AGENDA - LPP
|
Meeting: |
Georges River Local Planning Panel (LPP) |
|
Date: |
Thursday, 21 November 2019 |
|
Time: |
4.00pm |
|
Venue: |
Council Chambers, Civic Centre, Hurstville |
|
Panel Members: |
Adam Seton (Chairperson) John Brockhoff (Expert Panel Member) Michael Leavey (Expert Panel Member) George Vardas (Community Representative) |
|
1. On Site Inspections - 1.00pm – 3.30pm a) 172-174 Railway Parade and 1B Gray Street Kogarah b) 45 Burgess Street Beverley Park c) 37 Plimsoll Street Sans Souci d) 83A Kyle Parade Kyle Bay e) 72Connells Point Road South Hurstville f) 57-59 Trafalgar Street Peakhurst g) 268 Carrington Avenue Hurstville
|
|
Break - 3.30pm
|
|
2. Public Meeting – Consideration of Items 4.00pm – 6.00pm
|
|
Public Meeting Session Closed - 6.00pm (Break – Light Supper served to Panel Members)
|
|
Georges River Council – Local Planning Panel Thursday, 21 November 2019 |
Page 2 |
LPP050-19 45 Burgess Street Beverley Park - DA2018/0098
(Report by Senior Development Assessment Planner)
LPP051-19 172-174 Railway Parade and 1B Gray Street Kogarah - DA2018/0285
(Report by Senior Development Assessment Planner)
LPP052-19 57-59 Trafalgar Street Peakhurst - DA2018/0285
(Report by Senior Development Assessment Officer)
LPP053-19 268 Carrington Avenue Hurstville - DA2018/0576
(Report by Development Assessment Planner)
LPP054-19 37 Plimsoll Street Sans Souci - DA2019/0347
(Report by Development Assessment Planner)
LPP055-19 83A Kyle Parade Kyle Bay - DA2019/0128
(Report by Consultant Planner)
LPP056-19 72 Connells Point Road South Hurstville - DA2018/0577
(Report by Development Assessment Planner)
|
4. Confirmation of Minutes |
REPORT TO GEORGES RIVER COUNCIL
LPP MEETING OF Thursday, 21 November 2019
|
LPP Report No |
LPP050-19 |
Development Application No |
DA2018/0098 |
|
Site Address & Ward Locality |
45 Burgess Street Beverley Park Kogarah Bay Ward |
||
|
Proposed Development |
Demolition of existing structures, tree removal and construction of an attached two storey dual occupancy with front fencing and associated landscaping works. |
||
|
Owners |
Mr and Mrs Sadig |
||
|
Applicant |
ArtMade Architects |
||
|
Planner/Architect |
Architect: ArtMade Architects Planner: Urbanesque Planning |
||
|
Date Of Lodgement |
20/03/2018 |
||
|
Submissions |
Nine (9) |
||
|
Cost of Works |
$1,387,320.00 |
||
|
Local Planning Panel Criteria |
The application is referred to the Georges River Local Planning Panel as drainage of the development relies upon an easement located on Council-owned land, being through the Beverley Park Golf Course. |
||
|
List of all relevant s.4.15 matters (formerly s79C(1)(a)) |
Greater Metropolitan Regional Environmental Plan No 2 - Georges River Catchment; State Environmental Planning Policy (Infrastructure) 2007; State Environmental Planning Policy No 55 - Remediation of Land, State Environmental Planning Policy (Building Sustainability Index: BASIX) 2004, State Environmental Planning Policy (Vegetation in Non-Rural Areas) 2017, Draft Environment State Environmental Planning Policy, Draft Remediation of Land State Environmental Planning Policy Kogarah Local Environmental Plan 2012, Kogarah Development Control Plan 2013. |
||
|
List all documents submitted with this report for the Panel’s consideration |
Site and Elevation Plans
|
||
|
Report prepared by |
Senior Development Assessment Planner |
||
|
|
Summary of matters for consideration under Section 4.15 Have all recommendations in relation to relevant s4.15 matters been summarised in the Executive Summary of the assessment report? |
Yes |
|
Legislative clauses requiring consent authority satisfaction Have relevant clauses in all applicable environmental planning instruments where the consent authority must be satisfied about a particular matter been listed and relevant recommendations summarised, in the Executive Summary of the assessment report? |
Yes |
|
Clause 4.6 Exceptions to development standards If a written request for a contravention to a development standard (clause 4.6 of the LEP) has been received, has it been attached to the assessment report? |
Not Applicable
|
|
Special Infrastructure Contributions Does the DA require Special Infrastructure Contributions conditions (under s7.24)? |
Not Applicable |
|
Conditions Have draft conditions been provided to the applicant for comment? |
No, standard conditions have been attached with no design changes. The conditions can be reviewed following publishing of the agenda. |
|
Site Plan – allotment outlined in blue |
Executive Summary
Proposal
1. Council is in receipt of a development application (DA2018/0098) proposing demolition of the existing structures, tree removal and construction of a new two storey attached dual occupancy including a front fence and landscaping works at 45 Burgess Street, Beverley Park, known as Lot 19 in DP 8888.
2. The proposal seeks consent for the removal of three (3) trees located within the property boundaries. One (1) street tree is proposed to be removed to accommodate the new driveway access for the dwellings.
Site and Locality
3. The site is located on the western side of Burgess Street. A single storey clad dwelling with attached covered patio, metal and tiled roof, together with a detached fibro shed with tiled roof, driveway access to rear, and other hard surfaces occupy the site.
4. The site falls about 1.33m from the north eastern corner of Burgess Street to the rear (western) boundary. There are twelve (12) trees located within the property boundaries, and one (1) tree located on the nature strip.
5. To the north is a two storey brick dwelling with metal roof, a front and rear balcony. To the south is a two storey brick dwelling with tiled roof, two street facing balconies and a rear balcony.
6. Burgess Street and the immediate locality comprise various low density residential forms, with the Beverley Park Golf Course located directly behind the subject site to the west.
Zoning and Permissibility
7. The site is zoned R2 Low Density Residential in accordance with the Kogarah Local Environmental Plan 2012. The proposed development is defined as a dual occupancy which is a permissible use in the zone and satisfies the objectives of the zone referenced below:
• To provide for the housing needs of the community within a low density residential environment.
• To enable other land uses that provide facilities or services to meet the day to day needs of residents.

Figure 1 - Zoning map - Site outlined in blue.
Submissions
8. In accordance with the public notification provisions of the Kogarah Development Control Plan (KDCP), the application was placed on neighbour notification on three (3) separate occasions for a minimum period of 14 days.
9. Nine (9) unique submissions were received as a result of the notification periods. A detailed assessment of these submissions are summarised and addressed in full later in this report.
Referrals
10. The DA was referred to a number of officers within Council, and as a result, responses were generally supportive of the application as discussed in the body of this report.
Reasons for Referral to the Local Planning Panel
11. The application is referred to the Georges River Local Planning Panel for determination as drainage of the development relies upon an easement to be located within Council-owned land, being Beverley Park Golf Course.
Conclusions
12. The application has been assessed having regard to the Matters for Consideration under Section 4.15 of the Environmental Planning and Assessment Act 1979, the provisions of the relevant State Environmental Planning Policies, and in particular against the requirements of the relevant Kogarah Local Environmental Plan (LEP) 2012 and Kogarah Development Control Plan (DCP) 2013. The proposal complies with the floor space ratio and height standards of the LEP and sufficient justification has been provided for any variations to the DCP.
13. During the assessment of the application, the applicant was unable to obtain consent from the Beverley Park Golf Club to connect to an easement on the land leased by the Golf Club from Council. A deferred commencement condition has been recommended, requiring the applicant to acquire an easement to drain water from the site.
14. The subject site is identified as flood affected in the Beverley Park Overland Flow Risk Management Study and Plan 2007, however is not identified as being affected by the 1% AEP (1 in 100 year ARI) flood event.
15. The application is recommended as a deferred commencement approval subject to conditions.
Report in Full
DESCRIPTION OF THE PROPOSAL
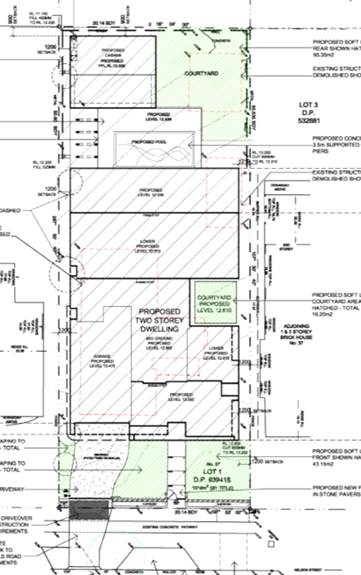
16. Demolition of the existing structures, tree removal and construction of a new two storey attached dual occupancy including a front fence and landscaping works at 45 Burgess Street, Beverley Park. The proposed site plan is shown in Figure 2 below.

