.
67. Comment: Whilst a mixed use development forms a permissible use of the zone. The proposal given the physical constrains on the site is inconsistent with the above zone objectives for the following reasons.
68. The lack of a loading bay on site is considered to detract from the amenity of future commercial/retail and residential occupants. Given the lack of amenity on site and immediate surrounding context whereby street parking is limited due to emergency response vehicles, accessible spaces, bus bays and timed on street parking. It is considered that given the significant uplift and intensification of the development, it is contended that such facility should be provided on site for the benefit of occupiers and visitors. The lack of such amenity provided on site is not considered to positively contribute to a vibrant and sustainable town centre.
69. Furthermore, the lack of a Phase 2 Preliminary Intrusive Investigation is not considered to confirm of the subject site is suitable for residential purposes.
70. In this regard, the proposal is not considered to adequately satisfy the objectives above.
(3) Clause 4.3 Height of Buildings
71. The prescribed a development standard of a maximum height of 39m. The proposal seeks a variation to this control as the proposed height is 42.87m (9.9% variation). A Clause 4.6 Exception to this development standard has been submitted for Council’s consideration.
(4) Clause 4.6 – Exception to Development Standards
Detailed assessment of variation to Clause 4.3 Height of Buildings
72. The Height of Buildings Map under KLEP 2012 prescribes a maximum building height as referenced on the maps equating to 39m.

Figure 11 – Ormonde Parade North Elevation indicating extent of height variation with 39m height of building line indicated in red (Source: Allen Jack Cottier Architects, 2018)

Figure 12 – Butler Road East Elevation indicating extent of height variation with 39m height of building line indicated in red (Source: Allen Jack Cottier Architects, 2018)
73. The proposal seeks a maximum height of 42.87m (measured to the top of the lift over-run at RL 48.95) and a maximum parapet height of 39.39m (RL113.4) along Ormonde Parade. The proposed height does not comply with the 39m height control of the Kogarah LEP 2012. The extent of the non-compliance, at the highest point being the top of the lift over-run centrally located on site equates to 3.87m or 9.9% above the 39m height limit. Other communal roof structures, toilet and stairwell also breach the height limit.
74. To support the non-compliance for the height of building, the applicant has provided a request for a variation to Clause 4.3 in accordance with Clause 4.6 of KLEP 2012 for the variation. Key points have been extracted from the applicant to justify the reasons for supporting the variation. This Clause 4.6 request for variation is assessed as follows;
Is the planning control in question a development standard?
75. Height of Buildings limitation under Clause 4.3 of the KLEP 2012 is a development standard.
What are the underlying objectives of the development standard?
76. The objectives of Height of Buildings standard under Clause 4.3 of KLEP 2012 are:
“(1) The objectives of this clause are as follows:
(a) to establish the maximum height for buildings,
(b) to minimise the impact of overshadowing, visual impact and loss of privacy on adjoining properties and open space areas,
(c) to provide appropriate scale and intensity of development through height controls.
77. The applicant has provided the following justification regarding the proposed variations and consistency with the above objectives.
78. Applicant’s Comments: Key extracts from the applicant’s justification are provided below.
a) “The proposed variation to the height standard is considered minor and does not relate to the entire building only parts of the building that are generally associated with the rooftop communal open space area. The non-compliance resulting from the provision of the lift overrun and fire stairs to the rooftop communal open space allows equitable access to this space that enhances the amenity for residents and visitors within the development without impacting on the amenity of surrounding properties…
d) Properties within the Hurstville Town Centre on the southern side of railway line are all zoned B4 – Mixed Use with a maximum height to 39m and it is anticipated that substantial redevelopment of the locality in a similar form to that currently proposed is likely to occur in the future.
However, within 200m of the site there are a number of developments that exceed the 39m height limit, including, a substantial sixteen (16) storey mixed use development under construction on the old ATO site to the west of the site and the “Empress Towers” to the south-east which is also sixteen (16) storeys. In addition, properties immediately on the northern side of the railway line on Forest Road have a maximum height limit of up to 60m.
It is considered that there is no homogenous character in the locality whereby a variation of the height control to the minor extent proposed would not prevent the achievement of objective (c) as the height of the proposed development is compatible and appropriate given the context of the site.

In view of the above, the requirement to strictly adhere to the numerical development standard for building height is considered to be unreasonable and unnecessary in this instance as the proposed development achieves and is consistent with the objectives of the standard”.
79. Officer Comment: The applicant’s justification is not supported. As shown on the building elevations (Figure 11 and 12), the extent of the height variation relates to the lift overrun, parapet and communal open space which is considered to be excessive and unnecessary given the overall height of the building. Whilst it is acknowledged that building heights to the north are greater in height than the subject sites controls, the Hurstville LEP 2012 heights are not considered to be relevant.
80. The height of the building results in unnecessary additional impacts of overshadowing or visual bulk, when compared to that of a numerically compliant building, the additional shadowing will fall to the south-west, south and south-east of the site. The resultant built form is considered to be out of character given the built form context of the Hurstville Town Centre and the desired future character of this locality.
81. Given the above, the extent of the proposed variation is considered to be inconsistent with the objectives of Clause 4.3, and is not considered to be acceptable.
What are the underlying objectives of the zone?
82. The objectives of Zone B4 Mixed Use are as follows:
· “To provide a mixture of compatible land uses.
· To integrate suitable business, office, residential, retail and other development in accessible locations so as to maximise public transport patronage and encourage walking and cycling.
· To encourage development that contributes to economic growth and employment opportunities.
· To encourage development that contributes to an active, vibrant and sustainable town centre.
· To provide opportunities for residential development, where appropriate”
83. Officer Comment: The applicant has provided justification for the extent of the variation on the basis of the following summarised reasons;
· The extent of the variation is minor and does not relate to the whole top floor which only relates to the lift overrun, communal open space and services. The provision of the roof top space affords good levels of amenity for residential occupants.
· The proposal is a high quality design and is well articulated, given this the proposed variation will not be significantly perceivable when viewed from the public domain.
· The proposed non-compliance does not result in any adverse amenity impacts regarding privacy, overshadowing, view loss or visual intrusion.
· The nearby “Grand H” due west of the site comprises of 16 storeys and the proposed exceedance in height would not be out of character with the area.
84. Officer Comment: The applicant’s justification is considered to be unreasonable and unsound given that the proposed exceedance is excessive and could be further reduced in height by a more contextually appropriate design. This could possibly be achieved by relocating units to lower levels which is likely to result in a compliant height of the building with communal open space and facilities, the lift over run and services below the 39m height limit.
85. The objectives for Clause 4.3 Height of Buildings development standard state the following:
“(1)
(a) to establish the maximum height for buildings,
(b) to minimise the impact of overshadowing, visual impact and loss of privacy on adjoining properties and open space areas,
(c) to provide appropriate scale and intensity of development through height control”.
86. The applicant has provided the justification within the Clause 4.6 Exception to Development Standard on the basis the key basis of context, minimal impact and benefits of providing communal open space and amenities on the roof top.
87. Officer Comment: The variation in height is to a maximum point of 42.87m or 9.9% which is considered to be unnecessary. The applicant’s justification is considered to be unreasonable whereby there is potential scope to reduce the building height. Further consideration has been applied to the variation in consideration with principles reaffirmed under the Initial Action Pty Ltd vs Woollahra Council [2018] NSWLEC 118 ‘Five Part Test’.
88. Written applications to vary development standards will not only address the above matters but may also address matters set out in the ‘five part test’ established by the NSW Land and Environment Court. Councils may choose to not only use the principles of Clause 4.6 and SEPP1 but also this five part test.
89. Court cases dealing with applications to vary development standards resulted in the Land and Environment Court setting out a five part test for consent authorities to consider when assessing an application to vary a standard to determine whether the objection to the development standards is well founded, consideration of these principles and extent of variation have been considered below.
|
1. the objectives of the standard are achieved notwithstanding non-compliance with the standard;
|
Applicant’s comment: “The proposed variation to the height standard is considered minor and does not relate to the entire building only parts of the building that are generally associated with the rooftop communal open space area. The non-compliance resulting from the provision of the lift overrun and fire stairs to the rooftop communal open space allows equitable access to this space that enhances the amenity for residents and visitors within the development without impacting on the amenity of surrounding properties
The proposed development is a high quality mixed development building that is well articulated using architectural elements, varied setbacks and materials to ensure that the development contributes positively to the streetscape and when viewed from surrounding lands and the public domain. |
|
|
Officer Comment: The applicant’s justification is not considered to be sound given that there is scope for the non-compliant elements above the permitted height of the building and could be relocated which would likely result in compliance and still provide good levels of occupant amenity. |
|
2. the underlying objective or purpose of the standard is not relevant to the development and therefore compliance is unnecessary;
|
Applicant’s comment: “It is considered that given the nature of surrounding land uses the areas of non-compliance with height do not result in any significant increase in adverse amenity impacts on these properties in terms of privacy, overshadowing, view loss or visual intrusion.
Strict compliance with the development standard would not improve the building’s relationship to its surroundings. The proposed design solution is considered to represent the best possible development outcome for the site, whilst ensuring the amenity of both existing development and future residents is preserved”. |
|
|
Officer Comment: Given the above, the proposal is considered to inconsistent with the objectives of the controls. It is considered that numerical compliance would result in reduced overshadowing impacts and minimisation of visual bulk. The proposed additional height is not considered to be consistent with the envisaged height of building built form. |
|
3. the underlying object of purpose would be defeated or thwarted if compliance was required and therefore compliance is unreasonable;
|
Applicant’s comment: “It is considered that there is no homogenous character in the locality whereby a variation of the height control to the minor extent proposed would not prevent the achievement of objective (c) as the height of the proposed development is compatible and appropriate given the context of the site”. |
|
|
Officer Comment: It is considered that strict numerical compliance would result in an improved benefit and reduction of material impacts relating to overshadowing and bulk and scale.
|
|
4. the development standard has been virtually abandoned or destroyed by the council’s own actions in granting consents departing from the standard and hence compliance with the standard is unnecessary and unreasonable; |
Applicant’s comment: “No comment provided by applicant.” |
|
|
Officer Comment: Council has previously supported variations to the height of building for lift overruns and communal open space. The extent of the variation is considered to be excessive compared to other approved residential flat buildings/mixed use developments within the locality given that there is potential scope to reduce the extent of the variation through a more skilful design. (Comment, this control for lift overruns and communal open space has been varied by Council and by the Court). |
|
5. the compliance with development standard is unreasonable or inappropriate due to existing use of land and current environmental character of the particular parcel of land. That is, the particular parcel of land should not have been included in the zone. |
Applicant’s comment: The applicant has made reference to greater height controls to the north of the site which allows a height up to 60m whereby contextual consideration should be applied. |
|
|
Officer Comment: The area north of the Railway Line under the Hurstville Local Environmental Plan 2012 The subject site and immediate surrounding area (South of the Railway line) to which the Kogarah LEP 2012 applies contains a prescribed height of building limit of 39m. Given the above the site is not considered to have an unreasonable height control. |
Is the variation to the development standard consistent with Clause 4.6 of the Hurstville LEP 2012?
90. Clause 4.6(1):
The objectives of this clause are as follows:
(a) to provide an appropriate degree of flexibility in applying certain development standards to particular development,
(b) to achieve better outcomes for and from development by allowing flexibility in particular circumstances.
91. Comment: Flexibility in applying the standard is not appropriate and the requisite levels of satisfaction require by the controls have been achieved in this case, given the variation to the lift overrun, roof of communal open space and services. The variation (at the highest point of the building being the lift over-run) is proposed to ensure appropriate access is available to the communal rooftop area, however this could be redesigned with the reconfiguration of the building and communal open space below the height of building.
92. Clause 4.6(2):
“Development consent may, subject to this clause, be granted for development even though the development would contravene a development standard imposed by this or any other environmental planning instrument. However, this clause does not apply to a development standard that is expressly excluded from the operation of this clause”
93. Comment: Clause 4.3 Height of Buildings is not excluded from the operation of Clause 4.6.
Clause 4.6(3):
“Development consent must not be granted for development that contravenes a development standard unless the consent authority has considered a written request from the applicant that seeks to justify the contravention of the development standard by demonstrating:
(a) that compliance with the development standard is unreasonable or unnecessary in the circumstances of the case, and
(b) that there are sufficient environmental planning grounds to justify contravening the development standard”
94. Comment: The applicant has provided a written variation request prepared by Devlin Planning which has provided justification that compliance with the standard is unreasonable or unnecessary and sufficient environmental planning grounds as discussed in detail within this report.