Figure 2 - Proposed Site Plan
17. The proposal is described in detail as follows:
· Ground Floor – each dwelling contains a single garage, porch, lounge room, bathroom, laundry, open plan kitchen, dining and family room, and outdoor patio at the rear of the dwelling. Private open space is located at the ground level at the rear of each dwelling.
· First Floor – each dwelling contains four bedrooms with the master containing an ensuite and walk in robe and a bathroom. A balcony to the front elevation is provided to Lot A.
· The front fence is 1.2m high and a combination of masonry piers and open-style infill timber horizontal slats.
· The proposal seeks consent for the removal of three (3) trees located within the property boundary. One (1) street tree is proposed to be removed to accommodate the new driveway access for the dwellings.
DESCRIPTION OF THE SITE AND LOCALITY
18. The subject site is formally known as Lot 19 in DP 8888, is known as 45 Burgess Street, Beverley Park, and has a site area of 696.8sqm. The site is occupied by a single storey clad dwelling with metal and tiled roof, attached covered patio, a detached fibro shed with tiled roof and driveway access to the rear.
19. The site falls about 1.33m from the north eastern corner of the site from Burgess Street to the rear (western) boundary. There are twelve (12) trees located within the property boundaries, and one (1) street tree located on the nature strip.
20. To the north is a two storey brick dwelling with metal roof, a front and rear balcony. To the south is a two storey brick dwelling with tiled roof, two street facing balconies and a rear balcony.
21. Burgess Street and the immediate locality comprise various low density residential forms, with the Beverley Park Golf Course located directly behind the subject site to the west.
BACKGROUND
22. The original application was submitted in March 2018, seeking consent for an attached dual occupancy over basement parking and proposing connection to an easement to drain water on the adjoining site to the rear, the Beverley Park Golf Course, which is land owned by council.
23. Amended plans were submitted in October 2018 in response to issues raised by council staff, including deletion of the basement parking (which resulted in the height limit being exceeded) and reducing the height of the building to comply with the 9m height limit.
24. Amended plans were submitted on 29 October 2019 (these plans form the basis of this assessment report) to address issues raised by council staff, including FSR, garage setbacks, side setbacks, floor level of the outdoor terraces and the dwelling entries. The amended plans satisfy the concerns raised by staff and are recommended for approval via a deferred commencement determination.
STATE ENVIRONMENTAL PLANNING POLICIES (SEPP)
25. Compliance with the relevant state environmental planning policies is summarised in the table, and discussed in more detail below.
|
State Environmental Planning Policy |
Complies |
|
Greater Metropolitan Regional Environmental Plan No 2 – Georges River Catchment |
Yes |
|
State Environmental Planning Policy (Building Sustainability Index: BASIX) 2004 |
Yes |
|
State Environmental Planning Policy No 55 - Remediation of Land |
Yes |
|
State Environmental Planning Policy (Vegetation in Non-Rural Areas) 2017 |
Yes |
|
State Environmental Planning Policy (Infrastructure) 2007 |
Yes |
Deemed State Environmental Planning Policy – Georges River Catchment
26. All stormwater from the proposed development can be treated in accordance with Council’s Water Management Policy and will satisfy the relevant provisions of the Deemed State Environmental Planning Policy – Georges River Catchment. A deferred commencement condition is recommended requiring the applicant to obtain an easement to drain water from the sire over the adjoining Council-owned land.
State Environmental Planning Policy (Building Sustainability Index: BASIX) 2004
27. A BASIX Certificate has been issued for the proposed development and the commitments required under the certificate have been satisfied.
State Environmental Planning Policy No 55 - Remediation of Land
28. SEPP 55 aims to promote the remediation of contaminated land in order to reduce the risk of harm to human health or any other aspect of the environment.
29. Clause 7 requires contamination and remediation to be considered in determining a development application. The consent authority must not consent to the carrying out of development on land unless it has considered whether or not the land is contaminated.
30. The site has a history of residential uses and as such, site contamination is not suspected. In this regard, no further assessment is warranted with regard to site contamination.
State Environmental Planning Policy (Vegetation in Non-Rural Areas) 2017
31. The Vegetation SEPP regulates clearing of native vegetation on urban land and land zoned for environmental conservation/management that does not require development consent.
32. The Vegetation SEPP applies to clearing of:
a) Native vegetation above the Biodiversity Offset Scheme (BOS) threshold where a proponent will require an approval from the Native Vegetation Panel established under the Local Land Services Amendment Act 2016; and
b) Vegetation below the BOS threshold where a proponent will require a permit from Council if that vegetation is identified in the council’s development control plan (DCP).
33. The Vegetation SEPP repeals clause 5.9 and 5.9AA of the Standard Instrument - Principal Local Environmental Plan with regulation of the clearing of vegetation (including native vegetation) below the BOS threshold through any applicable DCP.
34. The proposed development does not involve the removal of any significant trees or vegetation. Suitable replacement planting for the trees proposed for removal is proposed, and has been included in the recommended conditions of consent. In this regard, the provisions of this SEPP are considered to be met.
DRAFT STATE ENVIRONMENTAL PLANNING POLICIES
Draft Environment SEPP
35. The Draft Environment SEPP was exhibited from 31 October 2017 to 31 January 2018. This consolidated SEPP proposes to simplify the planning rules for a number of water catchments, waterways, urban bushland, and Willandra Lakes World Heritage Property.
· Changes proposed include consolidating the following seven existing SEPPs:
· State Environmental Planning Policy No. 19 – Bushland in Urban Areas
· State Environmental Planning Policy (Sydney Drinking Water Catchment) 2011
· State Environmental Planning Policy No. 50 – Canal Estate Development
· Greater Metropolitan Regional Environmental Plan No. 2 – Georges River Catchment
· Sydney Regional Environmental Plan No. 20 – Hawkesbury-Nepean River (No.2-1997)
· Sydney Regional Environmental Plan (Sydney Harbour Catchment) 2005
· Willandra Lakes Regional Environmental Plan No. 1 – World Heritage Property.
36. The proposal is consistent with the provisions of this Draft Instrument given there is no significant vegetation impacted by the proposed development.
Draft Remediation of Land SEPP
37. The Department of Planning and Environment has announced a Draft Remediation of Land SEPP, which will repeal and replace the current State Environmental Planning Policy No 55—Remediation of Land.
38. The main changes proposed include the expansion of categories of remediation work which requires development consent, a greater involvement of principal certifying authorities particularly in relation to remediation works that can be carried out without development consent, more comprehensive guidelines for Councils and certifiers and the clarification of the contamination information to be included on Section 149 Planning Certificates.
39. Whilst the proposed SEPP will retain the key operational framework of SEPP 55, it will adopt a more modern approach to the management of contaminated land.
40. The subject site has a history of residential use and as such, site contamination is not suspected. In this regard, no further assessment is warranted with regards to site contamination.
ENVIRONMENTAL PLANNING INSTRUMENTS
Kogarah Local Environmental Plan 2012
41. The provisions of this Local Environmental Plan are relevant to the proposal. The extent to which the proposal complies with the relevant standards of Kogarah Local Environmental Plan 2012 (KLEP2012) is outlined in the table below.
|
Clause |
Standard |
Proposed |
Complies |
|
2.7 - Demolition |
Demolition is permissible with consent |
Demolition is proposed as part of this application. |
Yes |
|
4.1B – Minimum lot size for dual occupancies |
650sqm |
Site Area = 696.8sqm |
Yes |
|
4.3 – Height of Buildings |
9m as identified on Height of Buildings Map |
Maximum 7.9m |
Yes |
|
4.4 – Floor Space Ratio |
0.55:1 as identified on Floor Space Ratio Map |
See Clause 4.4A below.
|
|
|
4.4A - Exceptions to floor space ratio for residential accommodation in Zone R2 |
Site area between 650sqm and 800sqm:
[(lot area − 650) × 0.3 + 357.5] ÷ lot area:1 |
Maximum = 371.54sqm (0.53:1).
Proposed = 371.3sqm (0.53:1). |
Yes |
|
6.1 – Acid Sulphate Soils |
The objective of this clause is to ensure that development does not disturb, expose or drain acid sulfate soils and cause environmental damage. |
The site is identified as being affected by Class 2 and Class 5 Acid Sulphate Soils.
An Acid Sulfate Soils Assessment Report was submitted with the application which concludes following the borehole testing on site confirmed no potential for acid sulfate soils. |
Yes |
|
6.2 – Earthworks |
To ensure that earthworks do not have a detrimental impact on environmental functions and processes, neighbouring uses, cultural or heritage items or features of the surrounding land. |
Minimal excavation is proposed and commensurate with what would be expected for a development of this type and scale. The basement has been deleted and the floor levels are above the recommended levels by Council’s Drainage Engineer. |
Yes |
|
6.3 – Flood Planning |
Requires assessment to minimise the flood risk to life and property associated with the use of land; to allow development on land that is compatible with the land’s flood hazard, taking into account projected changes as a result of climate change; and to avoid significant adverse impacts on flood behaviour and the environment.
|
Council’s Flood Engineer has carried out an assessment of the impact of flooding from the immediate adjoining sites, in particular the rear adjoining Beverley Park Golf Course.
With the amendment of the plans to delete the basement level and finished floor levels being above recommended freeboard levels, Council’s Flood Engineer does not raise any concerns with the proposal in relation to flooding impacts. |
Yes |
Development control plans
Kogarah Development Control Plan 2013
42. The provisions of this Development Control Plan are relevant to the proposal. An assessment of the proposal against the key controls in the Development Control Plan is tabled as follows.
|
Applicable DCP Controls |
Standards |
Proposal |
Complies |
||
|
1.2.1 Floor space Requirements |
(5) Blank walls and flat facades should be avoided. Walls longer than 10m should be articulated by a minimum 300mm projection or indentation in the façade.
(7) Where proposed development includes a two (2) residential level element, then the second level should not extend beyond 60% of the depth of the allotment measured from the street boundary. Where side boundaries are of varying length, the second level is limited to a line across the block between the points on both boundaries, see Figures 1 and 2. |
All walls include suitable fenestration and articulation.
The first floor does not extend beyond 60% of the depth of the lot. |
Yes
Yes |
||
|
1.2.2 Building Heights |
(1) 7.2m to the underside of the upper ceiling 7.8m to the top of the parapet
(2) The maximum number of residential levels is two (2), except where the site has a slope exceeding 1:8 (12.5%), where the maximum number of residential levels is three (3). |
Max. 7.2m to ceiling
Max. 7.9m to parapet
The proposal is two storeys.
|
Yes
No – refer to comments below.
Yes |
||
|
Comment on parapet height The site slopes gently from street level to the rear boundary which results in the proposal exceeding the maximum parapet height by 100mm at the rear of Dwelling B. Despite these non-compliances the overall height of the proposal has a maximum height of 7.9m and therefore complies with the LEP height limit of 9m.
It is noted that the architectural roof line of the front façade of the proposal complies with the parapet and overall height limit. The minor breech of the parapet height control is isolated to the south western corner of the roof of Dwelling B and is therefore supported. The minor non-compliance does not contribute to the loss of solar access as it is located at the front of the dwelling. |
|||||
|
1.2.3 Rhythm of the Built Elements in the Streetscape |
(1) The primary building façade should not exceed 40% of the overall width of the total frontage (Figure 6).
(2) The secondary building façade should be set back a minimum of 1.5 metres from the primary building façade (Figure 7).
(3) Where the dominant built form in the streetscape provides for a pitched hip or gable ended presentation to the street, the new buildings and/or additions should reflect that roof form. |
The front façade is articulated into four sections, being separate garages and the entry to each dwelling. The modulated façade is tied together with the angled roof feature.
The secondary facades are setback between 2m and 4m from the primary façade.
A flat roof is proposed which is consistent with newer development in the area. In addition the angled roof feature creates an articulation to the front façade that reflects a more traditional pitched roof form that is common in the locality. |
Yes
Yes
Yes
|
||
|
1.2.4.2 Front Setbacks |
Primary frontage setback: Minimum 5.5m |
Minimum 5.5m to the garage of Lot A. |
Yes |
||
|
1.2.4.3 Side and Rear Setbacks |
Rear - Buildings are to have a minimum rear setback of 15% (6.8m) of the average site length, or 6m, whichever is greater.
Side - For buildings having a wall height of greater than 3.5m, the minimum side boundary setback is 1200mm |
Dwelling A – 12.9m Dwelling B – 11.16m
Minimum 1.2m (ground and first floor). |
Yes
Yes |
||
|
1.2.5 Fenestration and External Materials |
(1) New buildings and alterations and additions should present a primary building façade and roofing that is constructed of materials, and within a colour range, that is complementary to the dominant character of buildings in the streetscape.
(2) Garage doors should not dominate the street front elevation (Figure 16).
(3) The roof should be similar to the angle of pitch, materials and colour of roofs in the streetscape (Figure 14).
(4) The colours of garages, window frames, and balustrading on main facades and elevations are to be integrated with the external design of the building.
(5) Glazing shall be limited to a maximum 35% of the total area of the overall street front façade. This includes both primary and secondary façade bays (Figure 15).
(6) Where garaging is in the front façade it should be limited to a maximum of two garage bays, with separate garage door openings of a maximum width of 3m. |
The proposed colours, materials and finishes are suitable for this modern and contemporary development.
One single garage door per dwelling is proposed and are offset from one another.
Flat roof is proposed which is consistent with more recent modern contemporary construction in the area.
Suitable colours are proposed, including neutral browns, white, timber and metal cladding.
Less than 35% of the front façade is glazed.
One single garage door is proposed per dwelling, being 3m wide and they are offset from one another providing differing street setbacks.
|
Yes
Yes
Yes
Yes
Yes
Yes |
||
|
1.2.6 Street edge |
(1) New developments should provide front fencing that complements fencing within the streetscape.
(2) Fencing is to be consistent with the requirements of Section 4.2.
(3) Existing vegetation in the front building line setback or on the street verge that contributes to the character of the streetscape should be preserved.
(4) The driveway location should not result in the removal of any street trees or removal of substantial trees on the site. |
A 1.2m high fence is proposed being a combination of masonry and horizontal timber infills which is suitable for the streetscape.
Complies.
One street tree is proposed to be removed and will be replaced with two street trees via a recommended condition of consent.
One street tree is proposed to be removed and will be replaced with two street trees via a recommended condition of consent. |
Yes
Yes
Yes
Yes
|
||
|
1.3 Open Space
|
(1) 15% of the site area must be deep soil landscaped area.
(2) Private open space should be adjacent to and visible from the main living and/or dining rooms and be accessible from those areas. |
34% of the site is deep soil landscaping.
Private open spaces are directly adjacent to the living areas. The patio is elevated above the landscaped garden area. |
Yes
Yes |
||
|
1.4 Vehicular access, parking and circulation
|
(1) Car parking is to be provided in accordance with the requirements in Section B4.
Dual occupancy: 1.5 spaces/dwelling
(2) On corner sites with two street frontages vehicular access should be provided to the secondary frontage.
(3) Garages should be accessed from a rear lane where this is available.
(4) Crossings are to be positioned so that on-street parking and landscaping on the site are maximised, and removal or damage to existing street trees is avoided.
(5) Garaging should be setback behind the primary façade.
(6) The maximum driveway width between the street boundary and the primary building façade is 4m.
(7) Where the dominant provision of garaging within the streetscape is provided to the rear or side of developments, new developments and additions to existing development should provide for a side driveway or garaging behind the main street front elevation of the building.
(8) Basement parking is not encouraged on flat sites. Garaging should be provided at ground level unless the slope of the site exceeds 1:8 (12.5%) in which case a basement or suspended garage may be acceptable.
(9) Where a basement garage is proposed, the maximum height of the basement above ground level (existing) is 1m measured to the underside of the basement ceiling. Where the basement exceeds 1m above ground level (existing), the basement will be considered to be a floor (Figure 17). Note: Floor means the space within a building which is situated between one floor level and the floor level next above or if there is no floor above, the ceiling or roof above.
(10) For basement garages the maximum amount of excavation is to be limited to required car parking and any manoeuvring areas, access stairwells, lift wells and storage areas.
(11) Storage areas within basements or garages must not exceed 10sqm per dwelling (with a minimum width of 500mm).
(12) Car parking layout and vehicular access requirements and design are to be in accordance with the Australian Standards, in particular AS 2890.1-2004.
(13) Dual occupancy development must have only one single fronted garage per dwelling. Where garaging is required for 2 cars, this must be tandem parking. |
2 spaces per dwelling are proposed.
N/A
N/A
Two crossings are proposed to allow for consolidation of areas of landscaping in the front setback for each dwelling.
The garages are located forward of the dwelling entries.
2.6m per driveway.
There is no dominant garage or parking design in the locality. The immediate area is characterised by older style dwellings and more recently constructed two storey dwellings and dual occupancies with garages forming the primary building faced and the wall of the dwelling behind.
Basement parking is no longer proposed.
N/A
N/A
N/A
Storage is not proposed in the garages.
Complies
One single garage per dwelling proposed.
|
Yes
N/A
N/A
Yes
No – refer to comments below.
Yes
Yes
N/A
N/A
N/A
Yes
Yes
Yes
|
||
|
Comments on garage location The front façade of the proposal is articulated into four bays, being the separate single garages and the entry to each dwelling. There are a number of examples of dwellings with garages forward of the building line or front façade of the dwelling in the immediate area, including the dwelling adjoining the subject site to the north.
The objectives of the control are:
(a) New buildings and alterations and additions should reflect the dominant building rhythm of the streetscape with regard to the location, spacing and proportion of built elements in the street elevation.
(b) Where the dominant street front elevation of the buildings provides for a double fronted or articulated front façade, new buildings and additions should provide an articulated front façade.
The proposal meets the objectives of the control and given the mixed design of the dwellings and established building lines in the locality, and the fact the proposal is consistent with the setback of both adjoining properties, the technical non-compliance of the garages being located in front of the building line is supported as it does not undermine the rhythm of the streetscape and built form. |
|||||
|
1.5.1 Visual Privacy |
(1) Windows from active rooms are to be offset between adjacent dwellings so as to avoid direct overlooking onto neighbouring windows. |
Living area windows are located on the ground floor and are oriented to the rear yards. The side-facing living room windows at the front of each dwelling have high sill heights and will not overlook neighbouring properties. |
Yes |
||
|
1.6 Solar Access |
(1) At least 50% of the primary private open space of the proposed development should have access to a minimum of four hours of sunlight between 9am–3pm on 21 June.
(2) Where private open space is proposed on the southern side of the building the distance from the southern boundary of the open space to the nearest wall to the north must be a minimum of 3m + h, where h is the height of the wall (Figure 20).
(3) Where the neighbouring properties are affected by overshadowing, at least 50% of the neighbouring existing primary private open space or windows to main living areas must receive a minimum of 3 hours sunlight between 9am–3pm on 21 June (Figure 21). |
Each area of private open space will receive at least 4 hours of sunlight during midwinter.
Private open space is located to the west of the dwellings.
Adjoining properties will receive sunlight to in excess of 50% of the private open space area for greater than 3 hours.
|
Yes
N/A
Yes |
||
|
2.1 Dual Occupancies |
Minimum frontage: 18m
Minimum site area: 850sqm
|
15.24m
696.8sqm |
No – refer to Refer to comments following this table in relation to minimum site width control as per the Georges River Development Control Plan 2020 (Interim Policy).
N/A – LEP permits a site area of 650sqm. |
||
|
4.2.3 Retaining walls |
(1) Retaining walls over 600mm in height must be designed by a suitably qualified structural engineer. |
Conditions will be imposed directing the construction of all retaining walls. |
Yes, condition recommended |
||
Georges River Development Control Plan 2020 (Interim Policy)
43. The Interim Policy is a supplementary document, meaning that current DCP controls continue to apply if a particular control is not specified in the Interim Policy, or if it is still considered best practice. All operative DCPs still legally apply. Whilst the Interim Policy has no statutory recognition in the assessment of a Development Applications pursuant to the Environmental Planning & Assessment Act 1979, the policy will be used as a guide as it is an endorsed position of the Council.
44. In relation to dual occupancy development, the Interim Policy states the minimum site width for an attached dual occupancy is 15m, with which the site complies.
45. In addition, in Picciau v Georges River Council [2019] NSWLEC 1114, Commissioner Dickson found that a flexible approach to the application of the lot width performance criteria was acceptable in the case (a proposal for a dual occupancy development on a 12m wide site) as the width of the site at the front façade of the dwelling(s) was 15m, and the proposal met the zone objectives and did not result in any unreasonable adverse impacts on the amenity of neighbouring properties.
Developer Contributions
The following Section 7.11 contributions have been levied for the development.
|
DEVELOPMENT CONTRIBUTIONS |
|
|
Kogarah Section 94 Development Contributions Plan No.1 - Roads and Traffic Management - Residential |
$645.30 |
|
Kogarah Section 94 Development Contributions Plan No.5 - Open Space 2007 |
$29,916.04 |
|
Kogarah Section 94 Development Contributions Plan No.9 - Kogarah Libraries - Buildings |
$783.44 |
|
Kogarah Section 94 Development Contributions Plan No.9 - Kogarah Libraries - Books |
$558.60 |
|
Total for development contributions |
$31,903.38 |
IMPACTS
Natural Environment
46. The proposal is unlikely to result in adverse impacts to the natural environment subject to the site being planted with replacement trees as included in the recommended conditions of consent. The removal of existing trees has been reviewed by Council’s Consultant Arborist and is deemed acceptable. A condition will also require two street trees to be planted along the frontage of the site to replace the one street tree being removed.
47. Appropriate stormwater conditions have been recommended including a deferred commencement condition requiring the applicant to obtain an easement to drain water and connection into an existing easement on council owned land at the rear being within the Beverly Park Golf Course.
Built Environment
48. The proposal complies with the height of buildings and floor space ratio standards of the KLEP 2012, and represents an acceptable planning outcome for the site with respect to its bulk, scale and density, façade articulation and expression and is an appropriate response to the context of the site and its R2 Low Density Residential zoning. The development is consistent with objective of the Development Control Plan (DCP) and the Interim Development Control Plan 2020.
Social Impact
49. No adverse social impacts have been identified as part of the assessment. The additional dwelling will assist with providing additional housing in the area. The construction of a dual occupancy on the site is consistent with the residential zoning of the land.
Economic Impact
50. There is no apparent adverse economic impact that is likely to result within the locality due to the construction of additional dwellings.
Suitability of the site
51. The site is zoned R2 Low Density Residential. The proposal is a permissible form of development in this zone. The site is suitable for the construction of a dual occupancy and the proposal fully complies with the relevant KLEP 2012 standards. The site is considered suitable for the proposed development.
52. The applicant has applied for subdivision of the dual occupancy as part of this application; however subdivision does not form part of the consent. A condition of consent has been recommended that states a separate development application is required to be lodged with Council for the Torrens Title Subdivision of a Dual Occupancy. Development consent for Torrens Title Subdivision cannot be granted until after the final Occupation Certificate has been issued for the Dual Occupancy Development.
SUBMISSIONS AND THE PUBLIC INTEREST
53. The proposal was placed on exhibition on three separate occasions for a period of fourteen (14) days during which time nine (9) submissions were received. The submissions raised the following issues.
Round 1 of Notification (original DA plans) April 2018
Basement Parking
54. Comment: Basement parking was deleted from the proposal by amended plans submitted in October 2018.
Rear setback and privacy impacts
55. Comment: The required setback for the site is 6.8m and the proposal exceeds this control by 6.1m for Dwelling A (north) and 4.36m for Dwelling B (south). The first floor rear setback complies with the DCP control that restricts all first floor development to a maximum of 60% the depth of the lot. Privacy impacts to neighbours are minimised by the provision of privacy screen to the side of the outdoor terraces at the rear of each dwelling, which have been lowered by 0.5m from the original plans submitted with the application. Primary living rooms are located on the ground floor and all first floor windows facing the side boundaries have high sill heights.
Lowering of the water table and impacts on neighbour
56. Comment: Basement parking was deleted from the proposal by amended plans submitted in October 2018, as a result lowering of the water table is unlikely as the only excavation relates to the footings associated with the development.
Visual bulk of the building
57. Comment: The proposed development fully complies with the FSR and building height standards of the Kogarah LEP 2012 and the setback controls of the Kogarah DCP 2013. It is acknowledge there is a parapet height breach of 100mm, however this does not result in unacceptable bulk as it will barely be perceived resulting in a development that is of a suitable bulk and scale for the site.
Increased noise and excavation
58. Comment: Standard conditions of consent are recommended to control noise levels during construction. Basement parking was deleted from the proposal by amended plans submitted in October 2018 and as a result excavation is now minimal.
Overshadowing to 47 Burgess Street
59. Comment: The proposal demonstrates compliance with the solar access controls in the DCP in that 47 Burges Street will continue to receive at least 3 hours sunlight during mid-winter to the private open space area.
Inadequate drainage
60. Comment: The application seeks approval to connect to a drainage easement located on the land occupied by the Beverly Park Golf Course (which is owned by council). The recommendation of this report is for the Panel to grant a deferred commencement approval, subject to the applicant gaining approval from the Beverly Park Golf Club to connect into the easement within the area they lease from Council.
Objection to side windows on the ground and first floor
61. Comment: Privacy impacts to neighbours are minimised by the provision of privacy screens to the side of the outdoor terraces at the rear of each dwelling, which have been lowered by 0.5m from the original plans submitted with the application. Primary living rooms are located on the ground floor and all first floor windows facing the side boundaries have high sill heights and are low-activity rooms. It is unreasonable to require a dwelling in this setting to only have front and rear facing windows or doors.
Floor space ratio and impervious area non-compliance
62. Comment: The amended proposal complies with the maximum FSR standard applicable to the site and exceeds the required amount of deep soil on the site.
Risk of damage to neighbouring property
63. Comment: Standard conditions of consent are recommended in relation to construction activity and damage to adjoining properties. The deletion of the basement level has reduced the extent of excavation.
The design in inconsistent with neighbouring dwellings
64. Comment: The proposed design has been assessed on its merits and is supported.
Round 2 of Notification (amended plans submitted October 2018) November 2018
65. In addition to issues raised and addressed in Round One above.
One garage in front of the other
66. Comment: The amended plans submitted in October 2019 have reduced the extent of the distance that one garage is located in front of the other to 1.5m. Given the established pattern of development in the immediate locality, of garages located forward of the building line, the proposed arrangement is supported.
Round 3 of Notification March 2019
67. No additional issues raised that have not been addressed in Round One or Round Two.
REFERRALS
Council Referrals
Stormwater Engineering
68. Council’s Stormwater Engineer has carried out an assessment of amended proposal and has raised no issue subject to the connection of stormwater to the easement.
Development Engineering
69. Council’s Development Engineer has carried out an assessment of the proposed stormwater management system for the site. The proposal is supported subject to the connection of the stormwater from the site to the easement within the Golf Course land.
70. The proposal relies on connection to an existing easement located on Council land (the golf club) at the rear of the property. The applicant was unable to obtain the approval of the Golf Club during the assessment of the application, and as such a deferred commencement condition has been recommended providing the applicant 36 months to obtain an easement over the Council-owned land at the rear of the site, currently leased by the Golf Club.
Tree and Landscape Officer
71. Council’s Tree and Landscape Officer has carried out an assessment of the proposed tree retention and tree removal for the site, and has raised no concerns with the proposal subject to conditions of consent for replacement planting.
Public Interest
72. The proposal is of a scale and character that will not conflict with the public interest, given the density and built form.
CONCLUSION
73. The proposal has been assessed with regard to the matters for consideration listed in Section 4.15 of the Environmental Planning and Assessment Act 1979. The proposal is an appropriate response to the context of the site and will result in a good planning and urban design outcome in the locality.
74. The proposal has been assessed against the provisions of the Kogarah Local Environmental Plan 2012 and Kogarah Development Control Plan 2013 and complies with the height of building and floor space ratio development standards of the Local Environmental Plan and meets the objectives of the Kogarah Development Control Plan 2013. Any variations to the DCP controls have been addressed and are worthy of support on merit.
75. The proposal will not result in adverse impacts to the amenity of adjoining properties subject to the conditions of consent recommended below.
76. A deferred commencement condition in relation to drainage has been recommended as follows:
a) The applicant must acquire an Easement to Drain Water of 1.0 metre (minimum) width. The easement must allow for a piped, gravity fed system of drainage of stormwater from the subject site with direct, underground connection to Council's pipe in the adjacent downstream property.
Evidence of registration of the easement to drain water benefitting the subject site and burdening the title of the affected property is to be provided to Council.
b) A plan showing the longitudinal section of the proposed pipe within the drainage easement with detailed connection into Council’s pipe shall accompany the submission.
77. For the above reasons, the proposal is recommended for deferred commencement approval subject to the conditions included within the recommendation below.
DETERMINATION AND STATEMENT OF REASONS
Statement of Reasons
78. The reasons for this recommendation are:
· The proposal is an appropriate response to the site and is consistent with the desired future character of the R2 zone and existing development in the locality.
· The proposal is fully compliant with the maximum height of building and floor space ratio limits that applies to the site under Kogarah Local Environmental Plan 2012.
· The proposal’s bulk and scale is appropriately contained within a generally compliant building envelope that is respectful of the established character of the area in relation to height, street setback and boundary setbacks.
· The proposal has sufficient façade modulation and wall articulation that will serve to provide visual interest and reduce the bulk of the building.
Determination
79. THAT pursuant to Section 4.16(3) of the Environmental Planning and Assessment Act 1979 (as amended) development consent is granted to Development Application DA2018/0098 for demolition, tree removal and construction of a dual occupancy at Lot 19 in DP 8888, known as 45 Burgess Street, Beverley Park, subject to the following conditions of consent.
80. This Development Application is a Deferred Commencement Consent under Section 4.16(3) of the Environmental Planning and Assessment Act (as amended) 1979. Strict compliance is required with all conditions appearing in Section A within thirty six (36) months from the Determination Date of this consent. Upon confirmation in writing from Georges River Council that the Section A Conditions have been satisfied, the consent shall commence to operate as a Development Consent for a period of five (5) years from the Determination Date of this consent.
Pursuant to Section 4.16(3) of the Environmental Planning and Assessment Act 1979, this consent will not operate until the following requirements are satisfied:
SECTION A – DEFERRED COMMENCEMENT CONDITIONS
A. Deferred Commencement – Drainage - Pursuant to Section 4.16(3) of the Environmental Planning and Assessment Act 1979, this consent will not operate until such time as the following requirements are met to the satisfaction in writing of the Manager Development and Building.
a) The applicant must acquire an Easement to Drain Water of 1.0 metre (minimum) width. The easement must allow for a piped, gravity fed system of drainage of stormwater from the subject site with direct, underground connection to Council's pipe in the adjacent downstream property.
Evidence of registration of the easement to drain water benefitting the subject site and burdening the title of the affected property is to be provided to Council.
b) A plan showing the longitudinal section of the proposed pipe within the drainage easement with detailed connection into Council’s pipe shall accompany the submission.
Documentary evidence as requested or the above information must be submitted within thirty six (36) months of the granting of this deferred commencement consent.
Commencement of the consent cannot occur until written approval of the submitted information has been given to Council.
Subject to the above being satisfied, development consent be issued, subject to the following conditions:
SECTION B – GENERAL DEVELOPMENT CONDITIONS
Development Details
1. Approved Plans - The development must be implemented in accordance with the approved plans and supporting documentation listed below which have been endorsed by Council’s approved stamp, except where marked up on the plans and/or amended by conditions of this consent:
|
Description |
Reference No. |
Date |
Revision |
Prepared by |
|
Proposed Site Plan |
A02.01 |
25.10.19 |
D |
ArtMade Architects |
|
Ground Floor Plan |
A03.01 |
25.10.19 |
D |
ArtMade Architects |
|
First Floor Plan |
A03.02 |
25.10.19 |
D |
ArtMade Architects |
|
External Elevations Sheet 1 |
A04.01 |
25.10.19 |
D |
ArtMade Architects |
|
External Elevations Sheet 2 |
A04.02 |
25.10.19 |
D |
ArtMade Architects |
|
Building Sections |
A05.01 |
25.10.19 |
D |
ArtMade Architects |
|
Schedule of External Finishes |
A06.01 |
25.10.19 |
D |
ArtMade Architects |
|
Landscape Plan |
L-01 |
23.10.18 |
B |
RFA Landscape Architects |
Separate Approvals Required Under Other Legislation
2. Section 138 Roads Act 1993 and Section 68 Local Government Act 1993 - Unless otherwise specified by a condition of this consent, this Development Consent does not give any approval to undertake works on public infrastructure.
Separate approval is required under Section 138 of the Roads Act 1993 and/or Section 68 of the Local Government Act 1993 for any of the following activities carried out in, on or over a public road (including the footpath) listed below.
An application is required to be lodged and approved prior to the commencement of any of the following works or activities;
(a) Placing or storing materials or equipment;
(b) Placing or storing waste containers or skip bins;
(c) Erecting a structure or carrying out work
(d) Swinging or hoisting goods over any part of a public road by means of a lift, crane or the like;
(e) Pumping concrete from a public road;
(f) Pumping water from the site into the public road;
(g) Constructing a vehicular crossing or footpath;
(h) Establishing a “works zone”;
(i) Digging up or disturbing the surface of a public road (eg Opening the road for the purpose of connections to utility providers);
(j) Stormwater and ancillary works in the road reserve;
(k) Stormwater and ancillary to public infrastructure on private land; and
(l) If any excavation is to be supported by the use of below ground (cable) anchors that are constructed under Council’s roadways/footways.
These separate activity approvals must be obtained and evidence of the approval provided to the Certifying Authority prior to the issue of the Construction Certificate.
The relevant Application Forms for these activities can be downloaded from Council’s website www.georgesriver.nsw.gov.au. For further information, please contact Council’s Customer Service Centre on (02) 9330 6400.
3. Driveway Crossing - Minor Development - Constructing a driveway crossing and/or footpath requires a separate approval under Section 138 of the Roads Act 1993 prior to the commencement of those works.
To apply for approval, complete the “Application for Driveway Crossing and Associated Works on Council Road Reserve” issued under Section 138 Roads Act.” which can be downloaded from Georges River Council’s Website at www.georgesriver.nsw.gov.au. Lodge the application form, together with the associated fees at Council’s Customer Service Centre, during business hours. Refer to Section P1 and P2, in Council’s adopted Fees and Charges for the administrative and inspection charges associated with Driveway Crossing applications.
An approval for a new or modified driveway crossing will contain the approved access and/or alignment levels which will be required to construct the crossing and/or footpath. Once approved, all work shall be carried out in accordance with Council’s specifications applicable at the time, prior to the issue of an Occupation Certificate.
The design boundary level is to be received from Council prior to construction of the internal driveway.
4. Road Opening Permit - A Road Opening Permit must be obtained from Council, in the case of local or regional roads, or from the RMS, in the case of State roads, for every opening of a public road reserve to access services including sewer, stormwater drains, water mains, gas mains, and telecommunications before the commencement of work in the road.
5. Subdivision - No approval is granted to the subdivision of this dual occupancy.
Requirements of Concurrence, Integrated & Other Government Authorities
6. Sydney Water - Tap in TM - The approved plans must be submitted to a Sydney Water Tap inTM to determine whether the development application will affect Sydney Water’s sewer and water mains, stormwater drains and/or easements, and if further requirements need to be met. The approved plans will be appropriately endorsed. For details please refer to ‘Plumbing, building and developing’ section of Sydney Water’s web site at www.sydneywater.com.au then see ‘Building’, or telephone 13000 TAP IN (1300 082 746). The Certifying Authority must ensure that a Tap inTM agent has appropriately stamped the plans prior to the issue of the Construction Certificate.
7. Notice of Requirements for a Section 73 Certificate - A Notice of Requirements of what will eventually be required when issuing a Section 73 Compliance Certificate under the Sydney Water Act 1994 must be obtained from Sydney Water Corporation. Application must be made through an authorised Water Servicing Co-ordinator. Please refer to the ‘Plumbing, building and developing’ section of the web site www.sydneywater.com.au then refer to ‘Providers’ under ‘Developing’ or telephone 13 20 92 for assistance.
Following application, a ‘Notice of Requirements’ will advise of water and sewer infrastructure to be built and charges to be paid. Please make early contact with the Co-ordinator, as it can take some time to build water/sewer pipes and this may impact on other services and building, driveway or landscape design.
The Notice of requirements must be submitted prior to the commencement of work. A Section 73 Compliance Certificate will be required at the completion of development in accordance with further conditions.
Prior to the Issue of a Construction Certificate
8. On Site Detention - The submitted stormwater plan has been assessed as a concept plan only. Final detailed plans of the drainage system, prepared by a professional engineer specialising in hydraulic engineering, shall be submitted for approval with the Construction Certificate.
An on-site detention (OSD) facility designed by a professional engineer who specialises in Hydraulic Engineering must be designed, approved and installed. The design must include the computations of the inlet and outlet hydrographs and stage/storage relationships of the proposed OSD using the following design parameters:
a) peak flow rates from the site are to be restricted to a permissible site discharge (PSD) equivalent to the discharge when assuming the site contained a single dwelling, garage, lawn and garden,
b) at Annual Recurrence Intervals of 2 years and 100 years.
Refer to Flow Controls in Council's Draft/Adopted Stormwater Drainage Policy.
The OSD facility shall be designed to meet all legislated safety requirements and childproof safety fencing around the facility must be provided where the OSD facility is open or above ground when the design peak storage depth is greater than 300mm. A durable metal plate or similar sign is to be placed at the OSD facility and must bear the words:
"BEWARE: This is an on-site detention basin/tank for rainwater which could overflow during heavy storms."
Full details shall accompany the application for the Construction Certificate.
9. Driveway Construction Plan Details - Detailed engineering plans for the driveway shall be submitted with the Construction Certificate application for approval that show:
a) Longitudinal and cross sections, gradients, access onto the proposed lots, type of construction materials designed in accordance with Council's Subdivision standards and AS/NZS2890.1-2004.
b) Suitable underground provision for the supply of all relevant services to the proposed lots (proposed position of pipes and conduits).
c) The full length of the driveway designed with a minimum 150mm thick reinforced concrete and minimum of 2.7m wide pavement/kerb face to kerb face width, and a non-slip surface.
10. Fees to be paid - The fees listed in the table below must be paid in accordance with the conditions of this consent and Council’s adopted Fees and Charges applicable at the time of payment (available at www.georgesriver.nsw.gov.au).
Payments must be made prior to the issue of the Construction Certificate or prior to the commencement of work (if there is no associated Construction Certificate).
Please contact Council prior to the payment of Section 7.11 Contributions to determine whether the amounts have been indexed from that indicated below in this consent and the form of payment that will be accepted by Council.
Council will only accept Bank Cheque or Electronic Funds Transfer (EFT) for transaction values of $500,000 or over. Council must be contacted prior to payment to determine correct total amount to be paid and bank account details (if applicable).
A summary of the fees to be paid are listed below:
|
Fee Type |
Fee |
|
GENERAL FEES |
|
|
Long Service Levy (to Long Service Corporation) Or, provide evidence of Payment direct to the Long Service Corporation. See https://portal.longservice.nsw.gov.au/bci/levy/ |
|
|
Builders Damage Deposit |
$1,900.00 |
|
Inspection Fee for Refund of Damage Deposit |
$155.00 |
|
DEVELOPMENT CONTRIBUTIONS |
|
|
Kogarah Section 94 Development Contributions Plan No.1 - Roads and Traffic Management - Residential |
$645.30 |
|
Kogarah Section 94 Development Contributions Plan No.5 - Open Space 2007 |
$29,916.04 |
|
Kogarah Section 94 Development Contributions Plan No.9 - Kogarah Libraries - Buildings |
$783.44 |
|
Kogarah Section 94 Development Contributions Plan No.9 - Kogarah Libraries - Books |
$558.60 |
General Fees
The fees and charges above are subject to change and are as set out in the version of Council's Schedule of Fees and Charges or as required by other Government Authorities, applicable at the time of payment.
Development Contributions
The Section 7.11 contribution is imposed to ensure that the development makes adequate provision for the demand it generates for public amenities and public services within the area.
Indexation
The above contributions will be adjusted at the time of payment to reflect changes in the cost of delivering public amenities and public services, in accordance with the indices provided by the relevant Section 94 Development Contributions Plan.
Timing of Payment
The contribution must be paid and receipted by Council prior to the release of the Construction Certificate.
Further Information
A copy of the all current Development Contributions Plans may be inspected or a copy purchased at Council’s offices (Georges River Civic Centre, MacMahon Street, Hurstville and Kogarah Library and Service Centre, Kogarah Town Square, Belgrave Street, Kogarah) or viewed on Council’s website www.georgesriver.nsw.gov.au.
11. Damage Deposit - Minor Works - In order to insure against damage to Council property the following is required:
a) Pay Council, before the issue of the Construction Certificate, a damage deposit for the cost of making good any damage caused to any Council property as a result of the development: $1,900.00
b) Pay Council, before the issue of the Construction Certificate, a non-refundable inspection fee to enable assessment of any damage and repairs where required: $155.00
c) Submit to Council, before the commencement of work, a photographic record of the condition of the Council nature strip, footpath and driveway crossing, or any area likely to be affected by the proposal.
At the completion of work Council will inspect the public works, and the damage deposit will be refunded in full upon completion of work where no damage occurs. Otherwise the amount will be either forfeited or partly refunded according to the amount of damage.
12. Site Management Plan - Minor Development - A Site Management Plan detailing all weather access control points, sedimentation controls, fencing, builder’s site sheds office, amenities, materials storage and unloading arrangements must be submitted with the application for the Construction Certificate.
The site management measures are to be implemented prior to the commencement of any works including demolition and excavation. The site management measures are to be maintained throughout the works, to maintain reasonable levels of public health, safety and amenity. A copy of the Site Management Plan must be kept on site and is to be made available upon request.
13. BASIX Commitments - All energy efficiency measures as detailed in the BASIX Certificate No. 903114M_02 must be implemented on the plans lodged with the application for the Construction Certificate.
14. Required design changes - The following changes are required to be made and shown on the Construction Certificate plans:
|
Landscape Plans |
Amended landscape plans are to be submitted with the Construction Certificate plans that reflect the approved plans and the conditions in relation to additional planting listed in this consent. |
15. Erosion & Sedimentation Control - Erosion and sediment controls must be provided to ensure:
(a) Compliance with the approved Erosion & Sediment Control Plan
(b) Removal or disturbance of vegetation and top soil is confined to within 3m of the approved building area (no trees to be removed without approval)
(c) All clean water runoff is diverted around cleared or exposed areas
(d) Silt fences, stabilised entry/exit points or other devices are installed to prevent sediment from entering drainage systems or waterways
(e) All erosion and sediment controls are fully maintained for the duration of demolition, excavation and/or development works
(f) Controls are put into place to prevent tracking of sediment by vehicles onto adjoining roadway
(g) All disturbed areas are rendered erosion-resistant by turfing, mulching, paving or similar
(h) Compliance with Managing Urban Stormwater - Soils and Construction (Blue Book) produced by Landcom 2004.
These measures are to be implemented prior to the commencement of work (including demolition and excavation) and must remain until works are completed and all exposed surfaces are landscaped/sealed.
16. Stormwater System - The submitted stormwater plan has been assessed as a concept plan only. Final detailed plans of the drainage system, prepared by a professional engineer specialising in hydraulic engineering, shall be submitted for approval with the Construction Certificate:
(a) Prior to the issue of a Construction Certificate, a longitudinal section of the new stormwater pipe from the subject site through the adjacent downstream property: surface levels, invert levels and public utility services shall be submitted to Council’s satisfaction.
(b) All stormwater from the site shall drain by gravity to a new proposed Junction Pit over Council’s existing pipe subject to the satisfaction of Council’s Asset and Infrastructure engineers in writing prior to the issue of the Construction Certificate.
(c) The construction of the new proposed site stormwater disposal pipe shall be to the satisfaction of Council’s Asset engineer for approval.
(d) It is recommended that the design of the driveway profile shall keep a crest level along the boundary to avoid that the street gutter flow would be running into the basement.
(e) Stormwater drainage plans including pipe sizes, type, grade, length, invert levels, dimensions and types of drainage pits prepared by a professional engineer who specialises in Hydraulic Engineering in accordance with the Australian Institute of Engineers Australian Rainfall and Runoff (1987) and Council's Stormwater Drainage Guidelines, shall accompany the application for the Construction Certificate.
17. Traffic Management - Compliance with AS2890 - All driveways, access ramps, vehicular crossings and car parking spaces shall be designed and constructed in accordance with the current version of Australian Standards, AS 2890.1 (for car parking facilities) and AS 2890.2 (for commercial vehicle facilities).
18. Waste Management Plan - A Waste Management Plan incorporating all requirements in respect of the provision of waste storage facilities, removal of all materials from the site that are the result of site clearing, extraction, and, or demolition works and the designated Waste Management Facility shall be submitted to the Certifying Authority prior to the issue of any Construction Certificate.
19. Landscape Plans - All landscape works shall be carried out in accordance with the approved landscape plans and specifications, drawn by Ray Fuggle Architects, reference numbers - 4415a, L - 01. The landscaping shall be maintained in accordance with the approved plans in perpetuity, subject to the following -
a) A replacement tree for the Elaeocarpus reticulatus proposed within the backyard is to be replaced with an Australian native that shall reach a height of nine (9) metres at maturity.
b) Two Callistemon viminalis are to be planted on the council verge.
c) The proposed plant species, pot/ bag size and quantities of plants shall be in accordance with the proposed plant schedule upon the landscape plan. If plant species, pot/ bag size and quantities cannot be sourced, Council shall be contacted for alternatives.
20. Tree Protection and Retention - The following trees shall be retained and protected:
|
Tree Species |
Location of Tree / Tree No. |
Tree Protection Zone (metres) Fencing distance out from tree |
|
Magnolia grandiflora ”Little Gem” |
Within backyard of 47 Burgess St Beverley Park |
3.0 metres |
|
Magnolia grandiflora “Liittle Gem” x 2 |
Within front yard of 47 Burgess St Beverley Pk |
2.4 metres |
Details of the trees to be retained must be included on the Construction Certificate plans.
General Tree Protection Measures
(a) All trees to be retained shall be protected before and maintained during demolition, excavation and construction of the site.
(b) The tree protection measures must be in undertaken in accordance AS4970 -2009 Protection of trees on development sites.
(c) Details of the tree protection measures to be implemented must be provided with the application for a Construction Certificate by a suitably qualified Arborist (AQF Level 5 or above in Arboriculture).
(d) The Arborist must be present on-site during the stages of construction when works are being undertaken that could impact on the tree canopy or root zone within the tree protection zone to implement the tree protection measures as required.
(e) Unless otherwise specified in AS 4970-2009 Protection of trees on development sites, a protective fence consisting of 1.8 metres high, fully supported chainmesh fence shall be erected around the base of the tree. The distance of the fence from the base of each tree is to be in accordance with the TPZ listed in the table above. A layer of organic mulch 100 millimetres thick shall be placed over the protected area and no soil or fill should be placed within the protection area.
(f) The Tree Protection Zone of each tree, to be protected, shall be watered thoroughly, regularly to minimise the effects of construction works.
(g) No services shall be installed within the TPZ of the tree unless approved by Council. This fence shall be kept in place during demolition, construction and also have a sign displaying ‘Tree Protection Zone - DO NOT ENTER’ attached to the fence and must also include the name and contact details of the Project Arborist.
Excavation works near tree to be retained
(h) Excavations around the trees to be retained on site or the adjoining properties shall be supervised by the Project Arborist to ensure that the root system will not adversely be affected.
(i) Where the Tree Protection Zone (TPZ) of trees on site or adjoining sites become compromised by any excavation works, the Project arborist shall be consulted to establish the position of any major roots and determine the necessary measures to protect these roots. The recommendations of the Arborist shall be submitted to Council prior to any further demolition or construction works taking place.
(j) Tree Protection Zone around the trees to be retained are not to have soil level changes or services installed in this area. Any structures proposed to be built in this area of the trees are to utilise pier and beam or cantilevered slab construction.
Details satisfying this condition shall be shown on the Construction Certificate plans.
Removal or pruning of any other tree (that would require consent of Council) on the site is not approved. All pruning must be undertaken by a qualified Arborist in accordance with AS4373 -2007 Pruning of Amenity Trees and Amenity Tree Industry, Code of Practice (SafeWork NSW August 1998).
21. Tree Removal & Replacement - Tree removal - Permission is granted for the removal of the following trees:
|
Tree Species |
Number of trees |
Location |
|
Gingko biloba |
X1 |
Within backyard, south fence |
|
Schefflera actinophylla |
X1 |
Within backyard, south fence |
|
Plumeria acutifolia |
X1 |
Front yard of site |
|
Callistemon viminalis |
X1 |
Councils street tree |
General Tree Removal Requirements
(a) All tree removal shall be carried out by a certified Tree Surgeon/Arborist to ensure that removal is undertaken in a safe manner and complies with the AS 4373-2007 - Pruning of Amenity Trees and Tree Works Industry Code of Practice (Work Cover NSW 1.8.98).
(b) No trees are to be removed on the site or neighbouring properties without the prior written approval of Council.
(c) Council shall be appointed to remove and or plant all tree/s on public land. All costs associated with the removal of the tree/s and the planting of replacement trees shall be met by the applicant. Fees and charges outlined in the table below are subject to change and are set out in the current version of Council's ‘Schedule of Fees and Charges’, applicable at the time of payment.
A copy of the Hurstville City Council’s Tree Removal and Pruning Guidelines and Kogarah City Council, Street Tree Management Strategy and Masterplan, can be downloaded from Council’s website www.georgesriver.nsw.gov.au.
22. Allocation of street addresses - In order to comply with AS/NZS 4819:2011 Rural and Urban Addressing, the NSW Addressing User Manual (Geographical Names Board of NSW) and Georges River Council’s requirements, the street addresses for the subject development is allocated as follows:
|
Dwelling description on plans |
Location within development |
Proposed street address to comply with AS/NZS 4819:2011 and NSW Addressing Manual |
|
Lot A |
Northern dwelling |
45 Burgess Street BEVERLEY PARK NSW 2217 |
|
Lot B |
Southern dwelling |
45A Burgess Street BEVERLEY PARK NSW 2217 |
Details indicating compliance with this condition must be shown on the plans lodged with any Construction Certificate for approval.
Prior to the Commencement of Work (Including Demolition & Excavation)
23. Demolition & Asbestos - The demolition work shall comply with the provisions of Australian Standard AS2601:2001 - Demolition of Structures, NSW Work Health & Safety Act 2011 and the NSW Work Health & Safety Regulation 2011. The work plans required by AS2601:2001 shall be accompanied by a written statement by a suitably qualified person that the proposals contained in the work plan comply with the safety requirements of the Standard. The work plans and the safety statement shall be submitted to the PCA prior to the commencement of works.
For demolition work which involves the removal of asbestos, the asbestos removal work must be carried out by a licensed asbestos removalist who is licensed to carry out the work in accordance with the NSW Work Health & Safety Act 2011 and the NSW Work Health & Safety Regulation 2011 unless specified in the Act and/or Regulation that a license is not required.
All demolition work including the removal of asbestos, shall be undertaken in accordance with the Demolition Code of Practice (NSW Work Cover July 2015).
Note: Copies of the Act, Regulation and Code of Practice can be downloaded free of charge from the SafeWork NSW website: www.SafeWork.nsw.gov.au.
24. Demolition Notification Requirements - The following notification requirements apply to this consent:
(a) The developer /builder must notify adjoining residents five (5) working days prior to demolition. Such notification is to be a clearly written note giving the date demolition will commence, contact details of the developer/builder, licensed asbestos demolisher and the appropriate regulatory authority. Notification is to be placed in the letterbox of every premises (including every residential flat or unit, if any) either side and immediately at the rear of the demolition site.
(b) Five (5) working days prior to demolition, the developer/builder is to provide written notification to Council advising of the demolition date, details of the SafeWork licensed asbestos demolisher and the list of residents advised of the demolition.
(c) On demolition sites where buildings to be demolished contain asbestos, a standard commercially manufactured sign containing the words “DANGER ASBESTOS REMOVAL IN PROGRESS” measuring not less than 400mm x 300mm is to be erected in a prominent visible position (from street frontage) on the site. The sign is to be erected prior to demolition work commencing and is to remain in place until such time as all asbestos material has been removed from the site to an approved waste facility.
25. Demolition work involving asbestos removal - Work involving bonded asbestos removal work (of an area of more than 10 square metres) or friable asbestos removal work must be undertaken by a person who carries on a business of such removal work in accordance with a licence under clause 458 of the Work Health and Safety Regulation 2011.
26. Dial before your dig - The applicant shall contact “Dial Before You Dig on 1100” to obtain a Service Diagram prior to the issuing of the Construction Certificate. The sequence number obtained from “Dial Before You Dig” shall be forwarded to the Principal Certifying Authority (PCA) and Council for their records.
27. Registered Surveyors Report - During Development Work - A report must be submitted to the PCA at each of the following applicable stages of construction:
a) Set out before commencing excavation.
b) Floor slabs or foundation wall, before formwork or commencing brickwork.
c) Completion of Foundation Walls - Before any construction of flooring, detailing the location of the structure relative to adjacent boundaries and floor levels relative to the datum shown on the approved plans.
d) Completion of Floor Slab Formwork - Before pouring of concrete/walls construction, detailing the location of the structure relative to adjacent boundaries and floor levels relative to the datum shown on the approved plans. In multi-storey buildings a further survey must be provided at each subsequent storey.
e) Completion of any Pool Formwork - Before concreting of pool shell, detailing the location of the pool relative to the adjacent boundaries and its height relative to the datum shown on the approved plans.
f) Completion of any Roof Framing - Before roof covered detailing eaves/gutter setback from boundaries.
g) Completion of all Work - Detailing the location of the structure (including eaves/gutters) relative to adjacent boundaries and its height relative to the datum shown on the approved plans. A final Check Survey must indicate the reduced level of the main ridge.
Work must not proceed beyond each stage until the PCA is satisfied that the height and location of the building is proceeding in accordance with the approved plans.
28. Utility Arrangements - Arrangements are to be made with utility authorities in respect to the services supplied by those authorities to the development. The cost associated with the provision or adjustment of services within the road and footway areas is to be at the applicant’s expense.
During Construction
29. Site sign - Soil & Erosion Control Measures - Prior to the commencement of works (including demolition and excavation), a durable site sign, issued by Council in conjunction with this consent, must be erected in a prominent location on site. The site sign warns of the penalties which apply to pollution, storing materials on road or footpath and breaches of the conditions relating to erosion and sediment controls. The sign must remain in a prominent location on site up until the completion of all site and building works.
30. Hours of construction for demolition and building work - Any work activity or activity associated with the development consent that requires the use of any tools (including hand tools) or any power operated plant and machinery that creates noise on or adjacent to the site shall not be performed, or permitted to be performed, except between the hours of 7.00 am to 5.00 pm, Monday to Saturday inclusive. No work or ancillary activity is permitted on Sundays, or Public Holidays.
Note: A penalty infringement notice may be issued for any offence.
31. Ground levels and retaining walls - The ground levels of the site shall not be excavated, raised or filled, or retaining walls constructed on the allotment boundary, except where indicated on approved plans or approved by Council.
32. Cost of work to be borne by the applicant - The applicant shall bear the cost of all works associated with the construction of the development that occurs on Council property. Care must be taken to protect Council's roads, including the made footway, kerbs, etc., and, where plant and vehicles enter the site, the footway shall be protected against damage by deep-sectioned timber members laid crosswise, held together by hoop iron straps and chamfered at their ends. This construction shall be maintained in a state of good repair and condition throughout the course of construction.
33. Obstruction of Road or Footpath - The use of the road or footpath for the storage of any building materials, waste materials, temporary toilets, waste or skip bins, or any other matter is not permitted unless separately approved by Council under Section 138 of the Roads Act 1993 and/or under Section 68 of the Local Government Act 1993. Penalty infringement Notices may be issued for any offences and severe penalties apply.
34. Waste Management Facility - All materials removed from the site as a result of demolition, site clearing, site preparation and, or excavation shall be disposed of at a suitable Waste Management Facility. No vegetation, article, building material, waste or the like shall be ignited or burnt.
Copies of all receipts for the disposal, or processing of all such materials shall be submitted to the PCA and Council, where Council is not the Principal Certifying Authority.
35. Tree Removal on Private Land - The trees identified as ‘to be removed/pruned’ on the approved plans or by conditions of this consent shall be removed in accordance with AS4373-2007 and the Amenity Tree Industry Code of Practice (SafeWork NSW, August 1998).
36. Excavation works near tree to be retained - Excavation around the tree/s to be retained on site or the adjoining properties shall be supervised by the Project Arborist to ensure that the root system will not be adversely affected.
Where the Tree Protection Zone of trees on site or adjoining sites become compromised by any excavation works, the Project Arborist shall be consulted to establish the position of any major roots and determine the necessary measures to protect these roots. The recommendations of the Arborist shall be submitted to Council prior to any further demolition or construction works taking place.
Prior to the issue of the Occupation Certificate
37. Section 73 Compliance Certificate - A Section 73 Compliance Certificate under the Sydney Water Act 1994 must be submitted to the PCA prior to the issue of the Occupation Certificate.
38. Requirements prior to the issue of the Occupation Certificate - The following shall be completed and or submitted to the PCA prior to the issue of the Occupation Certificate:
(a) All the stormwater/drainage works shall be completed in accordance with the approved Construction Certificate plans prior to the issue of the Occupation Certificate.
(b) The internal driveway construction works, together with the provision for all services (conduits and pipes laid) shall be completed in accordance with the approved Construction Certificate plans prior to the issue of the Occupation Certificate.
(c) Construct any new vehicle crossings required.
(d) Replace all redundant vehicle crossing laybacks with kerb and guttering, and replace redundant concrete with turf.
(e) Work as Executed Plans prepared by a Chartered Professional Engineer or a Registered Surveyor when all the site engineering works are complete shall be submitted to the PCA prior to the issue of the Occupation Certificate.
39. Stormwater drainage works - Works As Executed - Prior to the issue of the Occupation Certificate, stormwater drainage works are to be certified by a professional engineer specialising in hydraulic engineering, with Works-As-Executed drawings supplied to Council detailing:
(a) Compliance with conditions of development consent relating to stormwater;
(b) The structural adequacy of the On-Site Detention system (OSD);
(c) That the works have been constructed in accordance with the approved design and will provide the detention storage volume and attenuation in accordance with the submitted calculations;
(d) Pipe invert levels and surface levels to Australian Height Datum;
(e) Contours indicating the direction in which water will flow over land should the capacity of the pit be exceeded in a storm event exceeding design limits.
Council must advise in writing that they are satisfied with the Works-As-Executed prior to the issue of an Occupation Certificate.
40. BASIX Compliance Certificate - A Compliance Certificate must be provided to the PCA regarding the implementation of all energy efficiency measures as detailed in the approved BASIX Certificate before any Occupation Certificate is issued.
41. Completion of Landscape Works - All landscape works must be completed before the issue of the Final Occupation Certificate in accordance with approved landscape plans and specifications, drawn by Ray Fuggle Architects, reference numbers - 4415a, L - 01. The landscaping shall be maintained in accordance with the approved plans in perpetuity, subject to the following -
a) A replacement tree for the Elaeocarpus reticulatus proposed within the backyard be replaced with an Australian native that shall reach a height of nine (9) metres at maturity.
b) Two Callistemon viminalis are to be planted on the council verge.
c) The proposed plant species, pot/ bag size and quantities of plants shall be in accordance with the proposed plant schedule upon the landscape plan. If plant species, pot/ bag size and quantities cannot be sourced, Council shall be contacted for alternatives.
42. Vehicular crossing - Minor development - The vehicular crossing and/or footpath works shall be constructed by a private contractor at the expense of the applicant, in accordance with the ‘Application for Driveway Crossing and Associated Works on Council Road Reserve’ approval issued by Council’s Assets and Infrastructure Division.
Any existing vehicular crossing and/or laybacks which are redundant must be removed. The kerb and gutter, any other footpath and turf areas shall be restored at the expense of the applicant and in accordance with Council’s Specification for Vehicular Crossings and Associated Works.
NOTE: No stencilled or coloured concrete may be used outside the boundary of the property.
The work must be completed before the issue of an Occupation Certificate.
43. Notice to Council - Allocation of street addresses - Prior to the issue of any Occupation Certificate, ‘as-built’ drawings detailing the installed and allocated street/unit address and numbering must be submitted to the satisfaction of Council.
Operational Conditions (Ongoing)
44. Maintenance of Landscaping - All trees and plants forming part of the landscaping must be maintained. Maintenance includes watering, weeding, removal of rubbish from tree bases, fertilizing, pest and disease control, replacement of dead or dying plants and any other operations required to maintain healthy trees, plants and turfed areas.
45. Outdoor Lighting - To avoid annoyance to the occupants of adjoining premises or glare to motorist on nearby roads, outdoor lighting must comply with AS 4282-1997: Control of the obtrusive effects of outdoor lighting.
46. Amenity of the neighbourhood - The implementation of this development shall not adversely affect the amenity of the neighbourhood or interfere unreasonably with the comfort or repose of a person who is outside the premises by reason of the emission or discharge of noise, fumes, vapour, odour, steam, soot, dust, waste water, waste products, grit, oil or other harmful products.
Operational Requirements Under the Environmental Planning & Assessment Act 1979
47. Requirement for a Construction Certificate - The erection of a building must not commence until a Construction Certificate has been issued.
48. Appointment of a PCA - The erection of a building must not commence until the applicant has:
(a) appointed a PCA for the building work; and
(b) if relevant, advised the PCA that the work will be undertaken as an Owner -Builder.
If the work is not going to be undertaken by an Owner - Builder, the applicant must:
(a) appoint a Principal Contractor to undertake the building work. If residential building work (within the meaning of the Home Building Act 1989) is to be undertaken, the Principal Contractor must be a holder of a contractor licence; and
(b) notify the PCA of the details of any such appointment; and
(c) notify the Principal Contractor of any critical stage inspections or other inspections that are required to be carried out in respect of the building work.
An Information Pack is attached for your convenience should you wish to appoint Georges River Council as the PCA for your development.
49. Notification Requirements of PCA - No later than two days before the building work commences, the PCA must notify:
(a) the consent authority and the Council (if not the consent authority) of his or her appointment; and
(b) the applicant of the critical stage inspections and other inspections that are to be carried out with respect to the building work.
50. Notice of Commencement - The applicant must give at least two days notice to the Council and the PCA of their intention to commence the erection of a building.
A Notice of Commencement Form is attached for your convenience.
51. Critical Stage Inspections - The last critical stage inspection must be undertaken by the PCA. The critical stage inspections required to be carried out vary according to Building Class under the Building Code of Australia and are listed in Clause 162A of the Environmental Planning and Assessment Regulation 2000.
52. Notice to be given prior to critical stage inspections - The principal contractor for a building site, or the owner-builder, must notify the PCA at least 48 hours before each required inspection needs to be carried out.
Where Georges River Council has been appointed as the PCA, 48 hours notice in writing, or alternatively 24 hours notice by facsimile or telephone, must be given when specified work requiring inspection has been completed.
53. Occupation Certificate - A person must not commence occupation or use of the whole or any part of a new building unless an Occupation Certificate has been issued in relation to the building or part.
Only the PCA appointed for the building work can issue the Occupation Certificate.
An Occupation Certificate Application Form is attached for your convenience.
Prescribed Conditions
54. Clause 97A - BASIX Commitments - This Clause requires the fulfilment of all BASIX Commitments as detailed in the BASIX Certificate to which the development relates.
55. Clause 98 - Building Code of Australia & Home Building Act 1989 - Requires all building work to be carried out in accordance with the Building Code of Australia. In the case of residential building work to which the Home Building Act 1989 relates, there is a requirement for a contract of insurance to be in force before any work commences.
56. Clause 98A - Erection of Signs - Requires the erection of signs on site and outlines the details which are to be included on the sign. The sign must be displayed in a prominent position on site and include the name and contact details of the PCA and the Principal Contractor.
57. Clause 98B - Home Building Act 1989 - If the development involves residential building work under the Home Building Act 1989, no work is permitted to commence unless certain details are provided in writing to Council. The name and licence/permit number of the Principal Contractor or Owner Builder and the name of the Insurer by which work is insured under Part 6 of the Home Building Act 1989.
58. Clause 98E - Protection & support of adjoining premises - If the development involves excavation that extends below the level of the base of the footings of a building on adjoining land, this prescribed condition requires the person who benefits from the development consent to protect and support the adjoining premises and where necessary underpin the adjoining premises to prevent any damage.
59. Clause 98E - Site Excavation - Excavation of the site is to extend only to that area required for building works depicted upon the approved plans. All excess excavated material shall be removed from the site.
All excavations and backfilling associated with the erection or demolition of a building must be executed safely and in accordance with appropriate professional standards.
All excavations associated with the erection or demolition of a building must be properly guarded and protected to prevent them from being dangerous to life or property.
If the soil conditions require it, retaining walls associated with the erection or demolition of a building or other approved methods of preventing movement of the soil shall be provided and adequate provision shall be made for drainage.
Advice
60. Review of Determination - Section 8.2 of the Environmental Planning and Assessment Act confers on an applicant who is dissatisfied with the determination of the application the right to lodge an application with Council for a review of such determination. Any such review must however be completed within 6 months from its determination. Should a review be contemplated sufficient time should be allowed for Council to undertake public notification and other processes involved in the review of the determination.
Note: Review provisions do not apply to Complying Development, Designated Development, State Significant Development, Integrated Development or any application determined by the Sydney South Planning Panel or the Land & Environment Court.
61. Appeal Rights - Part 8 (Reviews and appeals) of the Environmental Planning and Assessment Act 1979 confers on an applicant who is dissatisfied with the determination of the application a right of appeal to the Land and Environment Court of New South Wales.
62. Lapsing of Consent - This consent will lapse unless the development is physically commenced within 5 years from the Date of Operation of this consent, in accordance with Section 4.53 of the Environmental Planning and Assessment Act 1979 as amended.
63. Long Service Levy - The Long Service Corporation administers a scheme which provides a portable long service benefit for eligible workers in the building and construction industry in NSW. All benefits and requirements are determined by the Building and Construction Industry Long Service Payments Act 1986. More information about the scheme and the levy amount you are required to pay to satisfy a condition of your consent can be found at http://www.longservice.nsw.gov.au.
The required Long Service Levy payment can be direct to the Long Service Corporation via their web site https://online.longservice.nsw.gov.au/bci/levy. Payments can only be processed on-line for the full levy owing and where the value of work is between $25,000 and $6,000,000. Payments will be accepted for amounts up to $21,000, using either MasterCard or Visa.
64. Security deposit administration & compliance fee - Under Section 97 (5) of the Local Government Act 1993, a security deposit (or part) if repaid to the person who provided it is to be repaid with any interest accrued on the deposit (or part) as a consequence of its investment.
Council must cover administration and other costs incurred in the investment of these monies. The current charge is $50.00 plus 2% of the bond amount per annum.
The interest rate applied to bonds is set at Council's business banking facility rate as at 1 July each year. Council will accept a bank guarantee in lieu of a deposit.
All interest earned on security deposits will be used to offset the Security Deposit Administration and Compliance fee. Where interest earned on a deposit is not sufficient to meet the fee, it will be accepted in full satisfaction of the fee.
65. Stormwater & Ancillary Works - Applications under Section 138 Roads Act and/or Section 68 Local Government Act 1993 - To apply for approval under Section 138 of the Roads Act 1993 and/or Section 68 Local Government Act 1993:
(a) Complete the Stormwater Drainage Application Form which can be downloaded from Georges River Council’s website at www.georgesriver.nsw.gov.au.
(b) In the Application Form, quote the Development Consent No. (eg. DA2018/0***) and reference this condition number (e.g. Condition 23)
(c) Lodge the application form, together with the associated fees at Council’s Customer Service Centre, during business hours. Refer to Council’s adopted Fees and Charges for the administrative and inspection charges associated with stormwater applications.
The developer must meet all costs of the extension, relocation or reconstruction of any part of Council’s drainage system (including design drawings and easements) required to carry out the approved development.
The preparation of all engineering drawings (site layout plans, cross sections, longitudinal sections, elevation views together with a hydraulic grade analysis) and specifications for the new stormwater drainage system to be arranged by the applicant. The design plans must be lodged and approved by Council prior to the issue of a Construction Certificate.
NOTE: A minimum of four weeks should be allowed for assessment.
66. Council as PCA - Deemed to Satisfy Provisions of BCA - Should the Council be appointed as the PCA in determining the Construction Certificate, the building must comply with all the applicable deemed to satisfy provision of the BCA. However, if an alternative fire solution is proposed it must comply with the performance requirements of the BCA, in which case, the alternative solution, prepared by an appropriately qualified fire consultant, accredited and having specialist qualifications in fire engineering, must justifying the non-compliances with a detailed report, suitable evidence and expert judgement. Council will also require if deemed necessary, for the alternative solution to undergo an independent peer review by either the CSIRO or other accredited organisation. In these circumstances, the applicant must pay all costs for the independent review.
67. Site Safety Fencing - Site fencing must be erected in accordance with SafeWork Guidelines, to exclude public access to the site throughout the demolition and/or construction work, except in the case of alterations to an occupied dwelling. The fencing must be erected before the commencement of any work and maintained throughout any demolition and construction work.
A demolition licence and/or a high risk work license may be required from SafeWork NSW (see www.SafeWork.nsw.gov.au).
|
Attachment ⇩1 |
Site and Elevation Plans |
|
Georges River Council - Georges River Local Planning Panel (LPP) - Thursday, 21 November 2019 LPP050-19 45 Burgess Street Beverley Park [Appendix 1] Site and Elevation Plans |
Page 41 |


|
Georges River Council – Local Planning Panel Thursday, 21 November 2019 |
Page 49 |
REPORT TO GEORGES RIVER COUNCIL
LPP MEETING OF Thursday, 21 November 2019
|
LPP Report No |
LPP051-19 |
Development Application No |
DA2018/0181 |
|
Site Address & Ward Locality |
172-174 Railway Parade and 1B Gray Street Kogarah Kogarah Bay Ward |
||
|
Proposed Development |
Demolition of existing structure and construction of a twelve (12) storey shop top housing development consisting of fifty two (52) residential apartments, ground floor commercial/retail floor area and three (3) levels of basement car parking. |
||
|
Owners |
Majenttas Pty Ltd |
||
|
Applicant |
AB Works |
||
|
Planner/Architect |
Planner: Devlin Planning Pty Ltd; Architect: AB Works |
||
|
Date Of Lodgement |
8/05/2018 |
||
|
Submissions |
Two (2) |
||
|
Cost of Works |
$18,300,557 .00 |
||
|
Local Planning Panel Criteria |
The application relates to development to which the State Environmental Planning Policy No. 65 – Design Quality of Residential Apartment Development applies. |
||
|
List of all relevant s.4.15 matters (formerly s79C(1)(a)) |
State Environmental Planning Policy No 65 – Design Quality of Residential Apartment Development, State Environmental Planning Policy (Vegetation in Non-Rural Areas) 2017, State Environmental Planning Policy (Building Sustainability Index: BASIX) 2004, Greater Metropolitan Regional Environmental Plan No 2 – Georges River Catchment, State Environmental Planning Policy No 55 - Remediation of Land, State Environmental Planning Policy (Infrastructure) 2007, Greater Metropolitan Regional Environmental Plan No 2 – Georges River Catchment, Kogarah Local Environmental Plan 2012, Kogarah Development Control Plan 2012 |
||
|
List all documents submitted with this report for the Panel’s consideration |
Statement of Environmental Effects Site Plan and Elevation Plans Landscape Plans
|
||
|
Report prepared by |
Senior Development Assessment Planner |
||
|
|
Summary of matters for consideration under Section 4.15 Have all recommendations in relation to relevant s4.15 matters been summarised in the Executive Summary of the assessment report? |
Yes |
|
Legislative clauses requiring consent authority satisfaction Have relevant clauses in all applicable environmental planning instruments where the consent authority must be satisfied about a particular matter been listed, and relevant recommendations summarised, in the Executive Summary of the assessment report? |
Yes |
|
Clause 4.6 Exceptions to development standards If a written request for a contravention to a development standard (clause 4.6 of the LEP) has been received, has it been attached to the assessment report? |
Not Applicable
|
|
Special Infrastructure Contributions Does the DA require Special Infrastructure Contributions conditions (under s7.24)? |
Not Applicable |
|
Conditions Have draft conditions been provided to the applicant for comment? |
No, standard conditions have been attached with no design changes. These conditions can be viewed when the agenda is published. |
|
Site Plan
The development site is outlined in red. |
Executive Summary
Proposal
1. The development application proposes demolition works and construction of a twelve (12) storey shop top housing development comprising three (3) levels of basement parking. Three (3) retail tenancies fronting Railway Parade are proposed on the ground floor, with vehicular access proposed from Gray Street. The total number of units proposed is fifty two (52) residential units (10 x 1 bedroom units, 39 x 2 bedroom units and 3 x 3 bedroom units). Communal open space is provided on the first floor and on the rooftop.

Figure 1: Photomontage of the proposal
Site and Locality
2. The subject site is legally identified as Lot 11 in DP911188 and Lots 2 and 3 in DP1753, and has a street address of 1B Gray Street and 172-174 Railway Parade, Kogarah.
3. The site is located on the corner of Railway Parade and Gray Street. The site currently contains a single storey brick building on the corner of Railway Parade and Gray Street.
4. The intersection of Gray Street and Railway Parade is a signalised intersection.
5. The wider locality features a diverse mix of land uses including primarily medical related uses, commercial/retail activities, shop top housing and the St George Hospital campus, further to the south east.
Zoning and Permissibility
6. The site is zoned ‘B4 Mixed Use’ under the Kogarah Local Environmental Plan 2012 (KLEP). The development is defined as shop top housing under KLEP which is permissible with consent in this zone.
Submissions
7. The development application was publicly exhibited in accordance with the provisions of the Kogarah Development Control Plan 2013. Two (2) submissions were received in response.
8. Amendments to the application undertaken during the course of its assessment were not required to be publicly notified in accordance with the development control plan, as they did not result in significant additional environmental impacts.
Level of Determination
9. This development application is referred to the Local Planning Panel for consideration and determination as it comprises development to which State Environmental Planning Policy No 65 – Design Quality of Residential Apartment Development applies as required by the Ministerial Direction of 23 February 2018.
Conclusion
10. The proposed development has been assessed having regard to the matters for consideration under Section 4.15(1) of the Environmental Planning and Assessment Act 1979. The proposal is acceptable and it is recommended for approval subject to conditions.
Report in Full
Description of Proposal
11. The development application proposes demolition works and construction of a 12 storey shop top housing development including three (3) levels of basement parking. Three (3) retail tenancies fronting Railway Parade are proposed on the ground floor, with vehicular access from Gray Street. The total number of residential units proposed is 52 (10 x 1 bedroom units, 39 x 2 bedroom units and 3 x 3 bedroom units). Communal open space is provided on the first floor and on the rooftop.
12. Specifically, the proposal includes the following:
Basement Levels
· Basement Level 1 - This basement level contains 18 parking spaces, residential storage, bicycle parking, two (2) lift, egress stairs and plant.
· Basement Level 2 - This basement level contains 28 parking spaces, residential storage, two (2) lifts, egress stairs and plant.
· Basement Level 3 - This basement level contains 29 parking spaces, residential storage, two (2) lifts, egress stairs and plant.
Ground Floor
The ground floor contains three (3) retail tenancies fronting Railway Parade, the residential entry lobby from Gray Street, service and plant rooms, an accessible WC, lift and stair access to the basements and levels above. Vehicular access to the site is from Gray Street, and five parking spaces plus a loading bay are located on this level, as well as the commercial and residential bin store rooms.
Level 1
This level contains five units (1 x 1 bedroom, 3 x 2 bedroom and 1 x 3 bedroom units). An area of communal open space is also provided on this level at the rear of the units.
Levels 2 and 3
These levels contain five units each (1 x 1 bedroom, 3 x 2 bedroom and 1 x 3 bedroom units).
Levels 4 to 10
These levels contain five units at each level (1 x 1 bedroom and 4 x 2 bedroom units).
Level 11
This level contains 2 x 2 bedroom units and an area of communal open space and supporting services.
Description of the Site and Locality
13. The subject site is legally identified as Lot 11 in DP911188 and Lots 2 and 3 in DP1753, and has a street address of 1B Gray Street and 172-174 Railway Parade, Kogarah. The site is located on the corner of Railway Parade and Gray Street.
The site currently contains a single storey brick building in poor condition on the corner of Railway Parade and Gray Street and a vacant allotment.
14. The site is of an irregular shape, having street frontages of 26.72m to Railway Parade, 28.395m to Gray Street, a depth of 45.185m along the south western site boundary and an overall area of 1,097sqm.
15. The intersection of Gray Street and Railway Parade is a signalised intersection.
16. Immediately to the south west of the site is an at-grade car park and single storey commercial building known as 176-178 Railway Parade. Immediately to the south east at 1A Gray Street is a substation.
17. Across Gray Street to the east are terraces at 4-14 Gray Street, which are listed in Schedule 5 of Kogarah LEP 2102 as heritage items of local significance (Item I75).
18. Across Railway Parade from the site is the Illawarra Railway Line and associated commuter car parking.
19. The site is situated on the south western edge of the Kogarah Town Centre forming part of a narrow strip of uses along the southern side of Railway Parade that is in the process of transitioning from a mix of small scale residential and commercial land uses into a range of commercial and residential uses permitted under the Local Environmental Plan.
20. To the north east of the site (the Town Centre) features a diverse mix of land uses including primarily medical related uses, commercial/retail activities, shop top housing and most prominently the St. George Hospital campus. Kogarah railway station and the adjoining retail complex known as Kogarah Town Centre are approximately 400m walking distance from the site.
21. The character of development south and west of the site (with the exception of the aforementioned strip along Railway Parade) is dominated by residential land uses including dwelling houses, residential flat buildings and similar. The scale of development generally diminishes with the distance from Railway Parade and Gray Street to the south west.
22. The current nature of the site and its immediate surrounds are illustrated in figures 2 to 5 below.

Figure 2: The site as viewed from the intersection of Railway Parade and Gray Street

Figure 3: The site as viewed from Railway Parade

Figure 4: Substation at 1A Gray Street

Figure 5: Development on the eastern side of Gray Street
PLANNING ASSESSMENT
23. The subject site has been inspected and the development has been assessed under the relevant Section 4.15, Matters for Consideration of the Environmental Planning & Assessment Act 1979.
Environmental Planning Instruments
State Environmental Planning Policies
24. Compliance with relevant State Environmental Planning Policies is summarised in the table as follows and discussed in more detail thereafter.
|
State Environmental Planning Policy |
Complies |
|
State Environmental Planning Policy No 55 - Remediation of Land |
Yes |
|
State Environmental Planning Policy (Building Sustainability Index: BASIX) 2004 |
Yes |
|
State Environmental Planning Policy (Vegetation in Non-Rural Areas) 2017 |
N/A
|
|
State Environmental Planning Policy No. 65 - Design Quality of Residential Apartment Development |
Yes |
|
State Environmental Planning Policy – Infrastructure |
Yes |
State Environmental Planning Policy No 55 - Remediation of Land
25. SEPP 55 aims to promote the remediation of contaminated land in order to reduce the risk of harm to human health or any other aspect of the environment.
26. Clause 7 requires contamination and remediation to be considered in determining a development application. The consent authority must not consent to the carrying out of development on land unless it has considered whether or not the land is contaminated.
27. A Detailed Investigation Report was submitted with the application, which concludes:
‘At the time of the site investigation, Lots 2 & 3 are vacant, and a dilapidated building occupied Lot 11. Fibre cement sheeting which is expected to contain asbestos was identified within the fabric of the dilapidated building on Lot 11. The site was enclosed, although breaches in the wire mesh fence were noted along the western boundary.
Soil samples were recovered from a total of seven locations across the site for this investigation, and the results of the sample analyses have shown that the concentrations of chemical contaminants in the soils across the site are generally low and at levels that would not present an unacceptable risk to human-health for a commercial/high density residential land use setting. Further, the site is not likely to be a source of unacceptable groundwater impacts.
However, both bonded asbestos and friable asbestos/asbestos fines were identified in the fill material on the southern half of the site. The concentrations of bonded asbestos and friable asbestos/asbestos fines identified in BH5 and BH6A respectively exceed the screening criteria. The asbestos impacted soil could present a potential risk to human-health for a commercial/high-density residential land use setting if
a) the soil was to remain on the site and
b) if the affected soil was to be accessible to site occupants.
Remediation of the asbestos impacted soil will be necessary to make the site suitable for the proposed mixed commercial and high-density residential redevelopment. However, given that most of the site is proposed to be bulk excavated for a basement car parking area, remediation might be achieved simply by redeveloping the site in accordance with the proposed plans. Proposed excavation works at the site should be carried out according to a remediation action plan (RAP). The plan would define the remediation objectives and strategies to make the land suitable for the intended use.
Further soil sampling will be required to validate the success of the remedial strategies.’
28. In line with the requirements of SEPP 55, a Remedial Action Plan is required to be submitted to Council prior to ensure the site complies with the provisions of SEPP 55 and can be remediated to be fit for purpose. Whilst a contamination assessment report has been submitted, a Remediation Action Plan has not. As this information has not been lodged with the application and certainty is not provided, the application is recommended to be deferred to enable the applicant to prepare and submit the report.
State Environmental Planning Policy (Building Sustainability Index: BASIX) 2004
29. The State Environmental Planning Policy (Building Sustainability Index: BASIX) 2004 aims to ensure consistency in the implementation of a scheme to encourage sustainable residential development throughout New South Wales (also referred to as the ‘BASIX scheme’).
30. A BASIX certificate accompanies the DA verifying that the relevant water, energy and thermal comfort targets have been met by the proposal. Conditions of consent have been included in the recommendation to ensure the commitments required under the BASIX certificate will be satisfied by the proposed development.
State Environmental Planning Policy (Infrastructure) 2007
31. The aim of the Infrastructure SEPP is to facilitate the effective delivery of infrastructure across the State.
32. The DA was referred to Ausgrid on 10 May 2019 in accordance with Clause 45 of State Environmental Planning Policy (Infrastructure) 2007. Comments were received on 26 September 2019 and 2 October 2019. A deferred commencement condition has been recommended to address the issues raised by Ausgrid in their comments, which include requirements for a Vibration Management Plan, a Displacement Monitoring Plan, and amended shoring plans to the satisfaction of Ausgrid.
State Environmental Planning Policy (Vegetation in Non-Rural Areas) 2017
33. The State Environmental Planning Policy (Vegetation in Non-Rural Areas) 2017 (‘Vegetation SEPP’) regulates clearing of native vegetation on urban land and land zoned for environmental conservation/management that does not require development consent.
34. The Vegetation SEPP applies to clearing of:
a) Native vegetation above the Biodiversity Offset Scheme (BOS) threshold where a proponent will require an approval from the Native Vegetation Panel established under the Local Land Services Amendment Act 2016; and
b) Vegetation below the BOS threshold where a proponent will require a permit from Council if that vegetation is identified in the council’s development control plan (DCP).
35. The Vegetation SEPP repeals clauses 5.9 and 5.9AA of the Standard Instrument - Principal Local Environmental Plan, with the regulation of the clearing of vegetation (including native vegetation) below the BOS threshold being through any applicable DCP.
36. No issues arise in terms of the provisions of the Vegetation SEPP, as there is no significant vegetation on the site or within the footpath area or immediately fronting the site. Further, there is no significant vegetation on immediately adjoining properties in close proximity to the site.
State Environmental Planning Policy No 65 – Design Quality of Residential Apartment Development
37. The State Environmental Planning Policy No 65 – Design Quality of Residential Apartment Development (‘SEPP 65’) aims to improve the design quality of residential apartment development in New South Wales.
38. The proposed development meets the pre-requisites for the application of the SEPP 65 in that it constitutes development for the purpose of ‘shop top housing’ in a proposed building of more than three (3) storeys and having more than four (4) dwellings. Therefore, it must be assessed against the provisions of SEPP 65 and the Apartment Design Guide (ADG).
39. A design verification statement dated February 2018 has been provided by Jim Apostolou Registered Architect (Registration No. 7490) in accordance with Clause 50 of the Environmental Planning and Assessment Regulation 2000.
40. The DA has been reviewed by the Design Review Panel (DRP) and their comments are further detailed in the DRP discussions below.
Design Review Panel
41. The initial plans that accompanied the application were referred to the Design Review Panel (DRP) on 5 July 2018. The design quality principles of SEPP 65 are addressed as follows, in the context of the DRP comments. Commentary in response has been provided by the Assessment Officer where necessary.
|
SEPP 65 – Design Quality of Residential Flat Buildings |
DRP Comment |
General comment |
|
Context and Neighbouring Character Good design responds and contributes to its context. Context is the key natural and built features of an area, their relationship and the character they create when combined. It also includes social, economic, health and environmental conditions. Responding to context involves identifying the desirable elements of an area’s existing or future character. Well-designed buildings respond to and enhance the qualities and identity of the area including the adjacent sites, streetscape and neighbourhood. Consideration of local context is important for all sites, including sites in established areas, those undergoing change or identified for change. |
The site is in an area of transition to mixed use along Railway Parade. The land to the south east is zoned R3 with a height control of 21m. To the immediate south east of the site in Gray Street there is one (1) storey substation. To the south west of the site there is a range of commercial buildings not yet developed. The design responds well to the context by concentrating the building to the north and north east portion of the site which minimises overshadowing of properties to the south east. The location is subject to a Sydney Airport Obstacle Limitation surface of AHD51m. The proposed highest point of the building is RL66.20. The Council Planner’s notes state that the application has been referred to Sydney Airport Corporation. |
The proposal is suitable for the site within the context of the locality which is undergoing transition to a higher density of mixed use, commercial and residential development.
Approval for controlled activity has been granted by Sydney Airport.
|
|
Built Form and Scale Good design achieves a scale, bulk and height appropriate to the existing or desired future character of the street and surrounding buildings. Good design also achieves an appropriate built form for a site and the building’s purpose in terms of building alignments, proportions, building type, articulation and the manipulation of building elements. Appropriate built form defines the public domain, contributes to the character of streetscapes and parks, including their views and vistas, and provides internal amenity and outlook. |
Satisfactory - see above
The recessed roller door shutter to the basement should be moved forward to align with the electricity substation and to provide a clearly defined streetscape interface. |
The proposed bulk, scale and height of the building are supported and will set a positive example for future development in the locality. The ground floor relates well to the public domain and is an improvement on the streetscape. |
|
Density Good design achieves a high level of amenity for residents and each apartment, resulting in a density appropriate to the site and its context. Appropriate densities are consistent with the area’s existing or projected population. Appropriate densities can be sustained by existing or proposed infrastructure, public transport, access to jobs, community facilities and the environment. |
Complies |
The proposed development has an FSR of 4:1 which complies with the LEP maximum for the site of 4:1. |
|
Sustainability Good design combines positive environmental, social and economic outcomes. Good sustainable design includes use of natural cross ventilation and sunlight for the amenity and liveability of residents and passive thermal design for ventilation, heating and cooling reducing reliance on technology and operation costs. Other elements include recycling and reuse of materials and waste, use of sustainable materials and deep soil zones for groundwater recharge and vegetation. |
Subject to BASIX
Solar access and cross ventilation is satisfactory. |
The proposal is BASIX compliant. |
|
Landscape Good design recognises that together landscape and buildings operate as an integrated and sustainable system, resulting in attractive developments with good amenity. A positive image and contextual fit of well designed developments is achieved by contributing to the landscape character of the streetscape and neighbourhood.
Good landscape design enhances the development’s environmental performance by retaining positive natural features which contribute to the local context, co-ordinating water and soil management, solar access, micro-climate, tree canopy, habitat values and preserving green networks.
Good landscape design optimises useability, privacy and opportunities for social interaction, equitable access, respect for neighbours’ amenity and provides for practical establishment and long term management. |
The proposal includes a communal open space on Level 1 to the rear of the development and a communal roof top space. The proposal also includes streetscape upgrades to Railway Parade and Gray Street.
The following recommendations are made to improve communal open space on Level 1:
· Reconfiguration of Unit 105 to provide direct access from the lift lobby to communal open space. This would require review of the terrace proposed adjacent to the communal open space which should still be accommodated, and designed to ensure adequate privacy between the unit and communal area. · Substitution of the proposed species in the deep soil zone. It is recommended that taller trees be used to replace the melaleuca stypholioides. · Relocate children’s play area to provide more planting and screening to private open space · Provide a WC
The roof top space is well designed and will provide very positive amenity for residents. A WC is required. |
The landscaped communal open space areas located at the first floor and rooftop are well designed and will provide high levels of amenity for residents.
Direct access is provided from the lift lobby to the COS and greater separation and planting is provided between the POS terrace of U1.05 and the COS.
|
|
Amenity Good design positively influences internal and external amenity for residents and neighbours. Achieving good amenity contributes to positive living environments and resident wellbeing.
Good amenity combines appropriate room dimensions and shapes, access to sunlight, natural ventilation, outlook, visual and acoustic privacy, storage, indoor and outdoor space, efficient layouts and service areas and ease of access for all age groups and degrees of mobility. |
The Panel discussed arrangements for collection of garbage bins. The method of collection of residential garbage bins needs to be resolved in consultation with Council‘s Waste Management Officer. The Panel was concerned that a large number of bins could be lined along the kerb for collection detrimentally impacting the streetscape. It is understood the commercial garbage will be collected by a private contractor within the building.
At fourth and sixth floors screens are shown on north facing terraces. The impact of these screens in reducing solar access needs to be investigated.
Units 404, 504, 604, 704, 804, 904 and 1004 have a very narrow triangular section of balcony adjacent to the bedrooms. This section of balcony is inaccessible and will be difficult to clean and should be reconfigured.
Otherwise satisfactory. |
The proposal will provide high levels of residential amenity with regard to solar access, natural ventilation, communal open space and building facilities. The bins have been changed from 240L to 1,100L bins to reduce the number of bins servicing the development and on the street on collection days. The screens have been relocated to the western elevation of the terraces to improve solar access into the units.
These balconies have been redesigned to provide a greater setback to the street and are now a Juliette style balcony rather than an extension of the primary balcony. |
|
Safety Good design optimises safety and security within the development and the public domain. It provides for quality public and private spaces that are clearly defined and fit for the intended purpose.
Opportunities to maximise passive surveillance of public and communal areas promote safety.
A positive relationship between public and private spaces is achieved through clearly defined secure access points and well lit and visible areas that are easily maintained and appropriate to the location and purpose. |
An additional bollard is required at the north west corner of the lift waiting area in the basements.
Otherwise satisfactory. |
The design is acceptable in terms of safety and security and the ground level commercial spaces will activate the street and allow for casual surveillance. Bollards have been nominated on floor plans.
|
|
Housing Diversity and Social Interaction Good design achieves a mix of apartment sizes, providing housing choice for different demographics, living needs and household budgets.
Well-designed apartment developments respond to social context by providing housing and facilities to suit the existing and future social mix.
Good design involves practical and flexible features, including different types of communal spaces for a broad range of people and providing opportunities for social interaction among residents. |
The Panel recommends more three (3) bedroom units be provided in accordance with ADG guidelines.
The Panel recommends that there should be a mix of one (1) bedroom and two (2) bedroom adaptable units.
A WC should be provided to the rooftop communal open space and the Level 1 communal open space. |
The proposal provides the following unit mix:
10 x 1 Bedroom units 39 x 2 Bedroom 3 x 3 Bedroom units
The adaptable units are all 1 bedroom units. A condition has been included that at least one 2B unit is adaptable.
A WC has not been provided on either COS level.
|
|
Aesthetics Good design achieves a built form that has good proportions and a balanced composition of elements, reflecting the internal layout and structure.
Good design uses a variety of materials, colours and textures.
The visual appearance of a well designed apartment development responds to the existing or future local context, particularly desirable elements and repetitions of the streetscape. |
Acceptable |
The proposed materials and finishes are suitable for the design of the building and contribute positively to the streetscape and the broader locality. |
Apartment Design Guide
42. An assessment of the proposed development against the relevant design criteria of the Apartment Design Guide (ADG) is detailed in the compliance table as follows.
Note: where relevant, the figures/percentages in the ADG compliance table have been rounded up/down to the nearest whole number.
|
Section |
Design Criteria |
Proposed |
Comply |
|
3D - Communal and public open space |
Communal open space has a minimum area equal to 25% of the site (1079 x 0.25 = 269.75sqm) |
Communal open space is located on the first floor (357sqm and on the rooftop (170sqm) totalling 527sqm or 48.8% of the site area. |
Yes |
|
Developments achieve a minimum of 50% direct sunlight to the principal usable part of the communal open space for a minimum of 2 hours between 9 am and 3 pm on 21 June (mid-winter) |
2 hours of sunlight is achieved to at least 50% of the communal open space areas, with the roof top area receiving direct sunlight.
|
Yes |
|
|
3E – Deep soil zones |
Deep soil zones are required at a sliding scale in this clause.
For a site area of 1079sqm, the deep soil zone requirement is a deep soil zone of 7% with minimum 3m dimensions. |
78sqm (7%) of deep soil is provided on the eastern side of the site with dimensions of 4.5m x 18.29m. |
Yes |
|
3F – Visual privacy |
Minimum required separation distances from buildings to the side and rear boundaries are as follows: · For building height up to 12m / 4 storeys – Habitable rooms and balconies 6m; and non-habitable rooms 3m.
· For building height up to 25m / 5-8 storeys – Habitable rooms 9m; and non-habitable rooms 4.5m.
· For building height over 25m / 9+ storeys – Habitable rooms 12m; and non-habitable rooms 6m |
Setbacks to south-east boundary:
Ground – landscaped setback to blank wall 4.5m. Levels 1 to 3: Minimum of 15m to a habitable window (13.6m to balcony edge L1). Level 4: Minimum 15m to balcony edge. Level 5 to 10: Minimum 16m to balcony edge Level 11: there are no habitable windows or balconies facing the southern boundary. |
Yes |
|
3J – Bicycle and car parking |
For development in the following locations: · on sites that are within 800m of a railway station or light rail stop in the Sydney Metropolitan Area; or · on land zoned, and sites within 400 metres of land zoned, B3 Commercial Core, B4 Mixed Use or equivalent in a nominated regional centre the minimum car parking requirement for residents and visitors is set out in the Guide to Traffic Generating Developments, or the car parking requirement prescribed by the relevant council, whichever is less The car parking needs for a development must be provided off street |
Required parking:
(10) 1B x 0.4 = 4 (39) 2B x 0.7 = 27 (3) 3B x 1.2 = 3.6 Visitor 1/7 (52) = 7.4 Total = 42 car spaces
Provided:
66 residential 8 visitor 6 retail |
Yes
|
|
4A – Solar and daylight access |
Living rooms and private open spaces of at least 70% of apartments in a building receive a minimum of 2 hours direct sunlight between 9am and 3pm at mid-winter in the Sydney Metropolitan Area and in the Newcastle and Wollongong local government areas |
100% of units achieve minimum 2 hours sunlight in mid-winter. |
Yes |
|
A maximum of 15% of apartments in a building receive no direct sunlight between 9am and 3pm at mid-winter |
All units receive some level of direct sunlight. |
Yes |
|
|
4B – Natural ventilation |
At least 60% of apartments are naturally cross ventilated in the first nine storeys of the building. Apartments at ten storeys or greater are deemed to be cross ventilated only if any enclosure of the balconies at these levels allows adequate natural ventilation and cannot be fully enclosed. |
60% of units are cross ventilated (Levels 1-8).
Levels 9 to 11 all comply.
|
Yes |
|
Overall depth of a cross-over or cross-through apartment does not exceed 18m, measured glass line to glass line. |
All of the proposed units are less than 18m in depth. |
Yes |
|
|
4C – Ceiling heights |
Measured from finished floor level to finished ceiling level, minimum ceiling heights are: · Habitable rooms 2.7m · Non-habitable rooms 2.4m · For 2 storey apartments: 2.7m for main living area floor 2.4m for second floor, where its area does not exceed 50% of the apartment area · Attic spaces: 1.8m at edge of room with a 30 degree minimum ceiling slope · If located in mixed use areas - 3.3m for ground and first floor to promote future flexibility of use
These minimums do not preclude higher ceilings if desired. |
All of the proposed units have ceiling heights of 2.8m.
|
Yes |
|
4D – Apartment size and layout |
Apartments are required to have the following minimum internal areas: Studio – 35sqm 1 bedroom – 50sqm 2 bedroom – 70sqm 3 bedroom – 90sqm
The minimum internal areas include only one bathroom. Additional bathrooms increase the minimum internal area by 5sqm each
A fourth bedroom and further additional bedrooms increase the minimum internal area by 12sqm each. |
All apartments meet the minimum internal size requirements.
Calculated accordingly.
N/A
|
Yes
Yes
N/A
|
|
Every habitable room must have a window in an external wall with a total minimum glass area of not less than 10% of the floor area of the room. Daylight and air may not be borrowed from other rooms. |
All within the prescribed range.
It is noted that all bathrooms are internal except for units X.05 which have a window |
Yes |
|
|
Habitable room depths are limited to a maximum of 2.5m x the ceiling height. |
All within the prescribed range. |
Yes |
|
|
In open plan layouts (where the living, dining and kitchen are combined) the maximum habitable room depth is 8m from a window |
All within the prescribed range. |
Yes |
|
|
Master bedrooms have a minimum area of 10sqm and other bedrooms 9sqm (excluding wardrobe space) |
All bedrooms comply. |
Yes |
|
|
Bedrooms have a minimum dimension of 3m (excluding wardrobe space) |
All bedrooms comply. |
Yes |
|
|
Living rooms or combined living/dining rooms have a minimum width of: · 3.6m for studio and 1 bedroom apartments · 4m for 2 and 3 bedroom apartments |
All living rooms comply. |
Yes |
|
|
The width of cross-over or cross-through apartments are at least 4m internally to avoid deep narrow apartment layouts. |
All of the proposed units are in excess of 4m in width internally. |
Yes |
|
|
4E – Private open space and balconies |
All apartments are required to have primary balconies as follows: · Studio apartments require 4sqm with no min depth · 1 bedroom apartments require 8sqm with min depth 2m · 2 bedroom apartments require 10sqm with min depth 2m · 3+ bedroom apartments require 12sqm with minimum 2.4m depth
The minimum balcony depth to be counted as contributing to the balcony area is 1m. |
All primary balconies achieve the minimum area and depth requirements.
Calculated accordingly. |
Yes
Yes |
|
For apartments at ground level or on a podium or similar structure, a private open space is provided instead of a balcony. It must have a minimum area of 15sqm and a minimum depth of 3m. |
There are no ground floor units proposed. |
N/A |
|
|
4F – Common circulation and spaces |
The maximum number of apartments off a circulation core on a single level is eight. |
A maximum of 5 units at each level. |
Yes |
|
For buildings of 10 storeys and over, the maximum number of apartments sharing a single lift is 40. |
Two lifts service 52 apartments and 3 levels of basement parking. |
Yes |
|
|
4G - Storage |
In addition to storage in kitchens, bathrooms and bedrooms, the following storage is provided: · Studio apartments require 4m3 · 1 bedroom apartments require 6m3 · 2 bedroom apartments require 8m3 · 3+ bedroom apartments require 10m3
At least 50% of the required storage is to be located within the apartment. |
All units have compliant total storage volumes as per the Apartment Design Guide (ADG) volumes.
At least 50% of storage is located within the apartments. |
Yes
Yes |
Draft Environmental Planning Instruments
Draft Environment SEPP
43. The Draft Environment SEPP was exhibited from 31 October 2017 to 31 January 2018.
44. This consolidated SEPP proposes to simplify the planning rules for a number of water catchments, waterways, urban bushland, and Willandra Lakes World Heritage Property.
· Changes proposed include consolidating the following seven existing SEPPs:
· State Environmental Planning Policy No. 19 – Bushland in Urban Areas
· State Environmental Planning Policy (Sydney Drinking Water Catchment) 2011
· State Environmental Planning Policy No. 50 – Canal Estate Development
· Greater Metropolitan Regional Environmental Plan No. 2 – Georges River Catchment
· Sydney Regional Environmental Plan No. 20 – Hawkesbury-Nepean River (No.2-1997)
· Sydney Regional Environmental Plan (Sydney Harbour Catchment) 2005
· Willandra Lakes Regional Environmental Plan No. 1 – World Heritage Property.
45. The proposal is consistent with the provisions of this Draft Instrument given there is no vegetation impacted by the proposed development.
Draft Remediation of Land SEPP
46. The Department of Planning and Environment has announced a Draft Remediation of Land SEPP, which will repeal and replace the current State Environmental Planning Policy No 55—Remediation of Land.
47. The main changes proposed include the expansion of categories of remediation work which requires development consent, a greater involvement of principal certifying authorities particularly in relation to remediation works that can be carried out without development consent, more comprehensive guidelines for Councils and certifiers and the clarification of the contamination information to be included on Section 149 Planning Certificates.
48. Whilst the proposed SEPP will retain the key operational framework of SEPP 55, it will adopt a more modern approach to the management of contaminated land.
49. A Detailed Site Investigation Report has been submitted with the DA which concludes:
“Soil samples were recovered from a total of seven locations across the site for this investigation, and the results of the sample analyses have shown that the concentrations of chemical contaminants in the soils across the site are generally low and at levels that would not present an unacceptable risk to human-health for a commercial/high density residential land use setting. Further, the site is not likely to be a source of unacceptable groundwater impacts.
However, both bonded asbestos and friable asbestos/asbestos fines were identified in the fill material on the southern half of the site. The concentrations of bonded asbestos and friable asbestos/asbestos fines identified in BH5 and BH6A respectively, exceed the screening criteria. The asbestos impacted soil could present a potential risk to human-health for a commercial/high-density residential land use setting if a) the soil was to remain on the site and b) if the affected soil was to be accessible to site occupants.
Remediation of the asbestos impacted soil will be necessary to make the site suitable for the proposed mixed commercial and high-density residential redevelopment. However, given that most of the site is proposed to be bulk excavated for a basement car parking area, remediation might be achieved simply by redeveloping the site in accordance with the proposed plans. Proposed excavation works at the site should be carried out according to a remediation action plan (RAP). The plan would define the remediation objectives and strategies to make the land suitable for the intended use.
Further soil sampling will be required to validate the success of the remedial strategies.”
50. In line with the requirements of SEPP 55, a Remedial Action Plan is required to be submitted to Council prior to ensure the site complies with the provisions of SEPP 55 and can be remediated to be fit for purpose. Whilst a contamination assessment report has been submitted, a Remediation Action Plan has not. As this information has not been lodged with the application and certainty is not provided, the application is recommended to be deferred to enable the applicant to prepare and submit the report.
Kogarah Local Environmental Plan 2012
Zoning and Permissibility
51. The site is located within the ‘B4 Mixed Use’ zone under the Kogarah Local Environmental Plan 2012.