95. Clause 4.6(4):
“Development consent must not be granted for development that contravenes a development standard unless:
(a) the consent authority is satisfied that:
(i) the applicant’s written request has adequately addressed the matters required to be demonstrated by subclause (3), and”
96. Comment: The written request adequately addresses the matters in subclause (3). Strict compliance with the standard is unreasonable and unnecessary because the additional height is consistent with the objectives of the B4 Mixed Use zone and height of building standard as described above. It is considered that sufficient environmental planning grounds to justify contravening the standard given that the non-compliance provides for an improved amenity outcome while resulting in no adverse environmental impacts. Furthermore, it is common that mixed use development and residential buildings contain communal open space on the roof top with lift access.
(ii) the proposed development will be in the public interest because it is consistent with the objectives of the particular standard and the objectives for development within the zone in which the development is proposed to be carried out,
97. Comment: For the reasons detailed above, the height is considered to be inconsistent with the objectives of Clause 4.3 Height of Buildings and the B4 Mixed Use which does not minimise the impact of overshadowing and visual impact. The proposal is not considered to be an appropriate scale for the site.
(b) the concurrence of the Director-General has been obtained.
98. Comment: As the application seeks a variation to a Development Standard of below 10%, therefore concurrence is not required as delegation is with the Georges River Local Planning Panel.
Conclusion – Assessment of Clause 4.6 Request for Variation
99. The variation for 3.87m or 9.9% above the 39m height of building control resulting in a maximum building height of 42.87m is considered to be not well founded and unnecessary.
100. In a recent Court decision Initial Action Pty Ltd v Woollahra Municipal Council [2018] NSWLEC 118, Preston CJ further clarified the correct approach in the consideration of clause 4.6 requests. This advice further confirms that clause 4.6 does not require that a development that contravenes a development standard must have a neutral or better environmental planning outcome than one that does not. This is considered to be the case in this instance given the additional height sought and minimal impact generated.
101. As held in Randwick City Council v Micaul Holdings Pty Ltd [2016] NSWLEC 7 at [39], Preston CJ confirmed (at[25]) that the test in 4.6 (4)(a)(i) does not require the consent authority to directly form the opinion of satisfaction regarding the matters specified. Rather, it needs to do so only indirectly in forming its opinion of satisfaction that the applicant’s written request has adequately addressed the matters required to be demonstrated.
102. By contrast, the test in cl4.6(4)(a)(ii) requires that the consent authority must be directly satisfied about the matter in that clause (at[26]); namely that the development will be in the public interest because it is consistent with the objectives of the development standard and the objectives for development of the zone in which the development is proposed to be carried out.
103. The Clause 4.6 request has been considered and is concluded that overall, the non-compliance in this instance is unacceptable and the applicant’s request is not well founded. The extent of the variation is inconsistent with the objectives of both the zone and development standard and is not considered to be in the public interest.
Any other matters prescribed by the Regulations
104. The Regulations prescribe no other matters for consideration for the proposed development.
Development Control Plans
Kogarah Development Control Plan 2012
105. The proposed development is subject to the provisions of the KDCP. The proposal has been considered in accordance with the applicable controls within this subsection of Part B – General Controls and Part E Town Centres.
Section B2 - Tree Management and Green web
106. There are no trees located on the subject site and no trees on the Council reserves are proposed to be removed or impacted by the proposal. The proposal seeks to provide deep soil and tree planting along Butler Road in the form of a recess with planting. Additional planting is proposed on the north-west roof top area of Level 4, Level 5 and communal open space of Level 12. In this regard, the proposal seeks an improvement to the existing condition on site which is not inconsistent with the intended outcomes of this subsection.
Section B3 – Developments near busy roads and rail corridors
107. Acoustic assessments for noise sensitive developments as defined in clauses 87 and 102 of the Infrastructure SEPP may be required if located in the vicinity of a rail corridor or busy roads. The Illawarra Rail line is located north of the site. An acoustic assessment accompanies this proposal which is considered to be satisfactory. The recommendations within the acoustic report included glazing and insulation, have been proposed to satisfy the requirements of State Environmental Planning Policy (Infrastructure) 2007 and NSW Department of Planning’s Development near Rail Corridors and Busy Roads – Interim Guide. Council’s Co-ordinator Environmental Health did not raise any concerns regarding noise impacts. In this regard, the proposal satisfies the intent of this subsection.
Section B4 – Parking and Traffic
107. The proposal has been considered in accordance with the provisions within this subsection as follows.
|
Clause |
Relevant Requirements |
Proposed |
Complies |
|
1.1 Car parking requirements |
E2 Hurstville Town Centre requirements:
1.25 spaces per residential dwelling (23 space required)
1 visitor space per 5 dwellings (5 spaces required)
Tenancy on ground floor (117sqm):
Retail core: 1 space per 60sqm (3 spaces required)
or
Commercial core: 1 space per 30sqm (6 spaces required, however higher car parking rate applied)
Note* RMS Car parking rate Metropolitan Regional Centre (CBD) 0.4 spaces per 1 bedroom unit (2 spaces required)
0.7 spaces per 2 bedroom unit (13 spaces required)
1 space per 7 units for visitor parking (4 spaces required)
|
23
0
0
0
This is the criterion that applies to the residential component. |
Yes (1) refer to discussion. |
|
|
(3) It should be noted that the parking spaces required by this DCP are minimum numbers. Some uses, due to the nature of their operation, may warrant additional parking spaces and these may be required by Council. |
The proposal complies with car parking requirements under RMS Guide To Traffic Generating Development – CBD rates and Council’s commercial/retail car parking rates. |
Yes |
|
2. Car Parking Credit |
(3)The number of off street parking spaces may be reduced at Council’s discretion if the applicant can demonstrate a reduced parking need arising from:
(4)(i) Some of the required parking being provided by the applicant in a local public parking area. This includes applications that fall within a Section 94 Plan that requires a contribution to public parking provision.
(ii) The development being within 200m of a train station.
(iii) Where the development comprises mostly (greater than 75%) one bedroom units and/or studio apartments. (iv) The anticipated residents being unlikely to have cars. |
Council considered a concession to the commercial floor space and non-existent on site car parking to which no commercial/retail car parking is to be provided within Pre-DA 14/2017 which stated in the minutes “A variation to car parking, particularly for any proposed commercial use, is justified on the site as concession is granted for the existing commercial building on the site to be demolished”. It is noted that the existing building comprises of two storeys of commercial with no car parking on site. Consideration has been applied to the proposal whereby lesser floor area has been proposed, the credit for no car parking has been carried over. |
Yes |
|
2. Parking Credits |
(1) When determining how many car spaces your development may require, it is important to remember that you may be eligible for parking credits. |
A car parking credit has been applied to the existing building as discussed above given the constraints of the site. |
Yes |
|
|
(2) A parking credit is available when you are developing a site already occupied by a building. |
As discussed above. |
Yes |
|
|
(3) Provided your development retains the structure of the existing building you will be exempted from the parking requirements for the existing floor space. For example, if you wish to develop an existing 300m2 shop building into a 600m2 shop building, the parking requirement would only be for the additional 300m2, even if the existing building has no parking whatsoever. |
The proposal does not seek to retain the existing building as this is to be demolished. |
N/A |
|
|
(4) Alternatively, if you are changing the use of the existing building and the new use require more parking than the old use; your credit is for the original use, even though the floor space may not be increasing. For example, converting a warehouse with no parking into a shop, with no increase in floor space would still be required to provide extra parking but this will be for the shop requirement minus the warehouse requirement. |
The existing floor space of the two storey commercial building has been credited which is more than the ground floor commercial floor space proposed. A concession was considered within Pre-DA 14/2017 as discussed above.
|
Yes |
|
3. Bicycle Parking |
Commercial 1 space per 5 car parking spaces (0 spaces required)
Residential 1 space per 3 dwellings plus 1 space per 10 dwellings visitors (7 spaces required)
Bicycle spaces to be in accordance with Australian Standard 2890.3-1993 |
Nil, however can be provided on site within basement.
11 spaces provided within Level B1.
In accordance with Australian Standard. |
Yes subject to a condition.
Yes
Yes
|
|
4. Design and Layout of Car Parking Areas |
(1) Internal car park layouts, space dimensions, ramp grades, access driveways, internal circulation aisles and service vehicle areas shall be designed in accordance with the requirements set out in AS 2890.1 (2004) and AS 2890.2 (2002) for off street parking and commercial vehicles. |
The proposal is unlikely to comfortably accommodate a loading bay and allow a vehicle to exit in a forward direction without a significant redesign. |
No (2) – Refer to discussion below. |
|
|
(2) Parking areas should be physically separated from those vehicular spaces used by non-residential and residential development. Separate driveways should be provided for the use of residents and service/ customer vehicles accessing non-residential development. |
The proposal seeks to provide residential car parking only. As stated above, the proposal will require the provision of a loading bay which can be used for retail purposes. The current configuration is likely to conflict with vehicular manoeuvrability without a substantial redesign. |
No (2) – Refer to discussion below. |
|
|
(3) Basement car parking is to be located within the building footprint. |
The four proposed basements levels are located beneath the building footprint. |
Yes |
|
|
(4) Car parking areas may be designed as ground level parking provided that the design results in building frontages level with the street |
Car parking areas are all located below ground level on B1-B4. |
Yes |
|
|
(5) Design parking to ensure pedestrian safety. |
The proposal has not demonstrated adequate sightlines in relation to pedestrian safety and vehicular sightlines for the driveway. Council’s Senior Traffic Engineer has raised this as a concern regarding vehicle and pedestrian safety given the location of the proposed driveway. |
No (2) – Refer to discussion below. |
|
|
(6) Include natural ventilation to basement and semi basement car parking. |
Mechanical ventilation is to be provided given it I a commercial centre, given the context and location to the rail corridor. |
No (3) – Refer to discussion below. |
|
|
(7) Integrate ventilation design into the façade of the building, or parking structure, treating it with appropriate features such as louvres, well designed grilles, planting or other landscaping elements. |
As above, the proposal is to be mechanically ventilated. |
No (3) – Refer to discussion below. |
|
|
(8) Design driveways to minimise visual impact on the street and maximize pedestrian safety. |
The driveway is located within the north-western corner of the site and is accessed from Ormonde Parade and is well integrated into the design being the only viable location given the tangent points from Ormonde Parade and Butler Road. |
Yes |
|
|
(9) Ensure that all vehicles, including vehicles using loading bays, can enter and leave the site in a forward direction |
The proposal has not provided a loading bay. The provision of a loading bay will need to be designed so that the vehicle can enter and leave the site in a forward direction. To accommodate this, a significant redesign is required. |
No (1) – Refer to discussion below. |
|
|
(10) Avoid locating accessways to driveways adjacent to the doors or windows of habitable rooms |
Accessways are located away from habitable doors and windows. |
Yes |
|
|
(11) Design vehicular access in accordance with the current Australian Standard for ‘off-street parking (Part 1) ‘and ‘off-street carparking for commercial vehicles (Part 2)’ |
The proposal has not provided a loading bay for commercial vehicles on site. |
No (1) – Refer to discussion below. |
|
5.Loading Requirements |
(1) Loading bay facilities are to be provided at the following rates: Retail: floor area 15sqm to 500sqm – 1 bay required
Design of Loading Bay Facilities: Minimum bay width = 3.5m, Minimum bay length for 1 bay – 9.5m
|
The proposal has not provided a loading bay for commercial vehicles on site to service a retail use given that the ground floor is a commercial use, a subcategory of this use forms retail which is permissible within this zone. |
No (4) – Refer to discussion below. |
(1) Car parking
108. The proposal complies with the Guide for Traffic Generating Development in accordance with the minimum residential car parking requirements prescribed under State Environmental Planning Policy No 65 - Design Quality of Residential Apartment Development. It is noted that during the pre-lodgement 14/2017 a concession was considered to varying the car parking for the commercial use given that the existing commercial building with greater commercial floor area was to be demolished and currently does not contain any car parking. In this regard, the proposal has technically provided compliant levels of car parking on site. It is noted that whilst car parking complies, the applicant’s Statement of Environmental Effects requests that all the car spaces are to be allocated to the residential units with no residential visitor spaces or commercial/retail spaces.