Figure 6: Zoning map with the site outlined in blue
52. The proposed development is defined as shop top housing, which is permissible in the zone.
53. The objectives for development in the B4 Mixed Use zone are as follows:
· To provide a mixture of compatible land uses.
· To integrate suitable business, office, residential, retail and other development in accessible locations so as to maximise public transport patronage and encourage walking and cycling.
· To encourage development that contributes to economic growth and employment opportunities.
· To encourage development that contributes to an active, vibrant and sustainable town centre.
· To provide opportunities for residential development, where appropriate.
54. The proposed development is consistent with the above objectives in that it provides for additional residential accommodation and compatible commercial tenancies at the ground floor level within close proximity to a range of services and facilities including public transport options. The additional residential accommodation and commercial tenancies will contribute to the economic viability and social vibrancy of the Kogarah Town Centre.
55. An assessment of the proposed development against the relevant provisions of Kogarah LEP 2012 is detailed in the compliance table below.
|
Clause |
Objectives/Provisions |
Comment |
Complies |
|
4.3 - Height of buildings |
The height of a building on any land is not to exceed the maximum height shown for the land on the Height of Buildings Map. In this case, the relevant map limits the height of buildings on the subject site to 39m. |
The proposal has a building height of up to 38.85m. |
Yes |
|
4.4 - Floor space ratio |
The maximum floor space ratio for a building on any land is not to exceed the floor space ratio shown for the land on the Floor Space Ratio Map. In this case, the relevant map limits the floor space ratio for buildings on the subject site to 4.5:1. |
The proposal has a floor space ratio of 4:1. |
Yes |
|
6.1 - Acid sulfate soils
|
The objective of this clause is to ensure that development does not disturb, expose or drain acid sulfate soils and cause environmental damage. |
The subject site is not identified on the Acid Sulfate Soils Map as being affected by any particular class of acid sulfate soils. |
N/A |
|
6.2 - Earthworks
|
The objective of this clause is to ensure that earthworks for which development consent is required will not have a detrimental impact on environmental functions and processes, neighbouring uses, cultural or heritage items or features of the surrounding land. |
Excavation is limited to the extent required for the basement parking levels. Suitable conditions of consent have been recommended to protect neighbouring properties and the public domain during demolition and construction. |
Yes |
|
6.3 - Flood planning
|
The objectives of this clause are as follows:
(a) to minimise the flood risk to life and property associated with the use of land, (b) to allow development on land that is compatible with the land’s flood hazard, taking into account projected changes as a result of climate change, (c) to avoid significant adverse impacts on flood behaviour and the environment. |
The subject site is not identified on the Flood Planning Map as being within a Flood Planning Area. Further, Council’s records do not indicate the site is at or below the ‘flood planning level’. |
N/A |
|
6.5 - Airspace operations |
The objective of this clause is to protect airspace around airports
|
The proposed development will penetrate prescribed airspace for Sydney Airport requiring a ‘controlled activity’ within the meaning of Division 4 of Part 12 of the Airports Act 1996. The applicant has obtained the necessary approval for the controlled activity (refer to further commentary in the referrals section of this report). |
Yes |
Development Control Plans
Kogarah Development Control Plan 2013
56. The provisions of the Kogarah Development Control Plan 2013 (KDCP 2013) are relevant to the proposed development. Several controls within the KDCP 2013 do not align and significantly conflict with the scale of development now permitted under the KLEP 2012 (as amended on 26 May 2017). As a consequence, the proposed development will contravene a number of the controls including significant variations to the height and floor space ratio controls.
57. The significant variations to KDCP 2013 have resulted from the subsequent amendments to KLEP 2012 which allows a higher density/scale of development. The approach to support the development with significant variations to KDCP 2013 (but compliant with KLEP 2012) is consistent with recent judgements in the NSW Land and Environment Court. In particular, in Michael Murr v Georges River Council [2017] NSWLEC1369.
58. It is also noted that in the hierarchy of planning controls, Development Control Plans cannot prescribe more onerous corresponding controls than those in a Local Environmental Plan.
59. An assessment of the proposed development against the relevant controls in the KDCP 2013 is detailed in the compliance table below.
|
Part B General Controls |
|||
|
Part |
Objectives/Controls |
Comments |
Complies |
|
B2 - Tree Management and Green Web |
The objectives of this part include the following: · Ensure the protection of existing trees which contribute to the visual amenity and environment of the City of Kogarah; · Protect trees within and adjacent to development sites; · Maximise healthy tree canopy coverage across the City of Kogarah. |
Tree removal has been assessed earlier in this report under the provisions of the Vegetation SEPP.
The site is not within a ‘habitat corridor’ or ‘habitat reinforcement corridor’ under Council’s green web strategy. |
N/A |
|
B3 - Developments near Busy Roads and Rail Corridors |
The objectives of this part are to: · Ensure an appropriate acoustic amenity can be achieved for development near transport corridors, particularly residential development and other noise sensitive land uses; · Provide additional acoustic design or mitigation measures that may be necessary; · Development fronting a busy road or a rail corridor should be designed and sited to minimise noise impacts. |
An Acoustic Report has been submitted with the application and relevant conditions of consent are recommended in this report to mitigate Rail noise. |
Yes |
|
B4 - Parking and Traffic |
The objectives of this part are to: · Minimise traffic congestion and ensure adequate traffic safety and management; · Ensure an adequate environmental quality of parking areas (including both safety and amenity); · Provide adequate car parking for building users and visitors, depending on building use and proximity to public transport. |
The car parking rates for the Kogarah Town Centre as specified in Part E1 of the DCP prevail over those rates specified in this part. In accordance with the provisions of clause 3.43(5) of the EP&A Act, this control has no effect. |
N/A – Refer to the ADG assessment earlier in this report. The car parking is compliant. |
|
|
|||
|
B5 - Waste Management and Minimisation |
The objectives of this part are to: · Encourage best practice in waste management that minimises waste generation, facilitates waste separation and maximises reuse and recycling;
· Ensure quality design of waste management facilities that complement the building design and minimise noise, odour and visual impacts on adjacent uses and the public domain;
· Ensure suitable and efficient waste storage, recycling and collection in all development. |
A waste management plan has been submitted with the application and is considered acceptable for construction and operation of the development.
|
Yes
|
|
B6 - Water Management |
The objectives of this part are to: · Reduce flooding and drainage impacts within and downstream of the development site; · Reduce pollutant loads exported to the waterways via the stormwater system; · Conserve water and reduce mains water consumption. |
A suitable stormwater management plan has been provided and conditions of consent provided by Council’s Development Engineer. |
Yes |
|
B7- Environment Management
|
The objectives of this part are to: · Apply principles and processes that contribute to ecologically sustainable development; · Reduce the impacts of development on the environment; · Increase the resilience of development to the effects of climate change; · Ensure that greenhouse gas emissions will be reduced; · Reduce the use of potable water; · Ensure that development can adapt to climate change. |
A BASIX certificate has been submitted with the application verifying that the relevant water, energy and thermal comfort targets have been met by the proposal.
Conditions of consent have been included in the recommendation to ensure the commitments required under the BASIX certificate will be satisfied by the proposed development. |
Yes |
|
Part E1 Kogarah Town Centre - Built Form |
|||
|
Part |
Control |
Proposed |
Complies |
|
3.4 - Building Heights |
Maximum building heights are shown in Figure 1 – Building Heights Plan. Note: the relevant figure prescribes a 12m height.
|
In accordance with the provisions of clause 3.43(5) of the EP&A Act, this control has no effect. In this regard, it is inconsistent with the building height standard in KLEP 2012. |
N/A - Refer to the KLEP 2012 assessment earlier in this report. |
|
Articulation Where buildings are greater than four storeys, strong articulation should be provided in the form of a setback at the 5th and 6th storey, a strongly marked balcony cornice line (projection) and modulation in roof form. |
The facades to Railway Parade and Gray Street are highly articulated with the use of recessed balconies, variations in balustrade treatments and a ‘stepped’ built form including distinctive facade treatments at different levels. |
Yes |
|
|
3.5 - Building Density |
The maximum floor space ratios for the Kogarah Centre are specified in the Floor Space Ratio Plan (Figure 4 below).
Note: the relevant figure prescribes a 1.3:1 floor space ratio. |
In accordance with the provisions of clause 3.43(5) of the EP&A Act, this control has no effect. In this regard, it is inconsistent with the floor space ratio standard in KLEP 2012. |
N/A – Refer to the KLEP 2012 assessment earlier in this report. |
|
3.6 - Building Alignment |
Buildings must be built to the alignments specified in Figure 3.4 below, for the majority of the facade length. This control requires the building to be built predominantly to the specified building alignment; however buildings are not to have straight, flat facades.
Note: the relevant figure does not prescribe a setback to the subject site. |
N/A |
N/A |
|
Buildings require highly articulated facades with many projections such as stepped facades, entry porches, bay windows and balconies to provide vertical subdivisions and visual interest in the streetscape. |
The facades to Railway Parade and Gray Street are highly articulated with the use of recessed balconies, variations in balustrade treatments and a ‘stepped’ built form including distinctive facade treatments at different levels. |
Yes |
|
|
Lanes For buildings above 4m high, the whole of the building must be built to the alignments specified in Figure 8.
Note: 3m setback to lane required |
Not applicable. |
N/A |
|
|
3.7 - Building Depth |
New buildings are to provide operable windows to all living and working environments. |
All proposed units include operable windows to enable cross ventilation. |
Yes |
|
Articulate buildings using courtyards, atria and the like to achieve substantial day lighting, cross ventilation and/or stack ventilation. |
The rear of the building is articulated to allow for separation to the adjacent properties and to allow for solar access and ventilation to the X.01 and X.05 units at each level.
The X.01 units are located on a nil setback to the boundary and are all designed as cross-through apartments. |
Yes |
|
|
The range of maximum building depth for residential buildings in order to allow natural light and cross ventilation should be 10m – 15m. This includes sheltered balconies (which is a balcony with a roof over it), sunrooms and the like. |
In accordance with the provisions of clause 6A (2) of SEPP 65, this control is of no effect. |
N/A – Refer to the ADG assessment earlier in this report. |
|
|
3.8 - Floor to Ceiling Heights |
Floor to ceiling heights should be a minimum of 2.7m at upper storeys of buildings, to all habitable rooms to allow for a range of uses, and to improve the environmental performance and amenity of the building. |
In accordance with the provisions of clause 6A (2) of the SEPP 65, this control is of no effect. |
N/A – Refer to the ADG assessment earlier in this report. |
|
3.9 - Parking Provision in the Kogarah Town Centre |
Car Parking Residential parking is to be provided in developments at the following rates: (i) 1 resident car space is to be provided on-site for each dwelling. (ii) 1 visitor car space is to be provided on-site for each 5 dwellings.
(2) The number of on-site resident and/or visitor car parking spaces for residential development may be reduced at Council’s discretion if the applicant can demonstrate a reduced parking need. Any negotiated/agreed reduction in parking would have to be complemented by demonstrated tangible benefits which are both complementary and consistent with the objectives of this Part.
(3) Specific parking requirements apply to the following precincts: (i) Railway Parade Precinct – Refer to Section 5.5 for requirements (ii) Railway Parade South – Refer to Section 5.6 for requirements
(4) For commercial/retail development and other land uses parking is to be provided at the following rate: (i) 1 space per 40sqm for any floor space at ground floor level. (ii) 1 space per 50sqm for all other floor space above ground floor level.
(5) 1% of all car parking spaces are to be designated “accessible” spaces for people with mobility impairments, with a minimum of 1 space for facilities such as medical suites.
(6) For car parks between 10 to 99 spaces at least one “accessible” space must be provided.
(7) Designated “accessible” car spaces are to be treated as resident car spaces in the calculation of the parking requirement. |
In accordance with the provisions of clause 3.43(5) of the EP&A Act, this control has no effect. |
N/A – Refer to the ADG assessment earlier in this report. |
|
Bicycle Parking Bicycle storage is to be provided at the rate of: (i) 1 secure bicycle storage facility per 2 residential units. (ii) 1 bike space per 10 car spaces for the first 200 spaces then 1 space per 20 car spaces thereafter, for commercial and retail land uses. |
Required spaces = 26
Bicycle parking (28 spaces) is provided in basement level 1.
|
Yes |
|
|
|
Loading Bay Facilities (1) Loading bay facilities are to be provided at the following rates:
Retail:
· floor area 15sqm to 500sqm - 1 bay required
· floor area 500sqm to 1500sqm - 2 bays required
Commercial:
· floor area 1000sqm to 5000sqm - 1 bay required
· floor area 5000sqm to 10000sqm - 2 bays required
(2) Loading bay facilities are to be designed as follows:
· minimum bay width - 3.5m · minimum bay length for Bay 1 - 9.5m · minimum bay length for Bay 2 - 6.5m |
Three retail tenancies are proposed (56sqm, 70sqm and 73sqm in size).
A loading bay is provided on the ground floor, measuring 3.5m x 8.45m.
A condition has been recommended requiring that the Loading Bay is compliant with AS2890.1-2004 for the use at a minimum of Small Rigid Vehicles
|
Yes |
|
Part E1 Kogarah Town Centre - Urban Design |
|||
|
Part |
Control |
Proposed |
Complies |
|
4.1 Address and Active Street Frontages |
(1) Buildings on the street frontage are to provide pedestrian amenity in the form of active street frontages, building entrances and awnings.
(2) Buildings setback from the street frontage, are to address the street with major facades, entrances, stairs, low fences, substantial planting and other streetscapes.
(3) In predominantly residential areas, strengthen the interaction between the public and private domain by providing multiple entrances for large developments, locate shops where they will be most visible and minimise the vehicular entrance width. |
Active street frontage is provided to Railway Parade through the tenancies. Gray Street is activated by the entrance lobby to the residential apartments and vehicular entrance.
Suitable façade and entry treatments are provided.
The tenancies are oriented to Railway Parade and separated from the residential entry. |
Yes
Yes
Yes
|
|
4.2 Corners |
(1) Buildings are to be sited on the street frontages at corners, addressing the corner.
(2) The street intersection is to be addressed with splays, curves, building entries and other special architectural elements.
(3) Architectural corner elements may be slightly higher than the rest of the building. They must not exceed 4.0m above the average street wall height. The floor space they contain will be part of the total gross floor area of the building. |
The building addresses both street frontages as the development is a corner allotment.
Suitable architectural elements are proposed to the corner at all levels of the building.
The building is compliant with the height limit for the site. The corner location is pronounced with a variety of materials and finishes, articulation and screen detailing. |
Yes
Yes
Yes |
|
4.3 - Architectural Articulation |
Large areas of flat facade are to be avoided. Facades should be articulated into separate sections, using steps in the facade, expressed entries, panels, bay windows, balconies, pergolas and other architectural elements. |
There are no areas of flat facade addressing the street frontages. The facades are articulated into suitable elements by way of the change in built form between the base, middle and top of the building and distinctive balcony treatments at these levels. |
Yes |
|
Articulation elements must be integral with the building design and should consider the whole building - not just the street facade. |
The facades addressing all elevations are suitably articulated. |
Yes |
|
|
Changes of texture and colour should complement facade articulation. |
A suitable mix of materials and finishes are proposed. |
Yes. |
|
|
Provide solar protection elements as integral with the building design and massing. |
The proposed units are provided with suitably recessed, covered balconies which serve to provide solar protection as well as articulation of the built form. The pergola proposed for the rooftop communal open space will achieve a similar effect. |
Yes |
|
|
4.4 - Façade Composition |
Provide a balance of horizontal and vertical facade elements to relate to adjacent facades in the streetscape. Avoid simple facade designs containing only horizontal or vertical elements. |
The street facades include an appropriate balance of horizontal and vertical elements. |
Yes |
|
Subdivide long facades with columns, windows and other vertical elements to provide a vertical emphasis. |
The vertical emphasis is achieved through the use of consistent materials and vertical façade treatments. |
Yes |
|
|
Provide substantial cornices, balconies and other horizontal elements to subdivide the facade into a base, middle and top. |
The proposed building achieves a base, middle and top through façade treatments, balustrading and setbacks. |
Yes |
|
|
4.5 - Private Open Space and Balconies |
Every apartment is to have at least one balcony directly accessible from the main living area, of minimum size 10sqm. |
In accordance with the provisions of clause 6A (2) of SEPP 65, this control is of no effect. |
N/A - Refer to the ADG assessment earlier in this report. |
|
The minimum dimension in any direction is to be 2.5m.
|
In accordance with the provisions of clause 6A (2) of SEPP 65, this control is of no effect. |
N/A - Refer to the ADG assessment earlier in this report. |
|
|
There is no minimum size for a bedroom balcony (eg Juliet balconies). |
Noted. |
N/A |
|
|
Design balconies which are recessed into the wall or enclosed with walls, columns or roofs to provide sufficient enclosure and visual firmness. |
The proposed balconies are enclosed by walls, columns and a roof providing sufficient enclosure and visual strength. |
Yes |
|
|
Design balustrades which allow for views into and along the street, but avoid all-glass and all-brick balustrades.
|
The proposed balconies incorporate a mix of solid masonry and open-style balustrades. |
Yes |
|
|
Employ Juliet balconies and French windows to articulate facades with architectural detail and vertically proportioned windows. |
The proposal includes Juliet-style balconies as well as larder primary balconies.
|
Yes |
|
|
Include sunscreens, pergolas, shutters, operable walls to control sunlight, wind and harsh environmental effects. |
The proposed balconies include shutters for climate control on the north/west facing units. Notwithstanding, these balconies are substantially enclosed with solid masonry elements and roofing such that climatic conditions are reasonably controlled. |
Yes |
|
|
4.6 Awnings |
(1) Step awnings and other weather protection devices in relation to street level changes and building entrances.
(2) Avoid steeply pitched awnings which break the general alignment of awnings in the street.
(3) Provide architectural detail in the form of: (i) Posts (ii) exposed structures and joints (iii) fascia motifs, patterns
(4) Provide under-awning lighting to enhance safety.
(5) Awnings are to be built to the street frontage where indicated in Figure 4.9 |
Both frontages have a continuous awning. The substation site is unlikely to be developed and the adjacent site is yet to be developed. The site is located in the Kogarah Town Centre and the proposed awnings overhang the public footpath to provide weather protection.
The proposed awnings are not steeply pitched.
The exposed elevations are suitably treated.
Can be conditioned.
The site is not required to provide awnings to the street frontage. |
Yes
Yes
Yes
Yes – by condition
N/A |
|
4.7 - Roof Designs |
Articulate roofs to provide a varied and interesting roofscape. |
The roof is articulated by way of the ‘stepping’ of the built form across the site and provision of rooftop communal open space including landscaping and pergola elements. As a result, the roofscape will be varied and interesting. |
Yes |
|
Design large projections, shade structures and pavilions to enhance the appearance of flat roofed buildings. |
The main roof incorporates a range of design elements to enhance the appearance of the building including a recreational pavilion and shade structure. |
Yes |
|
|
Conceal lift over-runs and plant equipment (incl. satellite dishes) within well designed roof forms. |
The lift over-run is centrally located within the site. |
Yes |
|
|
Design steep pitched roofs with strong roof forms. Roofs should be integral part of the design of the building. |
Although the roof forms are not pitched, they are an integral part of the design of the building. |
No - but acceptable on merit. |
|
|
Penthouses are encouraged in residential developments, to create interesting skylines using set back upper storeys, special fenestration and roof decks. |
Two penthouse apartments are proposed that accentuate the corner location of the site. |
Yes |
|
|
4.8 - Visual and Acoustic Privacy |
Buildings are to be sited so that walls containing windows to habitable rooms are a minimum of 6m from a side or rear boundary. This will ensure a minimum distance of 12m is achieved between windows of habitable rooms. |
In accordance with the provisions of clause 6A (2) of SEPP 65, this control is of no effect. |
N/A - Refer to the ADG assessment earlier in this report. |
|
Separation for balconies and terraces is to be a minimum 8m balcony to another balcony, or 7m balcony to a window of a non-habitable room. (This assumes that only habitable rooms will have balconies). |
In accordance with the provisions of clause 6A (2) of SEPP 65, this control is of no effect. |
N/A - Refer to the ADG assessment earlier in this report. |
|
|
Overlooking should be minimised by: (i) building on the perimeter of the block and building to the side boundaries of sites, with blank walls, to avoid overlooking; (ii) locating habitable rooms within buildings away from privacy sensitive areas. |
In accordance with the provisions of clause 6A (2) of SEPP 65, this control is of no effect. |
N/A - Refer to the ADG assessment earlier in this report. |
|
|
Screen views from windows and balconies by: (i) using screens in front of windows and balconies to cut out direct views; (ii) offsetting windows opposite each other in neighbouring wall (iii) using horizontal and vertical projecting screens above, below and to the side of windows, to reduce overlooking. |
The windows and balconies of the proposed units are oriented towards Gray Street, Railway Parade and the south east. No windows or balconies are oriented directly towards the adjoining residential property to the south west to allow for a continuous street wall development when the site is redeveloped. |
Yes |
|
|
Development is to meet or exceed the sound insulation requirements for separating walls and floors of adjoining dwellings of the Building Code of Australia. |
This BCA requirement is relevant to the construction certificate stage. |
N/A |
|
|
With particular regard to timber flooring in residential developments, appropriate insulation between floors is to achieve minimum sound attenuation of (50Rw). |
This BCA requirement is relevant to the construction certificate stage. |
N/A |
|
|
Site buildings and design internal layouts of rooms, courtyards, terraces, to minimise acoustic problems. The use of openings, screens and blade walls can reduce acoustic problems. |
The units and balconies are suitably designed to minimise acoustic impacts. |
Yes |
|
|
Blank walls are not desirable however blank walls may be built on the property boundary in certain circumstances. They should be articulated, patterned or contain appropriate public art. |
The south-west elevation is a blank wall and is suitably treated with render and paint until such time the adjacent site is developed. |
Yes |
|
|
4.9 - Landscaping and Deep Soil Planting |
Deep soil landscaping areas are to be provided where possible within the side boundary setback area and to the front and rear setback areas, where more than one building is located on the site, landscaping and deep soil planting should be provided to assist in privacy screening. |
In accordance with the provisions of clause 6A (2) of SEPP 65, this control is of no effect. |
N/A - Refer to the ADG assessment earlier in this report. |
|
Landscaping should be of native species and should include species that are drought resistant and require minimal watering once established, or plants that match the rainfall and drainage conditions. |
The proposed landscaping to the first floor podium and rooftop open space area includes a combination of native and exotic plant species. This mix of planting is reasonable in an urban setting as it is not in proximity to any environmentally sensitive areas and the limitations resulting from the site conditions. |
No - but acceptable on merit.
|
|
|
Limit turf to usable outdoor spaces. |
No turf is proposed. |
Yes |
|
|
4.10 Location of Car Parking Areas |
(1) Car parking should be provided below ground.
(2) In residential areas where there is no retail or commercial development, a basement car park may project a maximum 1m above-ground level. This may provide natural ventilation to the carpark. However, openings should be screened with landscaping.
(3) Like other buildings, above ground car parks should fit within and complement the existing streetscape.
(4) Car park entrances should: be shared with adjoining properties where possible; incorporate other facade elements such as overhanging balconies or side planter boxes in the composition of the façade; contain doors with a minimum recess into the wall of 300mm; contain doors of a minimum width to allow the passage of vehicles. |
Basement parking is proposed.
Not applicable.
Not proposed.
Not possible for this development.
The ground floor overhangs the basement entry.
Complies.
Complies. |
Yes
N/A
N/A
N/A
Yes
Yes
Yes |
|
4.11 - Safety and Security |
Orient buildings towards the street, such that building frontages and entries overlook and are clearly visible from the street and provide a sense of address and visual interest. |
The proposed building is oriented to both street frontages. |
Yes |
|
Avoid blank walls addressing streets and any other public spaces. |
There are no blanks walls addressing the streets. |
Yes |
|
|
Clearly design buildings and spaces, and the entries to buildings, delineate public, semi public and private space through the use of symbolic or actual barriers, such as low fences or landscaping, post boxes, lighting and signage. |
The entry to the tenancies is clearly defined on the Railway Parade frontage and the residence entry on Gray Street. |
Yes |
|
|
Avoid building recess, alcoves or dense landscaping in places where concealment is possible. |
The design does not result in any unsuitable areas where concealment is possible. |
Yes |
|
|
4.13 - Housing Choice and Ancillary Requirements |
To achieve a mix of living styles, sizes and layouts, all residential development (or residential component within a mixed development) must provide a mix of one bedroom, two bedroom and three bedroom apartments. |
10 by 1 Bedroom units 39 by 2 Bedroom units 3 by 3 Bedroom units |
Yes |
|
Residential units must have the minimum net floor area as follows:
· 1 Bedroom unit = 75sqm · 2 Bedroom unit = 100sqm · 3 Bedroom unit = 115sqm |
In accordance with the provisions of clause 6A (2) of SEPP 65, this control is of no effect. |
N/A - Refer to the ADG assessment earlier in this report. |
|
|
External clothes drying facilities are encouraged. These should be provided in the form of a screened balcony or terrace area. |
Although external clothes drying facilities are not included in the proposal, this is not a requirement but rather a recommendation. |
N/A |
|
|
Part 5.6 Railway Parade South Controls |
|||
|
Part |
Objectives/Controls |
Comments |
Complies |
|
5.1.8 Block Controls Block 1 Option 1 Site A: 172-174 Railway Pde |
|||
|
Front Setback (Railway Pde) |
Ground Floor: Min. 2m (level 1)
First floor: Commercial – min. 2m setback (Level 2)
Residential – min.5m setback (Level 2)
Balconies/terraces are permitted within the residential setback, but only in the form of punched opening in the façade
Second floor and above: Min. 5.5m (L3 and 4)
Of this 5.5m, 2.5m is to be setback to the edge of balconies /terraces with an articulation zone of 3m |
2m
Not proposed.
3.5m to 4.8m
Complies.
3.5m to 4.8m
0.319m to 2.7m |
Yes
N/A
No
Yes
No
No
|
|
Setback (to side street) |
Min. 3m |
1.3m to 4.2m |
No |
|
Comments of setbacks to Railway Parade and Gray Street Despite the numerical non-compliance with the setback controls to Railway Parade, the design is highly articulated and provides a variety of façade treatments including landscaped planters, varied balcony design, vertical and horizontal design elements, solid and glass balustrades and a neutral colour palette that softens the built form and provides increased visual interest to each frontage.
The variation to the setbacks is supported given the site is a prominent corner location and the façades are suitably treated such that the minor numerical non-compliance is not apparent at street level to the casual observer and will not adversely impact on future development to the south on Railway Parade, or on the streetscape of either Gray Street or Railway Parade. |
|||
|
Rear Setback |
|
In accordance with the provisions of clause 6A (2) of the SEPP 65, this control is of no effect. |
N/A - Refer to the ADG assessment earlier in this report. |
|
Setbacks between buildings (between boundaries) |
GF: Build to boundary FF: Build to boundary Second floor and above: Minimum 3m to provide a break in building massing |
Complies. Complies
Built to boundary for first 19m. |
Yes Yes
No |
|
Land Uses fronting Railway Parade and side streets |
GF: Active uses such as specialty retail/commercial FF: Commercial or Residential
Second floor and above: 2nd floor - Residential/ Commercial (Level 3)
Third floor – Residential/ Commercial (Level 4) |
Retail proposed.
Residential proposed.
Residential proposed.
Residential proposed.
|
Yes
Yes
Yes
Yes
|
|
Density |
|
In accordance with the provisions of clause 3.43(5) of the EP&A Act, this control has no effect. In this regard, it is inconsistent with the building height standard in KLEP 2012. |
N/A - Refer to the KLEP 2012 assessment earlier in this report. |
|
Building height Railway Parade |
|
In accordance with the provisions of clause 3.43(5) of the EP&A Act, this control has no effect. In this regard, it is inconsistent with the building height standard in KLEP 2012. |
N/A - Refer to the KLEP 2012 assessment earlier in this report. |
|
Building Height Gray Street |
|
In accordance with the provisions of clause 3.43(5) of the EP&A Act, this control has no effect. In this regard, it is inconsistent with the building height standard in KLEP 2012. |
N/A - Refer to the KLEP 2012 assessment earlier in this report. |
|
Building height rear boundary |
|
In accordance with the provisions of clause 3.43(5) of the EP&A Act, this control has no effect. In this regard, it is inconsistent with the building height standard in KLEP 2012. |
N/A - Refer to the KLEP 2012 assessment earlier in this report. |
|
Vehicular entry |
For development sites ‘A’ and ‘C’, vehicular access is to be provided from Ocean Street, via a right of way to the rear of properties. For development site ‘B’, vehicular access is to be provided via a right of way created over development site ‘C’ benefiting development site ‘B’ and development site ‘A’. |
The subject site is identified as Site A in the DCP, however vehicular access is proposed from Gray Street.
N/A |
On merit - Proposed access from Gray Street does not restrict access to Sites B and C in the future. |
|
Temporary vehicular access |
|
Not applicable to this site. |
N/A |
|
Car parking |
The basement or sub-basement must be located under the building footprints as far as possible.
To ensure that a continuous active frontage is provided, the basement is not to protrude above natural ground level along the Railway Parade frontage. |
Complies.
Complies. |
Yes
Yes |
|
Building depth |
|
In accordance with the provisions of clause 6A (2) of the SEPP 65, this control is of no effect. |
N/A - Refer to the ADG assessment earlier in this report. |
|
Landscaping and awnings |
Where deep soil landscaping can be achieved, it is encouraged.
Development fronting Railway Parade and within 20m from its intersection is to provide a suspended awning across the full frontage of the development. |
Deep soil landscaping is provided between the proposed building and 1 Gray Street.
An awning is provided along the full frontage to Railway Parade. |
Yes
Yes |
|
Dedication of land to Council for a splay |
Approval for development at the corner of Gray Street and Railway Parade (being No. 172 Railway Parade) will be subject to the dedication of land for the creation of a splay corner without cost to Council. The area to be dedicated will be taken into account in calculating the permitted density of the development. |
The plans indicate a dedication of land for the creation of a splay corner. |
Yes |
Section 7.11 Contributions
60. Monetary contributions are required under Section 7.11 of the Environmental Planning and Assessment Act 1979, with respect to the proposed development. These contributions have been calculated appropriately and a suitable condition of consent has been included in the recommendation in this respect.

IMPACTS
Natural Environment
61. The proposed development is unlikely to result in adverse impacts on the natural environment.
Built Environment
62. The proposed development is unlikely to result in adverse impacts on the built environment.
63. In particular, the proposal complies with the Height and FSR controls contained in Kogarah LEP 2012, and is consistent with the bulk and scale of both existing and emerging development in both the immediate and broader context.
Social Impacts
64. The development will provide additional housing stock to the area and cater to the needs of families by providing a range of dwelling sizes through a mix of one, two and three bedroom units.
Economic Impacts
65. The development will have a positive short term economic benefit associated with construction employment and minimal adverse economic impacts over the longer term.
Suitability of the site
66. The subject site is inherently suitable for the proposed development having regard to the emerging character of the surrounding locality which features several multi-level buildings with residential accommodation and its location in close proximity to public transport options and a wide range of services and facilities. Further, there are no natural or man-made environmental constraints (e.g. flooding/bushfire risks) that would render the site unsuitable for the proposed development.
SUBMISSIONS
67. The application was publicly exhibited from 7 June 2018 to 22 June 2018 in accordance with the public notification provisions in Part A of the Kogarah Development Control Plan 2013. Two (2) submissions objecting to the proposal was received.
68. The issues raised in the submission are addressed below.
Height of the building is out of character
Comment: The proposed building complies with the maximum height limit of 39m for the site which resulted from the density increase in 2017.
Has enough parking been provided for residents and visitors?
Comment: The proposal complies with the required number of parking spaces for residents and visitors as determined by the Apartment Design Guide.
Overshadowing of the heritage listed terraces on Gray Street
Comment: Due to the orientation of the site the heritage listed terraces are located to the north-east known as 4-14 Gray Street (the terraces being northwest of the site), the terraces will not be overshadowed by the proposed building.
Impact on the heritage items on Gray Street
Comment: Council’s Heritage Advisor has reviewed the proposal and is satisfied that the proposal will not have an adverse impact on the listed items (Terraces).
Impacts of excavation on 1 Gray Street
Comment: The recommendations in the Geotechnical Report submitted with the DA will be included as conditions of consent.
Will waste collection be undertaken from Gray Street?
Comment: Council’s Waste Officer has reviewed the proposal and advised waste collection for general waste will occur twice per week (3 x 1100L bins) which will reduce the time taken to collect the waste as opposed to 240L bins, and recycling will be collected once per week all from Gray Street.
69. The amendments during the assessment of the proposal were not required to be publicly notified in accordance with the DCP as they were considered to not result in additional environmental impacts. In this regard, the amendments were substantially in response to design issues raised by council officers and the design review panel and generally improved the bulk/scale and associated impacts of the proposal.
REFERRALS
Council Referrals
Landscaping
70. No objections were raised to vegetation removal and the proposed landscape plan subject to conditions. Those conditions have been incorporated into the recommended conditions.
Stormwater
71. No objections were raised to the drainage design and stormwater discharge subject to conditions. Those conditions have been incorporated into the recommended conditions.
Property Information
72. No objections were raised subject to conditions in relation to public domain works. Those conditions have been incorporated into the recommended conditions.
Health
73. No objections were raised to the acoustic assessment subject to conditions. Those conditions have been incorporated into the recommended conditions.
Waste
74. No objections were raised to the proposal, subject to conditions. Those conditions have been incorporated into the recommended conditions.
Building
75. No objections were raised to the proposal, subject to conditions. Those conditions have been incorporated into the recommended conditions.
Traffic
76. No objections were raised to the proposal, subject to conditions. Those conditions have been incorporated into the recommended conditions.
External Referrals
Department of Infrastructure, Regional Development and Cities
77. The proposed development will penetrate prescribed airspace for Sydney Airport and constitutes the need for a ‘controlled activity’ within the meaning of Division 4 of Part 12 of the Airports Act 1996. The applicant has obtained the necessary approval for the controlled activity.
Roads and Maritime (RMS)
78. In accordance with Schedule 3 of the SEPP (Infrastructure) 2007, the application was referred to RMS for comment. No objection has been raised subject to conditions of consent associated with obtaining a road occupancy licence and awnings not to block sightlines
Ausgrid
79. The DA was referred to Ausgrid in accordance with Clause 45 of SEPP (Infrastructure) 2007. Comments were received on 26 September 2019 and 2 October 2019. The comments provided by Ausgrid have been included in the deferred commencement condition in the consent.
Sydney Trains
80. In accordance with Clause 86 of the SEPP (Infrastructure) 2007, the application was referred to Sydney Trains for their concurrence. No objection has been raised subject to conditions of consent.
CONCLUSION
81. The proposal has been assessed using the matters for consideration listed in Section 4.15 and 4.16(1) (a) of the Environmental Planning and Assessment Act 1979. Based on this assessment, the proposal is generally considered to be a satisfactory outcome for subject site subject to appropriate conditions.
DETERMINATION AND STATEMENT OF REASONS
Statement of Reasons
· The proposal is an appropriate response to the “up-zoning” of the site (including increased Floor Space Ratio and height limits) afforded by the Kogarah “New City Plan”. The building is consistent with the desired future character of the B4 zone along Railway Parade and is commensurate with nearby recent shop top housing developments.
· The proposal is fully compliant with the maximum 4:1 FSR and 39m building height limit that applies to the site under Kogarah Local Environmental Plan 2012.
· The proposal’s bulk and scale is appropriately contained within a compliant building envelope that is consistent with the desired future character of the area in relation to height and FSR
· The proposal has sufficient façade modulation and wall articulation that will serve to provide visual interest and reduce the bulk of the building.
· The proposal achieves compliance with the Apartment Design Guide with respect to both internal and external amenity. Building separation requirements in particular are fully compliant.
Determination
A. THAT the determination of Development Application No. DA2018/0181 for demolition of existing structure and construction of a twelve (12) storey shop top housing development consisting of fifty two (52) residential apartments, ground floor commercial/retail floor area and three (3) levels of basement car parking at Lot 11 in DP911188 and Lots 2 and 3 in DP1753 and known as 1B Gray Street and 172-174 Railway Parade, Kogarah, be deferred and the applicant shall submit a Remediation Action Plan in accordance with State Environmental Planning Policy 55 – Remediation of Land and the Managing Land Contamination Planning Guidelines within 90 days.
B. The Remedial Action Plan (RAP) must be prepared by an suitably qualified consultant in accordance with NSW Department of Environment and Conservation (DEC) and NSW Environmental Protection Authority (EPA) Guidelines and shall document all the remedial works to be undertaken at the site and also contain an environmental management plan and occupational health and safety plan for the remedial works.
C. THAT pursuant to Section 4.16(1)(a) of the Environmental Planning and Assessment Act 1979, the Georges River Local Planning Panel delegate the function of determining this application to the Manager Development and Building, subject to A and B above being completed and generally in accordance with the conditions listed below.
SECTION A – DEFERRED COMMENCEMENT CONDITIONS
This Development Application is a Deferred Commencement Consent under Section 4.16(3) of the Environmental Planning and Assessment Act (as amended) 1979. Strict compliance is required with all conditions appearing in Section A within thirty six (36) months from the Determination Date of this consent. Upon confirmation in writing from Georges River Council that the Section A Conditions have been satisfied, the consent shall commence to operate as a Development Consent for a period of five (5) years from the Determination Date of this consent.
Pursuant to Section 4.16(3) of the Environmental Planning and Assessment Act 1979, this consent will not operate until the following requirements are satisfied:
Deferred Commencement Conditions
A. Deferred Commencement - General - Pursuant to Section 4.16(3) of the Environmental Planning and Assessment Act 1979, this consent will not operate until the following requirements are satisfied:
(a) The Applicant shall prepare and provide to Ausgrid for approval/certification the following final version items:
(i) A Vibration Management Plan;
(ii) A Displacement Monitoring Plan; and
(iii) Amended shoring plans to the satisfaction of Ausgrid.
Documentary evidence as requested or the above information must be submitted within thirty six (36) months of the granting of this deferred commencement consent.
Commencement of the Consent cannot commence until written approval of the submitted information has been given by Council.
Subject to the above being satisfied a development consent be issued, subject to the following conditions:
SECTION B – DEVELOPMENT CONDITIONS
Development Details
1. Fit-out of retail premises - No approval is granted for the use or fit-out of the retail premises. Separate Development Consent for the use and fit-out is required prior to the occupation of the retail component of the development.
2. Approved Plans - The development must be implemented in accordance with the approved plans and supporting documentation listed below which have been endorsed by Council’s approved stamp, except where marked up on the plans and/or amended by conditions of this consent:
|
Description |
Reference No. |
Date |
Revision |
Prepared by |
|
Site Plan |
A-0200 |
18/10/19 |
D |
Architecture & Building Works |
|
Basement 3 Plan |
A-0400 |
18/10/19 |
D |
Architecture & Building Works |
|
Basement 2 Plan |
A-0500 |
18/10/19 |
D |
Architecture & Building Works |
|
Basement 1 Plan |
A-0600 |
18/10/19 |
D |
Architecture & Building Works |
|
Ground Floor |
A-0700 |
18/10/19 |
D |
Architecture & Building Works |
|
First Floor |
A-0800 |
18/10/19 |
D |
Architecture & Building Works |
|
Second Floor |
A-0900 |
18/10/19 |
D |
Architecture & Building Works |
|
Third Floor |
A-1000 |
18/10/19 |
D |
Architecture & Building Works |
|
Fourth Floor |
A-1100 |
18/10/19 |
D |
Architecture & Building Works |
|
Fifth Floor |
A-1200 |
18/10/19 |
D |
Architecture & Building Works |
|
Sixth Floor |
A-1300 |
18/10/19 |
D |
Architecture & Building Works |
|
Seventh Floor |
A-1400 |
18/10/19 |
D |
Architecture & Building Works |
|
Eighth Floor |
A-1500 |
18/10/19 |
D |
Architecture & Building Works |
|
Ninth Floor |
A-1600 |
18/10/19 |
D |
Architecture & Building Works |
|
Tenth Floor |
A-1700 |
18/10/19 |
D |
Architecture & Building Works |
|
Eleventh Floor |
A-1800 |
18/10/19 |
D |
Architecture & Building Works |
|
Roof Plan |
A-1900 |
18/10/19 |
D |
Architecture & Building Works |
|
Elevations |
A-2000 to A-2300 |
18/10/19 |
D |
Architecture & Building Works |
|
Sections |
A-2500, A-2510 and A-2520 |
18/10/19 |
D |
Architecture & Building Works |
|
Adaptable Unit Details |
A-4000 |
18/10/19 |
D |
Architecture & Building Works |
|
Material Sample |
A-0002 |
18/10/19 |
D |
Architecture & Building Works |
|
Construction Management Plan |
A-4300 |
18/10/19 |
D |
Architecture & Building Works |
|
Landscape Plan |
ISO243DA1 to ISO243DA5 |
6/2/18 |
A |
Isthmus Landscape Design |
|
Traffic, Rail and Environmental Noise Assessment |
2017-726 |
21/12/17 |
- |
Acoustic Noise and Vibration Solutions Pty Ltd |
|
Detailed Site Investigation |
18/0222 |
February 2018 |
- |
STS GeoEnvironmental Pty Ltd |
|
Geotechnical Investigation |
18/0109 |
January 2018 |
- |
STS GeoEnvironmental Pty Ltd |
|
Dilapidation Report - Substation 1A Gray St Kogarah |
121040 |
5/3/19 |
- |
ACSES Engineers |
|
Further Geotechnical Assessment |
19/0570 |
8/3/19 |
- |
STS GeoEnvironmental Pty Ltd |
|
Electromagnetic Field Testing Pre-Development Report |
EMF856724 |
20/3/19 |
- |
Ecolibria |
|
Shoring Report |
121040.R02 |
26/7/19 |
- |
ACSES Engineers |
|
Shoring Sections |
Sheets 1 to 7 |
Feb 2019 |
A |
ACSES Engineers |
Separate Approvals Required Under Other Legislation
3. Vehicular Crossing - Major Development - The following vehicular crossing and road frontage works will be required to facilitate access to and from the proposed development site:
a) Construct a 1.2 metre wide footpath for the full length of the frontage of the site in Railway Parade and Gray Street in accordance with Council’s Specifications applying at the time construction approval is sought.
b) The thickness and design of the driveway shall be in accordance with Council’s Specifications applying at the time construction approval is sought.
c) Any existing vehicular crossing and/or laybacks which are redundant must be removed. The kerb and gutter, any other footpath and turf areas shall be restored at the expense of the applicant. The work shall be carried out in accordance with Council’s specification, applying at the time construction approval is sought.
Constructing a vehicular crossing and/or footpath requires separate approval under Section 138 of the Roads Act 1993, prior to the commencement of those works.
4. Hoarding Application - Prior to demolition of the buildings on the site or the commencement of work above ground level a separate application for the erection of an A class (fence type) or a B class hoarding or C type scaffold, in accordance with the requirements of Work Cover Authority of NSW, must be erected along that portion of the footway/road reserve, where the building is within 3.0 metres of the street boundary. An application for this work under Section 68 of the Local Government Act 1993 and the Roads Act 1993 must be submitted for approval to Council.
The following information is to be submitted with a Hoarding Application under s68 of the Local Government Act and s138 of the Roads Act 1993:
(a) A site and location plan of the hoarding with detailed elevation, dimensions, setbacks, heights, entry and exit points to/from the site, vehicle access points, location of public utilities, electrical overhead wire protection, site management plan and builders sheds location;
(b) Hoarding plan and details that are certified by an appropriately qualified engineer;
(c) The payment to Council of a footpath occupancy fee based on the area of footpath to be occupied and Council's Schedule of Fees and Charges (available on our website) before the commencement of work;
(d) A Public Risk Insurance Policy with a minimum cover of $10 million in relation to the occupation of and works within Council's road reserve, for the full duration of the proposed works, must be obtained a copy provided to Council. The Policy is to note Council as an interested party; and
(e) The application must be endorsement by the Roads & Maritime Services (RMS) as the hoarding is located within 100m of an intersection with traffic lights. For assistance you should contact the DA unit at RMS and speak to Hans on 88492076. Or email hans.pilly.mootanah@rms.nsw.gov.au to obtain concurrence for the hoarding structure.
5. Below ground anchors - Information to be submitted with S68 Application under LGA 1993 and S138 Application under Roads Act 1993 - In the event that the excavation associated with the basement carpark is to be supported by the use of below ground (cable) anchors that are constructed under Council’s roadways/footways, an application must be lodged with Council under Section 68 of the Local Government Act 1993 and the Roads Act 1993 for approval, prior to commencement of those works. The following details must be submitted.
a) That cable anchors will be stressed released when the building extends above ground level to the satisfaction of Council.
b) The applicant has indemnified Council from all public liability claims arising from the proposed works, and provide adequate insurance cover to the satisfaction of council.
c) Documentary evidence of such insurance cover to the value of $20 million.
d) The applicant must register a non-terminating bank guarantee in favour of Council for the amount of [$50,000].
The guarantee will be released when the cables are stress released. In this regard it will be necessary for a certificate to be submitted to Council from a structural engineer at that time verifying that the cables have been stress released.
e) That in the event of any works taking place on Council’s roadways/footways adjoining the property while the anchors are still stressed, all costs associated with overcoming the difficulties caused by the presence of the ‘live’ anchors will be borne by the applicant.
6. Section 138 Roads Act 1993 and Section 68 Local Government Act 1993 - Unless otherwise specified by a condition of this consent, this Development Consent does not give any approval to undertake works on public infrastructure.
Separate approval is required under Section 138 of the Roads Act 1993 and/or Section 68 of the Local Government Act 1993 for any of the following activities carried out in, on or over a public road (including the footpath) listed below.
An application is required to be lodged and approved prior to the commencement of any of the following works or activities;
(a) Placing or storing materials or equipment;
(b) Placing or storing waste containers or skip bins;
(c) Erecting a structure or carrying out work
(d) Swinging or hoisting goods over any part of a public road by means of a lift, crane or the like;
(e) Pumping concrete from a public road;
(f) Pumping water from the site into the public road;
(g) Constructing a vehicular crossing or footpath;
(h) Establishing a “works zone”;
(i) Digging up or disturbing the surface of a public road (eg Opening the road for the purpose of connections to utility providers);
(j) Stormwater and ancillary works in the road reserve;
(k) Stormwater and ancillary to public infrastructure on private land; and
(l) If any excavation is to be supported by the use of below ground (cable) anchors that are constructed under Council’s roadways/footways.
These separate activity approvals must be obtained and evidence of the approval provided to the Certifying Authority prior to the issue of the Construction Certificate.
The relevant Application Forms for these activities can be downloaded from Council’s website www.georgesriver.nsw.gov.au. For further information, please contact Council’s Customer Service Centre on (02) 9330 6400.
7. Road Opening Permit - A Road Opening Permit must be obtained from Council, in the case of local or regional roads, or from the RMS, in the case of State roads, for every opening of a public road reserve to access services including sewer, stormwater drains, water mains, gas mains, and telecommunications before the commencement of work in the road.
8. Public Domain Plan and Works - A public domain plan is to be submitted to Council consisting of full civil engineering drawings to Australian Standards. Inclusive of new kerbing, driveway, drainage, paved footpath, landscape and tree pits, and in accordance with Councils “Public Domain Streetscape Works Specification“.
The Approved plans for public domain works shall be constructed in accordance with the specifications issued under the “Application for Driveway Crossing and Associated Works on Council Road Reserve” Roads Act 1993 Section 138 Approval issued by Council’s Assets and Infrastructure Division. Applications to be made at Georges River Council Customer Service Centre.
A separate application approval is required under section 68 Local Government Act 1993 for any modifications to Council’s drainage network.
The Plans are also to generally reflect the requirements of the Kogarah Town Centre Public Domain Strategy and Technical Manual. The Plan must be approved by Council’s Assets and Infrastructure Division prior to issue of Construction Certificate .
A private contractor shall carry out the above work, at the expense of the applicant and in accordance with the approved Specifications for works.
The driveway and road frontage works are to be completed before the issue of the Occupation Certificate.
Requirements of Concurrence, Integrated & Other Government Authorities
9. Sydney Trains -
a) Prior to the issuing of a Construction Certificate the Applicant is to submit to Sydney Trains for endorsement the following final items in compliance with relevant ASA Standards (https://www.transport.nsw.gov.au/industry/asset-standards-authority):
1. Geotechnical and Structural report/drawings that meet Sydney Trains requirements. The Geotechnical Report must be based on actual borehole testing conducted on the site closest to the rail corridor.
2. Construction methodology with construction details pertaining to structural support during excavation. The Applicant is to be aware that Sydney Trains will not permit any rock anchors/bolts (whether temporary or permanent) within its land or easements.
3. Cross sectional drawings showing the rail corridor, sub soil profile, proposed basement excavation and structural design of sub ground support adjacent to the rail corridor. All measurements are to be verified by a Registered Surveyor.
Any conditions issued as part of Sydney Trains approval/certification of the above documents will also form part of the consent conditions that the Applicant is required to comply with.
b) The Applicant shall prepare an acoustic assessment demonstrating how the proposed development will comply with the Department of Planning’s document titled “Development Near Rail Corridors and Busy Roads- Interim Guidelines”. The Applicant must incorporate in the development all the measures recommended in the report. A copy of the report is to be provided to the Principal Certifying Authority and Council prior to the issuing of a Construction Certificate. The Principal Certifying Authority must ensure that the recommendations of the acoustic assessment are incorporated in the construction drawings and documentation prior to the issuing of the relevant Construction Certificate.
c) Prior to the issue of a Construction Certificate the Applicant is to engage an Electrolysis Expert to prepare a report on the Electrolysis Risk to the development from stray currents. The Applicant must incorporate in the development all the measures recommended in the report to control that risk. A copy of the report is to be provided to the Principal Certifying Authority with the application for a Construction Certificate. The Principal Certifying Authority must ensure that the recommendations of the electrolysis report are incorporated in the construction drawings and documentation prior to the issuing of the relevant Construction Certificate.
d) The design, installation and use of lights, signs and reflective materials, whether permanent or temporary, which are (or from which reflected light might be) visible from the rail corridor must limit glare, reflectivity and illumination to the satisfaction of the light rail operator. The Principal Certifying Authority is not to issue the Construction Certificate until written confirmation has been received from Sydney Trains confirming that this condition has been satisfied.
e) Prior to the issuing of a Construction Certificate the Applicant must submit to Sydney Trains a plan showing all craneage and other aerial operations for the development and must comply with all Sydney Trains requirements. If required by Sydney Trains, the Applicant must amend the plan showing all craneage and other aerial operations to comply with all Sydney Trains requirements. The Principal Certifying Authority is not to issue the Construction Certificate until written confirmation has been received from the Sydney Trains confirming that this condition has been satisfied.
f) If required, prior to the issue of a Construction Certificate the Applicant is to contact Sydney Trains Engineering & Maintenance Interface to determine the need for public liability insurance cover. If insurance cover is deemed necessary this insurance be for sum as determined by Sydney Trains and shall not contain any exclusion in relation to works on or near the rail corridor, rail infrastructure and must be maintained for the duration specified by Sydney Trains. The Applicant is to contact Sydney Trains Engineering & Maintenance Interface to obtain the level of insurance required for this particular proposal. Prior to issuing the Construction Certificate the Principal Certifying Authority must witness written proof of this insurance in conjunction with Sydney Trains written advice to the Applicant on the level of insurance required.
g) If required, prior to the issue of a Construction Certificate the Applicant is to contact Sydney Trains Engineering & Maintenance Interface to determine the need for the lodgement of a Bond or Bank Guarantee for the duration of the works. The Bond/Bank Guarantee shall be for the sum determined by Sydney Trains. Prior to issuing the Construction Certificate the Principal Certifying Authority must witness written advice from Sydney Trains confirming the lodgement of this Bond/Bank Guarantee.
h) The Applicant must ensure that at all times they have a representative (which has been notified to Sydney Trains in writing), who: oversees the carrying out of the Applicant’s obligations under the conditions of this consent and in accordance with correspondence issued by Sydney Trains;
· acts as the authorised representative of the Applicant; and
· is available (or has a delegate notified in writing to Sydney Trains that is available) on a 7 day a week basis to liaise with the representative of Sydney Trains, as notified to the Applicant.
i) Without in any way limiting the operation of any other condition of this consent, the Applicant must, during demolition, excavation and construction works, consult in good faith with Sydney Trains in relation to the carrying out of the development works and must respond or provide documentation as soon as practicable to any queries raised by Sydney Trains in relation to the works.
j) Where a condition of consent requires consultation with Sydney Trains, the Applicant shall forward all requests and/or documentation to the relevant Sydney Trains external party interface team. In this instance the relevant interface team is Illawarra Interface and they can be contacted via email on Illawarra_Interface@transport.nsw.gov.au.
k) Copies of any certificates, drawings, approvals/certification or documents endorsed by, given to or issued by Sydney Trains or RailCorp must be submitted to Council for its records prior to the issuing of the applicable Construction Certificate or Occupation Certificate.
l) If required by Sydney Trains, prior to the commencement of works or at any time during the excavation and construction period deemed necessary by Sydney Trains, a joint inspection of the rail infrastructure and property in the vicinity of the project is to be carried out by representatives from Sydney Trains and the Applicant. These dilapidation surveys will establish the extent of any existing damage and enable any deterioration during construction to be observed. The submission of a detailed dilapidation report will be required within 10 days following the undertaking of the inspection, unless otherwise notified by Sydney Trains.
m) If required by Sydney Trains, prior to the issue of the Occupation Certificate, or at any time during the excavation and construction period deemed necessary by Sydney Trains, a joint inspection of the rail infrastructure and property in the vicinity of the project is to be carried out by representatives from Sydney Trains and the Applicant. These dilapidation surveys will establish the extent of any existing damage and enable any deterioration during construction to be observed. The Principal Certifying Authority is not to issue the final Occupation Certificate until written confirmation has been received from Sydney Trains confirming that this condition has been satisfied
n) Sydney Trains or Transport for NSW (TfNSW), and persons authorised by those entities for the purpose of this condition, must be permitted to inspect the site of the development and all structures to enable it to consider whether those structures have been or are being constructed and maintained in accordance with the approved plans and the requirements of this consent, on giving reasonable notice to the principal contractor for the development or the owner or occupier of the part of the site to which access is sought.
o) Any conditions issued as part of Sydney Trains approval/certification of any documentation for compliance with the Sydney Trains conditions of consent, those approval/certification conditions will also form part of the consent conditions that the Applicant is required to comply with.
10. Trade Waste Agreements - A Trade Waste Agreement with Sydney Water may be required. Details of any work required to comply with the agreement must be detailed on the plans lodged with the Construction Certificate. If no trade waste agreement or grease trap is required, a letter from Sydney Water to this effect must be submitted with the application for the Construction Certificate.
11. Electricity Supply - An application is required to be made to Ausgrid for a network connection. This may require the network to be extended or its capacity augmented. Evidence of this application being lodged with Ausgrid is required to be provided to the Certifying Authority prior to the issue of a Construction Certificate. For further details, you are advised to contact Ausgrid on 13 13 65 or www.ausgrid.com.au (Business and Commercial Services).
12. Electricity Supply to Development - The electricity supply to the Development must be underground including power lines within the road reserve adjacent to the site.
13. Geotechnical Report - Prior to the issue of a Construction Certificate the Applicant shall provide Sydney Trains with a Geotechnical Report and structural drawings/report. These reports shall provide confirmation that there will be no negative impact on Sydney Trains infrastructure and land. Written confirmation shall be provided from Sydney Trains to the Certifying Authority confirming this condition has been satisfied.
14. Sydney Water - Tap in TM - The approved plans must be submitted to a Sydney Water Tap inTM to determine whether the development application will affect Sydney Water’s sewer and water mains, stormwater drains and/or easements, and if further requirements need to be met. The approved plans will be appropriately endorsed. For details please refer to ‘Plumbing, building and developing’ section of Sydney Water’s web site at www.sydneywater.com.au then see ‘Building’, or telephone 13000 TAP IN (1300 082 746). The Certifying Authority must ensure that a Tap inTM agent has appropriately stamped the plans prior to the issue of the Construction Certificate.
15. Notice of Requirements for a Section 73 Certificate - A Notice of Requirements of what will eventually be required when issuing a Section 73 Compliance Certificate under the Sydney Water Act 1994 must be obtained from Sydney Water Corporation. Application must be made through an authorised Water Servicing Co-ordinator. Please refer to the ‘Plumbing, building and developing’ section of the web site www.sydneywater.com.au then refer to ‘Providers’ under ‘Developing’ or telephone 13 20 92 for assistance.
Following application, a ‘Notice of Requirements’ will advise of water and sewer infrastructure to be built and charges to be paid. Please make early contact with the Co-ordinator, as it can take some time to build water/sewer pipes and this may impact on other services and building, driveway or landscape design.
The Notice of requirements must be submitted prior to the commencement of work. A Section 73 Compliance Certificate will be required at the completion of development in accordance with further conditions.
Prior to the Issue of a Construction Certificate
16. Pre-Construction Dilapidation Report - Private Land - A professional engineer specialising in structural or geotechnical engineering shall prepare a Pre-Construction Dilapidation Report detailing the current structural condition of adjoining premises that shall be affected by the excavation as determined by the consulting engineer.
The report shall be prepared at the expense of the applicant and submitted to the satisfaction of the Certifying Authority prior to the issue of the Construction Certificate.
A copy of the pre-construction dilapidation report is to be provided to the adjoining properties (subject of the dilapidation report), a minimum of 5 working days prior to the commencement of work. Evidence confirming that a copy of the pre-construction dilapidation report was delivered to the adjoining properties must be provided to the PCA.
Should the owners of properties (or their agents) refuse access to carry out inspections, after being given reasonable written notice, this shall be reported to Council to obtain Council’s agreement to complete the report without access. Reasonable notice is a request for access in no sooner than 14 days between 8.00am-6.00pm.
17. Railway Noise - The site is affected by noise from the Eastern Suburbs Illawarra railway corridor. An Acoustic Report prepared by a suitably qualified acoustic consultant shall be submitted, prior to the issue of the Construction Certficate, demonstrating that the development has been designed to meet the internal noise and vibration levels specified in NSW Department of Planning ‘Development Near Rail Corridors and Busy Roads - Interim Guidelines’ and Clause 87 of State Environmental Planning Policy (Infrastructure) 2007.
18. On Site Detention - The submitted stormwater plan has been assessed as a concept plan only. Final detailed plans of the drainage system, prepared by a professional engineer specialising in hydraulic engineering, shall be submitted for approval with the Construction Certificate.
An on-site detention (OSD) facility designed by a professional engineer who specialises in Hydraulic Engineering must be designed, approved and installed. The design must include the computations of the inlet and outlet hydrographs and stage/storage relationships of the proposed OSD using the following design parameters:
a) peak flow rates from the site are to be restricted to a permissible site discharge (PSD) equivalent to the discharge when assuming the site contained a single dwelling, garage, lawn and garden,
b) at Annual Recurrence Intervals of 2 years and 100 years.
Refer to Flow Controls in Council's Draft/Adopted Stormwater Drainage Policy.
The OSD facility shall be designed to meet all legislated safety requirements and childproof safety fencing around the facility must be provided where the OSD facility is open or above ground when the design peak storage depth is greater than 300mm. A durable metal plate or similar sign is to be placed at the OSD facility and must bear the words:
"BEWARE: This is an on-site detention basin/tank for rainwater which could overflow during heavy storms."
Full details shall accompany the application for the Construction Certificate.
19. Pump-Out System Design for Stormwater Disposal - The design of the pump-out system for storm water disposal will be permitted for drainage of basement areas only, and must be designed in accordance with the following criteria:
a) The pump system shall consist of two pumps, connected in parallel, with each pump being capable of emptying the holding tank at the rate equal to the rate of inflow for the one-hour duration storm. The holding tank shall be capable of holding one hour’s runoff from a one-hour duration storm of the 1 in 20 year storm;
b) The pump system shall be regularly maintained and serviced, every six (6) months; and
c) Any drainage disposal to the street gutter from a pump system must have a stilling sump provided at the property line, connected to the street gutter by a suitable gravity line.
Details and certification of compliance from a professional engineer specialising in civil engineering shall be provided for approval with the Construction Certificate application.
20. Driveway Construction Plan Details - Detailed engineering plans for the driveway shall be submitted with the Construction Certificate application for approval that show:
a) Longitudinal and cross sections, gradients, access onto the proposed lots, type of construction materials designed in accordance with Council's Subdivision standards and AS/NZS2890.1-2004.
b) The Loading Bay is compliant with AS2890.1-2004 for the use at a minimum of Small Rigid Vehicles
c) Suitable underground provision for the supply of all relevant services to the proposed lots (proposed position of pipes and conduits).
d) The full length of the driveway designed with a minimum 150mm thick reinforced concrete and minimum of 2.7m wide pavement/kerb face to kerb face width, and a non-slip surface.
21. Council Property Shoring - Prior to the issue of the Construction Certificate, plans and specifications prepared by a professional engineer specialising in practising structural engineering must detail how Council’s property shall be supported at all times.
Where any shoring is to be supporting, or located on Council’s property, certified structural engineering drawings detailing; the extent of the encroachment, the type of shoring and the method of removal, shall be included on the plans. Where the shoring cannot be removed, the plans must detail that the shoring will be cut to 150mm below footpath level and the gap between the shoring and any building shall be filled with a 5MPa lean concrete mix.
22. Fire Safety Measures - Prior to the issue of a construction certificate a list of the essential fire safety measures that are to be provided in relation to the land and any building on the land as a consequence of the building work must accompany an application for a construction certificate, which is required to be submitted to either Council or a PCA. Such list must also specify the minimum standard of performance for each essential fire safety measure included in the list. The Council or PCA will then issue a Fire Safety Schedule for the building.
23. Damage Deposit - Major Works - In order to insure against damage to Council property the following is required:
a) Pay Council, before the issue of the Construction Certificate, a damage deposit for the cost of making good any damage caused to any Council property as a result of the development: $68,122.14
b) Pay Council, before the issue of the Construction Certificate, a non-refundable inspection fee to enable assessment of any damage and repairs where required: $371.00
c) Submit to Council, before the commencement of work, a dilapidation report of the condition of the Council nature strip, footpath and driveway crossing, or any area likely to be affected by the proposal.
At the completion of work Council will review the dilapidation report and the Works-As-Executed Drawings (if applicable) and inspect the public works.
The damage deposit will be refunded in full upon completion of work where no damage occurs and where Council is satisfied with the completion of works. Alternatively, the damage deposit will be forfeited or partly refunded based on the damage incurred.
24. Engineer’s Certificate - A certificate from a professional Engineer specialising in structural engineering certifying the structural adequacy of the existing structure, to support all proposed additional superimposed loads shall be submitted to the Certifying Authority prior to the issue of the Construction Certificate.
25. Access for Persons with a Disability - Access for persons with disabilities must be provided throughout the site, including to all common rooms, lobby/terrace areas and sanitary facilities in accordance with the requirements of the Premises Standards, the Building Code of Australia and AS 1428.1. Details of which must be submitted with the Construction Certificate Application.
In regards to the above, pedestrian access throughout basement levels shall be highlighted/line marked and sign posted to safeguard egress.
26. Geotechnical report - The applicant must submit a Geotechnical Report, prepared by a suitably qualified Geotechnical Engineer who holds the relevant Certificate of accreditation as required under the Building Professionals Act 2005 in relation to dilapidation reports, all site works and construction. This is to be submitted before the issue of the Construction Certificate and is to include:
(a) Investigations certifying the stability of the site and specifying the design constraints to be placed on the foundation, any earthworks/stabilization works and any excavations.
(b) Dilapidation Reports on the adjoining properties prior to any excavation of site works. The Dilapidation Report is to include assessments on, but not limited to, the dwellings at those addresses and any external paths, grounds etc. This must be submitted to the Certifying Authority and the adjoining residents as part of the application for the Construction Certificate. Adjoining residents are to be provided with the report five (5) working days prior to any works on the site.
(c) On-site guidance by a vibration specialist during the early part of excavation.
(d) Rock breaking techniques. Rock excavation is to be carried out with tools such as rock saws which reduce vibration to adjoining buildings and associated structures.
(e) Sides of the excavation are to be piered prior to any excavation occurring to reinforce the walls of the excavation to prevent any subsidence to the required setbacks and neighbouring sites.
27. Vibration Damage - To minimise vibration damage and loss of support to the buildings in close proximity to the development, any excavation is to be carried out by means of a rock saw and if available, in accordance with the guidelines of the Geotechnical Engineer’s report.
Alternatively where a hydraulic hammer is to be used within 30 metres of any building (other than a path or a fence) a report from a qualified geotechnical engineer detailing the maximum size of hammer to be used is to be obtained and the recommendations in that report implemented during work on the site. The report shall be submitted with the Construction Certificate application.
28. Slip Resistance - All pedestrian surfaces in areas such as foyers, public corridors/hallways, stairs and ramps as well as floor surfaces in the wet rooms in any residential units must have slip resistance classifications, as determined using test methods in either wet or dry conditions, appropriate to their gradient and exposure to wetting. The classifications of the new pedestrian surface materials, in wet or dry conditions, must comply with AS/NZS4586:2004 - Slip Resistance Classifications of New Pedestrian Materials and must be detailed on the plans lodged with the application for the Construction Certificate
29. Heritage
Archaeology
As required by the National Parks and Wildlife Service Act 1974 and the Heritage Act 1977, in the event that Aboriginal cultural heritage or historical cultural fabric or deposits are encountered/discovered where they are not expected, works must cease immediately and Council and the Heritage Division of the Office of Environment and Heritage (OEH) must be notified of the discovery.
In the event that archaeological resources are encountered, further archaeological work may be required before works can re-commence, including the statutory requirement under the Heritage Act 1977 to obtain the necessary approvals/permits from the Heritage Division of the OEH.
Note: The National Parks and Wildlife Service Act 1974 and the Heritage Act 1977 impose substantial penalty infringements and / or imprisonment for the unauthorised destruction of archaeological resources, regardless of whether or not such archaeological resources are known to exist on the site.
Photographic Archival Recording
Prior to the commencement of any works, including the dismantling of fabric or demolition, a Photographic Archival Recording shall be undertaken of the building at 172 Railway Parade, Kogarah, and submitted to Council.
Written confirmation must also be obtained from Council’s Heritage Advisor, confirming that the Photographic Archival Recording is of an acceptable quality that satisfies the requirements of this condition.
The Photographic Archival Recording shall be prepared in accordance with the guidelines "Archival Recording of Heritage Items Using Film or Digital Capture" published by the Heritage Division of the Office of Environment and Heritage.
Two complete copies of the Photographic Archival Recording shall be submitted to Council. Each copy should contain (for digital projects):
· A brief report or introduction which explains the purposes of the Photographic Archival Recording and gives a brief description of the subject site, as well as details of the sequence in which images were taken. The report may also address the limitations of the photographic record and may make recommendations for future work;
· Plans of the building marked up to indicate where the photographs were taken and the direction of the photograph;
· The report should include all technical details including camera and lenses, image file size and format, technical metadata associated with the images, and colour information;
· Catalogue sheets, photographic plan, supplementary maps;
· Colour thumbnail image sheets (e.g. A4 page with six images by six images) showing images and reference numbers. The thumbnail sheets should be processed with archivally stable inks on archivally acceptable photographic paper and cross referenced to catalogue sheets;
· One full set of 10.5x14.8cm (A6) colour prints OR, if a large project, a representative set of selected images processed with archivally stable inks on archivally acceptable photographic paper.
· A CD or DVD containing electronic image files saved as RAW files with associated metadata, and cross-referenced to catalogue sheets.
The report should be presented on archival quality paper in a suitable archival binder and slipcase, and all storage of individual components must be in archival quality packaging suitable for long term storage.
30. Construction Traffic Management Plan - A Construction Traffic Management Plan detailing:
(a) construction vehicle routes;
(b) anticipated number of trucks per day;
(c) hours of construction;
(d) Access arrangements; and
(e) Proposed traffic measures to minimise impacts of construction vehicles
must be submitted for the approval of Council’s Engineers. Council’s Engineers must specify in writing that they are satisfied with the Traffic Management Plan prior to the issue of the Construction Certificate.
31. Use of Rooftop open space - A Plan of Management (POM) for use of rooftop open space must be submitted for approval of Council. The POM must outline the:
(i) hours of use of the rooftop terrace which shall be restricted from 8am until 10pm;
(ii) maximum number of users at any one time is restricted to 25;
(iii) provisions for no amplified music to be played;
(iv) and identify other measures to ensure that the amenity of persons within the development and in nearby existing and future development is maintained.
The approved POM shall be incorporated into the Owners Corporation by-laws in any future Strata subdivision and a sign in the front entry of the building shall be included to ensure the use of this space is monitored and understood by all occupants.
32. Acoustic Requirements - Compliance with submitted Acoustic Report - The Construction Certificate plans shall demonstrate compliance with the Acoustic Assessment submitted to Council, titled “Acoustic Report - Traffic & Environmental Noise Assessment - For proposed development at No. 172-174 Railway Parade Kogarah. Prepared By: ACOUSTIC NOISE & VIBRATION SOLUTIONS P/L Reference No.: 2017-726”
This means that a review of glazing design and mechanical plant must be undertaken to ensure that acoustic objectives will be met. Written verification from a suitably qualified acoustic consultant must be submitted to Council validating that the acoustic objectives contained within the aforementioned report will be met, must be submitted to Council for approval. The Construction Certificate will not be issued until Council approves this validation.
33. SEPP 65 Design Verification Statement - A design verification statement, prepared by a qualified designer, shall be submitted to the Certifying Authority verifying that the plans and specifications achieve or improve the design quality of the development for which development consent was granted, having regard to the design quality principles set out under Schedule 1 of State Environmental Planning Policy No 65 -Design Quality of Residential Flat Development.
34. Electromagnetic Assessment - The Construction Certificate plans shall demonstrate compliance with the recommendations of the Electromagnetic Assessment submitted to Council, titled “Electromagnetic Field Testing Pre-Development Report Prepared for Architecture & Building Works Site Assessed - 172-174 Railway Parade, Kogarah, NSW. Report Date: Wednesday 20th March 2019 Report Number: EMF856724” depicting that Units 1.05, 2.05 and 3.05 be configured so that a bed is not placed within four (4) meters of the substation (located at 1A Gray St Kogarah NSW 2217 Lot 12 DP 911188) wall AND that retail location 1 is configured so that the Gray Street boundary is used for display or storage and not as a location where people spend extended periods of time.
35. Waste Storage - Residential and Mixed Use Developments - The plans shall include details of the waste storage area. The waste storage area shall not be visible from the street. The waste storage area shall be located within the lot/building in accordance with the approved plans.
The waste storage area shall be large enough to accommodate the required number of bins for the development and located in an area to suitably facilitate servicing on waste collection day.
The path to the bin room is to be at least 1.0 metres wide and kept clear and unobstructed at all times.
Residential Waste
The development will require the provision of the following waste and recycling facilities:
(a) Domestic Waste - 3 x 1100 litre mobile bins.
(b) Domestic Recycling - 19 x 240 litre mobile bins.
Commercial Waste
For the Commercial portion of the building appropriate waste and recycling containers and facilities will need to be provided for all specific end use businesses in accordance with the following waste generation rates:
(a) Retail Trading - shops, to 100 square metres - 0.1-0.2 cubic metres per 100 square metres of floor area per day;
(b) Restaurants and Food Shops - 0.3-0.6 square metres per 100 meals, plus up to 0.15 cubic metres of beverage containers per 100 meals; and,
(c) Office - 0.01-0.03 cubic metres per 100 square metres of floor area per day.
36. Waste Handling Systems - All waste handling equipment and systems used in conjunction with the provision of waste and recycling services shall be manufactured, installed and maintained in accordance with any applicable regulatory requirements, relevant Australian Standards, and relevant manufacturer’s specifications.
37. Fees to be paid - The fees listed in the table below must be paid in accordance with the conditions of this consent and Council’s adopted Fees and Charges applicable at the time of payment (available at www.georgesriver.nsw.gov.au).
Payments must be made prior to the issue of the Construction Certificate or prior to the commencement of work (if there is no associated Construction Certificate).
Please contact Council prior to the payment of Section 7.11 Contributions to determine whether the amounts have been indexed from that indicated below in this consent and the form of payment that will be accepted by Council.
Council will only accept Bank Cheque or Electronic Funds Transfer (EFT) for transaction values of $500,000 or over. Council must be contacted prior to payment to determine correct total amount to be paid and bank account details (if applicable).
A summary of the fees to be paid are listed below:
|
Fee Type |
Fee |
|
GENERAL FEES |
|
|
Long Service Levy (to Long Service Corporation) Or, provide evidence of Payment direct to the Long Service Corporation. See https://portal.longservice.nsw.gov.au/bci/levy/ |
|
|
Builders Damage Deposit |
$68,122.14 |
|
Inspection Fee for Refund of Damage Deposit |
$371.00 |
|
DEVELOPMENT CONTRIBUTIONS |
|
|
Kogarah Section 94 Development Contributions Plan No.8 - Kogarah Town Centre - Streetscape, Open Space & Public Domain |
$884,856.96 |
|
Kogarah Section 94 Development Contributions Plan No.8 - Kogarah Town Centre - Traffic Facilities |
$20,616.81 |
|
Kogarah Section 94 Development Contributions Plan No.8 - Kogarah Town Centre - Community Facilities |
$15,730.22 |
|
Kogarah Section 94 Development Contributions Plan No.9 - Kogarah Libraries - Buildings |
$14,660.94 |
|
Kogarah Section 94 Development Contributions Plan No.9 - Kogarah Libraries - Books |
$10,453.19 |
General Fees
The fees and charges above are subject to change and are as set out in the version of Council's Schedule of Fees and Charges or as required by other Government Authorities, applicable at the time of payment.
Development Contributions
The Section 7.11 contribution is imposed to ensure that the development makes adequate provision for the demand it generates for public amenities and public services within the area.
Indexation
The above contributions will be adjusted at the time of payment to reflect changes in the cost of delivering public amenities and public services, in accordance with the indices provided by the relevant Section 94 Development Contributions Plan.
Timing of Payment
The contribution must be paid and receipted by Council prior to the release of the Construction Certificate.
Further Information
A copy of the all current Development Contributions Plans may be inspected or a copy purchased at Council’s offices (Georges River Civic Centre, MacMahon Street, Hurstville and Kogarah Library and Service Centre, Kogarah Town Square, Belgrave Street, Kogarah) or viewed on Council’s website www.georgesriver.nsw.gov.au.
38. Site Management Plan - Major Development - A Site Management Plan must be submitted with the application for a Construction Certificate, and include the following:
a) location of protective site fencing;
b) location of site storage areas/sheds/equipment;
c) location of building materials for construction, e.g. stockpiles
d) provisions for public safety;
e) dust control measures;
f) method used to provide site access location and materials used;
g) details of methods of disposal of demolition materials;
h) method used to provide protective measures for tree preservation;
i) provisions for temporary sanitary facilities;
j) location and size of waste containers/skip bins;
k) details of proposed sediment and erosion control measures;
l) method used to provide construction noise and vibration management;
m) construction and demolition traffic management details.
The site management measures are to be implemented prior to the commencement of any works including demolition and excavation. The site management measures are to be maintained throughout the works, to maintain reasonable levels of public health, safety and amenity. A copy of the Site Management Plan must be kept on site and is to be made available upon request.
39. BASIX Commitments - All energy efficiency measures as detailed in the BASIX Certificate No. 892771M_02 must be implemented on the plans lodged with the application for the Construction Certificate.
40. Required design changes - The following changes are required to be made and shown on the Construction Certificate plans:
(a) The Landscape Plans are to be updated to reflect the approved architectural plans.
(b) Five (5) street trees of species to be determined in consultation with council shall be provided in the road reserve, generally in accordance with the Public Domain Strategy and Technical Manual for Kogarah Town Centre.
(c) The stormwater concept plans shall be revised satisfying the following and shown on the Construction Certificate plans:
· Details of the Bioretention Basin that was shown on the architectural ground floor plan.
· Please note that all new commercial and industrial developments should incorporate water efficiency measures, and where possible should aim to harvest and reuse rainwater. It is recommended that at least 5 cubic meter of rainwater tank shall be designed and installed. When a rainwater tank is used on the property and is connected to supply toilet flushing and laundry demands,1/3 of the provided storage volume can be used to offset the required volume for OSD.
· The provided OSD storage volume in the stormwater concept plan is acceptable. However, Stormwater Management Report (Stormwater Calculator) shall be revised showing the impervious area percentage on the table.
(d) Submission to the satisfaction of Georges River Council of a public domain plan generally in accordance with the Public Domain Strategy and Technical Manual for Kogarah Town Centre.
41. Erosion & Sedimentation Control - Erosion and sediment controls must be provided to ensure:
(a) Compliance with the approved Erosion & Sediment Control Plan
(b) Removal or disturbance of vegetation and top soil is confined to within 3m of the approved building area (no trees to be removed without approval)
(c) All clean water runoff is diverted around cleared or exposed areas
(d) Silt fences, stabilised entry/exit points or other devices are installed to prevent sediment from entering drainage systems or waterways
(e) All erosion and sediment controls are fully maintained for the duration of demolition, excavation and/or development works
(f) Controls are put into place to prevent tracking of sediment by vehicles onto adjoining roadway
(g) All disturbed areas are rendered erosion-resistant by turfing, mulching, paving or similar
(h) Compliance with Managing Urban Stormwater - Soils and Construction (Blue Book) produced by Landcom 2004.
These measures are to be implemented prior to the commencement of work (including demolition and excavation) and must remain until works are completed and all exposed surfaces are landscaped/sealed.
42. Stormwater System - The submitted stormwater plan has been assessed as a concept plan only. Final detailed plans of the drainage system, prepared by a professional engineer specialising in hydraulic engineering, shall be submitted for approval with the Construction Certificate.
(a) All stormwater shall drain by gravity to Council's drainage line directly in front of the development site in accordance with the Australian/New Zealand Standard AS/NZS 3500.3: 2015 (as amended).
(b) Stormwater drainage plans including pipe sizes, type, grade, length, invert levels, dimensions and types of drainage pits prepared by a professional engineer who specialises in Hydraulic Engineering in accordance with the Australian Institute of Engineers Australian Rainfall and Runoff (2005 or 2016) and Council's Stormwater Drainage Guidelines, shall accompany the application for the Construction Certificate.
(c) The underground basement car park must pump to and all other stormwater must drain by gravity to the OSD system.
(d) The construction of the building and driveway shall be designed to protect the underground basement from possible inundation by surface waters. The crest of the driveway shall be set least 150 mm above the top of the kerb levels.
(e) The sub soil drainage for the below ground structures including basement car parks shall be designed in accordance with the findings and recommendations in the geotechnical report. The geotechnical report should assess any possible impact of the proposed development upon existing ground water table and surrounding land and buildings. Should the results of the report indicate that the site is likely to experience issues associated with groundwater management, a fully-tanked dry basement with no sub soil drainage collection or disposal and an allowance made for any hydrostatic pressures.
43. Stormwater Drainage Plan Details - Stormwater drainage plans including pipe sizes, type, grade, length, invert levels, dimensions and types of drainage pits prepared by a professional engineering specialising in hydraulic engineering shall be submitted with the Construction Certificate application.
These plans shall be prepared in accordance with the Australian Institute of Engineers Australian Rainfall and Runoff (2005 or 2016) and Council's Water Management Policy (Kogarah Council), August 2006.
44. Structural details - Engineer's details prepared by a practising Structural Engineer being used to construct all reinforced concrete work, structural beams, columns and other structural members. The details are to be submitted to the Principal Certifying Authority for approval prior to construction of the specified works.
A copy shall be forwarded to Council where Council is not the PCA.
45. Traffic Management - Compliance with AS2890 - All driveways, access ramps, vehicular crossings and car parking spaces shall be designed and constructed in accordance with the current version of Australian Standards, AS 2890.1 (for car parking facilities) and AS 2890.2 (for commercial vehicle facilities).
46. Waste Management Plan - A Waste Management Plan incorporating all requirements in respect of the provision of waste storage facilities, removal of all materials from the site that are the result of site clearing, extraction, and, or demolition works and the designated Waste Management Facility shall be submitted to the Certifying Authority prior to the issue of any Construction Certificate.
47. Landscape Plans - All landscape works shall be carried out in accordance with the approved landscape plans and specifications, drawn by Isthmus Landscape Design, reference numbers - ISO243 - DA1 - DA5. The landscaping shall be maintained in accordance with the approved plans in perpetuity.
General Landscape Requirements
a) The proposed tree and plant species, pot/ bag size and quantities of plants shall be in accordance with the proposed plant schedule upon the landscape plan. If plant species, pot/ bag size and quantities cannot be sourced, Council shall be contacted for alternatives.
b) The eight (8) trees proposed upon the approved landscape plan shall comply with NATSPEC Specifying Trees: a guide to assessment of tree quality (2003), and be planted and maintained in accordance with Councils standard specification.
48. Allocation of street addresses - In order to comply with AS/NZS 4819:2011 Rural and Urban Addressing & the NSW Addressing User Manual (Geographical Names Board of NSW) and Georges River Council’s requirements, the street addresses for the subject development must be allocated as follows:
Street Address for Shops
· 172 Railway Parade KOGARAH NSW 2217
Street Address for Residential Units
· 1B Gray Street KOGARAH NSW 2217
Details indicating compliance with this condition must be shown on the plans lodged with any Construction Certificate for approval.
Prior to the Commencement of Work
49. Dilapidation Report on Public Land - Prior to the commencement of works (including demolition and excavation), a dilapidation report must be prepared for the Council infrastructure adjoining the development site.
The report must include the following:
(a) Photographs showing the existing condition of the road pavement fronting the site,
(b) Photographs showing the existing condition of the kerb and gutter fronting the site,
(c) Photographs showing the existing condition of the footpath pavement fronting the site,
(d) Photographs showing the existing condition of any retaining walls within the footway or road, and
(e) The full name and signature of the structural engineer.
The Dilapidation Report must be prepared by a professional engineer. The report must be provided to the PCA and a copy provided to the Council.
The report is to be supplied in electronic format in Word or PDF. Photographs are to be in colour, digital and date stamped.
Note: Council will use this report to determine whether to refund the damage deposit after the completion of works.
50. Site Audit Report and Site Audit Statement – After completion of all Remediation works, a Site Audit Report and Site Audit Statement are to be submitted to Council. These documents must clearly state that the site is suitable for the proposed use.
Note: The Applicant must comply with clauses 17 ‘Guidelines and notices: all remediation work’ and clause 18 ‘Notice of completion of remediation work’ under State Environmental Planning Policy No.55-Remediation of Land.
Note: Words and expressions used in these conditions have the same meaning as in the Contaminated Land Management Act 1997.
51. Structural Engineers Details - Supporting excavations and adjoining land - Prior to the commencement of work in connection with the excavation of the site associated with the basement car park, structural engineer’s details relating to the method of supporting the excavation must be submitted.
52. Site contamination - Additional information - Any new information that comes to light during excavation (after demolition of the onsite structures and the conclusion of the detailed site investigation) which has the potential to alter previous conclusions about site contamination and remediation must be notified to Council and the accredited certifier immediately.
The following steps must then be taken before any further works proceed onsite:
A further detailed investigation of the site should then be prepared by a suitably qualified contaminated land consultant and submitted to Council.
This report must consider whether the land is contaminated, and
· if the land is contaminated, it is satisfied that the land is suitable in its contaminated state (or will be suitable, after remediation) for the purpose for which the development is proposed to be carried out, and
· if the land requires remediation to be made suitable for the purpose for which the development is proposed to be carried out, it is satisfied that the land will be remediated before the land is used for that purpose.
Remediation Works
All remediation work must be carried out in accordance with: -
· the Managing Land Contamination: Planning Guidelines SEPP 55 Remediation of Land; and,
· the EPA Guidelines made under the Contaminated Land Management Act 1997;
and in accordance with the Remedial Action Plan.
Validation Report
After completion of all Remediation works, a copy of the Validation and Monitoring Report prepared by suitably qualified contaminated land consultant shall be submitted to Council. The Construction Certificate shall not be issued until Council approves this Report. The validation report shall be prepared in accordance with the Office Environment and Heritage Guidelines, Consultants Reporting on Contaminated Sites, and shall certify the suitability of the site for the proposed development.
1 describe and document all works performed;
2 include results of validation testing and monitoring;
3 include validation results of any fill imported on to the site;
4 show how the objectives of the Remedial Action Plan have been met;
5 show how all agreed clean-up criteria and relevant regulations have been complied with; and
6 include clear justification as to the suitability of the site for the proposed development and the potential for off-site migration of any residual contaminants.
53. Demolition & Asbestos - The demolition work shall comply with the provisions of Australian Standard AS2601:2001 - Demolition of Structures, NSW Work Health & Safety Act 2011 and the NSW Work Health & Safety Regulation 2011. The work plans required by AS2601:2001 shall be accompanied by a written statement by a suitably qualified person that the proposals contained in the work plan comply with the safety requirements of the Standard. The work plans and the safety statement shall be submitted to the PCA prior to the commencement of works.
For demolition work which involves the removal of asbestos, the asbestos removal work must be carried out by a licensed asbestos removalist who is licensed to carry out the work in accordance with the NSW Work Health & Safety Act 2011 and the NSW Work Health & Safety Regulation 2011 unless specified in the Act and/or Regulation that a license is not required.
All demolition work including the removal of asbestos, shall be undertaken in accordance with the Demolition Code of Practice (NSW Work Cover July 2015).
Note: Copies of the Act, Regulation and Code of Practice can be downloaded free of charge from the SafeWork NSW website: www.SafeWork.nsw.gov.au.
54. Demolition Notification Requirements - The following notification requirements apply to this consent:
(a) The developer /builder must notify adjoining residents five (5) working days prior to demolition. Such notification is to be a clearly written note giving the date demolition will commence, contact details of the developer/builder, licensed asbestos demolisher and the appropriate regulatory authority. Notification is to be placed in the letterbox of every premises (including every residential flat or unit, if any) either side and immediately at the rear of the demolition site.
(b) Five (5) working days prior to demolition, the developer/builder is to provide written notification to Council advising of the demolition date, details of the SafeWork licensed asbestos demolisher and the list of residents advised of the demolition.
(c) On demolition sites where buildings to be demolished contain asbestos, a standard commercially manufactured sign containing the words “DANGER ASBESTOS REMOVAL IN PROGRESS” measuring not less than 400mm x 300mm is to be erected in a prominent visible position (from street frontage) on the site. The sign is to be erected prior to demolition work commencing and is to remain in place until such time as all asbestos material has been removed from the site to an approved waste facility.
55. Demolition work involving asbestos removal - Work involving bonded asbestos removal work (of an area of more than 10 square metres) or friable asbestos removal work must be undertaken by a person who carries on a business of such removal work in accordance with a licence under clause 458 of the Work Health and Safety Regulation 2011.
56. Dial before your dig - The applicant shall contact “Dial Before You Dig on 1100” to obtain a Service Diagram prior to the issuing of the Construction Certificate. The sequence number obtained from “Dial Before You Dig” shall be forwarded to the Principal Certifying Authority (PCA) and Council for their records.
57. Registered Surveyors Report - During Development Work - A report must be submitted to the PCA at each of the following applicable stages of construction:
a) Set out before commencing excavation.
b) Floor slabs or foundation wall, before formwork or commencing brickwork.
c) Completion of Foundation Walls - Before any construction of flooring, detailing the location of the structure relative to adjacent boundaries and floor levels relative to the datum shown on the approved plans.
d) Completion of Floor Slab Formwork - Before pouring of concrete/walls construction, detailing the location of the structure relative to adjacent boundaries and floor levels relative to the datum shown on the approved plans. In multi-storey buildings a further survey must be provided at each subsequent storey.
e) Completion of any Pool Formwork - Before concreting of pool shell, detailing the location of the pool relative to the adjacent boundaries and its height relative to the datum shown on the approved plans.
f) Completion of any Roof Framing - Before roof covered detailing eaves/gutter setback from boundaries.
g) Completion of all Work - Detailing the location of the structure (including eaves/gutters) relative to adjacent boundaries and its height relative to the datum shown on the approved plans. A final Check Survey must indicate the reduced level of the main ridge.
Work must not proceed beyond each stage until the PCA is satisfied that the height and location of the building is proceeding in accordance with the approved plans.
58. Utility Arrangements - Arrangements are to be made with utility authorities in respect to the services supplied by those authorities to the development. The cost associated with the provision or adjustment of services within the road and footway areas is to be at the applicant’s expense including the required undergrounding of powerlines in the public domain adjacent to the site.
59. Railway Parade Frontage - All existing overhead power lines within or adjacent to the development site shall be relocated underground to the utility providers standards and specifications. If not practicable to relocate the power line underground, arrangements shall be made with the utility provider to place the conduit to carry those power lines underground so that they can be utilised at a later date by the utility provider. In this regard all associated costs shall be borne by the applicant.
60. NBN Connection - Prior to the issue of the Subdivision or Construction Certificate in connection with a development, the developer (whether or not a constitutional corporation) is to provide evidence satisfactory to the Certifying Authority that arrangements have been made for:
(i) the installation of fibre-ready facilities to all individual lots and/or premises in a real estate development project so as to enable fibre to be readily connected to any premises that is being or may be constructed on those lots. Demonstrate that the carrier has confirmed in writing that they are satisfied that the fibre ready facilities are fit for purpose; and
(ii) the provision of fixed-line telecommunications infrastructure in the fibre-ready facilities to all individual lots and/or premises in a real estate development project demonstrated through an agreement with a carrier.
(iii) (Note real estate development project has the meanings given in section 372Q of the Telecommunications Act).
61. Electricity Supply Development - The electricity supply to the Development must be underground.
During Construction
62. Physical connection of Stormwater to site - No work is permitted to proceed above the ground floor slab level of the building until there is physical connection of the approved stormwater drainage system from the land the subject of this consent to Council's public drainage system.
Utility Services
The applicant shall undertake and bear all costs associated with the liaison, approval and relocation of any utility services. All correspondence and approvals between the Applicant and utility authorities shall be provided to the Council in conjunction with engineering documentation for the stormwater drainage works.
Drainage Works
Construction inspections shall be required by Council’s Asset Engineer for the Council stormwater drainage and connection works on public roads at the following hold points: -
· Upon excavation of trenches shown on the approved drainage drawings.
· Upon installation of pipes and other drainage structures.
· Upon backfilling of excavated areas and prior to the construction of the final pavement surface.
An inspection fee is applicable for each visit, and at least 24 hours’ notice will be required for the inspections.
63. Structural Certificate During Construction - The proposed building must be constructed in accordance with details designed and certified by the practising qualified structural engineer. All structural works associated with the foundations, piers, footings and slabs for the proposed building must be inspected and structurally certified for compliance by an independent practising geotechnical and structural engineer. In addition a Compliance or Structural Certificate, to the effect that the building works have been carried in accordance with the structural design, must be submitted to the Principal Certifying Authority at each stage of Construction or prior issue of the Occupation Certificate.
64. Site sign - Soil & Erosion Control Measures - Prior to the commencement of works (including demolition and excavation), a durable site sign, issued by Council in conjunction with this consent, must be erected in a prominent location on site. The site sign warns of the penalties which apply to pollution, storing materials on road or footpath and breaches of the conditions relating to erosion and sediment controls. The sign must remain in a prominent location on site up until the completion of all site and building works.
65. Hours of construction for demolition and building work - Any work activity or activity associated with the development consent that requires the use of any tools (including hand tools) or any power operated plant and machinery that creates noise on or adjacent to the site shall not be performed, or permitted to be performed, except between the hours of 7.00 am to 5.00 pm, Monday to Saturday inclusive. No work or ancillary activity is permitted on Sundays, or Public Holidays.
Note: A penalty infringement notice may be issued for any offence.
66. Cost of work to be borne by the applicant - The applicant shall bear the cost of all works associated with the construction of the development that occurs on Council property. Care must be taken to protect Council's roads, including the made footway, kerbs, etc., and, where plant and vehicles enter the site, the footway shall be protected against damage by deep-sectioned timber members laid crosswise, held together by hoop iron straps and chamfered at their ends. This construction shall be maintained in a state of good repair and condition throughout the course of construction.
67. Obstruction of Road or Footpath - The use of the road or footpath for the storage of any building materials, waste materials, temporary toilets, waste or skip bins, or any other matter is not permitted unless separately approved by Council under Section 138 of the Roads Act 1993 and/or under Section 68 of the Local Government Act 1993. Penalty infringement Notices may be issued for any offences and severe penalties apply.
68. Waste Management Facility - All materials removed from the site as a result of demolition, site clearing, site preparation and, or excavation shall be disposed of at a suitable Waste Management Facility. No vegetation, article, building material, waste or the like shall be ignited or burnt.
Copies of all receipts for the disposal, or processing of all such materials shall be submitted to the PCA and Council, where Council is not the Principal Certifying Authority.
Prior to the issue of the Occupation Certificate
69. Major Development - Internal driveways and parking spaces are to be adequately paved with concrete or bitumen, or interlocking pavers to provide a dust-free surface. All car parking spaces are to be line marked in accordance with AS1742, ‘Australian Standard Manual of Uniform Traffic Control Devices’ and the relevant guidelines published by the RMS.
70. Section 73 Compliance Certificate - A Section 73 Compliance Certificate under the Sydney Water Act 1994 must be submitted to the PCA prior to the issue of the Occupation/Subdivision Certificate.
71. Connection to the network will be required prior to the release of any Occupation Certificate - Where works within the road reserve are to be carried out by the developer, a Road Opening Permit must be obtained from Council's Customer Service Centre before commencement of work.
72. SEPP 65 Design Verification Statement - The PCA must not issue an Occupation Certificate to authorise a person to commence occupation of the residential flat development unless the PCA has received a design verification from a qualified designer, being a statement in which the qualified designer verifies that the residential flat development achieves the design quality of the development as shown in the plans and specifications in respect of which the construction certificate was issued, having regard to the design quality principles set out in Part 2 of State Environmental Planning Policy No 65Design Quality of Residential Flat Development.
73. Restriction to User and Positive Covenant for On-Site Detention Facility - A Restriction on Use of the Land and Positive Covenant shall be created and registered on the title of the property, which places the responsibility for the maintenance of the on-site stormwater management system on the owners of the land. The terms of the instrument are to be in accordance with Council’s standard terms and restrictions which are as follows;
Restrictions on Use of Land
The registered proprietor shall not make or permit or suffer the making of any alterations to any on-site stormwater management system which is, or shall be, constructed on the lot(s) burdened without the prior consent in writing of Georges River Council. The expression “on-site stormwater management system” shall include all ancillary gutters, pipes, drains, walls, kerbs, pits, grates, tanks, chambers, basins and surfaces designed to manage stormwater quantity or quality including the temporary detention or permanent retention of stormwater storages. Any on-site stormwater management system constructed on the lot(s) burdened is hereafter referred to as “the system”.
Name of Authority having the power to release, vary or modify the Restriction referred to is Georges River Council.
Positive Covenants
1. The registered proprietor of the lot(s) hereby burdened will in respect of the system:
a) keep the system clean and free from silt, rubbish and debris
b) maintain and repair at the sole expense of the registered proprietors the whole of the system so that if functions in a safe and efficient manner
c) permit the Council or its authorised agents from time to time and upon giving reasonable notice (but at any time and without notice in the case of an emergency) to enter and inspect the land for the compliance with the requirements of this covenant
d) comply with the terms of any written notice issued by the Council in respect of the requirements of this covenant within the time stated in the notice.
2. Pursuant to Section 88F(3) of the Conveyancing Act 1919 the Council shall have the following additional powers:
a) in the event that the registered proprietor fails to comply with the terms of any written notice issued by the Council as set out above the Council or its authorised agents may enter the land with all necessary materials and equipment and carry out any work which the Council in its discretion considers reasonable to comply with the said notice referred to in part 1(d) above
b) the Council may recover from the registered proprietor in a Court of competent jurisdiction:
i. any expense reasonably incurred by it in exercising its powers under subparagraph (i) hereof. Such expense shall include reasonable wages for the Council’s employees engaged in effecting the work referred to in (i) above, supervising and administering the said work together with costs, reasonably estimated by the Council, for the use of materials, machinery, tools and equipment in conjunction with the said work.
ii. legal costs on an indemnity basis for issue of the said notices and recovery of the said costs and expenses together with the costs and expenses of registration of a covenant charge pursuant to section 88F of the Act or providing any certificate required pursuant to section 88G of the Act or obtaining any injunction pursuant to section 88H of the Act. Name of Authority having the power to release vary or modify the Positive Covenant referred to is Georges River Council.
74. Maintenance Schedule - On-site Stormwater Management - A Maintenance Schedule for the proposed on-site stormwater management measures is to be prepared and submitted to Council. The Maintenance Schedule shall outline the required maintenance works, how and when these will be done and who will be carrying out these maintenance works.
75. Works as Executed and Certification of Stormwater works - Prior to the issue of an Occupation Certificate, the PCA must ensure that the stormwater drainage system has been constructed in accordance with the approved design and relevant Australian Standards. A works-as-executed drainage plan and certification must be forwarded to the PCA and Council, from a professional engineer specialising in hydraulic engineering.
This Plan and Certification shall confirm that the design and construction of the stormwater drainage system satisfies the conditions of development consent and the Construction Certificate stormwater design details approved by the PCA.
The works-as-executed drainage plan must be prepared by a professional engineer specialising in hydraulic engineering in conjunction with a Registered Surveyor and must include the following details:
(a) The location of any detention basin/s with finished surface levels;
(b) Volume of storage available in any detention areas;
(c) The location, diameter, gradient and material (i.e. PVC, RC etc.) of all stormwater pipes;
(d) The orifice size/s.
76. Requirements prior to the issue of the Occupation Certificate - The following shall be completed and or submitted to the PCA prior to the issue of the Occupation Certificate:
a) All the stormwater/drainage works shall be completed in accordance with the approved Construction Certificate plans prior to the issue of the Occupation Certificate.
b) Work as Executed Plans prepared by a Chartered Professional Engineer or a Registered Surveyor when all the site engineering works are complete shall be submitted to the PCA prior to the issue of the Occupation Certificate.
77. Vehicular crossing & Frontage work - Major development - The following road frontage works shall be constructed in accordance with Council's Specification for Vehicular Crossings and Associated Works together with the Vehicular Crossing Approval issued by Council’s Engineering Services Division:
(a) Construct footpath for the full length of the frontage of the site in accordance with Council’s Specifications for footpaths.
(b) Construct the vehicular crossing in accordance with Council’s Specifications for vehicular crossings.
(c) Construct a new 150mm high concrete kerb with 450mm wide gutter for the full frontage(s) of the site in accordance with Council’s Specifications for kerb and guttering.
(d) Any existing vehicular crossing and/or laybacks which are redundant must be removed. The kerb and gutter, any other footpath and turf areas shall be restored at the expense of the applicant and in accordance with Council’s Specification for Vehicular Crossings and Associated Works.
The above works shall be carried out at the expense of the applicant and in accordance with Council’s Specification for Vehicular Crossings and Associated Works.
The driveway and road frontage works are to be completed before the issue of the Occupation Certificate.
78. Completion of Major Works - Prior to the issue of a Final Occupation Certificate, the following works must be completed at the applicant’s expense to the satisfaction of Council’s Engineering Services section Reference generally in accordance with public domain plan:
(a) Driveways and vehicular crossings within the road related area;
(b) Removal of redundant driveways and vehicular crossings;
(c) New footpaths within the road related area;
(d) Relocation of any existing above ground utility services
(e) Relocation/provision of street signs
(f) New or replacement street trees;
(g) New footway verges, where a grass verge exists, the balance of the area between the footpath and the kerb or site boundary over the full frontage of the proposed development must be turfed. The grass verge must be constructed to contain a uniform minimum 75mm of friable growing medium and have a total cover of turf predominant within the street.
(h) New or reinstated kerb and guttering within the road related area; and
(i) New or reinstated road surface pavement within the road.
Council’s Engineering Services Section must advise in writing that the works have been completed to their satisfaction prior to the issue of the Occupation Certificate. Note: The damage deposit paid to Council will not be released until the works have been completed to Council’s satisfaction.
79. Traffic Control Devices - The internal road network, pedestrian facilities and parking facilities (including visitor parking and employee parking) shall be designated and line marked in accordance with Australian Standard - AS1742, Manual of Uniform Traffic Control Devices.
If an exit from car park utilises a pedestrian footpath, then a warning system such as flashing light and/or ‘alarm sound’ must be installed on the subject property to alert pedestrians of vehicles exiting the car park. The Alarm System must be designed and installed in accordance with AS2890.1 -2004.
80. Dilapidation Report on Public Land - Upon completion of works, a follow up dilapidation report must be prepared for the items of Council infrastructure adjoining the development site:
The dilapidation report must be prepared by a professional engineer specialising in structural engineering, and include:
(a) Photographs showing the condition of the road pavement fronting the site
(b) Photographs showing the condition of the kerb and gutter fronting the site
(c) Photographs showing the condition of the footway including footpath pavement fronting the site
81. Stormwater drainage works - Works As Executed - Prior to the issue of the Occupation Certificate, storm water drainage works are to be certified by a professional engineer specialising in hydraulic engineering, with Works-As-Executed drawings supplied to Council detailing:
(a) Compliance with conditions of development consent relating to stormwater;
(b) The structural adequacy of the On-Site Detention system (OSD);
(c) That the works have been constructed in accordance with the approved design and will provide the detention storage volume and attenuation in accordance with the submitted calculations; and
(d) Pipe inverts levels and surface levels to Australian Height Datum.
82. Fire Safety Certificate before Occupation - In accordance with Clause 153 of the Environmental Planning and Assessment Regulation 2000, on completion of building works and prior to the issue of an Occupation Certificate, the owner must cause the issue of a Final Fire Safety Certificate in accordance with Clause 170 of the aforesaid Regulation. The Fire Safety Certificate must be in the form or to the effect of Clause 174 of the Environmental Planning and Assessment Regulation, 2000. In addition, in relation to each essential fire or other safety measure implemented in the building or on the land on which the building is situated, such a Certificate is to state:
(a) That the measure has been assessed by a person (chosen by the owner of the building) who is properly qualified to do so.
(b) That as at the date of the assessment the measure was found to be capable of functioning at a standard not less than that required at the time of the issuance of the Development Occupation Certificate.
A copy of the certificate is to be given by the applicant to the Commissioner of Fire & Rescue NSW and a further copy is to be displayed in a frame and fixed to a wall inside the building's main entrance.
83. Slip Resistance - At completion of work an in-situ (on-site) test, in wet and dry conditions, must be carried out on the pedestrian floor surfaces used in the foyers, public corridors/hallways, stairs and ramps as well as the floor surfaces in wet rooms in any commercial/retail/residential units to ascertain the actual slip resistance of such surfaces taking into consideration the effects of grout, the gradients of the surface and changes from one material to another. The in-situ test must be carried out in accordance with AS/NZS 4663:2002. Proof of compliance must be submitted with the application for the Occupation Certificate for approval.
84. Structural Certificates - The proposed structure must be constructed in accordance with details designed and certified by the practising qualified structural engineer. In addition, Compliance or Structural Certificates, to the effect that the building works have been carried in accordance with the structural design, must be submitted to the Principal Certifying Authority prior issue of the Occupation Certificate.
85. Acoustic Certification - Prior to the issue of any Occupation Certificate, a suitably qualified acoustic consultant shall certify that the operation of the premises and plant equipment shall not give rise to a sound pressure level at any affected premises that exceeds the acoustic criteria established by the Acoustic Report required by a condition of this consent. The development shall at all times comply with these noise levels post occupation.
86. BASIX Certificate - All energy efficiency measures as detailed in the approved BASIX Certificate in the plans approved with the Development Consent, must be implemented before issue of any Occupation Certificate.
87. Acoustic Compliance - Prior to the issue of any Occupation Certificate, a report prepared by a suitably qualified acoustic consultant must be submitted to the PCA certifying that the construction has incorporated the recommendations in the DA Acoustic Report titled “Acoustic Report - Traffic & Environmental Noise Assessment - For proposed development at No. 172-174 Railway Parade Kogarah. Prepared By: ACOUSTIC NOISE & VIBRATION SOLUTIONS P/L Reference No.: 2017-726”.
88. Noise from roof top mechanical plant and equipment - CBD Only - Noise from the operation of rooftop mechanical, equipment, ancillary fittings, machinery, mechanical ventilation system and / or refrigeration systems must not exceed background noise when measured at the nearest lot boundary of the site. Where noise sensitive receivers are located within the site, noise from the operation of mechanical plant and equipment must not exceed background noise when measured at the nearest strata, stratum or community title boundary.
A professional acoustic engineer shall be engaged to certify that the design and construction of the all sound producing plants and equipment associated with the building complies with the above requirements. Certification shall be submitted to the PCA prior to the issue of any Occupation Certificate.
89. Electricity Supply - Evidence shall be provided demonstrating that the development has been connected to the Ausgrid, if required, and provided underground.
90. BASIX Compliance Certificate - A Compliance Certificate must be provided to the PCA regarding the implementation of all energy efficiency measures as detailed in the approved BASIX Certificate before any Occupation Certificate is issued.
91. Completion of Landscape Works - All landscape works must be completed before the issue of the Final Occupation Certificate in accordance with approved landscape plans and specifications, drawn by Isthmus Landscape Design, reference numbers - ISO243 - DA1 - DA5. The landscaping shall be maintained in accordance with the approved plans in perpetuity.
General Landscape Requirements
a) The proposed tree and plant species, pot/ bag size and quantities of plants shall be in accordance with the proposed plant schedule upon the landscape plan. If plant species, pot/ bag size and quantities cannot be sourced, Council shall be contacted for alternatives.
b) The eight (8) trees proposed upon the approved landscape plan shall comply with NATSPEC Specifying Trees: a guide to assessment of tree quality (2003), and be planted and maintained in accordance with Councils standard specification.
Street Tree Removal / Replacement by Council -
(a) Five (5) street trees of species to be determined in consultation with council shall be provided in the road reserve, in accordance with the Public Domain Strategy and Technical Manual for Kogarah Town Centre.
(b) Council shall be appointed to remove and plant all tree/s on public land. All costs associated with the removal of the tree/s and the planting of replacement trees shall be met by the applicant. Fees and charges outlined in the table below are subject to change and are set out in the current version of Council's ‘Schedule of Fees and Charges’, applicable at the time of payment.
|
Fee Type - Tree removal on public land |
Amount |
|
Administration Fee for Tree Removal |
$154.50 |
|
Replacement Tree Fee (per Tree) x 5 |
$185.40 |
|
Cost of tree removal |
To be determined |
|
Cost of Stump Grinding |
To be determined |
A copy of the Hurstville City Council’s Tree Removal and Pruning Guidelines and Kogarah City Council, Street Tree Management Strategy and Masterplan, can be downloaded from Council’s website www.georgesriver.nsw.gov.au.
92. Notice to Council - Allocation of street addresses - Prior to the issue of any Occupation Certificate, ‘as-built’ drawings detailing the installed and allocated street/unit address and numbering must be submitted to the satisfaction of Council.
Operational Conditions (Ongoing)
93. Noise Control - The use of the premises must not give rise to the transmission of offensive noise to any place of different occupancy. Offensive noise is defined in the Protection of the Environment Operations Act 1997 (as amended).
94. Lighting - General Nuisance - Any lighting on the site shall be designed so as not to cause a nuisance to other residences in the area or to motorists on nearby roads and to ensure no adverse impact on the amenity of the surrounding area by light overspill or glare.
Flashing, moving or intermittent lights or signs are prohibited.
95. Activities and storage of goods outside buildings - There shall be no activities including storing or depositing of any goods or maintenance to any machinery external to the building with the exception of waste receptacles.
96. Loading & Unloading of vehicles - All loading and unloading of vehicles in relation to the use of the premises shall take place wholly within a dedicated loading dock/area.
97. Entering & Exiting of vehicles - All vehicles shall enter and exit the premises in a forward direction.
98. Annual Fire Safety Statement - The owner of the building premises must ensure the Council is given an annual fire safety statement in relation to each essential fire safety measure implemented in the building. The annual fire safety statement must be given:
(a) Within 12 months after the date on which the fire safety certificate was received.
(b) Subsequent annual fire safety statements are to be given within 12 months after the last such statement was given.
(c) An annual fire safety statement is to be given in or to the effect of Clause 181 of the Environmental Planning and Assessment Regulation 2000.
(d) A copy of the statement is to be given to the Commissioner of Fire & Rescue NSW, and a further copy is to be prominently displayed in the building.
99. Outdoor Lighting - To avoid annoyance to the occupants of adjoining premises or glare to motorist on nearby roads, outdoor lighting must comply with AS 4282-1997: Control of the obtrusive effects of outdoor lighting.
100. Amenity of the neighbourhood - The implementation of this development shall not adversely affect the amenity of the neighbourhood or interfere unreasonably with the comfort or repose of a person who is outside the premises by reason of the emission or discharge of noise, fumes, vapour, odour, steam, soot, dust, waste water, waste products, grit, oil or other harmful products.
Operational Requirements Under the Environmental Planning & Assessment Act 1979
101. Requirement for a Construction Certificate - The erection of a building must not commence until a Construction Certificate has been issued.
102. Appointment of a PCA - The erection of a building must not commence until the applicant has:
(a) appointed a PCA for the building work; and
(b) if relevant, advised the PCA that the work will be undertaken as an Owner -Builder.
If the work is not going to be undertaken by an Owner - Builder, the applicant must:
(a) appoint a Principal Contractor to undertake the building work. If residential building work (within the meaning of the Home Building Act 1989) is to be undertaken, the Principal Contractor must be a holder of a contractor licence; and
(b) notify the PCA of the details of any such appointment; and
(c) notify the Principal Contractor of any critical stage inspections or other inspections that are required to be carried out in respect of the building work.
An Information Pack is attached for your convenience should you wish to appoint Georges River Council as the PCA for your development.
103. Notification Requirements of PCA - No later than two days before the building work commences, the PCA must notify:
(a) the consent authority and the Council (if not the consent authority) of his or her appointment; and
(b) the applicant of the critical stage inspections and other inspections that are to be carried out with respect to the building work.
104. Notice of Commencement - The applicant must give at least two days notice to the Council and the PCA of their intention to commence the erection of a building.
A Notice of Commencement Form is attached for your convenience.
105. Critical Stage Inspections - The last critical stage inspection must be undertaken by the PCA. The critical stage inspections required to be carried out vary according to Building Class under the Building Code of Australia and are listed in Clause 162A of the Environmental Planning and Assessment Regulation 2000.
106. Notice to be given prior to critical stage inspections - The principal contractor for a building site, or the owner-builder, must notify the PCA at least 48 hours before each required inspection needs to be carried out.
Where Georges River Council has been appointed as the PCA, 48 hours notice in writing, or alternatively 24 hours notice by facsimile or telephone, must be given when specified work requiring inspection has been completed.
107. Occupation Certificate - A person must not commence occupation or use of the whole or any part of a new building unless an Occupation Certificate has been issued in relation to the building or part.
Only the PCA appointed for the building work can issue the Occupation Certificate.
An Occupation Certificate Application Form is attached for your convenience.
Prescribed Conditions
108. Clause 97A - BASIX Commitments - This Clause requires the fulfilment of all BASIX Commitments as detailed in the BASIX Certificate to which the development relates.
109. Clause 98 - Building Code of Australia & Home Building Act 1989 - Requires all building work to be carried out in accordance with the Building Code of Australia. In the case of residential building work to which the Home Building Act 1989 relates, there is a requirement for a contract of insurance to be in force before any work commences.
110. Clause 98A - Erection of Signs - Requires the erection of signs on site and outlines the details which are to be included on the sign. The sign must be displayed in a prominent position on site and include the name and contact details of the PCA and the Principal Contractor.
111. Clause 98B - Home Building Act 1989 - If the development involves residential building work under the Home Building Act 1989, no work is permitted to commence unless certain details are provided in writing to Council. The name and licence/permit number of the Principal Contractor or Owner Builder and the name of the Insurer by which work is insured under Part 6 of the Home Building Act 1989.
112. Clause 98E - Protection & support of adjoining premises - If the development involves excavation that extends below the level of the base of the footings of a building on adjoining land, this prescribed condition requires the person who benefits from the development consent to protect and support the adjoining premises and where necessary underpin the adjoining premises to prevent any damage.
113. Clause 98E - Site Excavation - Excavation of the site is to extend only to that area required for building works depicted upon the approved plans. All excess excavated material shall be removed from the site.
All excavations and backfilling associated with the erection or demolition of a building must be executed safely and in accordance with appropriate professional standards.
All excavations associated with the erection or demolition of a building must be properly guarded and protected to prevent them from being dangerous to life or property.
If the soil conditions require it, retaining walls associated with the erection or demolition of a building or other approved methods of preventing movement of the soil shall be provided and adequate provision shall be made for drainage.
Advice
114. Review of Determination - Section 8.2 of the Environmental Planning and Assessment Act confers on an applicant who is dissatisfied with the determination of the application the right to lodge an application with Council for a review of such determination. Any such review must however be completed within 6 months from its determination. Should a review be contemplated sufficient time should be allowed for Council to undertake public notification and other processes involved in the review of the determination.
Note: Review provisions do not apply to Complying Development, Designated Development, State Significant Development, Integrated Development or any application determined by the Sydney South Planning Panel or the Land & Environment Court.
115. Appeal Rights - Part 8 (Reviews and appeals) of the Environmental Planning and Assessment Act 1979 confers on an applicant who is dissatisfied with the determination of the application a right of appeal to the Land and Environment Court of New South Wales.
116. Lapsing of Consent - This consent will lapse unless the development is physically commenced within 5 years from the Date of Operation of this consent, in accordance with Section 4.53 of the Environmental Planning and Assessment Act 1979 as amended.
117. Access to NSW Legislations (Acts, Regulations and Planning Instruments) - NSW legislation can be accessed free of charge at www.legislation.nsw.gov.au
118. Council as PCA - Compliance with the BCA - Should the Council be appointed as the PCA, the Construction Certificate Application must be accompanied by the following details, with plans prepared and certified by an appropriately qualified person demonstrating compliance with the BCA:
a) Mechanical air handling, ventilation and car park exhaust system.
b) Essential fire services and equipment including hydrant systems, hose reels, sprinklers, mechanical air handling system, portable fire extinguishers, emergency lights, exit signs, smoke hazard management and warning systems, etc.
c) Smoke hazard management system and associated alarm system, stair pressurisation and fire modelling etc.
d) Emergency lights, exit signs and warning systems.
e) Energy efficiency report demonstrating compliance with the BCA.
f) Protection of wall openings that stand less than 3 metres from the boundary or fire source feature.
g) Fire Separation and Construction between Occupancies
h) Sound Transmission & Insulation between Occupancies
i) A new Fire Engineered Building Report prepared by an accredited fire engineer, confirming that the existing alternative solution implemented in the building will not be rendered ineffective by the proposed building alterations and fit-out works.
j) Floor plan of the whole of the existing building with sufficient details to enable assessment for compliance with the BCA.
119. Energy Efficiency Provisions - Should Council be appointed as the Principal Certifying Authority, a report prepared and endorsed by an Energy Efficiency Engineer or other suitably qualified person must be submitted, detailing the measures that must be implemented in the building to comply with Section J of the BCA. The proposed measures and feature of the building that facilitate the efficient use of energy must be identified and detailed on the architectural plans. At completion of the building and before the issue of an Occupation Certificate, a certificate certifying that the building has been erected to comply with the energy efficiency provisions must be submitted to the Principal Certifying Authority.
120. Compliance with Access, Mobility and AS4299 - Adaptable Housing - Should the Council be appointment as the PCA, the Construction Certificate Application must be accompanied by detailed working plans and a report or a Certificate of Compliance from an Accredited Access Consultant certifying that the building design and access to the adaptable units complies with Council’s DCP and AS 4299 Adaptable Housing.
121. Noise - Noise related conditions - Council will generally enforce noise related conditions in accordance with the Noise Guide for Local Government (http://www.environment.nsw.gov.au/noise/nglg.htm) and the Industrial Noise Guidelines
(http://www.environment.nsw.gov.au/noise/industrial.htm) publish by the Department of Environment and Conservation. Other state government authorities also regulate the Protection of the Environment Operations Act 1997.
Useful links relating to Noise:
(a) Community Justice Centres - free mediation service provided by the NSW Government (www.cjc.nsw.gov.au).
(b) Department of Environment and Conservation NSW, Noise Policy Section web page (www.environment.nsw.gov.au/noise).
(c) New South Wales Government Legislation home page for access to all NSW legislation, including the Protection of the Environment Operations Act 1997 and the Protection of the Environment Noise Control Regulation 2000 (www.legislation.nsw.gov.au).
(d) Australian Acoustical Society - professional society of noise-related professionals (www.acoustics.asn.au/index.php).
(e) Association of Australian Acoustical Consultants - professional society of noise related professionals (www.aaac.org.au).
(f) Department of Gaming and Racing - (www.dgr.nsw.gov.au).
122. Sydney Water Section 73 Certificates - The Section 73 Certificate must be a separate certificate that relates specifically to this development consent. For example, if the development consent relates to the subdivision of the land, a Section 73 Certificate for the construction of the building that is subject to a different development consent will not suffice.
123. Electricity Supply - This development may need a connection to the Ausgrid network which may require the network to be extended or its capacity augmented. You are advised to contact Ausgrid on 13 13 65 or www.ausgrid.com.au (Business and Commercial Services) for further details and information on lodging your application to connect to the network.
124. Access for persons with disabilities - Should the Council be appointed as the PCA, an Access report prepared by an Accredited Access Consultant may be required to be submitted with the Construction Certificate Application, detailing the existing level of compliance in the building with the above requirements, and to provide details of proposed upgrading work necessary to bring the building into conformity with the Premises Standards and the BCA. All recommendations of the accredited access consultant must be incorporated in the plans to be submitted with the Construction Certificate application.
125. Council as PCA - Total Conformity with BCA - Should the Council be appointed as the Principal Certifying Authority, the Construction Certificate Application must be accompanied by the following details, with plans prepared and certified by an appropriately qualified person demonstrating compliance with the BCA:
· Mechanical ventilation, provided to bathroom, laundry and basement areas not afforded natural ventilation.
· Fire-fighting services and equipment including control centre facility, hydrant systems, sprinkler systems, hose reels, mechanical air handling and stair pressurization systems, portable fire extinguishers, smoke hazard management systems and sound & warning systems.
· Emergency lighting and exit signs throughout the premises including terrace, common room/areas and basement areas.
· Fire resistance and fire hazard levels of building elements including walls, floors, roof tops, columns, and separation of electrical supply systems etc.
· Construction of all fire doors (doors to swing in the direction of egress) including operational and warning signage.
· Fire compartmentation and fire wall separation details including all stairway, lift and service shafts.
· Exit travel distances and access grades including the number of required exits, the distance between alternative exits and smoke separation of public corridors, must demonstrate compliance.
· Re-entry facilities from fire isolated exit stairways
· Stretcher facility and emergency lift installation.
· Sound transmission and insulation details.
· Disabled access that complies with the BCA and with AS 1428.1.2009
· Spandrel separation and the protection of openings.
· Window schedule is to include the protection of openable windows.
In this regard, detailed construction plans and specifications that demonstrate compliance with the above requirements of the BCA must be submitted to the Principal Certifying Authority with the Construction Certificate Application.
Should there be any non-compliance, an alternative method of fire protection and structural capacity must be submitted, with all supporting documents prepared by a suitably qualified person.
In the event that full compliance with the BCA cannot be achieved and the services of a fire engineer are obtained to determine an alternative method of compliance with the BCA, such report must be submitted to and endorsed by the Principal Certifying Authority prior to issue of the Construction Certificate.
126. Referral to Fire and Rescue NSW - Prior to the issue of a Construction Certificate the applicant may be required, under Clause 144 of the Environmental Planning & Assessment Regulation, 2000 to seek written comment from FR NSW about the location of water storage tanks the construction of hydrant/booster pump and sprinkler valve rooms, and any Fire Engineered Solution developed to meet the performance requirements under the Category 2 Fire Safety Provisions.
The applicant is also advised to seek written advice from FR NSW on the location and construction of the proposed Fire Control Centre Facility, Pump & Valve rooms and the installation of the sites Fire Indicator Panel.
127. Long Service Levy - The Long Service Corporation administers a scheme which provides a portable long service benefit for eligible workers in the building and construction industry in NSW. All benefits and requirements are determined by the Building and Construction Industry Long Service Payments Act 1986. More information about the scheme and the levy amount you are required to pay to satisfy a condition of your consent can be found at http://www.longservice.nsw.gov.au.
The required Long Service Levy payment can be direct to the Long Service Corporation via their web site https://online.longservice.nsw.gov.au/bci/levy. Payments can only be processed on-line for the full levy owing and where the value of work is between $25,000 and $6,000,000. Payments will be accepted for amounts up to $21,000, using either MasterCard or Visa.
128. Security deposit administration & compliance fee - Under Section 97 (5) of the Local Government Act 1993, a security deposit (or part) if repaid to the person who provided it is to be repaid with any interest accrued on the deposit (or part) as a consequence of its investment.
Council must cover administration and other costs incurred in the investment of these monies. The current charge is $50.00 plus 2% of the bond amount per annum.
The interest rate applied to bonds is set at Council's business banking facility rate as at 1 July each year. Council will accept a bank guarantee in lieu of a deposit.
All interest earned on security deposits will be used to offset the Security Deposit Administration and Compliance fee. Where interest earned on a deposit is not sufficient to meet the fee, it will be accepted in full satisfaction of the fee.
129. Council as PCA - Deemed to Satisfy Provisions of BCA - Should the Council be appointed as the PCA in determining the Construction Certificate, the building must comply with all the applicable deemed to satisfy provision of the BCA. However, if an alternative fire solution is proposed it must comply with the performance requirements of the BCA, in which case, the alternative solution, prepared by an appropriately qualified fire consultant, accredited and having specialist qualifications in fire engineering, must justifying the non-compliances with a detailed report, suitable evidence and expert judgement. Council will also require if deemed necessary, for the alternative solution to undergo an independent peer review by either the CSIRO or other accredited organisation. In these circumstances, the applicant must pay all costs for the independent review.
130. Site Safety Fencing - Site fencing must be erected in accordance with SafeWork Guidelines, to exclude public access to the site throughout the demolition and/or construction work, except in the case of alterations to an occupied dwelling. The fencing must be erected before the commencement of any work and maintained throughout any demolition and construction work.
A demolition licence and/or a high risk work license may be required from SafeWork NSW (see www.SafeWork.nsw.gov.au).
131. Stormwater & Ancillary Works - Applications under Section 138 Roads Act and/or Section 68 Local Government Act 1993 - To apply for approval under Section 138 of the Roads Act 1993 and/or Section 68 Local Government Act 1993:
(a) Complete the Stormwater Drainage Application Form which can be downloaded from Georges River Council’s website at www.georgesriver.nsw.gov.au.
(b) In the Application Form, quote the Development Consent No. (eg. DA2018/0***) and reference this condition number (e.g. Condition 23)
(c) Lodge the application form, together with the associated fees at Council’s Customer Service Centre, during business hours. Refer to Council’s adopted Fees and Charges for the administrative and inspection charges associated with stormwater applications.
The developer must meet all costs of the extension, relocation or reconstruction of any part of Council’s drainage system (including design drawings and easements) required to carry out the approved development.
The preparation of all engineering drawings (site layout plans, cross sections, longitudinal sections, elevation views together with a hydraulic grade analysis) and specifications for the new stormwater drainage system to be arranged by the applicant. The design plans must be lodged and approved by Council prior to the issue of a Construction Certificate.
NOTE: A minimum of four weeks should be allowed for assessment.
|
Attachment ⇩1 |
Site Plan - 172-174 Railway Pde and 1B Gray St Kogarah |
|
Attachment ⇩2 |
Elevations - 172-174 Railway Pde and 1B Gray St Kogarah |
|
Georges River Council - Georges River Local Planning Panel (LPP) - Thursday, 21 November 2019 LPP051-19 172-174 Railway Parade and 1B Gray Street Kogarah [Appendix 1] Site Plan - 172-174 Railway Pde and 1B Gray St Kogarah |
Page 129 |
|
Georges River Council - Georges River Local Planning Panel (LPP) - Thursday, 21 November 2019 LPP051-19 172-174 Railway Parade and 1B Gray Street Kogarah [Appendix 2] Elevations - 172-174 Railway Pde and 1B Gray St Kogarah |
Page 133 |