109. The vehicles accessing the basement are loved from the entry to the lower four (4) level via a car lift, there are not access ramps proposed. Council’s Traffic Engineering in the assessment of this application have raised issues with the queuing of vehicles waiting for the level to take a single vehicle to the required basement level and return. The analysis was not undertaken and provided to Council to assess. The application is considered unacceptable without the furnishing of this information.
(3) Mechanical Ventilation
110. Council’s controls required that the basement or semi-basement be naturally ventilated. The proposal seeks four (4) levels of basement below the building footprint with a commercial/retail ground floor. The applicant stated that the proposal is to be mechanically ventilated. Given that the site is located within the Hurstville City Centre and the proposed ground floor level directly adjoins the Council reserve on Butler Road and Ormonde Parade which contain similar levels, the proposed mechanical ventilation is considered to be suitable to create a desirable interface to the street.
(4) Loading Bay
111. Council’s controls require one (1) loading bay to be provided on site given as the ground floor tenancy as a retail use is permissible. As such a loading bay is required and be designed to comply with the Australian Standards, having a minimum dimension of 3.5m in width and 9.5m in length. As this has not been provided and its inclusion would result in a redesign of the building and as such the development has not demonstrated the ground floor tenancy can be adequately serviced by commercial vehicles.
(3) Sight lines
112. Clause 4 - Design and Layout of Car Parking Areas subclause (5) states design parking to ensure pedestrian safety. Council’s Senior Traffic Engineer has commented that a sight line analysis has not been provided to demonstrate adequate vehicle and pedestrian safety when navigating the driveway.
Section B5 Waste Management and Minimisation
113. A Waste Management Plan has been submitted with the application which is acceptable which describes the disposal, recycling and reuse of materials as part of the construction process and ongoing development. The proposal seeks to provide two waste storage areas, of which one is allocated to service the residential units and one is to service commercial/retail use. The proposal seeks a collection point within the property along the entry of the internal driveway. Council’s Coordinator Environmental Sustainability has examined the application and the nominated bin locations and is considered the development satisfies Council’s requirements.
Section B6 Water Management
114. The stormwater management system is supported by Council’s Development Engineer subject to conditions.
Section B7 Environmental Management
115. This section primarily relates to the building materials used in the development and their sustainability qualities. The proposed contemporary material and finishes are considered appropriate for the site and immediate context. This does not result in adverse environmental issues and is considered to be low maintenance for the mixed use development. The proposed choice of materials and finishes were generally supported by the Design Review Panel.
Part - E Town Centres
Section E2 Hurstville Town Centre
116. The Hurstville Town Centre controls contain specific site controls of which have been considered as per below.
|
Clause |
Relevant Requirements |
Proposed |
Complies |
|
3.1 Amalgamation and Site Isolation Requirements |
Where a property will be isolated by a proposed development and that property cannot satisfy the minimum lot requirements, then the applicant must submit to Council, with the development application, the following information:
(1) Correspondence indicating that negotiations between the owners of the properties commenced prior to the lodgement of the development application.
(2) Where no satisfactory result is achieved from the negotiations, the development application should include documentation to demonstrate that reasonable attempts have been made to incorporate the adjoining site/s into the redevelopment and documentation of the negotiations between the owners of the properties. This documentation must include copies of correspondence between parties and any formal financial offers and responses to offers. If necessary, Council may require the proponent to fund an independent valuation report.
(3) Where it has been shown that reasonable efforts have been undertaken to facilitate amalgamation of the isolated properties, and where no resolution can be reached between the parties,
Council may request that applicants include with their development application a plan of adjoining isolated lots which shows a schematic design of how the site/s may be developed.
(4) Council will then make assessment of the application, taking into account the level of negotiations undertaken and whether reasonable offers were made to purchase the isolated site.
Note: A reasonable offer, for the purposes of determining the development application and addressing the planning implications of an isolated lot, is to be based on at least one recent independent valuation and may include other reasonable expenses likely to be incurred by the owner of the isolated property in the sale of the property. |
There is no amalgamation pattern for this subject site or adjoining properties. It is noted that the site adjoins the Hurstville Police Station to the west and Fire and Ambulance Service to the south, given the adjoining key emergency services it is considered that amalgamation with adjoining properties appear unlikely. |
Yes |
|
3.2 Building Envelopes |
The following requirements are in addition to the provisions contained within the specific Block and Site controls. The provisions of Part 2 – General Controls of this DCP also apply with respect to development in the Hurstville Town Centre. |
The proposal seeks a variation to the number of storeys referenced in the DCP. |
No (1) -Refer to discussion below. |
|
3.2.1 Building Zones |
There is a 3m building zone which faces the streets. Modulation including balconies can be provided within this three metre zone. All buildings are to follow the street alignment. |
The proposal provides sufficient modulation along Ormonde Parade and Butler Road which provides visual interest. |
Yes |
|
3.2.2 Floor Space Calculations |
Proposal to comply with floor space calculations |
The proposal was amended to comply with the maximum permitted floor space of 4.5:1 under the KLEP. |
Yes |
|
3.2.3 Height |
Commercial storey: 3.6m floor to floor height
Residential: 3m floor to floor height |
3.82m is this different to the figure quoted earlier in this report.
3.1m |
Yes
Yes |
|
3.3 Land Use |
Ground floor to incorporate commercial/retail facing the street. |
The proposal incorporates one ground floor retail/commercial tenancy fronting Ormonde Parade and Butler Road |
Yes |
|
3.4 Active Street Frontages |
All ground floor levels in buildings should incorporate retail/commercial uses to active the street. Residential and or commercial should be provided at upper levels. |
As discussed above, the proposal has provided an active street frontage. Residential levels are located on levels 1 – 11. |
Yes |
|
3.5 Windows in Party Walls |
To comply with BCA |
Can achieve compliance with BCA. |
Yes |
|
3.6 Roof Structures |
Lift over-runs, plant equipment and communication devices are the like, are to be integrated into the design of the building |
Lift over-runs, roof top communal open space are well integrated into the overall design and façade of the building. |
Yes |
|
3.7 Awnings |
Cantilevered awnings are to be provided in most streets. Details are outlined in Section 7 – Site Specific Controls |
No specific controls relate to this regarding cantilevered awnings however awnings are provided along both the Butler Road and Ormonde Parade Street interfaces. |
Yes |
|
3.8 Balconies |
Residential apartments are to have at least one balcony with a minimum size of 8 square metres and a minimum width of 2 metres. Balconies must be primarily recessed into building structures and any projections are not to extend more than one metre from the building facade |
Each unit contains a balcony which meets this criterion. Furthermore, each balcony exceeds the minimum area and dimensions under SEPP 65. |
Yes |
|
3.10 Acoustic and Visual Privacy – Rail Noise |
Objectives of subsection to be satisfied. Acoustic report to be provided. |
A satisfactory acoustic report was provided as the site adjoins the Illawarra Eastern Suburbs Rail line to the north. The recommendations within the acoustic report included glazing and insulation requirements are proposed to satisfy State Environmental Planning Policy (Infrastructure) 2007 and the NSW Department of Planning’s Development near Rail Corridors and Busy Roads – Interim Guide. |
Yes |
|
4.1. Waste Removal and Recycling |
To minimise the number of waste containers on the street all major developments are to provide waste and recycling facilities which can be accessed by a waste removal vehicle standing fully within the site. These are to be unobtrusive and not to cause a nuisance to adjoining premises.
On small sites where this is not possible due to lack of access, waste and recycling is to be located within the building or a designated area on site and taken to the street at the appropriate time |
The proposal provides two waste storage areas on site with a waste removal area located within the driveway. |
Yes |
|
4.2 Loading Dock |
All major developments are to have a loading dock on site for the delivery or removal of goods. The dock is to be located so that the service vehicle stands fully within the site. |
No loading dock provided |
No – Previously addressed within Section B4 Car parking and Traffic. |
|
5.1 Streetscape |
Section 94 Contributions Plan No. 4 - Streetscape Improvement - Hurstville Town Centre outlines contributions payable for residential and retail/commercial development for improvements to the streetscape of the Town Centre. |
Section 7.11 (former S94) Contributions applicable. |
Yes – however the application is not supported. |
|
5.2 Landscaping |
All the lower level rooftop areas and courtyards in the centre of blocks are to be landscaped with substantial deep soil planting. Pools and recreation facilities are acceptable in courtyards providing that there is sufficient area remaining for substantial landscaping. |
Reasonable levels of landscaping are provided within a recess along Butler Road, on roof spaces and within the communal rooftop area |
Yes |
|
5.3 Overhead Cables |
Developers are to pay for all cables in the street adjacent to their development, to be placed underground |
No overhead cables along the reserve in front of the site along Butler Road or Ormonde Parade |
Yes |
|
6.1 Car Parking Rates |
Car parking requirements to comply with subsection. |
Previously addressed within Section B4 Car Parking and Traffic within this report |
No – Previously addressed within Section B4 Car parking and Traffic. |
|
6.2 Car Parking Requirements |
Any additional spaces required are to be provided through a monetary contribution. This contribution will be levied under Section 94 Contribution Plan No. 3 Car Parking - Hurstville Town Centre and is used to provide public car parking facilities in Hurstville. |
A shortfall of commercial car parking has been credited within Pre-DA 14/2017. |
Yes |
117. Site specific controls apply the site as follows.
|
Section 7
Block 33 – 36-36A Ormonde Parade and 1 Butler Road |
Relevant Requirements |
Proposed |
Complies |
|
|
Existing Condition
This site has a seven storey commercial building which houses the Emergency Services. No building envelope has been prepared for Site 33A.
Design Principles
7 storey commercial or 1 storey commercial plus 7 storey residential
Build to street alignment. |
The proposal seeks a built form of 1 storey of commercial plus 11 storeys of residential above and a roof top communal open space. Despite the variation in the number of storeys the proposed residential unit components comply with the height of building KLEP control of 39m with the exception of the top of parapet, lift overrun, and common open space structures.
The proposal seeks a 450mm boundary alignment along Butler Road and 700mm Ormonde Parade at most points. However the proposal seeks a residential component of which the ADG setbacks prevail. |
No (1) refer to discussion.
Yes |
(1) Number of storeys
118. Section 7 Block 33 – 36-36A Ormonde Parade and 1 Butler Road prescribes an envisaged built form of one storey of commercial and plus 7 storeys of residential above or seven (7) storeys of commercial. The proposal seeks a variation to this control by seeking eleven storeys plus rooftop communal open space. Whilst the proposal results in a variation to the number of storeys envisaged which, the proposal for the most part complies with the maximum KLEP height of building of 39m, the exception to this is the communal open space and lift overrun which result in a maximum building height of 42.87m however as previously discussed within this report, the Clause 4.6 Exception to Development Standard for the additional height of building is not supported.
Section 94 Contributions
119. As the proposal is not supported for the reasons contained within this report, Development Contributions to do not apply.
SUBMISSIONS
120. The original proposal was notified and amended plans renotified in accordance with the provisions of the Kogarah Development Control Plan 2013 (KDCP2013) for a period of 14 days on two (2) separate occasions (due to the impact greater of the amended plans). In response one (1) submission was originally received objecting to the proposal raising the issue of limited access information available on Council’s website. In response to this concern raised, it is noted that the required notification documentation was available on Council’s website for public viewing.
REFERRALS
121. The development application was referred to the relevant officers within Council. The comments of these officers are outlined as follows.
Council Referrals
Tree Officer
122. The application was reviewed by Tree Officer who raised no concerns regarding the proposal subject to conditions.
Building Surveyor
123. The application was reviewed by Council’s Building Surveyor who supported the proposal subject to conditions.
Environmental Health Officer
124. The application was reviewed by Council’s Co-ordinator Environmental Health who supported the proposal subject to conditions.
Traffic Engineer
125. The application has been reviewed by Council’s traffic engineer whom has raised the following key concerns with the proposal;
· A loading bay is required for this development. The applicant has not included a loading bay in the proposal. Council’s Traffic Engineers have advised that this should be provided on site and allow for vehicles to exit in a forward direction.
· A queuing analysis should be undertaken to ensure that no adverse traffic and manoeuvrability issues arise.
· A sight line analysis should be undertaken to ensure that appropriate sightlines are provided for vehicles and pedestrians.
· It is also noted that the proposed location of the driveway removes an on street emergency vehicle car space and requires the relocation of signage along Ormond Parade. This requires approval from the Traffic Committee and further endorsement by Council.
126. Planning comment: Given the above, the requirement for a loading bay would likely be difficult to be achieved without the need for the significant relocation and reconfiguration of car parking, lift core, stair access and services. Additional information regarding queuing and sight lines would also be required to ensure that no adverse traffic and safety impacts arise from the development.
Drainage Engineer
127. The application was reviewed by Council’s Development Engineer whom supported the proposal subject to conditions.
Waste/Environmental Services
128. The application has been reviewed by Council’s Coordinator Environmental Sustainability Officer whom supported the proposal subject to conditions.
External Referrals
Sydney Trains
129. A formal referral was made to Sydney Trains on 21 January 2019 pursuant to Clause 86 (Excavation in, above, below or adjacent to rail corridors) of State Environmental Planning Policy (Infrastructure) 2007 with twenty one days to response. Council’s records indicate that no response was received within or after this timeframe. In response, comments were received from Sydney Trains on 9 April 2019 which detailed if the application was able to be supported any favourable determination would need to be via deferred commencement, with the following to be provided and approved by Sydney Trains within for twenty-four (24) months of the determination, namely:
· Provision of a geotechnical report;
· Structural details;
· Construction methodology;
· A detailed survey plan; and
· A possible FE analysis and monitoring plan.
Additional conditions have been recommended as part of prior to the issue of a construction certificate and during the Construction Certificate stages.
130. A formal referral was made to Ausgrid on 7 November 2018 pursuant to State Environmental Planning Policy (Infrastructure) 2007. In response, Council received comments on 5 December 2018 which supported the proposal subject to conditions.
New South Wales Department of Infrastructure, Regional Development and Cities
131. A revised formal referral was made to New South Wales Department of Infrastructure, Regional Development and Cities on 18 January 2019. In response, comments were received on 15 February 2019 which advised Council to further liaise with Sydney Airport.
Sydney Airport
132. A formal referral was made to Sydney Airports on 19 January 2019. In response, Council received comments on 28 February 2019 which supports the maximum height of building at 113.8m (AHD) subject to conditions.
IMPACTS
Natural Environment
133. The proposed development is likely to generate adverse impact to the natural environment given the absence of a Phase 2 Preliminary Intrusive Investigation. It is considered that the proposal has not reasonably satisfied the provisions of State Environmental Planning Policy No 55 - Remediation of Land therefore it is considered that the proposal has not demonstrated that the proposal is suitable for the subject site.
Built Environment
134. The proposed development is likely to result in adverse impacts to the built environment. As previously stated within this report, the proposal does not provide adequate vehicular amenity for future occupants and visitors.
Social Impacts
135. The proposal has not provided a traffic queuing calculation and sight line analysis for the vehicles and driveway entry and exit which is considered to create a material impact regarding safety.
Economic Impacts
136. The proposed development is likely to generate adverse economic impacts due to the lack of an onsite loading bay which is considered to detract from the functionality of the retail tenancy on the ground floor and the residential component given the constrained road network and the lack of on street parking.
Suitability of the Site
137. The proposed physical built form is of a scale and design that is suitable for the site having regard to its size, shape, topography and relationship to adjoining developments. Whilst the subject site does not contain any impediments that would preclude it or compromise its suitability for the intended land use as proposed. The proposal lacks the provision an onsite loading bay which is considered to detract from the future amenity and functionality of the site. Furthermore, a stage 2 contamination report is required to ensure that the site is suitable for the intended purpose under State Environmental Planning Policy No 55 - Remediation of Land.
Public Interest
138. The proposal is not considered to be in the public interest for the reasons contained within this report.
CONCLUSION
139. The development application has been assessed having regard to the Matters for Consideration under Section 4.15 of the Environmental Planning and Assessment Act 1979, the provisions of the relevant State Environmental Planning Policies, Local Environmental Plans and Development Control Plans.
140. The application DA2017/0402 for demolition of existing commercial building, construction of mixed use development comprising of one (1) ground floor commercial/tenancy and twelve storeys of residential above with twenty three (23) units, four levels of basement car parking on land known as 1 Butler Road, Hurstville is recommended to be determined by way of refusal under the provisions of Section 4.16(1)(b) of the Environmental Planning and Assessment Act 1979.
DETERMINATION AND STATEMENT OF REASONS
Statement of Reasons
· The proposed development does not provide adequate vehicular amenity for future retail occupants. To facilitate this requirement, this would likely require a significant redesign to the current proposal to achieve compliance.
· The proposal in its current form due to the lack of onsite loading bay is inconsistent with the desired future character envisaged for the Hurstville Town Centre.
· The proposal has not demonstrated that the proposed use is not suitable for the subject site in consideration with the provisions contained within State Environmental Planning Policy No 55 - Remediation of Land.
· The Clause 4.6 Exception to Development Standard to Clause 4.3 Height of Building is not well founded and is not supported.
Determination
A. THAT the Georges River Local Planning Panel does not support the request for a 9.9% variation of the height control under Clause 4.6 of Kogarah LEP 2012. In relation to the height controls contained in Clause 4.3 of Kogarah LEP 2012.
B. THAT Pursuant to Section 4.16(3) of the Environmental Planning and Assessment Act 1979, as amended, the Georges River Local Planning Panel determine DA2017/0402 for demolition of existing commercial building, construction of mixed use development comprising of one (1) ground floor commercial/tenancy and twelve storeys of residential above with twenty three (23) units, four levels of basement car parking on Lot 2 DP 547762 known as 1 Butler Road, Hurstville is to be refused for the following reasons;
1. Refusal Reason - Environmental Planning Instrument - Pursuant to Section 4.15(1)(a)(i) of the Environmental Planning and Assessment Act 1979, the proposed development does not comply with the relevant environmental planning instruments in terms of the following:
Kogarah Local Environmental Plan 2012
a) The proposal does not satisfy Part 1, Clause 1.2 Aims of the Plan being;
· To guide the orderly and sustainable development of Kogarah
b) The proposal does not does not adequately satisfy the objectives of B4 Mixed Use within the Kogarah Local Environmental Plan 2012 being;
· To encourage development that contributes to economic growth and employment opportunities.
· To encourage development that contributes to an active, vibrant and sustainable town centre.
c) The proposal significantly exceeds the height of building which does not form part of the desired future character of the area for the site.
d) The Clause 4.6 Exception to Development Standard to Clause 4.3 Height of Building is not well founded and is not supported.
2. Refusal Reason - Environmental Planning Instrument - Pursuant to Section 4.15(1)(a)(i) of the Environmental Planning and Assessment Act 1979, the proposed development does not comply with the relevant environmental planning instruments in terms of the following:
State Environmental Planning Policy No 55 - Remediation of Land
a) The proposal has not adequately satisfied the provisions contained within the SEPP whereby a Phase 2 Preliminary Intrusive Investigation has not been provided for Council’s consideration.
3. Refusal Reason - Development Control Plan - Pursuant to Section 4.15(1)(a)(iii) of the Environmental Planning and Assessment Act 1979, the proposed development does not comply with the following sections of Kogarah Development Control Plan 2013:
a) Section B4 – Parking and Traffic - The proposal does not comply with Section B4 Car Parking within the Kogarah Development Control Plan 2012. The proposal has not provided adequate information in relation to traffic queuing and sight lines for pedestrian and vehicular safety.
4. Refusal Reason - Impacts on the Environment - Pursuant to Section 4.15(1)(b) of the Environmental Planning and Assessment Act 1979, the proposed development is likely to have an adverse impact on the following aspects of the environment:
a) The proposal is considered to result in adverse impacts to the natural impact as a Phase 2 Intrusive assessment has not been provided
b) The proposal is considered to result in adverse built environment, social and economic impacts due to the lack of the provision of an onsite loading bay, traffic queuing study and sight line analysis.
5. Refusal Reason - Suitability of Site - Pursuant to Section 4.15(1)(c) of the Environmental Planning and Assessment Act 1979, the site is not considered suitable for the proposed development for the following reasons:
a) The proposal has not provided a Phase 2 Intrusive assessment to ascertain if the subject site is suitable for the proposed development.
b) The proposal has not provided an onsite loading bay, traffic queuing study and sight line analysis.
6. Refusal Reason - Public interest - Pursuant to Section 4.15(1)(e) of the Environmental Planning and Assessment Act 1979, the proposed development is not considered to be in the public interest. The proposal is deficient to such an extent a significant redesign would be required necessitating the need for a new development application.
|
Attachment ⇩1 |
Revised Site Plan and Elevations - 1 Butler Road Hurstville |
|
Attachment ⇩2 |
Revised Clause 4.6 variation - Height - 240119 - 1 Butler Road Hurstville |
|
Georges River Council - Georges River Local Planning Panel (LPP) - Thursday, 18 April 2019 LPP013-19 1 Butler Road Hurstville [Appendix 1] Revised Site Plan and Elevations - 1 Butler Road Hurstville |
Page 72 |










|
Georges River Council – Local Planning Panel Thursday, 18 April 2019 |
Page 83 |
REPORT TO GEORGES RIVER COUNCIL
LPP MEETING OF Thursday, 18 April 2019
|
LPP Report No |
LPP014-19 |
Development Application No |
DA2019/0020 |
|
Site Address & Ward Locality |
51 Laycock Road, Penshurst Blakehurst Ward |
||
|
Proposed Development |
Construction of landscape works and associated water feature within the front setback of the subject allotment. |
||
|
Owners |
Dr John Sivewright and Ms Kerrie Kemp |
||
|
Applicant |
Dr John Sivewright and Ms Kerrie Kemp |
||
|
Planner/Architect |
Living Image Landscape Architects |
||
|
Date Of Lodgement |
21/01/2019 |
||
|
Submissions |
Nil Submissions Received |
||
|
Cost of Works |
$10,000.00 |
||
|
Local Planning Panel Criteria |
Demolition works to a heritiage item |
||
|
List of all relevant s.4.15 matters (formerly s79C(1)(a)) |
Greater Metropolitan Regional Environmental Plan No 2 – Georges River Catchment, State Environmental Planning Policy No 55, Kogarah Local Environmental Plan 2012, State Environmental Planning Policy (Vegetation in Non-Rural Areas) 2017 Kogarah Development Control Plan 2013
|
||
|
List all documents submitted with this report for the Panel’s consideration |
Architectual Plans Heritage Impact Statement Statement of Environmental Effects
|
||
|
Report prepared by |
Development Assessment Planner |
||
|
|
Summary of matters for consideration under Section 4.15 Have all recommendations in relation to relevant s4.15 matters been summarised in the Executive Summary of the assessment report? |
Yes |
|
Legislative clauses requiring consent authority satisfaction Have relevant clauses in all applicable environmental planning instruments where the consent authority must be satisfied about a particular matter been listed and relevant recommendations summarised, in the Executive Summary of the assessment report? |
Yes |
|
Clause 4.6 Exceptions to development standards If a written request for a contravention to a development standard (clause 4.6 of the LEP) has been received, has it been attached to the assessment report? |
No
|
|
Special Infrastructure Contributions Does the DA require Special Infrastructure Contributions conditions (under s7.24)? |
Not Applicable |
|
Conditions Have draft conditions been provided to the applicant for comment? |
No, standard conditions have been attached and can be reviewed by the applicant when the application is published. |
|
Site Plan
Figure 1: Subject site outlined in red |
Executive Summary
Proposal
1. Council is in receipt of a development application (DA2019/0020) seeking consent to complete landscaped works that have not commenced within the front setback of the heritage listed dwelling house. The proposal is seeking consent for the following works not yet commenced:
· Restoration of pavers within the existing driveway;
· Side boundary landscape hedging;
· Plantation of six (6) new Prunus Oakville ‘Crimson Spire’ trees within the front setback;
· Construction of a formal Victorian-style garden within the existing semi-circular driveway in the front setback which will encompass;
- paved paths;
- low sandstone retaining walls;
- a central water fountain;
- a bird bath; and
- two feature statues.
· A 3.150m high Victorian styled street lamp located in front of the water fountain and behind the front fence to be used as a garden lamp.
2. Works have commenced on site, but have since ceased awaiting the assessment of this Development Application and the assessment and determination of the Building Certificate (149D2019/0013) lodged in relation to the work which had commenced without prior development consent, namely:
· Trenching works;
· Concrete edges of the garden beds;
· Trenches for peripheral garden beds and lawn edges;
· Concrete bases (reinforcement in situ) poured in trenches to support the stone edging surrounding the path, fountain base and the edge of the garden;
· Extension of the concrete base of the fountain towards the front pedestrian gates & walkways;
· Concrete pad/slab for the fountain, including pipe work for the following:
- To pump water into the fountain from the recirculating pump;
- Provide an overflow at 250mm from the base of the fountain to maintain the correct depth at all times; and
- Drainage of the pond to a holding pit for pond cleaning & maintenance.