|
Georges River Council – Local Planning Panel Thursday, 21 November 2019 |
Page 146 |
REPORT TO GEORGES RIVER COUNCIL
LPP MEETING OF Thursday, 21 November 2019
|
LPP Report No |
LPP052-19 |
Development Application No |
DA2018/0285 |
|
Site Address & Ward Locality |
57-59 Trafalgar Street Peakhurst Peakhurst Ward |
||
|
Proposed Development |
Demolition works and construction of a 4 storey residential flat building containing 14 units, 21 car parking spaces and site and landscaping works |
||
|
Owners |
Xia Li, F Mourad Pty Ltd, CPM Property Management Pty Ltd, Younan Management Pty Ltd |
||
|
Applicant |
Cornerstone Design |
||
|
Planner/Architect |
Planner: BMA Urban, Architect: Cornerstone Design |
||
|
Date Of Lodgement |
11/07/2018 |
||
|
Submissions |
Two (2) submissions recieved |
||
|
Cost of Works |
$3,443,151.00 |
||
|
Local Planning Panel Criteria |
SEPP 65 Design Quality of Residential Apartment Development |
||
|
List of all relevant s.4.15 matters (formerly s79C(1)(a)) |
State Environmental Planning Policy No 55 - Remediation of Land, State Environmental Planning Policy BASIX 2004, State Environmental Planning Policy No 65 - Design Quality of Residential Apartment Development, State Environmental Planning Policy (Vegetation in Non-Rural Areas) 2017, Draft SEPP (Environment) 2017), Draft Remediation SEPP, Greater Metropolitan Regional Environmental Plan No 2 - Georges River Catchment, Hurstville Local Environmental Plan, Hurstville Development Control Plan No 1 - LGA Wide |
||
|
List all documents submitted with this report for the Panel’s consideration |
Montage, Architecutural Elevations, Statement of Environmental Effects Clause 4.6 Exception to Development Standard |
||
|
Report prepared by |
Senior Development Assessment Officer |
||
|
|
Summary of matters for consideration under Section 4.15 Have all recommendations in relation to relevant s4.15 matters been summarised in the Executive Summary of the assessment report? |
Yes |
|
Legislative clauses requiring consent authority satisfaction Have relevant clauses in all applicable environmental planning instruments where the consent authority must be satisfied about a particular matter been listed and relevant recommendations summarised, in the Executive Summary of the assessment report? |
Yes |
|
Clause 4.6 Exceptions to development standards If a written request for a contravention to a development standard (clause 4.6 of the LEP) has been received, has it been attached to the assessment report? |
Clause 4.3 Height of Building HLEP 2012 |
|
Special Infrastructure Contributions Does the DA require Special Infrastructure Contributions conditions (under s7.24)? |
Not Applicable |
|
Conditions Have draft conditions been provided to the applicant for comment? |
No, as the application is recommended for refusal. The refusal reasons can be viewed when the report is published. |
|
Site Plan
Figure 1: Aerial Photograph of the site. The allotment is outlined in blue |
Executive Summary
Proposal
1. The development application seeks development consent for demolition works and construction of a three (3) storey residential flat building containing fourteen (14) units, twenty one (21) car parking spaces, site and landscaping works on land known as 57-59 Trafalgar Street, Peakhurst.
2. The proposal comprises of two (2) x one (1) bedroom units, nine (9) x two (2) bedroom units, three (3) x three (3) bedroom units, rooftop communal open space, one (1) level of basement car parking. The proposal contains a centralised entry with direct access to Trafalgar Street, Peakhurst.
3. The proposal results in the isolation of the adjoining eastern property at 55 Trafalgar Street, Peakhurst as development consent has been granted to a further property at 51-53 Trafalgar Street, Peakhurst for a residential flat building (DA2014/0949) on 14 November 2014.
4. The adjoining site does not benefit from the 24m site frontage required for residential flat building developments under the Development Control Plan (DCP). No evidence of offers supported by valuations to the adjoining property owner has been provided with this application, nor has any plan demonstrating that the isolated site can be reasonably redeveloped in its own right have been provided. Further, the proposal in itself does not make any accommodation it its design to assist in the management of this issue in regards to increased spatial separation.
5. The proposal seeks a variation to Clause 4.3 Height of Building pursuant to the Hurstville Local Environmental Plan 2012 (HLEP). This results in a variation of 13.1% which is generated by the lift overrun and rooftop communal open space structures. A Clause 4.6 Exception to Development Standard has been submitted for Council’s consideration.
6. The proposal is unsatisfactory having regarding to Clause 3D Communal and Public Open Space and 3F – Visual Privacy of the Apartment Design Guide referred to within State Environmental Planning Policy No 65 – Design Quality of Residential Apartment Development.
7. The proposal does not comply regarding; accessible units, accessible car parking, site isolation, excavation having regard to the Hurstville Development Control Plan (DCP).
Site and Locality
8. The subject site is legally described as Lots 167 and 168 in DP 36317 and is known as 57-59 Trafalgar Street, Peakhurst. An easement is centrally located on site which benefits 12 and 12A Gover Street to the rear which is an attached dual occupancy.
9. The site area and dimensions of the subject site are as follows:
|
Site Area |
1,182sqm |
|
North (frontage to Trafalgar Street) |
32.310m |
|
West (side) |
35.595m |
|
South (rear) |
32.310m |
|
East (side) |
36.590m |
Zoning and Permissibility
10. 57-59 Trafalgar Street, Peakhurst is subject to the provisions of the Hurstville Local Environmental Plan 2012 (LEP). The site is zoned R3 Medium Density Residential. A residential flat building is a permissible use with development consent. The proposal meets the residential flat building definition within the LEP.
Submissions
11. The application was notified accordance with the provisions contained within the Hurstville Development Control Plan (DCP). In response, two (2) submissions were received which has been addressed in detail further within this report. The amended proposal was not renotified as this did not generate a greater impact than the original proposal.
Conclusion
12. The amended proposal results in the isolation of the adjoining eastern property at 55 Trafalgar Street, Peakhurst which is considered to result in a poor planning outcome especially in the absence of investigations with regards to amalgamation and design responses to the constraint imposed by the isolation. As such, the application is recommended for refusal.
Report in Full
Proposal
13. The development application (DA) seeks development consent for Demolition works and construction of a three (3) storey residential flat building containing fourteen (14) units and twenty one (21) car parking spaces site and landscaping works on land known as 57-59 Trafalgar Street, Peakhurst.