· Low voltage conduit to accommodate the lighting the in fountain;
· Two (2) Pits being:
- A fountain pump and
- An overflow pit;
· Restoration and maintenance of the front fence, namely re-rendering the brickwork and treatment of the cast ironwork with rust preventer. The fence was painted in similar hues to that existing, being red spears painted in Victorian red and the brickwork and rendered gate posts and fence-work painted in a slightly different hue but in similar tone. The original detailing of the fence posts and rendered brickwork was outlined in gold paint.
Site and Locality
3. The subject site is located on the south western side of Laycock Road between Railway Parade to the north west and Hillcrest Avenue to the south aast. The allotment is predominantly regular in shape with a frontage of 30.41m, a 52.93m south eastern side boundary, a 52.93m north western side boundary and a 29.11m rear boundary and a total site area of approximately 1,574sqm.

Figure 2: Proposed Landscape/Site Plan – 51 Laycock Road, Penshurst

Figure 3: Works Already Completed – 51 Laycock Road, Penshurst
4. The subject site contains a two storey dwelling house listed as a heritage item under Schedule 5 of the Kogarah Local Environmental Plan 2012 (KLEP). The heritage item is known as “House and Garden, Kintail” and identified as Item Number 140.
5. The allotment is located within an established residential area of Penshurst (under the former Kogarah Local Government Area) and is surrounded by both single and two storey dwellings. In addition, the allotment is also surrounded by the following heritage items:
· Laycock Road street trees - (item No. 138) located along Laycock Road;
· Stables, Kintail - (item No. 141) located at 57 Laycock Road;
· Penshurst Reservoirs and pumping station - (item No. 139) located to the North of the subject site. Please refer to figure 3 below.
· House – (item No. 142) located at 72 Pacific Avenue.
Figure 3 - Council’s Heritage Map identifying
the Local Heritage Items.
6. It is noted that the inner proposed footings demonstrated in figure 3 have not been dug and the applicants are no longer seeking to dig these footings. A letter from the applicant has been attached highlighting this.
Zoning and Permissibility
7. The subject site is zoned R2 - Low Density Residential under the provisions of the KLEP 2012. The proposed fountain and associated landscaping, bird bath and street lamp (to be installed within the front setback), these works are considered to be ancillary to the permissible use being a ‘dwelling house’ as per the KLEP 2012.
Submissions
8. The proposal was placed on public notification from 20 February 2019 to 8 March 2019. During the notification period no submissions were received.
Conclusion
9. The proposed development complies with the planning controls and objectives of KLEP 2012 and the proposal does not seek any variations to the provisions of the Kogarah Development Control Plan (KDCP 2013).
Council’s Heritage Officer has reviewed the application and has raised no concerns with the proposal.
Following a detailed assessment of the application, this proposal, is recommended for approval subject to the conditions at the end of this report.
Report in Full
Proposal
10. Council is in receipt of a development application (DA2019/0020) seeking consent to complete landscaped works that have not commenced within the front setback of the heritage listed dwelling house. The proposal is seeking consent for the following works not yet commenced:
· Restoration of pavers within the existing driveway;
· Side boundary landscape hedging;
· Plantation of six (6) new Prunus Oakville ‘Crimson Spire’ trees within the front setback;
· Construction of a formal Victorian-style garden within the existing semi-circular driveway in the front setback which will encompass;
- paved paths;
- low sandstone retaining walls;
- a central water fountain;
- a bird bath; and
- two feature statues.
· A 3.150m high Victorian styled street lamp located in front of the water fountain and behind the front fence to be used as a garden lamp.
11. Works have commenced on site, but have since ceased awaiting the assessment of this Development Application and the assessment and determination of the Building Certificate (149D2019/0013) lodged in relation to the work which had commenced without prior development consent, namely:
· Trenching works;
· Concrete edges of the garden beds;
· Trenches for peripheral garden beds and lawn edges;
· Concrete bases (reinforcement in situ) poured in trenches to support the stone edging surrounding the path, fountain base and the edge of the garden;
· Extension of the concrete base of the fountain towards the front pedestrian gates & walkways;
· Concrete pad/slab for the fountain, including pipe work for the following:
- To pump water into the fountain from the recirculating pump;
- Provide an overflow at 250mm from the base of the fountain to maintain the correct depth at all times; and
- Drainage of the pond to a holding pit for pond cleaning & maintenance.
· Low voltage conduit to accommodate the lighting the in fountain;
· Two (2) Pits being:
- A fountain pump and
- An overflow pit;
· Restoration and maintenance of the front fence, namely re-rendering the brickwork and treatment of the cast ironwork with rust preventer. The fence was painted in similar hues to that existing, being red spears painted in Victorian red and the brickwork and rendered gate posts and fence-work painted in a slightly different hue but in similar tone. The original detailing of the fence posts and rendered brickwork was outlined in gold paint.
The Site and Locality
12. The subject site is legally identified as Lot 2 in Deposited Plan 16253, which is commonly known as 51 Laycock Road, Penshurst. The allotment is regular in shape and has a site area of 1,574sqm. The slope of the allotment has a natural fall of 1.3m from the north eastern frontage to the south west being the rear.
The site currently accommodates a two storey heritage listed dwelling house. The heritage listed dwelling house is identified under Schedule 5 (Environmental Heritage) of the KLEP (2012) as “House and Garden, Kintail” and identified as Item Number 140.
The allotment is surrounded by residential uses containing a mix of one (1) and two (2) storey dwelling houses and is located approximately 280m from a railway corridor and Penshurst Station.
The allotment is also surrounded by the following Heritage Items:
- ‘Laycock Road street trees’ (item No. 138) located along Laycock Road;
- ‘Stables, Kintail’ (item No. 141) located at 57 Laycock Road;
- ‘Penshurst Reservoirs and pumping station’ (item No. 139) located to the North-west of the subject site as identified in figure 3.
- ‘House’ – (item No. 142) located at 72 Pacific Avenue.
Background
13. On 2 August 2016 Council issued a tree removal permit in accordance with Council’s Tree Management Strategy and clause 5.9 of Kogarah LEP 2012 (now repealed) which allowed the owners to remove a number of trees on site which were undesirable species and poorly located. The following trees were permitted to be removed:-
|
Tree 1-3 |
|
|
Species of Tree |
Olea europaea x 3 |
|
Approved Works |
remove |
|
Description |
· Undesirable species |
|
Tree 4-7 |
|
|
Species of Tree |
Magnolia grandiflora |
|
Approved Works |
Remove |
|
Description |
· Suppressed canopy |
|
Tree 8-10 |
|
|
Species of Tree |
Liquidambar styraciflua x 3 |
|
Approved Works |
Remove |
|
Description |
· Poor location · Unevenly weighted |
|
Tree 11-12 |
|
|
Species of Tree |
Jacaranda mimosifolia |
|
Approved Works |
Remove |
|
Description |
· Poor Structure |
|
Tree 13-14 |
|
|
Species of Tree |
Camelia japonica |
|
Approved Works |
Remove |
|
Description |
· Poor location |
|
Tree 15 |
|
|
Species of Tree |
Castanospermum australe |
|
Approved Works |
Remove |
|
Description |
· Included bark between the co dominant stems |
14. A stop work order was issued on 6 July 2018 to the applicant, as they commenced works without prior development approval. As such a Development Application, the subject of this report, was lodged on 21 January 2019 seeking Council approval to complete the works commenced. A Building Certificate application has also been lodged with Council on 20 March 2019 to address work already carried out. The following works have been completed without approval:
· Trenching works;
· Concrete edges of the garden beds;
· Trenches for peripheral garden beds and lawn edges;
· Concrete bases (reinforcement in situ) poured in trenches to support the stone edging surrounding the path, fountain base and the edge of the garden;
· Extension of the concrete base of the fountain towards the front pedestrian gates & walkways;
· Concrete pad/slab for the fountain, including pipe work for the following:
- To pump water into the fountain from the recirculating pump;
- Provide an overflow at 250mm from the base of the fountain to maintain the correct depth at all times; and
- Drainage of the pond to a holding pit for pond cleaning & maintenance.
· Low voltage conduit to accommodate the lighting the in fountain;
· Two (2) Pits being:
- A fountain pump and
- An overflow pit;
· Restoration and maintenance of the front fence, namely re-rendering the brickwork and treatment of the cast ironwork with rust preventer. The fence was painted in similar hues to that existing, being red spears painted in Victorian red and the brickwork and rendered gate posts and fence-work painted in a slightly different hue but in similar tone. The original detailing of the fence posts and rendered brickwork was outlined in gold paint.
15. The building certificate No 149D2019/0013 lodged on 21 March 2019 for works that have been completed is currently under assessment. The Certification Team have advised the application is capable of being favourably determined subject to the applicant providing suitable structural engineering certification for the structural work completed.
16. The applicants have provided a letter detailing some minor design changes to their proposal. They are no longer seeking to dig the inner set of footings associated with the landscaping works framing the fountain. A copy of the letter is attached to this report. This will be reflected in a recommended condition of consent.
Planning Assessment
17. The site has been inspected and the proposed development has been assessed under the relevant section 4.15 (1) “Evaluation” of the Environmental Planning and Assessment Act 1979.
Environmental Planning Instruments
State Environmental Planning Policies
Greater Sydney Metropolitan Regional Environmental Plan No 2 – Georges River Catchment (Deemed SEPP)
18. All stormwater from the proposed development can be treated in accordance with Council’s Water Management Policy and will satisfy the relevant provisions of the Deemed State Environmental Planning Policy – Georges River Catchment.
State Environmental Planning Policy No 55 – Remediation of Land
19. Council records indicate that the subject site has been historically used for residential purposes and is unlikely to be contaminated. The site adjoins residential uses therefore contamination from adjoining uses is also unlikely.
State Environmental Planning Policy (Vegetation in Non-Rural Areas) 2017
20. The
Vegetation SEPP regulates clearing of native vegetation on urban land and land
zoned for environmental conservation/management that does not require
development consent.
21. In this instance the Vegetation SEPP does not apply to the subject site.
Draft Environmental Planning Instruments
22. The Draft Environment SEPP was exhibited from 31 October 2017 to 31 January 2018. This consolidated SEPP proposes to simplify the planning rules for a number of water catchments, waterways, urban bushland, and Willandra Lakes World Heritage Property. Changes proposed include consolidating the following seven existing SEPPs:
· State Environmental Planning Policy No. 19 – Bushland in Urban Areas;
· State Environmental Planning Policy (Sydney Drinking Water Catchment) 2011;
· State Environmental Planning Policy No. 50 – Canal Estate Development;
· Greater Metropolitan Regional Environmental Plan No. 2 – Georges River Catchment;
· Sydney Regional Environmental Plan No. 20 – Hawkesbury-Nepean River (No.2-1997);
· Sydney Regional Environmental Plan (Sydney Harbour Catchment) 2005;
· Willandra Lakes Regional Environmental Plan No. 1 – World Heritage Property;
23. The proposal is not inconsistent with the provisions of this Draft Instrument.
Local Environmental Plan
24. The extent to which the proposal complies with the relevant standards of Kogarah Local Environmental Plan 2012 (KLEP, 2012) is outlined in the table below:
Table 1: Kogarah Local Environmental Plan 2012 Compliance Table
|
Applicable LEP Clause |
Standards |
Proposal |
Compliance |
|
Heritage Conservation (Clause 5.10) |
(2) Requirement for consent Development consent is required for any of the following:
(a) demolishing or moving any of the following or altering the exterior of any of the following (including, in the case of a building, making changes to its detail, fabric, finish or appearance):
(i) a heritage item, (ii) an Aboriginal object, (iii) a building, work, relic or tree within a heritage conservation area,
(b) altering a heritage item that is a building by making structural changes to its interior or by making changes to anything inside the item that is specified in Schedule 5 in relation to the item,
(c) disturbing or excavating an archaeological site while knowing, or having reasonable cause to suspect, that the disturbance or excavation will or is likely to result in a relic being discovered, exposed, moved, damaged or destroyed,
(d) Disturbing or excavating an Aboriginal place of heritage significance,
(4) Effect of proposed development on heritage significance The consent authority must, before granting consent under this clause in respect of a heritage item or heritage conservation area, consider the effect of the proposed development on the heritage significance of the item or area concerned. This subclause applies regardless of whether a heritage management document is prepared under subclause (5) or a heritage conservation management plan is submitted under subclause (6).