Figure 2 - Photomontage of proposal at subject site (57-59 Trafalgar Street, Peakhurst) viewed from Trafalgar Street, Peakhurst. The original montage adopts a similar street presentation to that of the proposal as assessed (Source: Cornerstone Design, 2019).
14. In detail, the proposal as assessed is described as follows;
Basement 1 Plan
§ Seventeen (17) residential car parking spaces including two (2) accessible spaces;
§ Four (4) visitor spaces, one doubling as a car wash bay;
§ Storage areas;
§ Meter room, egress stairs and 1 lift core;
§ Four (4) bicycle spaces;
§ Cleaners room; and
§ Garbage room
Ground Floor Plan
§ Central entry from Trafalgar Street, which include lift access;
§ One (1) x one (1) bedroom unit (G.01 forms an accessible unit);
§ Three (3) x two (2) bedroom units;
§ One (1) x three (3) bedroom unit;
§ Courtyard areas;
§ Landscaping to the perimeter of the site and over the car park roof;
§ Driveway along the east side boundary;
§ Service areas, egress stairs and 1 lift core;
First Floor Plan
§ One (1) x one (1) bedroom unit (Unit 1.05 forms an accessible unit);
§ Three (3) x two (2) bedroom units;
§ One (1) x three (3) bedroom unit;
§ Service areas, egress stairs and 1 lift cores;
Second Floor Plan
§ Three (3) x two (2) bedroom units;
§ One (1) x three (3) bedroom unit;
§ Service areas, egress stairs and single lift cores;
Roof top Plan
§ Communal open space, communal toilet, outdoor BBQ facilities situated below roofline and single lift core
15. The driveway crossing to Trafalgar Street is to the north eastern corner of the allotment.
16. The proposal does not seek the removal of trees on site or within the Council’s road reserve.
17. Deep soil areas are proposed along the northern front setback and eastern setbacks. OSD is located within the front setback.
18. Relocation of an easement along western side boundary.
19. In summary the proposal comprises of the following:
Residential unit composition
|
Unit |
No. of Units |
|
1 bedroom units |
2 |
|
2 bedroom units |
9 |
|
3 bedroom units |
3 |
|
Total |
14 |
Car parking and vehicular composition
|
Car parking |
No. of spaces |
|
Residential Car Parking |
17 |
|
Visitor Car Parking |
4 |
|
Bicycle Parking |
4 |
HISTORY
20.
|
Date |
Event |
|
14 November 2014 |
Development consent granted by the NSW Land and Environment Court for the construction of a residential flat building comprising of thirteen (13) units at 51-53 Trafalgar Street, Peakhurst located close to the subject site. |
|
11 June 2018 |
Development Application received for demolition works and construction of a four (4) storey residential flat building containing fourteen (14) units on land known as 57-59 Trafalgar Street, Peakhurst. |
|
10 – 24 August 2018 |
Notification period |
|
1 November 2018 |
Design Review Panel |
|
13 August 2019 |
Request for additional information requesting minor design changes to the building to improve occupant amenity. |
|
18 July 2019 |
Additional information provided |
21. The proposal was amended improve the amenity for the future occupants.
SITE AND LOCALITY
22. The subject site is legally
described as Lots 1276 and 127 in DP 36317 and is known as 57-59 Trafalgar
Street, Peakhurst.
23. The combined area and dimensions of the subject site are as follows:
|
Site Area |
1,182sqm |
|
North (frontage to Trafalgar Street) |
32.310m |
|
West (side) |
35.595m |
|
South (rear) |
32.310m |
|
East (side) |
36.590m |

Figure 3 - Survey of subject site being 57-59 Trafalgar Street, Peakhurst (Source: W Buxton Pty Ltd Surveyors, 2017)

Figure 4 - Photograph of subject site taken from Trafalgar Street, Peakhurst (Source: Author. GRC 2019)
24. There appears to be no constraints on the site as indicated by the registered survey submitted. A registered easement traverses through the centre of the site benefiting 12 and 12A Gover Street to the south (rear) which drains to Trafalgar Street to the front of the site.
25. The site accommodates two (2) fibro and weatherboard dwellings on each respective allotment.
26. Small shrubs and plantings are located on the sites.
Surrounding Area
27. The immediate surrounding area is zoned R3 Medium Density Residential, Peakhurst Park is zoned RE1 Public Recreation on the opposite side of Trafalgar Street from the site.
28. Council’s records indicate that approval has been granted for a three storey residential flat building at 51-53 Trafalgar Street, Peakhurst (DA2014/0949). A Notice of Commencement was forwarded to Council on 3 November 2019. Council records indicate that 55 Trafalgar Street, Peakhurst does not have any recent development approvals and will be isolated by this development given the other approval is on place.

Figure 5 - Photograph of adjoining residential property (51-53 Trafalgar Street, Peakhurst) to the east (Source: Author, GRC 2019).

Figure 6 – Photograph of adjoining residential property (61-65 Trafalgar Street, Peakhurst) to the west (Source: Author, GRC 2019).
29. Electricity power lines are located within the front Council reserve and will be required to be undergrounded by a condition of consent.
Zoning and Permissibility
30. The subject site is zoned R3 Medium Density Residential under the provisions of the Hurstville Local Environmental Plan 2012 (HLEP2012). The immediate surrounding area is zoned R3 Medium Density Residential which comprises of residential flat buildings, dual occupancies and dwelling houses. It is noted that the area is undergoing transitional change from detached dwelling to generally newer infill residential flat buildings and boarding houses.