(5) Heritage assessment The consent authority may, before granting consent to any development:
(a) on land on which a heritage item is located, or
(b) on land that is within a heritage conservation area, or
(c) on land that is within the vicinity of land referred to in paragraph (a) or (b),
require a heritage management document to be prepared that assesses the extent to which the carrying out of the proposed development would affect the heritage significance of the heritage item or heritage conservation area concerned.
(6) Heritage conservation management plans The consent authority may require, after considering the heritage significance of a heritage item and the extent of change proposed to it, the submission of a heritage conservation management plan before granting consent under this clause. |
The proposed development is seeking approval for landscaped works within the front setback of the subject site as well as installing a water feature (fountain). In addition, some restoration work has already been undertaken such as rendering of the front fence and the applicants are also seeking to restore/replace broken pavers within the existing driveway. The changes to the heritage item are supported and considered sympathetic to the principle dwelling.
Council has considered the proposed development to have a positive impact on the heritage item “Kintail”. The proposed development is seeking to add and restore landscaping within the front setback, as well as incorporating a feature (fountain) being Victorian in styling to be consistent with the Victorian detailing reflected on the dwelling. The fountain and associated works is considered to be sympathetic to the Heritage item.
In September 2018, Council advised the owners that a Heritage Impact Statement needed to be prepared by a qualified Heritage Professional and a Development Application be lodged for the works they were seeking, which are the basis of the DA before Council.
The proponents have provided a Heritage Impact Statement which discusses the proposal and what the potential impacts of the works within the front setback of the site will have on the heritage site.
The proponents have submitted a Heritage Impact Statement which addresses the likely impacts of the proposed development on the heritage significance of the site.
This has been reviewed by Council’s Heritage Consultant is considered to be acceptable subject to a condition. |
Yes
Yes
Yes
Yes
|
|
Earthworks (Clause 6.2) |
(1) The objective of this clause is to ensure that earthworks for which development consent is required will not have a detrimental impact on environmental functions and processes, neighbouring uses, cultural or heritage items or features of the surrounding land.
(2) Development consent is required for earthworks unless: (a) the earthworks are exempt development under this Plan or another applicable environmental planning instrument, or
(b) the earthworks are ancillary to development that is permitted without consent under this Plan or to development for which development consent has been given.
(3) Before granting development consent for earthworks (or for development involving ancillary earthworks), the consent authority must consider the following matters:
(a) The likely disruption of, or any detrimental effect on, drainage patterns and soil stability in the locality of the development,
(b) The effect of the development on the likely future use or redevelopment of the land,
(c) The quality of the fill or the soil to be excavated, or both,
(d) The effect of the development on the existing and likely amenity of adjoining properties,
(e) The source of any fill material and the destination of any excavated material,
(f) The likelihood of disturbing relics,
(g) The proximity to, and potential for adverse impacts on, any waterway, drinking water catchment or environmentally sensitive area,
(h) Any appropriate measures proposed to avoid, minimise or mitigate the impacts of the development. |
The proposal is seeking amendments to the landscaping provisions of the Heritage item; this includes the restoration of the front fence, driveway and associated landscaped works which are ancillary to the dwelling house “Kintail”. There have been minor earthworks within the front setback of the heritage site. The water feature is proposed within the front setback of the Heritage site and therefore requires consent.
It is considered that the proposal will have minimal impact on the drainage patterns and soil stability.
The excavation works have already been undertaken and the fill will comprise of the existing topsoil that was excavated. The soil which has been excavated will be reused and is not likely to be contaminated as the site and its adjoining neighbours have only been used for residential purposes. Some topsoil will be imported subject to AS4419 as per the submitted landscape plan, prepared by Living Image Landscape Architects dated 15 March 2019.
|
Yes
Yes |
Development Control Plans
Kogarah Development Control Plan 2013
25. The proposed development is subject to the provisions of the Kogarah Development Control Plan 2013 (KDCP 2013). The following comments in the table below are made with respect to the proposal satisfying the key objectives and controls contained within the KDCP 2013.
Table 2: KDCP 2013 Part B1 – Heritage Items and Heritage Conservation
areas
|
Applicable DCP Clause |
Standards |
Proposal |
Compliance |
|
General Controls (Clause 1.1) |
(1) The relevant requirements of Clause 5.10 of KLEP 2012 are to be addressed for any development relating to a heritage item.
(2) Where a heritage management document and/or heritage conservation management plan is required to be submitted to Council, this is to be prepared by an appropriately qualified professional. |
Refer to Table 1
The Heritage Impact Statement provided to Council has been prepared by Dov Midalia a Senior Heritage Consultant. |
Yes
Yes |
|
Heritage Conservation Areas (Clause 2)
|
(1) Any development in the Heritage Conservation Areas is to address and respond to the requirements of the relevant Heritage Conservation Area Guidelines contained in Appendix 1.
(2) New development must demonstrate how it respects the heritage values of the Heritage Conservation Area (as detailed in the Heritage Conservation Area guidelines).
(3) Council may require the submission of a heritage management document that assesses the extent to which the carrying out of the proposed development would affect the heritage significance of the Heritage Conservation Area [Clause 10(5) of KLEP 2012]. |
Character (Clause 8.1 of Appendix 1) The proposed water feature is of a form, style and finish which does not detract from the character of the original building.
It has been demonstrated that the proposed water feature will encompass an octagonal pond and fountain base to compliment the octagonal features of the house such as octagonal window bays and verandas. The proposal has been constructed this way to reflect the Victorian styled home and contribute as an ancillary to the home by reflecting such a theme throughout the design.
The proponents have provided a Heritage Impact Statement prepared by a Senior Heritage Consultant which details how the development will contribute to the heritage site by adding visual amenity and reflecting the already existing Victorian styled theme of the subject site. |
Yes
Yes
Yes |
Table 3: KDCP 2013 Part C – Low Density Residential
|
Applicable DCP Clause |
Standards |
Proposal |
Compliance |
|
Open Space (Clause1.3) |
(1) 15% of the site area must be deep soil landscaped area.
0.15 X 1574.8 = 236.2sqm
(2) Private open space should be adjacent to and visible from the main living and/or dining rooms and be accessible from those areas.
(3) Development should take advantage of opportunities to provide north facing private open space to achieve comfortable year round use.
(4) Where soil and drainage conditions are suitable, unpaved or unsealed landscaped areas should be maximised and designed to facilitate on site infiltration of stormwater.
(5) Existing significant trees and vegetation must be incorporated into the proposed landscape treatment. |
The proposal is seeking to have approximately 604sqm of deep soil landscaped area or 38%
The proposal is not seeking to amend or change the existing private open space area.
The development is not seeking to amend or change the existing private open space area.
Landscaping is maximized and designed to facilitate infiltration of stormwater
There has been a condition imposed by Council to ensure the protection and retention of the trees identified. |
Yes
N/A
N/A
Yes |
Heritage Significance
26. The existing dwelling house is identified as a “heritage item” of local significance in Part 1 of Schedule 5 in KLEP 2012. In addition, other heritage items such as the “Laycock Road street trees” located along Laycock Road, “Stables, Kintail” (item No. 141) located at 57 Laycock Road and ‘Penshurst Reservoirs and pumping station’ (item No. 139) located to the North of the subject site.
The proposal involves:
· Adding a Victorian styled water fountain, bird bath, sundial and landscaping within the front setback;
· A Victorian styled street lamp within the front setback as an ancillary to the water feature and the dwelling house;
· Landscaping works within the north-western and south-eastern side boundaries.
27. The applicants have submitted the following information addressing the significance and impact of the heritage item below, the statement indicates that:
“Kintail is historically significant as it represents grand substantial residential development on the top of the hill overlooking the bay. The building acts as a landmark at the apex of Laycock Road. The Victorian filligree mansion is rare within the locality and in the regional. This mansion has been fully restored including the grounds and outbuildings. This is a large, well preserved and well restored Victorian mansion with excellent details, on a dominant site with panoramic views. It is well complemented by the drive, gates and street trees”.
• The house, driveway and front fence including gates, which together form a major heritage presentation to the street, will be retained.
• The style of landscaping proposed, with a formal arrangement of paths, plants and ornaments including statuary, a fountain and a birdbath, is typical of Victorian-era gardens (as described in Section 5) and thus well suited to the character of the original Kintail Estate and the existing house.
• Significant views along Laycock Street, within the Penshurst Heritage Conservation Area generally and of the other heritage items in the vicinity will not be obstructed or adversely altered. Views of the subject heritage listed house will be enhanced, allowing increased visibility and public appreciation, thus enhancing the significance of the Conservation Area.
• The heritage listed street trees will not be physically affected, and no views of them will be obstructed or adversely altered”.
28. Officer Comment: The application has been reviewed by Council’s Heritage Consultant who advised that the application and the works already completed have been of minimal heritage impact and ultimately, contributes to enhancing the sensory appeal and aesthetic quality of the landscaped garden setting and curtilage to the heritage item.
The proposed works are an interpretation of a late Victorian period garden theme. The octagonal garden beds, pond and fountain are considered to be contributory and complimentary to the existing octagonal features of the dwelling house, such as the octagonal window bays and verandas. The birdbath, sundial, lamp post and statues are also seen as of Victorian nature and as such compliment the house. This proposal is considered acceptable and on reviewing the plans, the proposed landscaping works incorporate features that will be complementary to the character and significance of the heritage item. The existing cast iron gates and stone posts along the front boundary will be retained, with the new works integrating to suit the existing configuration of gate openings. The proposal is considered acceptable by Council.
IMPACTS
Natural Environment
29. The proposal is not seeking the removal of any trees or landscaping on site but rather is seeking to add more landscaping and trees within the front setback. Therefore the proposal is considered to be acceptable in terms of impacts on the natural environment.
Built Environment
30. The proposal will not have any major impacts on the built environment. The proposed works will not alter the existing condition or built form of the dwelling house. The proposed water feature within the front setback will have a maximum height of 1.5m. The antique cast iron street lamp is proposed to have a maximum height of 3.150m and is located between the water feature and the front fence.
31. In particular, as detailed throughout this report, the proposal is considered to be acceptable in terms of impacts on the Heritage Item within the site, and has been supported by Council’s Heritage Advisor.
Social and Economic Impact
32. The proposed development will not result in any adverse social and/or economic impacts on the locality. The proposal will allow for the visual amenity of the site to be restored and will encompass more of a heritage feel to the front setback. Thus, promoting social positivity for residents in the heritage conservation area.
Suitability of the site
33. It is considered that the proposed development is of a scale and design that is suitable for the site having regard to its size and shape, its topography and relationship to adjoining developments.
SUBMISSIONS AND THE PUBLIC INTEREST
34. The proposal was publicly notified in the Leader from 20 February 2019 to 8 March 2019 during which time no submissions were received.
Council Referrals
Landscape/Tree Management Officer
35. The proposal was reviewed by Council’s Landscape Management Officer to ascertain whom then concluded that the two Phoenix canariensis, Jacaranda mimosifolias and Syzigium Spp be protected and retained whilst all construction work is being undertaken and that an AQF 5 Horticulturist shall be engaged and in writing certify that all trees have been planted as per landscape plan and forwarded to the Principal Certifying Authority.
Heritage Advisor
36. The Applicants have submitted a Heritage Impact Statement alongside a Statement of Environmental Effects clarifying the works that have already been completed and the proposed works that they are seeking. These documents alongside the submitted architectural plans were reviewed by Council’s Heritage Consultant and the indicative works are considered to be appropriate and the application is considered satisfactory and supportable is discussed in paragraph 18 above
Development Engineer
37. Council’s Development Engineer is satisfied that the proposed development will have no adverse impacts.
Building Certifier
38. The building certificate No 149D2019/0013 lodged on 21 March 2019 for works that have been completed is currently under assessment. The Certification Team have advised the application is capable of being favourably determined subject to the applicant providing suitable structural engineering certification for the structural work completed.
Development Contributions
39. Under the provisions of the Georges River Council Section 94A Contributions Plan 2017 the development is not subject to a Section 7.12 (former Section 94A Contribution) contribution as the proposed costs of works registered with Council do not exceed $100,000.00. No contributions have been levied.
Conclusion
40. This application has been assessed having regard to the matters for consideration under Section 4.15 (1) of the Environmental Planning and Assessment Act 1979, the provisions of the applicable SEPP’s, KLEP 2012 and KDCP 2013.
Following a detailed assessment it is considered that on planning grounds DA2019/0020 is worthy of approval subject to conditions below.
DETERMINATION AND STATEMENT OF REASONS
41. Statement of Reasons
· The proposed development complies with the requirements of the relevant environmental planning instruments and development control plan.
· The proposed development satisfies the Heritage criteria of the site and is considered to have a positive impact upon the heritage significance of the dwelling.
· The proposed development is considered to be appropriate for the site and the character of the locality. Subject to the implementation of the recommended conditions, the development will have no unacceptable adverse impacts upon the natural or built environment.
· In consideration of the aforementioned reasons, the proposed development is a suitable and planned use of the site and its approval is in the public interest.
Determination
42. Pursuant to Section 4.16(1) of the Environmental Planning and Assessment Act 1979 (as amended), the Georges River Local Planning Panel grants development consent to Development Application No. DA2019/0020 for the addition of a water fountain and associated landscaped works within the front setback of the site at Lot 2 in Deposited Plan 16253, at 51 Laycock Road, Penshurst, subject to the conditions below:
Specific Development Conditions
Section A – Development Details
1. Approved Plans - The development must be implemented in accordance with the approved plans and supporting documentation listed below which have been endorsed by Council’s approved stamp, except where marked up on the plans and/or amended by conditions of this consent
|
Description |
Reference No. |
Date |
Revision |
Prepared by |
|
Site Plan |
07818-00 |
18/03/2019 |
D |
Livingimage Landscape Architects, P Cummins |
|
Section Plan |
07818-01 |
18/03/2019 |
D |
Livingimage Landscape Architects, P Cummins |
Section B – Separate Approvals Required Under Other Legislation
2. Section 138 Roads Act 1993 and Section 68 Local Government Act 1993 - Unless otherwise specified by a condition of this consent, this Development Consent does not give any approval to undertake works on public infrastructure.
Separate approval is required under Section 138 of the Roads Act 1993 and/or Section 68 of the Local Government Act 1993 for any of the following activities carried out in, on or over a public road (including the footpath) listed below.
An application is required to be lodged and approved prior to the commencement of any of the following works or activities;
(a) Placing or storing materials or equipment;
(b) Placing or storing waste containers or skip bins;
(c) Erecting a structure or carrying out work
(d) Swinging or hoisting goods over any part of a public road by means of a lift, crane or the like;
(e) Pumping concrete from a public road;
(f) Pumping water from the site into the public road;
(g) Constructing a vehicular crossing or footpath;
(h) Establishing a “works zone”;
(i) Digging up or disturbing the surface of a public road (eg Opening the road for the purpose of connections to utility providers);
(j) Stormwater and ancillary works in the road reserve;
(k) Stormwater and ancillary to public infrastructure on private land; and
(l) If any excavation is to be supported by the use of below ground (cable) anchors that are constructed under Council’s roadways/footways.
These separate activity approvals must be obtained and evidence of the approval provided to the Certifying Authority prior to the issue of the Construction Certificate.
The relevant Application Forms for these activities can be downloaded from Council’s website www.georgesriver.nsw.gov.au. For further information, please contact Council’s Customer Service Centre on (02) 9330 6400.
Section C - Prior to the Issue of a Construction Certificate
3. Fees to be paid - The fees listed in the table below must be paid in accordance with the conditions of this consent and Council’s adopted Fees and Charges applicable at the time of payment (available at www.georgesriver.nsw.gov.au).
Payments must be made prior to the issue of the Construction Certificate or prior to the commencement of work (if there is no associated Construction Certificate).
Please contact Council prior to the payment of Section 7.11 Contributions to determine whether the amounts have been indexed from that indicated below in this consent and the form of payment that will be accepted by Council.
Council will only accept Bank Cheque or Electronic Funds Transfer (EFT) for transaction values of $500,000 or over. Council must be contacted prior to payment to determine correct total amount to be paid and bank account details (if applicable).
A summary of the fees to be paid are listed below:
|
Fee Type |
Fee |
|
GENERAL FEES |
|
|
Long Service Levy (to Long Service Corporation) Or, provide evidence of Payment direct to the Long Service Corporation. See https://portal.longservice.nsw.gov.au/bci/levy/ |
|
|
Builders Damage Deposit |
$1,900.00 |
|
Inspection Fee for Refund of Damage Deposit |
$155.00 |
General Fees
The fees and charges above are subject to change and are as set out in the version of Council's Schedule of Fees and Charges or as required by other Government Authorities, applicable at the time of payment.
4. Damage Deposit - Minor Works - In order to insure against damage to Council property the following is required:
(a) Pay Council, before the issue of the Construction Certificate, a damage deposit for the cost of making good any damage caused to any Council property as a result of the development: $1,900.00
(b) Pay Council, before the issue of the Construction Certificate, a non-refundable inspection fee to enable assessment of any damage and repairs where required: $155.00
(c) Submit to Council, before the commencement of work, a photographic record of the condition of the Council nature strip, footpath and driveway crossing, or any area likely to be affected by the proposal.
At the completion of work Council will inspect the public works, and the damage deposit will be refunded in full upon completion of work where no damage occurs. Otherwise the amount will be either forfeited or partly refunded according to the amount of damage.
5. Site Management Plan
Minor Development
A Site Management Plan detailing all weather access control points, sedimentation controls, fencing, builder’s site sheds office, amenities, materials storage and unloading arrangements must be submitted with the application for the Construction Certificate.
6. Erosion & Sedimentation Control - Erosion and sediment controls must be provided to ensure:
(a) Compliance with the approved Erosion & Sediment Control Plan
(b) Removal or disturbance of vegetation and top soil is confined to within 3m of the approved building area (no trees to be removed without approval)
(c) All clean water runoff is diverted around cleared or exposed areas
(d) Silt fences, stabilised entry/exit points or other devices are installed to prevent sediment from entering drainage systems or waterways
(e) All erosion and sediment controls are fully maintained for the duration of demolition, excavation and/or development works
(f) Controls are put into place to prevent tracking of sediment by vehicles onto adjoining roadway
(g) All disturbed areas are rendered erosion-resistant by turfing, mulching, paving or similar
(h) Compliance with Managing Urban Stormwater - Soils and Construction (Blue Book) produced by Landcom 2004.
These measures are to be implemented prior to the commencement of work (including demolition and excavation) and must remain until works are completed and all exposed surfaces are landscaped/sealed.
7. Waste Management Plan - A Waste Management Plan incorporating all requirements in respect of the provision of waste storage facilities, removal of all materials from the site that are the result of site clearing, extraction, and, or demolition works and the designated Waste Management Facility shall be submitted to the Certifying Authority prior to the issue of any Construction Certificate.
8. Landscape Plans - All landscape works shall be carried out in accordance with the approved landscape plans and specifications, drawn by Living Image Landscape Architects, reference numbers – Rev D, 07818 – 00. The landscaping shall be maintained in accordance with the approved plans in perpetuity.
General Landscape Requirements
(a) The proposed tree and plant species, pot/ bag size and quantities of plants shall be in accordance with the proposed plant schedule upon the landscape plan. If plant species, pot/ bag size and quantities cannot be sourced, Council shall be contacted for alternatives.
(b) All trees proposed upon the approved landscape plan shall comply with NATSPEC Specifying Trees: a guide to assessment of tree quality (2003), and be planted and maintained in accordance with Councils standard specification.
(c) If the planted trees and plants are found to be faulty, damaged, dying or dead within twelve (12) months of planting then they must be replaced with the same species. If the trees are found dead before they reach a height where they are protected by Councils Tree Management Controls, they must be replaced with the same species and pot/bag size.
(d) A certificate of compliance for the planting of all trees and shrubs proposed for the site. An AQF 5 Horticulturist shall be engaged and in writing certify that all trees have been planted as per landscape plan and specifications and forwarded to the PCA – Principal Certifying Authority.
9.
Tree Protection and Retention - The following
trees shall be retained and protected:
|
Tree Species |
Location of Tree / Tree No |
Tree Protection Zone (metres) |
|
Phoenix canariensis x2 |
Councils street verge fronting site |
3.0 metres |
|
Jacaranda mimosifolia |
Within site front yard, south fence line |
4.8 metres |
|
Syzigium Spp |
Within site front yard, south fence line |
3.6 metres |
Details of the trees to be retained must be included on the Construction Certificate plans.
- The client shall engage a qualified Arborist who holds an AQF Level 5 or above in Arboriculture and who is a current financial member of Arboriculture Australia – AA and or Institute of Australian Consulting Arboriculturists – IACA
- A certificate of compliance for tree protection measures shall be completed and forwarded to the PCA – Principal Certifying Authority, before works, during works and once all building works have been completed, that tree protection measures have been installed and maintained during the building process.
General Tree Protection Measures
(a) All trees to be retained shall be protected before and maintained during demolition, excavation and construction of the site.
(b) The tree protection measures must be in undertaken in accordance AS4970 -2009 Protection of trees on development sites.
(c) Details of the tree protection measures to be implemented must be provided with the application for a Construction Certificate by a suitably qualified Arborist who holds an AQF Level 5 or above in Arboriculture and who is a current financial member of Arboriculture Australia – AA and or Institute of Australian Consulting Arboriculturists – IACA.
(d) The Project Arborist must be present on-site during the stages of excavation, demolition and construction when works are being undertaken that could impact on the tree canopy or root zone within the tree protection zone of each tree.
(e) To preserve the following trees – Phoenix canariensis x 2, no work shall commence nor shall a Construction Certificate be issued (whichever occurs first) until the trunk/ branches are protected, in accordance with AS4970 -2009, Protection of trees on development sites, by the placement of two metre long lengths of 50mm x 100mm timber battens vertically arranged around the trunk, with 100mm spacing’s and over geo woven fabric padding material. The timber battens shall be secured by wire/ hoop straps but not secured into the tree itself. The trunk/ branch protection shall be maintained intact until the completion of all works upon the site.
(f) The Tree Protection Zone of each tree, to be protected, shall be watered thoroughly and regularly to minimise the effects of construction works.
(g) No building products/ materials or services shall be installed within the TPZ of the tree/s unless approved by Council. This fence shall be kept in place during demolition, construction and also have a sign displaying ‘Tree Protection Zone – DO NOT ENTER’ attached to the fence and must also include the name and contact details of the Project Arborist.
Excavation works near tree to be retained
(a) Excavations around the trees to be retained on site or the adjoining properties shall be supervised by the Project Arborist to ensure that the root system will not adversely be affected.
(b) Where the Tree Protection Zone (TPZ) of trees on site or adjoining sites become compromised by any excavation works, the Project arborist shall be consulted to establish the position of any major roots and determine the necessary measures to protect these roots. The recommendations of the Arborist shall be submitted to Council prior to any further demolition or construction works taking place.
(c) Tree Protection Zone around the trees to be retained are not to have soil level changes, building product / materials stored or services installed in this area. Any structures proposed to be built in this area of the trees are to utilise pier and beam or cantilevered slab construction.
Details satisfying this condition shall be shown on the Construction Certificate plans.
A copy of the Hurstville City Council’s Tree Removal and Pruning Guidelines and Kogarah City Council, Street Tree Management Strategy and Masterplan, can be downloaded from Council’s website www.georgesriver.nsw.gov.au.
10. Deletion of structural walls – the inner ring of the footings and walls framing the proposed fountain are to be removed from the Construction Certificate Plan as referenced in the correspondence dated 3 April 2019 received by Georges River Council on 5 April 2019.
Prior to the Commencement of Work (Including Demolition & Excavation)
11. Dial before your dig - The applicant shall contact “Dial Before You Dig on 1100” to obtain a Service Diagram prior to the issuing of the Construction Certificate. The sequence number obtained from “Dial Before You Dig” shall be forwarded to the Principal Certifying Authority (PCA) and Council for their records.
During Construction
12. Site sign - Soil & Erosion Control Measures - Prior to the commencement of works (including demolition and excavation), a durable site sign, issued by Council in conjunction with this consent, must be erected in a prominent location on site. The site sign warns of the penalties which apply to pollution, storing materials on road or footpath and breaches of the conditions relating to erosion and sediment controls. The sign must remain in a prominent location on site up until the completion of all site and building works.
13. Hours of construction for demolition and building work - Any work activity or activity associated with the development consent that requires the use of any tools (including hand tools) or any power operated plant and machinery that creates noise on or adjacent to the site shall not be performed, or permitted to be performed, except between the hours of 7.00 am to 5.00 pm, Monday to Saturday inclusive. No work or ancillary activity is permitted on Sundays, or Public Holidays.
Note: A penalty infringement notice may be issued for any offence.
14. Ground levels and retaining walls - The ground levels of the site shall not be excavated, raised or filled, or retaining walls constructed on the allotment boundary, except where indicated on approved plans or approved by Council.
15. Cost of work to be borne by the applicant - The applicant shall bear the cost of all works associated with the construction of the development that occurs on Council property. Care must be taken to protect Council's roads, including the made footway, kerbs, etc., and, where plant and vehicles enter the site, the footway shall be protected against damage by deep-sectioned timber members laid crosswise, held together by hoop iron straps and chamfered at their ends. This construction shall be maintained in a state of good repair and condition throughout the course of construction.
16. Obstruction of Road or Footpath - The use of the road or footpath for the storage of any building materials, waste materials, temporary toilets, waste or skip bins, or any other matter is not permitted unless separately approved by Council under Section 138 of the Roads Act 1993 and/or under Section 68 of the Local Government Act 1993. Penalty infringement Notices may be issued for any offences and severe penalties apply.
17. Waste Management Facility - All materials removed from the site as a result of demolition, site clearing, site preparation and, or excavation shall be disposed of at a suitable Waste Management Facility. No vegetation, article, building material, waste or the like shall be ignited or burnt.
Copies of all receipts for the disposal, or processing of all such materials shall be submitted to the PCA and Council, where Council is not the Principal Certifying Authority.
18. Excavation works near tree to be retained - Excavation around the tree/s to be retained on site or the adjoining properties shall be supervised by the Project Arborist to ensure that the root system will not be adversely affected.
Where the Tree Protection Zone of trees on site or adjoining sites become compromised by any excavation works, the Project Arborist shall be consulted to establish the position of any major roots and determine the necessary measures to protect these roots. The recommendations of the Arborist shall be submitted to Council prior to any further demolition or construction works taking place.
19. Archaeology - As required by the National Parks and Wildlife Service Act 1974 and the Heritage Act 1977, in the event that Aboriginal cultural heritage or historical cultural fabric or deposits are encountered/discovered where they are not expected, works must cease immediately and Council and the Heritage Division of the Office of Environment and Heritage (OEH) must be notified of the discovery.
In the event that archaeological resources are encountered, further archaeological work may be required before works can re-commence, including the statutory requirement under the Heritage Act 1977 to obtain the necessary approvals/permits from the Heritage Division of the OEH.
Note: The National Parks and Wildlife Service Act 1974 and the Heritage Act 1977 impose substantial penalty infringements and / or imprisonment for the unauthorised destruction of archaeological resources, regardless of whether or not such archaeological resources are known to exist on the site.
20. Retention of existing front boundary fence - The existing front boundary fence (comprising the cast iron palisade panels, driveway and pedestrian pathway gates, and stone fence posts) shall be retained in-situ and suitably protected.
No removal of any part of the fence shall be permitted at any time, including for construction access and any conservation works shall be undertaken in-situ.
21. Quality of soil to be used for the fill - The fill will comprise of the existing topsoil that was excavated. The soil which has been excavated will be reused. Some topsoil may be imported to AS.4419 as per the submitted landscape plan, prepared by Living Image Landscape Architects dated 15 March 2019.
Operational Conditions (On-Going)
22. Maintenance of Landscaping - All trees and plants forming part of the landscaping must be maintained. Maintenance includes watering, weeding, removal of rubbish from tree bases, fertilizing, pest and disease control, replacement of dead or dying plants and any other operations required to maintain healthy trees, plants and turfed areas.
23. Outdoor Lighting - To avoid annoyance to the occupants of adjoining premises or glare to motorist on nearby roads, outdoor lighting must comply with AS 4282-1997: Control of the obtrusive effects of outdoor lighting.
24. Amenity of the neighbourhood - The implementation of this development shall not adversely affect the amenity of the neighbourhood or interfere unreasonably with the comfort or repose of a person who is outside the premises by reason of the emission or discharge of noise, fumes, vapour, odour, steam, soot, dust, waste water, waste products, grit, oil or other harmful products.
Operational Requirements Under the Environmental Planning & Assessment Act 1979
25. Requirement for a Construction Certificate - The erection of a building must not commence until a Construction Certificate has been issued.
26. Appointment of a PCA - The erection of a building must not commence until the applicant has:
(a) appointed a PCA for the building work; and
(b) if relevant, advised the PCA that the work will be undertaken as an Owner -Builder.
If the work is not going to be undertaken by an Owner - Builder, the applicant must:
(a) appoint a Principal Contractor to undertake the building work. If residential building work (within the meaning of the Home Building Act 1989) is to be undertaken, the Principal Contractor must be a holder of a contractor licence; and
(b) notify the PCA of the details of any such appointment; and
(c) notify the Principal Contractor of any critical stage inspections or other inspections that are required to be carried out in respect of the building work.
An Information Pack is attached for your convenience should you wish to appoint Georges River Council as the PCA for your development.
27. Notification Requirements of PCA - No later than two days before the building work commences, the PCA must notify:
(a) the consent authority and the Council (if not the consent authority) of his or her appointment; and
(b) the applicant of the critical stage inspections and other inspections that are to be carried out with respect to the building work.
28. Notice of Commencement - The applicant must give at least two days notice to the Council and the PCA of their intention to commence the erection of a building.
A Notice of Commencement Form is attached for your convenience.
29. Critical Stage Inspections - The last critical stage inspection must be undertaken by the PCA. The critical stage inspections required to be carried out vary according to Building Class under the Building Code of Australia and are listed in Clause 162A of the Environmental Planning and Assessment Regulation 2000.
30. Notice to be given prior to critical stage inspections - The principal contractor for a building site, or the owner-builder, must notify the PCA at least 48 hours before each required inspection needs to be carried out.
Where Georges River Council has been appointed as the PCA, 48 hours notice in writing, or alternatively 24 hours notice by facsimile or telephone, must be given when specified work requiring inspection has been completed.
Prescribed Conditions
31. Clause 98 - Building Code of Australia & Home Building Act 1989 - Requires all building work to be carried out in accordance with the Building Code of Australia. In the case of residential building work to which the Home Building Act 1989 relates, there is a requirement for a contract of insurance to be in force before any work commences.
32. Clause 98A - Erection of Signs - Requires the erection of signs on site and outlines the details which are to be included on the sign. The sign must be displayed in a prominent position on site and include the name and contact details of the PCA and the Principal Contractor.
33. Clause 98E - Protection & support of adjoining premises - If the development involves excavation that extends below the level of the base of the footings of a building on adjoining land, this prescribed condition requires the person who benefits from the development consent to protect and support the adjoining premises and where necessary underpin the adjoining premises to prevent any damage.
34. Clause 98E - Site Excavation - Excavation of the site is to extend only to that area required for building works depicted upon the approved plans. All excess excavated material shall be removed from the site.
All excavations and backfilling associated with the erection or demolition of a building must be executed safely and in accordance with appropriate professional standards.
All excavations associated with the erection or demolition of a building must be properly guarded and protected to prevent them from being dangerous to life or property.
If the soil conditions require it, retaining walls associated with the erection or demolition of a building or other approved methods of preventing movement of the soil shall be provided and adequate provision shall be made for drainage.
35. Clause 98E - Protection & support of adjoining premises - If the development involves excavation that extends below the level of the base of the footings of a building on adjoining land, this prescribed condition requires the person who benefits from the development consent to protect and support the adjoining premises and where necessary underpin the adjoining premises to prevent any damage.
Advice
36. Review of Determination - Section 8.2 of the Environmental Planning and Assessment Act confers on an applicant who is dissatisfied with the determination of the application the right to lodge an application with Council for a review of such determination. Any such review must however be completed within 6 months from its determination. Should a review be contemplated sufficient time should be allowed for Council to undertake public notification and other processes involved in the review of the determination.
Note: Review provisions do not apply to Complying Development, Designated Development, State Significant Development, Integrated Development or any application determined by the Sydney South Planning Panel or the Land & Environment Court.
37. Appeal Rights - Part 8 (Reviews and appeals) of the Environmental Planning and Assessment Act 1979 confers on an applicant who is dissatisfied with the determination of the application a right of appeal to the Land and Environment Court of New South Wales.
38. Lapsing of Consent - This consent will lapse unless the development is physically commenced within 5 years from the Date of Operation of this consent, in accordance with Section 4.53 of the Environmental Planning and Assessment Act 1979 as amended.
39. Long Service Levy - The Long Service Corporation administers a scheme which provides a portable long service benefit for eligible workers in the building and construction industry in NSW. All benefits and requirements are determined by the Building and Construction Industry Long Service Payments Act 1986. More information about the scheme and the levy amount you are required to pay to satisfy a condition of your consent can be found at http://www.longservice.nsw.gov.au.
The required Long Service Levy payment can be direct to the Long Service Corporation via their web site https://online.longservice.nsw.gov.au/bci/levy. Payments can only be processed on-line for the full levy owing and where the value of work is between $25,000 and $6,000,000. Payments will be accepted for amounts up to $21,000, using either MasterCard or Visa.
40. Security deposit administration & compliance fee - Under Section 97 (5) of the Local Government Act 1993, a security deposit (or part) if repaid to the person who provided it is to be repaid with any interest accrued on the deposit (or part) as a consequence of its investment.
Council must cover administration and other costs incurred in the investment of these monies. The current charge is $50.00 plus 2% of the bond amount per annum.
The interest rate applied to bonds is set at Council's business banking facility rate as at 1 July each year. Council will accept a bank guarantee in lieu of a deposit.
All interest earned on security deposits will be used to offset the Security Deposit Administration and Compliance fee. Where interest earned on a deposit is not sufficient to meet the fee, it will be accepted in full satisfaction of the fee.
41. Council as PCA - Deemed to Satisfy Provisions of BCA - Should the Council be appointed as the PCA in determining the Construction Certificate, the building must comply with all the applicable deemed to satisfy provision of the BCA. However, if an alternative fire solution is proposed it must comply with the performance requirements of the BCA, in which case, the alternative solution, prepared by an appropriately qualified fire consultant, accredited and having specialist qualifications in fire engineering, must justifying the non-compliances with a detailed report, suitable evidence and expert judgement. Council will also require if deemed necessary, for the alternative solution to undergo an independent peer review by either the CSIRO or other accredited organisation. In these circumstances, the applicant must pay all costs for the independent review.
42. Site Safety Fencing - Site fencing must be erected in accordance with SafeWork Guidelines, to exclude public access to the site throughout the demolition and/or construction work, except in the case of alterations to an occupied dwelling. The fencing must be erected before the commencement of any work and maintained throughout any demolition and construction work.
A demolition licence and/or a high risk work license may be required from SafeWork NSW (see www.SafeWork.nsw.gov.au).
|
Attachment ⇩1 |
Amended Kemp LP 1 living image(revd) LIVING PLAN (1) |
|
Attachment ⇩2 |
Amended Kemp LP 1 living image(revc) LIVING SECTION (1) |
|
Attachment ⇩3 |
Letter from applicant - Request for design changes - DA2019/0020 - 51 Laycock Road Penshurst |
|
Attachment ⇩4 |
Survey-51-53 Laycock Rd Penshurst |
|
Georges River Council - Georges River Local Planning Panel (LPP) - Thursday, 18 April 2019 LPP014-19 51 Laycock Road, Penshurst [Appendix 1] Amended Kemp LP 1 living image(revd) LIVING PLAN (1) |
Page 110 |
|
Georges River Council - Georges River Local Planning Panel (LPP) - Thursday, 18 April 2019 LPP014-19 51 Laycock Road, Penshurst [Appendix 2] Amended Kemp LP 1 living image(revc) LIVING SECTION (1) |
Page 111 |
|
Georges River Council - Georges River Local Planning Panel (LPP) - Thursday, 18 April 2019 LPP014-19 51 Laycock Road, Penshurst [Appendix 3] Letter from applicant - Request for design changes - DA2019/0020 - 51 Laycock Road Penshurst |
Page 112 |