Figure 7 – Zoning map – the site being 57-59 Trafalgar Street, Peakhurst the site is outlined in blue.
Environmental Planning and Assessment Regulations 2000 (EP&A) Regulation 2000
31. The proposed development satisfies the relevant matters for consideration under the Regulations.
32. The consent authority is required to consider the objects in Section 1.3 of the EP&A Act when making decisions under the Act. Council has considered the object of the EP&A Act in the Table below and is satisfied that the proposal complies with all objects.
|
Objects of the EP&A Act |
Proposal |
Complies |
|
(a) to promote the social and economic welfare of the community and a better environment by the proper management, development and conservation of the State’s natural and other resources |
The proposal is not considered to be inconsistent with this objective. |
Yes |
|
(b) to facilitate ecologically sustainable development by integrating relevant economic, environmental, and social considerations in decision-making about environmental planning and assessment |
The proposal is accompanied by a BASIX Certificate which satisfies the requirements under State Environmental Planning Policy (BASIX) 2004 and the Regulations. |
Yes |
|
(c) to promote the orderly and economic use and development of land |
The proposal is not considered to satisfy this clause at the proposal results in the isolation of 55 Trafalgar Street, Peakhurst and insufficient information has been provided to demonstrate that an orderly and appropriate planning outcome cannot be achieved. |
No |
|
(d) to promote the delivery and maintenance of affordable housing |
The proposal seeks development consent for fourteen (14) units which are not for affordable rental housing. |
N/A |
|
(e) to protect the environment, including the conservation of threatened and other species of native animals and plants, ecological communities and their habitats |
The proposal does not seek and removal of trees on site however Council’s Consultant Arborist has recommended conditions to protect trees on adjoining properties. |
Yes |
|
(f) to promote the sustainable management of built and cultural heritage |
The proposal is not listed as a heritage item or within the immediate vicinity to a heritage item or conservation area within a Local or Stage Heritage register. |
Yes |
|
(g) to promote good design and amenity of the built environment |
The proposal is considered to result in a reasonable design. |
Yes |
|
(h) to promote the proper construction and maintenance of buildings, including the protection of the health and safety of their occupants |
The proposal is considered to satisfy the intent of this control to ensure appropriate construction and maintenance of which is supported by Council’s Senior Building Surveyor. |
Yes |
|
(i) to promote the sharing of the responsibility for environmental planning and assessment between the different levels of government in the State |
The proposal was referred to the relevant applicable State Government authorities for consideration as part of this Local Development. |
Yes |
|
(j) to provide increased opportunity for community participation in environmental planning and assessment |
The proposal was notified in accordance with the HDCP. In response, two (2) submissions were received; the concerns have been addressed in further detail later in this report. |
Yes |
Ecologically Sustainable Development (ESD)
33. The Act adopts the definition of ESD found in the Protection of the Environment Administration Act 1991. Section 6(2) of that Act states that ESD requires the effective integration of economic and environmental considerations in decision making processes and that ESD can be achieved through the implementation of:
(a) the precautionary principle;
(b) inter-generational equity;
(c) conservation of biological diversity and ecological integrity; and
(d) improved valuation, pricing and incentive mechanisms.
34. Council has assessed the proposed development in relation to the ESD principles and has made the following conclusions;
(a) Precautionary Principle – the site has been appropriately planned for the development and will not result in any serious or irreversible environmental damage.
(b) Inter-Generational Equity – the proposal will not have any adverse impacts on the environment for future generations.
(c) Biodiversity Principle – the site is within a highly urbanised area and contains no significant flora or fauna.
(d) Valuation Principle – the proposal includes a number of energy, water, and waste reducing measures to reduce the ongoing cost, resource usage, and energy requirements of the development.
The proposal not inconsistent with this criterion.
Environmental Planning Instruments
State Environmental Planning Policies
35. Compliance with the relevant State Environmental Planning Policies is detailed and discussed below.
Greater Metropolitan Regional Environmental Plan No 2 – Georges River Catchment
36. The site is within the area affected by the Greater Metropolitan Regional Environmental Plan No 2 — Georges River Catchment. The proposal, including the disposal of stormwater, is considered to be consistent with Council's requirements for the disposal of stormwater within the catchment.
37. All stormwater from the proposed development will be managed and treated in accordance with Council’s Water Management Policy and will therefore satisfy the relevant provisions of the Deemed State Environmental Planning Policy – Georges River Catchment. The proposal is supported by Council’s Development Engineer subject to conditions.
State Environmental Planning Policy No 55 - Remediation of Land
38. SEPP 55 aims to promote the remediation of contaminated land in order to reduce the risk of harm to human health or any other aspect of the environment.
39. Clause 7 requires contamination and remediation to be considered in determining a development application. The consent authority must not consent to the carrying out of development on land unless it has considered whether or not the land is contaminated.
40. Council historical records indicate that the site has been used for residential purposes for extended periods of time, and such uses and/or development are not typically associated with activities that would result in the contamination of the site. A preliminary assessment (Phase 1) has been submitted and is supported by Council’s Environmental Health Officer subject to conditions.
41. SEPP 55 is considered to be satisfied. An unexpected finds condition is recommended to be imposed should contamination be found during the site works.
State Environmental Planning Policy (Building Sustainability Index: BASIX) 2004
42. A BASIX Certificate prepared has been issued for the proposed development. This is considered to be valid and satisfies all water, thermal and energy requirements. In this regard, the requirements of the SEPP have been reasonably satisfied.
State Environmental Planning Policy (Infrastructure) 2007
43. The site is serviced currently and the services can be extended to service this development. Relevant conditions for service authorities would be imposed if the application was being supported.
State Environmental Planning Policy Vegetation 2017
44. The Vegetation SEPP regulates clearing of native vegetation on urban land and land zoned for environmental conservation/management that does not require development consent.
The Vegetation SEPP applies to clearing of:
(a) Native vegetation above the Biodiversity Offset Scheme (BOS) threshold where a proponent will require an approval from the Native Vegetation Panel established under the Local Land Services Amendment Act 2016; and
(b) Vegetation below the BOS threshold where a proponent will require a permit from Council if that vegetation is identified in the council’s development control plan (DCP).
45. The Vegetation SEPP repeals clause 5.9 and 5.9AA of the Standard Instrument - Principal Local Environmental Plan with regulation of the clearing of vegetation (including native vegetation) below the BOS threshold through any applicable DCP.
46. The proposal is supported by Council’s consulting arborist subject to conditions of consent.
State Environmental Planning Policy No 65 - Design Quality of Residential Apartment Development
47. Clause 28(2) of SEPP 65 requires that the consent authority take into consideration the following as part of the determination of DAs to which SEPP 65 applies:
a) the advice (if any) obtained from the design review panel, and
b) the design quality of the development when evaluated in accordance with the design quality principles, and
c) the Unit Design Guide.
48. The extent to which the proposed development complies with the controls and principles in the State Environmental Planning Policy 65 – Design Quality of Residential Unit Development (SEPP 65) is detailed and discussed in the tables below.
Application of SEPP 65
Compliance with SEPP 65
|
Clause |
Standard |
Proposal |
Complies |
|
Clause 3 - Definitions |
SEPP 65 applies to residential unit development
The permitted uses within the zone R3 Medium Density Residential Zone are detailed as follows;
Attached dwellings; Bed and breakfast accommodation; Boarding houses; Car parks; Centre-based child care facilities; Community facilities; Dual occupancies; Dwelling houses; Environmental protection works; Flood mitigation works; Group homes; Hotel or motel accommodation; Multi dwelling housing; Neighbourhood shops; Oyster aquaculture; Places of public worship; Public administration buildings; Recreation areas; Residential flat buildings; Respite day care centres; Roads; Semi-detached dwellings; Seniors housing; Tank-based aquaculture. |
The proposal seeks development consent for a residential flat building, SEPP 65 applies.
A residential flat building is a permissible use within the zone. |
Yes
Yes |
|
Clause 4 - Application of Policy |
Development involves the erection of a new RFB.
|
The proposal seeks development consent for the construction of a residential flat building which meets the prescribed criteria within the SEPP. |
Yes |
|
Clause 50 (1a) – Development Applications |
Design verification statement provided by qualified designer |
Design Verification Statement provided by a Registered and practicing Architect: Nick Lycenko Registration Number: 3010 accompanies the application. |
Yes |
49. The DA was reviewed by the Design Review Panel (DRP) at a meeting held on 1 November 2018 having regard to each of the nine (9) Design Quality Principles.
50. The minutes of the DRP recommended support of the application, subject to the issues raised being resolved as contained within the table below. It is noted that the DRP indicates that the application satisfied the design quality principles contained within SEPP65.
Compliance with the principles of the Apartment Design Guide (ADG)
|
SEPP 65 – Design Quality of Residential Flat Buildings |
DRP Comment |
Planner Comment |
|
Context and Neighbouring Character Good design responds and contributes to its context. Context is the key natural and built features of an area, their relationship and the character they create when combined. It also includes social, economic, health and environmental conditions. Responding to context involves identifying the desirable elements of an area’s existing or future character. Well designed buildings respond to and enhance the qualities and identity of the area including the adjacent sites, streetscape and neighbourhood. Consideration of local context is important for all sites, including sites in established areas, those undergoing change or identified for change. |
“The evolving context of Trafalgar Street is three (3) storey medium density unit framework with a frontage across Trafalgar Street to the park. These buildings are generally rendered and painted in light grey/white colours with occasional brightly coloured features. The proposal is appropriate in this context”. |
Planner comment: Satisfactory. |
|
Built Form and Scale Good design achieves a scale, bulk and height appropriate to the existing or desired future character of the street and surrounding buildings. Good design also achieves an appropriate built form for a site and the building’s purpose in terms of building alignments, proportions, building type, articulation and the manipulation of building elements. Appropriate built form defines the public domain, contributes to the character of streetscapes and parks, including their views and vistas, and provides internal amenity and outlook. |
“The proposal complies with the building height with minor exception for lift over run/roof garden communal areas. This is acceptable. It is also compliant with setbacks along all four (4) boundaries”. |
Planner comment: Satisfactory. |
|
Density Good design achieves a high level of amenity for residents and each unit, resulting in a density appropriate to the site and its context. Appropriate densities are consistent with the area’s existing or projected population. Appropriate densities can be sustained by existing or proposed infrastructure, public transport, access to jobs, community facilities and the environment. |
“Complies with FSR requirements with the exception of the roof top common room. This minor non compliance for communal space is acceptable”. |
Applicant comment: “The common room on the rooftop has had the doors and windows removed from the southern side in order to open it up to the elements. Therefore, the Gross Floor Area and the Floor Space Ratio (FSR) are fully compliant”.
Planner comment: The communal open room has been reduced in size. This amended proposal complies in relation to FSR. However further to the above, the enclosed area forward of the lift serves no material purpose and the proposed glass and door along the northern and eastern elevation are to be deleted. |
|
Sustainability Good design combines positive environmental, social and economic outcomes. Good sustainable design includes use of natural cross ventilation and sunlight for the amenity and liveability of residents and passive thermal design for ventilation, heating and cooling reducing reliance on technology and operation costs. Other elements include recycling and reuse of materials and waste, use of sustainable materials and deep soil zones for groundwater recharge and vegetation. |
“Comply with BASIX
The on-site detention basin in the front garden is acceptable as it is integrated with decorative front landscaping”. |
Planner comment: Satisfactory |
|
Landscape Good design recognises that together landscape and buildings operate as an integrated and sustainable system, resulting in attractive developments with good amenity. A positive image and contextual fit of well designed developments is achieved by contributing to the landscape character of the streetscape and neighbourhood. Good landscape design enhances the development’s environmental performance by retaining positive natural features which contribute to the local context, co-ordinating water and soil management, solar access, micro-climate, tree canopy, habitat values and preserving green networks. Good landscape design optimises useability, privacy and opportunities for social interaction, equitable access, respect for neighbours’ amenity and provides for practical establishment and long term management. |
“The proposal provides acceptable deep soil zones however some additional larger trees should be considered around the site perimeter and particularly associated with the front setback.
The street trees may need to be a little smaller to accommodate power lines (Water Gums as specified may be appropriate here).
Roof garden as proposed is appropriate and should result in very attractive space for residents.
The front landscaping including detention basin should be designed to screen protruding parking basement”. |
Applicant comment: “The street tree species the Panel suggested were already shown, so a note is added to the landscape plan. One of the smaller frontage trees has been changed to a larger canopy variety as there’s no extra room for additional trees. The side and rear already have trees or are restricted by an easement, so there’s no space for additional planting. Extra screen plants have been added directed adjacent to the basement wall to increase screening – see amended landscape plan”.
Planner comment: The proposed amendments are considered to be satisfactory. It is noted that Council’s consulting arborist supports the proposal. |
|
Amenity Good design positively influences internal and external amenity for residents and neighbours. Achieving good amenity contributes to positive living environments and resident well being. Good amenity combines appropriate room dimensions and shapes, access to sunlight, natural ventilation, outlook, visual and acoustic privacy, storage, indoor and outdoor space, efficient layouts and service areas and ease of access for all age groups and degrees of mobility. |
“Generally of good quality and compliant with ADG standards. The following detailed matters should be addressed:
· The entry foyer should be enlarged to allow for more generous space and some seating · There is a privacy concern at the void interface between the foyers and the private balconies on the northern side of the building at Levels 1 and 2 · Clear glass balconies balustrades should be avoided”.
|
Applicant comment: “The entry foyer has been enlarged and a seat provided as recommended. In order to alleviate the privacy concern between the foyers and the private balconies; glass block screens have been added to the balcony edges or apartments 1.01 and 2.01. These screens have a maximum height of 1.7 thus providing balconies to the foyers whilst allowing natural light and outlook from the foyers. Regarding the glass balcony balustrades – please note that the plans have these balustrades nominated as ‘frameless glass balustrade with semi-translucent glass infill panels’.
Planner comment: The design has been amended to incorporate the recommendations of the panel which results in a satisfactory outcome. |
|
Safety Good design optimises safety and security within the development and the public domain. It provides for quality public and private spaces that are clearly defined and fit for the intended purpose. Opportunities to maximise passive surveillance of public and communal areas promote safety.
A positive relationship between public and private spaces is achieved through clearly defined secure access points and well lit and visible areas that are easily maintained and appropriate to the location and purpose. |
“Acceptable”. |
Applicant comment: “As recommended, the entry canopy has been considerably lowered and reconfigured to be less assertive”.
Planner comment: Satisfactory. |
Design Review Panel Recommendation
51. The final comments from the Design Review Panel stated “The Panel supports the application subject to the issues raised above being resolved to the satisfaction of Council”.
52. The proposal was amended within the assessment process, the final design as assessed is considered to adequately address the issues raised by the Panel, as a result the amended plans, the subject of this assessment, were not re-referred to the Panel.
The design quality of the development when evaluated in accordance with the design quality principles
53. Clause 28 of SEPP65 requires the consent authority to take into consideration the provisions of the Apartment Design Guide (ADG). A compliance table assessment has been provided below to detail how the proposed development, performs against the relevant provisions of the ADG.
54. As demonstrated within the ADG compliance table, the proposal is generally satisfactory when considered against the relevant objectives, design criteria and design guidance for residential flat buildings.
Clause 30 – Consideration of Unit Design Guide
55. The proposal has been considered in accordance with the applicable controls as per below.
Compliance with the ADG standards
|
Clause |
Standard |
Proposal |
Complies |
|
2G – Street setbacks |
Align street setbacks with building use. For example in mixed use buildings a zero street setback is appropriate |
The proposal seeks a front setback of 6m (solid wall, stairs, balcony and courtyard protrude) which is considered to be compatible with the streetscape alignment. |
Yes |
|
3D-Communal and Public Open Space
|
1. Communal open space has a minimum area equal to 25% of the site. (295.5% required)
-Where it cannot be provided on ground level it should be provided on a podium or roof
-Where developments are unable to achieve the design criteria, such as on small lots, sites within business zones, or in a dense urban area, they should: • provide communal spaces elsewhere such as a landscaped roof top terrace or a common room • provide larger balconies or increased private open space for units • demonstrate good proximity to public open space and facilities and/or provide contributions to public open space
2. Developments achieve a minimum of 50% direct sunlight to the principal usable part of the communal open space for a minimum of 2 hours between 9 am and 3 pm on 21 June (mid-winter) |
Communal open space of 278.35sqm (17.15sqm equating to 23.54%) has been provided which is deficient.
This is included in the reasons for refusal.
It also noted that the revised landscape plan is inconsistent with the amended proposal which shows the communal room enclosed which has been subsequently deleted from the revised architectural plans.
This is provided on the roof top and directly accessible from the central lift and is located adjacent to a communal toilet which is covered.
The subject site is zoned R3 Medium Density Residential, communal open space is located on the rooftop to minimise acoustic impacts and maximise solar access.
The proposal provides slightly oversized balconies for each unit; however the size of the balconies is not effective compensation for the undersized communal open space area.
The rooftop communal open space achieves 100% solar access given the aspect of the site and the neighbouring development form.
|
No
Yes
Yes
|
|
3E-Deep Soil zones |
1. Deep soil zones are to meet the following minimum requirements:
- 7% minimum area
- 3m minimum dimension |
The proposed development provides in excess of 7% of deep soil zone within the front, and eastern setbacks
3m min dimension |
Yes
Yes |
|
3F-Visual Privacy |
Separation between windows and balconies is provided to ensure visual privacy is achieved.
Minimum required separation distances from buildings to the side and rear boundaries are as follows:
Habitable rooms and balconies:
Up to four storeys (approximately 12m): • 6m between habitable rooms/balconies (setback to the boundary)
Non habitable setback 3m |
North (front): 6m West (side): 4.37- 6m, 11.37m spatial separation to RFB at 61-65 Trafalgar Street, Peakhurst so total separation is non-compliant) East (side): 6m (min) South (rear) 6m
The proposal complies with this setback to the rear southern boundary which comprises of blank walls for ensuites. |
Yes
No
Yes Yes
Yes |
|
3G-Pedestrian access and entries |
Building entries and pedestrian access connects to and addresses the public domain
Multiple entries (including communal building entries and individual ground floor entries) should be provided to activate the street edge. |
The proposal seeks one (1) central entry point within the middle of the façade fronting Trafalgar Street, Peakhurst.
The proposal provides multiple entries within the main portico to unit G01 and G02 which is considered to be satisfactory given the slope of the site which is too steep to accommodate separate entry stairs. |
Yes
Yes |
|
3H-Vehicle Access |
Vehicle access points are designed and located to achieve safety, minimise conflicts between pedestrians and vehicles and create high quality streetscapes. |
Vehicular access is granted via a two-way driveway for the first 5.5m of the site and is parallel with the eastern side boundary. The driveway entry is suitably designed and located as not to result in any adverse safety and does not detract from the visual amenity of the area. |
Yes |
|
3J- Bicycle and car parking |
For development in the following locations:
- On sites that are within 800m of a railway station or light rail stop in the Sydney Metropolitan Area;
- The minimum car parking requirement for residents and visitors is set out in the Guide to Traffic Generating Developments, or the car parking requirement prescribed by the relevant council, whichever is less |
The site is located more than 800m away from the closest Railway Station being Riverwood Railway Station to the north. The proposal provides compliant car parking for future occupants however it is deficient by one (1) accessible space.
This forms part of the reasons for refusal. |
No
|
|
4A- Solar Access |
Living rooms and private open spaces of at least 70% of units in a building receive a minimum of 2 hours direct sunlight between 9 am and 3 pm at mid-winter in the Sydney Metropolitan Area
A maximum of 15% of units in a building receive no direct sunlight between 9 am and 3 pm at mid-winter
Daylight access is maximised where sunlight is limited. |
11 of 14 units received in excess of 2 hours of sunlight equating to 78.57%.
All units receive some form of sunlight.
Window placement appropriately located to maximise natural light with 12 of the 14 units forming corner units. |
Yes
Yes
Yes
|
|
4B-Natural Ventilation |
At least 60% of units are naturally cross ventilated in the first nine storeys of the building.
Overall depth of a cross-over or cross-through unit does not exceed 18m, measured glass line to glass line. |
12 of 14 are naturally cross ventilated equating to 85.14%.
Less than 18m.
|
Yes
Yes
|
|
4C-Ceiling Heights |
Measured from finished floor level to finished ceiling level, minimum ceiling heights are:
Habitable rooms = 2.7m Non-habitable rooms = 2.4m.
Residential floor to floor height of 3.1m |
2.7m.
3.1m floor to floor provided. |
Yes
Yes |
|
4D-Unit size and layout |
Units are required to have the following minimum internal areas:
1 bedroom = 50sqm 2 bedroom = 70sqm 3 bedroom = 90sqm
The minimum internal areas include only one bathroom. Additional bathrooms increase the minimum internal area by 5sqm each
Every habitable room must have a window in an external wall with a total minimum glass area of not less than 10% of the floor area of the room. Daylight and air may not be borrowed from other rooms |
Range: 50sqm. Range: 75.08—80.05sqm. Range: 95sqm.
All units with additional bathroom provide an additional 5sqm.
Each habitable room contains a window which is not less than 10% of the floor area of the room. Daylight is not borrowed from other rooms.
|
Yes Yes Yes
Yes
Yes
|
|
4D- Unit rooms, location and sizes |
Habitable room depths are limited to a maximum of 2.5 x the ceiling height
In open plan layouts (where the living, dining and kitchen are combined) the maximum habitable room depth is 8m from a window |
Habitable room depths are provided in accordance with this clause.
Open plan layouts contain a maximum depth of 8m from a window complying with this clause. |
Yes
Yes |
|
4D- Unit rooms, location and sizes |
Master bedrooms have a minimum area of 10sqm and other bedrooms 9sqm (excluding wardrobe space)
Bedrooms have a minimum dimension of 3m (excluding wardrobe space)
Living rooms or combined living/dining rooms have a minimum width of:
- 3.6m for studio and 1 bedroom
- 4m for 2 and 3 bedroom units |
The master bedrooms are greater than 10sqm excluding wardrobes.
Other bedrooms are greater than 9sqm excluding wardrobes.
Each bedroom has a minimum dimension of 3m excluding the wardrobe.
Living rooms wider than 3.6m for 1 bedroom units.
Living rooms wider than 4m for 2 + bedroom units. |
Yes
Yes
Yes
Yes |
|
4E-Private Open space and balconies |
All units are required to have primary balconies as follows: 1 bedroom = 8sqm/2m depth
2 bedroom = 10sqm/2m depth
3 bedroom = 12sqm/2m depth
The minimum balcony depth to be counted as contributing to the balcony area is 1m
For units at ground level or on a podium or similar structure, a private open space is provided instead of a balcony. It must have a minimum area of 15sqm and a minimum depth of 3m |
Range: 12.29 - 59.29sqm with minimum depth of 2m
Range: 10.75-158.14sqm with minimum depth of 2m.
12.13sqm – 160.86sqm with minimum depth of 2.4m.
Where the private open space is
provided in the form a balcony achieve the minimum area required. Units range from 59.02 – 160.86sqm. |
Yes
Yes
Yes
Yes
|
|
4F- Circulation spaces |
The maximum number of units off a circulation core on a single level is 8, however where this is unable to be achieved due to design criterion for increased internal amenity, no more than 12 units is permitted off a circulation core on a single level. |
One lift provided to service each level; Basement – 21 vehicles Level G: 5 units Level 1: 5 units Level 2: 4 units
|
Yes |
|
4G- Storage |
1. In addition to storage in kitchens, bathrooms and bedrooms, the following storage is provided:
1 bedroom = 6m³
2 bedroom = 8m³
3 bedroom = 10m³ |
More than 6m³ provided for 1 bedroom units.
More than 8m³ provided for 2 bedroom units.
More than 10m³ for 3 bedroom units. |
Yes |
|
4K- Unit mix |
A variety of unit types is provided |
The proposal seeks 14 units composition comprising of:
The proposal comprises of the following: 2 x 1 bedroom = 14.28% 9 x 2 bedroom = 64.29% 3 x 3 bedroom = 21.4% |
Yes |
|
4M-Facades |
Facades should be well resolved with an appropriate scale and proportion to the streetscape and human scale. |
The façade is:
· Appropriate, given the prominent location of the site. · Balanced with an appropriate scale along the vertical and horizontal planes. · Is considered to positively contribute to the streetscape along Trafalgar Street and is consistent with recently constructed and approved development in this precinct. |
Yes |
|
4N-Roof design |
Roof treatments are integrated into the building design and positively respond to the street. Opportunities to use roof space for residential accommodation and open space are maximised. Incorporates sustainability features. |
Roof treatments are integrated into the building. |
Yes |
|
4O-Landscape design |
Landscape design is viable and sustainable, contributes to the streetscape and amenity |
The proposal seeks good levels of landscape embellishment on site to positively contribute to the streetscape and amenity for future occupants. |
Yes |
|
4P- Planting on structures |
Planting on structures – appropriate soil profiles are provided, plant growth is optimised with appropriate selection and maintenance, contributes to the quality and amenity of communal and public open spaces |
The proposal seeks to provide planting on the roof top and on ground level which are considered to positively contribute to the amenity of the site for the future occupants and the presentation of the development within the streetscape. |
Yes |
|
4Q-Universal design |
Universal design – design of units allow for flexible housing, adaptable designs, accommodate a range of lifestyle needs |
The proposal provides for a wide variety of floor layouts and configurations. |
Yes |
|
4T- Awnings |
Awnings and signage – awnings are well located and compliment and integrate with the building design, signage responds to the context and desired streetscape character. |
The proposal incorporates awning and canopy elements which are incorporated within the building design and complement the streetscape. |
Yes |
|
4U- Energy Efficiency |
Development incorporates passive environmental design, passive solar design to optimise heat storage in winter and reduce heat transfer in summer, natural ventilation minimises need for mechanical ventilation. |
The proposal adequately satisfies the BASIX requirements. |
Yes |
|
4V Water management and conservation |
Potable water use is minimised Urban stormwater is treated on site before being discharged to receiving waters Flood management systems are integrated into site design. |
The proposal adopts appropriate drainage measures. The proposal complies with the BASIX requirements. |
Yes |
|
4W Waste management |
Waste storage facilities are designed to minimise impacts on the streetscape, building entry and amenity of residents Domestic waste is minimised by providing safe and convenient source separation and recycling. |
The proposal incorporates waste storage facilities contained within the basement level and is appropriate in size. |
Yes |
|
4X Building maintenance |
Building design detail provides protection from weathering Systems and access enable ease of maintenance Material selection reduces ongoing maintenance costs |
The proposal seeks to utilise a mixture of formwork, cladding and concrete which are materials that are consistent in the locality and satisfies the objective of this clause. |
Yes |
56. As stated within the above table, the proposal generally complies with the Apartment Design Guide (ADG) requirements and therefore is considered to be acceptable.
Draft Environmental Planning Instruments
Draft Environment SEPP
57. The Draft Environment SEPP was exhibited from 31 October 2017 to 31 January 2018. This consolidated SEPP proposes to simplify the planning rules for a number of water catchments, waterways, urban bushland, and Willandra Lakes World Heritage Property.
58. Changes proposed include consolidating the following seven existing SEPPs:
· State Environmental Planning Policy No. 19 – Bushland in Urban Areas
· State Environmental Planning Policy (Sydney Drinking Water Catchment) 2011
· State Environmental Planning Policy No. 50 – Canal Estate Development
· Greater Metropolitan Regional Environmental Plan No. 2 – Georges River Catchment
· Sydney Regional Environmental Plan No. 20 – Hawkesbury-Nepean River (No.2-1997)
· Sydney Regional Environmental Plan (Sydney Harbour Catchment) 2005
· Willandra Lakes Regional Environmental Plan No. 1 – World Heritage Property.
59. The proposal is not inconsistent with the provisions of this Draft Instrument.
Draft Remediation SEPP
60. The draft SEPP was exhibited from 31 January to 13 April 2018. The following are the aims of the SEPP as per below:
· provide a state-wide planning framework for the remediation of land
· maintain the objectives and reinforce those aspects of the existing framework that have worked well
· require planning authorities to consider the potential for land to be contaminated when determining development applications and rezoning land
· clearly list the remediation works that require development consent
· introduce certification and operational requirements for remediation works that can be undertaken without development consent.
61. Given the above, a contamination report was submitted which was reviewed and by Council’s Coordinator Environmental Health, the proposal was considered acceptable subject to conditions. In this regard, due consideration has been applied to the draft SEPP.
Hurstville Local Environmental Plan 2012
62. The extent to which the proposal complies with the relevant standards of Hurstville Local Environmental Plan 2012 (HLEP2012) is outlined in the table below.
Assessment Table – Hurstville LEP 2012 Development Standards
63. The extent to which the proposed development complies with the Hurstville Local Environmental Plan (HLEP) 2012 is detailed and discussed in the table below.
|
Clause |
Standard |
Proposed |
Complies |
|
1.2 – Aims of the Plan |
In accordance with Clause 1.2 (2) |
The proposal is considered to be consistent with the aims of the plan. |
Yes |
|
1.4 - Definitions |
“Residential flat building” |
The proposed development meets definition of “residential flat building”. |
Yes |
|
2.3 - Zone objectives and Land Use Table |
Site is zoned R3 Medium Density Residential (see zoning map elsewhere in this report). Meets objectives of R3 Medium Density zone which state the following;
• To provide for the housing needs of the community within a medium density residential environment. • To provide a variety of housing types within a medium density residential environment. • To enable other land uses that provide facilities or services to meet the day to day needs of residents. • To ensure that a high level of residential amenity is achieved and maintained.
Development must be permissible with consent. |
The development does not meet the objectives of the controls as the proposal results in the isolation of adjoining property at 55 Trafalgar Street, Peakhurst. This is considered to result in adverse impacts in regards to residential amenity. |
No |
|
2.7 - Demolition |
Demolition is permissible with consent |
The application seeks development consent for demolition as part of this proposal. |
Yes |
|
4.3 – Height of Buildings (HOB Map tile_002) |
“M” = 12m |
13.58m for the lift overrun (RL41.75) and communal open space rooftop structure (RL40.15).
The remainder of building is below the 12m height control. |
No – refer to the CL4.6 discussion below |
|
4.4 – Floor Space Ratio (FSR Map Tile_002) |
“N” = 1:1 (Site area = 1,182sqm) |
1:1 equating to 1,182sqm. |
Yes |
|
4.6 Exceptions to development standards |
Written request for variation must be considered |
Development seeks a variation to Clause 4.3 Height of Buildings. A request for the variation has been provided for Council’s consideration and is discussed further in this report. |
Yes |
|
5.10 – Heritage Assessment |
Objectives of clause to be satisfied |
The site is not identified as a heritage item or within the vicinity to a heritage item or conservation area. |
Yes |
|
6.1 – Acid Sulphate Soils |
The objective of this clause is to ensure that development does not disturb, expose or drain acid sulfate soils and cause environmental damage. |
Not affected by Acid Sulphate Soils. |
Yes |
|
6.3 – Flood Planning |
Requires assessment to minimise the flood risk to life and property associated with the use of land; to allow development on land that is compatible with the land’s flood hazard, taking into account projected changes as a result of climate change; and to avoid significant adverse impacts on flood behavior and the environment. |
The site is not identified as a Flood Control Lot. |
Yes |
|
6.7 Essential Services |
Essential services relating to water, electricity, sewerage, storm water or on site conservation and suitable road and vehicular access to be provided |
Essential services to be provided as part of construction certificate requirements. |
Yes |

Figure 9 - Height of Building Map
Clause 4.6 – Exceptions to Development Standards
Detailed assessment of variation to Clause 4.3 Height of Buildings
64. The Hurstville LEP 2012 prescribes a maximum building height of 12m for this site.
65. The proposal does not comply with the 12m height control of the Hurstville LEP 2012. The extent of the non-compliance, at the highest point being the top of the lift over-run equates to 1,538mm or 13.16% above the 12m height limit which is considered to not be out of character with recently approved developments.

Figure 10: Extract of northern front elevation demonstrating extent of non-compliance above 12m whereby the upper element of the lift overrun exceeds the height of building (Source: Cornerstone Design, 2018)

Figure 11: Extract of west side elevation demonstrating extent of non-compliance above 12m whereby the upper element of the lift overrun exceeds the height of building (Source: Cornerstone Design, 2018)
66. To support the non-compliance, the applicant has provided a request for a variation to Clause 4.3 in accordance with Clause 4.6 of Hurstville Local Environmental Plan 2012 (LEP) for the variation sought, of which points have been extracted justify the reasons in supporting the variation. This Clause 4.6 request for variation is assessed as follows:
“Nos. 57-59 Trafalgar Street are located in an area that is gradually transitioning from a low density neighbourhood to a medium density residential neighbourhood characterised by predominately three (3) and four (4) storey residential flat buildings.
As such, it is expected that the built form and scale within the sites immediate and local context will change as properties are redeveloped to commensurate with the current allowable building height and floor space ratio development standards.
The proposed building will be of a form and scale that is a desired future character, presenting an attractive facade to Trafalgar Street and making a positive contribution to the streetscape character and urban form and scale”
Is the planning control in question a development standard?
67. Height of Buildings limitation under Clause 4.3 of the HLEP 2012 is a development standard.
What are the underlying objectives of the development standard?
68. The objectives of Height of Buildings standard under Clause 4.3 of HLEP 2012 are:
“(1) The objectives of this clause are as follows:
(a) to ensure that buildings are compatible with the height, bulk and scale of the existing and desired future character of the locality,
(b) to minimise visual impact, disruption of views, loss of privacy and loss of solar access to existing development and to public areas and public domain, including parks, streets and lanes,
(c) to minimise the adverse impact of development on heritage items,
(d) to nominate heights that will provide a transition in built form and land use intensity,
(e) to establish maximum building heights that achieve appropriate urban form consistent with the major centre status of the Hurstville City Centre,
(f) to facilitate an appropriate transition between the existing character of areas or localities that are not undergoing, and are not likely to undergo, a substantial transformation,
(g) to minimise adverse environmental effects on the use or enjoyment of adjoining properties and the public domain”
69. The applicant has provided the following justification regarding the development’s consistency with the above objectives.
70. Applicant’s Comments: The proposed development achieves the objectives of the standard notwithstanding non-compliance with the height of buildings control because:
“the proposed scale and massing of the building is consistent with the desired future character of the locality; the non-compliance relates to a roof structure over a communal open space area
and lift overrun and does not seek to increase the number of storeys or density of the development. As such, there is no tangible nexus between the height variation and
the overall land use intensity; the area of non-compliance will not result in any adverse impacts on the adjoining land uses with respect to overshadowing, loss of privacy, inappropriate scale etc”.
71. Officer Comment: The applicant’s justification is supported. As shown on the building height blanket drawings (Figure 10), the extent of the height variation relates to the lift overrun and communal roof top which is centrally sited within the building footprint. The proposed variation does not comprise of floor space or area which could be readily converted into floor space.
72. The height of the building results in minimal additional impacts of overshadowing or visual bulk, when compared to that of a numerically compliant building, the addition shadowing will fall to the south of the site and not impacting other development given the topography of the land.
73. Given the above, the proposed variation is considered to be consistent with the objectives of Clause 4.3, and is acceptable despite the numerical non-compliance.
What are the underlying objectives of the zone?
74. The objectives of the R3 Medium Density Residential zone are as follows:
· “To provide for the housing needs of the community within a medium density residential environment.
· To provide a variety of housing types within a medium density residential environment.
· To enable other land uses that provide facilities or services to meet the day to day needs of residents.
· To ensure that a high level of residential amenity is achieved and maintained.
· To provide for a range of home business activities, where such activities are not likely to adversely affect the surrounding residential amenity”
75. Officer Comment: The applicant has provided the following key points in addressing the above as follows;
“As discussed above, the proposal is considered to be consistent with the objectives of the building height standard, notwithstanding the numerical variation.
• the underlying objective or purpose of the standard is not relevant to the
development and therefore compliance is unnecessary;
Comment: The objectives of the building height standard remain relevant and the proposal is consistent with, or at least is not antipathetic to the objectives of the building height standard, notwithstanding the numerical variation.
• the underlying object of purpose would be defeated or thwarted if compliance was
required and therefore compliance is unreasonable”.
76. Officer Comment: The applicant’s justification is considered to be reasonable and sound given the underlying zone objectives and height objectives of the Development Standard. The proposal is considered to positively contribute to the broadening of the variety of housing types within the Medium Density Residential zone.
77. The objectives for Clause 4.3 Height of Buildings development standard state the following:
“(1) The objectives of this clause are as follows:
(a) to ensure that buildings are compatible with the height, bulk and scale of the existing and desired future character of the locality,
(b) to minimise visual impact, disruption of views, loss of privacy and loss of solar access to existing development and to public areas and public domain, including parks, streets and lanes,
(c) to minimise the adverse impact of development on heritage items,
(d) to nominate heights that will provide a transition in built form and land use intensity,
(e) to establish maximum building heights that achieve appropriate urban form consistent with the major centre status of the Hurstville City Centre,
(f) to facilitate an appropriate transition between the existing character of areas or localities that are not undergoing, and are not likely to undergo, a substantial transformation,
(g) to minimise adverse environmental effects on the use or enjoyment of adjoining properties and the public domain”.
78. The applicant has provided the following as previously addressed within this report.
79. Officer Comment: The variation in height is to a maximum point of 1,580mm equating to 13.16%. The applicant’s justification is considered to be reasonable and is commensurate with other lift overrun heights and communal open spaces approved within the locality. The extent of the variation from an amenity perspective is minor, inconsequential and of minimal impact. Further consideration has been applied to the variation having regard to the principles established under the ‘Five Part Test’ established by the NSW Land and Environment Court. Councils may choose to not only use the principles of Clause 4.6 and SEPP1 but also this five part test.
80. Court cases dealing with applications to vary development standards resulted in the Land and Environment Court setting out a five part test for consent authorities to consider when assessing an application to vary a standard to determine whether the objection to the development standards is well founded, consideration to these principles and extent of variation have been considered as per below.
|
1. the objectives of the standard are achieved notwithstanding noncompliance with the standard;
|
Applicant’s comment: “As discussed above, the proposal is considered to be consistent with the objectives of the building height standard, notwithstanding the numerical variation”. |
|
|
Officer comment: The applicant’s justification is considered to be sound given that the underlying objectives have been satisfied. |
|
2. the underlying objective or purpose of the standard is not relevant to the development and therefore compliance is unnecessary; |
Applicant’s comment: “The objectives of the building height standard remain relevant and the proposal is consistent with, or at least is not antipathetic to the objectives of the building height standard, notwithstanding the numerical variation”. |
|
|
Officer comment: Given the above, the proposal is considered to be satisfactory which results in a built form which is generally consistent with the maximum height within the zone. |
|
3. the underlying object of purpose would be defeated or thwarted if compliance was required and therefore compliance is unreasonable; |
Applicant’s comment: “The proposal is consistent with the objectives of the building height standard, notwithstanding the numerical variation, and it would not defeat the purpose of the standard”. |
|
|
Officer comment: It is considered that strict numerical compliance would result in a negligible benefit and reduction of material impacts relating to overshadowing and bulk and scale given the central sitting of the lift overrun and communal rooftop. |
|
4. the development standard has been virtually abandoned or destroyed by the council’s own actions in granting consents departing from the standard and hence compliance with the standard is unnecessary and unreasonable; |
Applicant’s comment: “The building height standard has not been abandoned by Council through its actions in granting consent for other buildings in the vicinity that depart from the standard. |
|
|
Officer comment: Council has previously supported variations to the height of building for lift overruns and communal open space structures. The extent of the variation is considered to be similar to that of other approved residential flat buildings within the locality. |
|
5. the compliance with development standard is unreasonable or inappropriate due to existing use of land and current environmental character of the particular parcel of land. That is, the particular parcel of land should not have been included in the zone. |
Applicant’s comment: “The proposed residential flat building is a permissible land use and the zoning of the site is considered to be appropriate in this location and in the context of the surrounding land uses and built form”. |
|
|
Officer comment: The applicant’s justification is considered to be reasonable and sound given that the variation to the height of building satisfies the objectives of the development standard and is of a negligible impact. |
Is the variation to the development standard consistent with Clause 4.6 of the Hurstville LEP 2012?
81. Clause 4.6(1):
The objectives of this clause are as follows:
(a) to provide an appropriate degree of flexibility in applying certain development standards to particular development,
(b) to achieve better outcomes for and from development by allowing flexibility in particular circumstances.
82. Comment: Flexibility in applying the standard is appropriate and the requisite levels of satisfaction permitted by the controls have been achieved in this case, given the extent of variation relates to the lift overrun and communal open space rooftop structures. The variation (at the highest point of the building being the lift over-run) is proposed to ensure appropriate access is available to the communal rooftop area.
Clause 4.6(2):
“Development consent may, subject to this clause, be granted for development even though the development would contravene a development standard imposed by this or any other environmental planning instrument. However, this clause does not apply to a development standard that is expressly excluded from the operation of this clause”
83. Comment: Clause 4.3 Height of Buildings is not excluded from the operation of Clause 4.6.
Clause 4.6(3):
“Development consent must not be granted for development that contravenes a development standard unless the consent authority has considered a written request from the applicant that seeks to justify the contravention of the development standard by demonstrating:
(a) that compliance with the development standard is unreasonable or unnecessary in the circumstances of the case, and
(b) that there are sufficient environmental planning grounds to justify contravening the development standard”
84. Comment: The applicant has provided a written variation request prepared by Bernard Moroz and Associates. A copy of this Clause 4.6 request for variation is provided for the Panel’s consideration.
Clause 4.6(4):
“Development consent must not be granted for development that contravenes a development standard unless:
(a) the consent authority is satisfied that:
(i) the applicant’s written request has adequately addressed the matters required to be demonstrated by subclause (3), and”
85. Comment: The written request adequately addresses the matters in subclause (3). Strict compliance with the standard is unreasonable and unnecessary because the development remains consistent with the objectives of the R3 zone and height of building standard as described above. It is considered that sufficient environmental planning grounds to justify contravening the standard given that the non-compliance provides for an improved amenity outcome while resulting in no adverse environmental impacts. Furthermore, it is common that residential flat buildings within the surrounding Peakhurst area contain communal open space on the roof top with lift access.
(ii) the proposed development will be in the public interest because it is consistent with the objectives of the particular standard and the objectives for development within the zone in which the development is proposed to be carried out, and
86. Comment: For the reasons detailed above, the development is considered to be consistent with the objectives of Clause 4.3 Height of Buildings and the R3 Medium Density Residential zone.
(b) the concurrence of the Director-General has been obtained.
87. Comment: As the application seeks a variation to a Development Standard of over 10%. The proposed residential flat building must be determined by the Local Planning Panel.
Conclusion – Assessment of Clause 4.6 Request for Variation
88. The variation is considered minor in extent for 1,538mm or 13.16% above the 12m height of building control.
89. In a recent Court decision Initial Action Pty Ltd v Woollahra Municipal Council [2018] NSWLEC 118, Preston CJ further clarified the correct approach in the consideration of clause 4.6 requests. This advice further confirms that clause 4.6 does not require that a development that contravenes a development standard must have a neutral or better environmental planning outcome than one that does not. This is considered to be the case in this instance given the additional height sought and minimal impact generated.
90. As held in Randwick City Council v Micaul Holdings Pty Ltd [2016] NSWLEC 7 at [39], Preston CJ confirmed (at[25]) that the test in 4.6 (4)(a)(i) does not require the consent authority to directly form the opinion of satisfaction regarding the matters specified. Rather, it needs to do so only indirectly in forming its opinion of satisfaction that the applicant’s written request has adequately addressed the matters required to be demonstrated.
91. By contrast, the test in cl4.6(4)(a)(ii) requires that the consent authority must be directly satisfied about the matter in that clause (at[26]); namely that the development will be in the public interest because it is consistent with the objectives of the development standard and the objectives for development of the zone in which the development is proposed to be carried out.
92. The Clause 4.6 request has been considered and it concluded that overall, the non-compliance in this instance is acceptable and the applicant’s request is well founded.
93. However the proposal is not supported due to other planning deficiencies with in regards to site isolation, insufficient common open space, shortfall of accessible car parking and an accessible unit and lack owners consent from the beneficiaries regarding the relocation of the easement. In this regard, the Clause 4.6 Exception to development standard cannot be supported.
Any other matters prescribed by the Regulations
94. The Regulations prescribe no other matters for consideration for the proposed development.
Development Control Plans
Hurstville Development Control Plan No 1 (HDCP)
95. The proposed development is subject to the provisions of the HDCP. The proposal has been considered in accordance with the applicable controls within this DCP as follows.
Section 3.0 General Planning Consideration
Section 3.1 Vehicular Access and Parking and Manoeuvring
|
Section 3.1 |
Requirements |
Proposal |
Complies |
|
General |
|
|
|
|
Layout, Circulation, Access and Egress |
DS1.5 Refer to AS 2890.1 2004 and AS2890.2 Part 2 for the design and layout of parking facilities. |
Proposal meets Australian Standards. |
Yes |
|
|
DS1.6 Council does not encourage, but may consider stacked parking for parking spaces in a controlled parking situation which: a. allows no more than two cars in the stacked parking arrangement; b. is likely to maintain a very low turnover; or c. is able to function easily within the management of the site’s future operation. |
The proposal incorporates a stacked car parking configuration for units the stacked spaces are allocated to Units; G.04, 1.04, 204. |
Yes
|
|
Stencilling of Street and Driveways |
DS1.7 All driveways in Hurstville are to be finished in plain concrete. |
Driveway to be plain concrete. |
Yes |
|
|
DS1.8 In streets which have brick paved surfaces, driveways are constructed to Council’s Engineering Specification including a concrete base with matching brick paving surface. |
Surrounding area generally comprises of concrete. |
Yes |
|
Ramps. Transitions and Driveways |
DS1.9 Alignment levels for all points of vehicular access must be obtained prior to submission of a development application. These levels will be made available by Council’s Engineering Department following the payment of the appropriate fee. Note: Ramp grades are to be designed in accordance with AS/NZS 2890.2 2004 Part 2. |
Supported by Councils traffic section. |
Yes |
|
|
DS1.10 The AS/NZS 2890.1 2004 Ground Clearance Template is to be used as follows: a. prepare a longitudinal section of the grade change or irregularity to natural scale, and to the same scale as the template – scale to be 1:20 |
Proposal complies with the Australian Standards. |
Yes |
|
Underground/Basement Parking Areas |
DS1.11 D Underground parking areas are to be concentrated under building footprints so as to maximise deep soil landscaping.
|
Underground parking below the building footprint to maximise deep soil. |
Yes |
|
|
DS1.12 S Driveways to underground car parks are to be designed so as to minimise the visual impact on the street, and to maximise pedestrian safety. Pedestrian access to the development should be separate and clearly defined. |
Driveway located parallel with east side boundary. |
Yes |
|
|
DS1.13 S Access ways to underground car parking areas is to be located away from doors and windows to habitable rooms wherever possible. |
Appropriate locations proposed which are located away from habitable spaces. |
Yes |
|
|
DS1.14 Basement car parking is preferable in commercial and residential flat buildings. |
The basement car parking is located below residential flat building footprint. |
Yes |
|
|
DS1.15 All underground parking areas are to have security doors. Where mechanical ventilation is proposed the motor room and exhaust shafts are to be shown on the development application plans. |
Security doors proposed and the area is to be mechanically ventilated. Conditioned to comply with BCA/NCC. |
Yes |
|
Parking for People with a Disability |
DS1.16 Parking complies with AS 1428 Design for access and mobility and AS/NZS 2890.6. |
Proposal complies with Australian Standards. |
Yes |
|
|
DS1.17 The provision of parking areas for drivers with a disability is an important consideration in any development. Council encourages the provision of parking for those with a disability beyond the minimum requirements of the Australian Standards. |
Two (2) accessible spaces provided. One (1) additional accessible space can be conditioned to comply to meet Council’s minimum accessible unit requirements; however, the application is not supported for other reasons. |
Yes |
|
Car Washing Area |
DS1.19 A designated car washing area (which may also be a designated visitor car space) is required for service stations and residential developments of four or more dwellings. |
Car wash bay provided within a visitor space within the basement. |
Yes |
|
|
DS1.20 Car wash bays which collect waste water must be covered and discharge the water to the sewer in accordance with the requirements of Sydney Water. |
Standard conditions regarding car wash bays imposed. |
Yes |
|
Environmental Design |
DS2.1 Proposals for parking areas are to be accompanied by a landscape plan, prepared by a qualified landscape architect or designer, illustrating means to soften the visual impact of parked cars and any associated structures, as per these landscaping controls. |
Appropriate basement car parking provided/ Council’s Consulting Arborist has supported the proposal subject to conditions. |
Yes |
|
|
DS2.2 Significant environmental features within the land such as rock outcrops, benches and trees are to be retained as a landscaped feature of the parking area. |
The proposal does not contain any key physical environmental features however the basement and driveway are integrated into the slope of the site and embellished with surrounding landscaping. |
Yes |
|
|
DS2.3 Council considers that landscaping needs to be included in every car parking design, within and on the perimeters of the car parking area. Accordingly, the following is required: a. planting beds fronting a street or public place are to have a minimum width of 1 metre b. shade trees are to be provided in open parking areas at the ratio of 1 shade tree for every 6 spaces c. plants to avoid are those which have a short life, drop branches, gum or fruit or those which interfere with underground pipes |
The landscaping proposed is supported by Council’s Consulting Arborist subject to appropriate conditions. |
Yes |
|
|
DS2.4 Parking areas are to incorporate a 150mm concrete kerb or edge treatment to reduce the likelihood of vehicles damaging adjoining landscaped areas. The use of bollards should also be considered. |
Can be conditioned if the proposal was to be supported. |
Yes |
|
Drainage |
DS2.5 All parking areas are to have adequate drainage for runoff and seepage. Council requires that minimum gradients be provided in car parks. |
An adequate drainage design has been provided and is supported by Council’s Development Engineer subject to conditions of consent. |
Yes |
|
|
DS2.6 A detention tank or pipe with reduced outlet should be offered, preferably integrated with a pollution trap. Parking areas may provide for temporary detention of water to a maximum depth of 150mm to reduce the velocity of stormwater run-off. Such parking areas are to be designed to provide pollution traps around the perimeter so as to reduce the impact of pollutants on the water quality of downstream watercourses. See Council’s Drainage Code for further information. |
On site detention is located within the basement. Council’s Development Engineer supports the proposal subject to conditions of consent. |
Yes |
|
Streetscape |
DS2.7 Proposals for multi-level car parking areas are to provide a facade at the street frontage which is consistent with the streetscape and character of adjacent development. |
Single level of basement car parking proposed. |
Yes |
|
|
DS2.8 If a proposed parking area adjoins a residential property Council requires fencing and/or mounding to be included in the landscaping proposal to protect the privacy of the residential property and reduce noise. |
Acceptable landscaping proposed. |
Yes |
|
Safer By Design |
DS3.1 On-site parking spaces are to be located in areas visible from nearby habitable windows, entrances, public spaces etc. |
The onsite car parking layout is considered to be appropriately located and designed in relation to access points. |
Yes |
|
|
DS3.2 On-site driveways are to provide an unobstructed view of passing pedestrians and vehicles. |
Good sight lines provided to the street from the access driveway. |
Yes |
|
Safety |
DS3.3 Sloping ramps from car parks, garages and other communal areas are to have at least one full car length of level driveway before they intersect pavements and carriageways. |
Compliant car parking provided. |
Yes |
|
Security |
DS3.7 The intensity of lighting in the entranceway to covered or underground car parks is to be graded from the most bright (at the entrance proper), to minimum levels of accepted illumination (away from entrances), to allow for the gradual adjustment of driver/pedestrian “light” vision. |
The can be conditioned if the application is to be supported. |
Yes
|
|
Pedestrians and Car Park Layouts |
DS3.8 To help minimise the likelihood of conflict when sites have both pedestrian and vehicular access, the following is required: a. parking areas are to be designed so that through traffic is either excluded or appropriately managed b. pedestrian entrances/exits are to be separated from the vehicular entrances/exits (parking spaces must not obstruct required exit doors) c. developments generating a significant amount of pedestrian movement throughout the car park (such as shopping centres or office parks) are to establish clear and convenient pedestrian routes. These routes should minimise the number of points which cross vehicle paths and be appropriately marked to heighten driver awareness (e.g. painting, use of contrasting materials, lighting and/or signage). |
The car parking design and pedestrian layout have been appropriately and reasonably designed for the site and its context. |
Yes |
Section 3.3 Access and Mobility
|
Section 3.3 |
Requirements |
Proposal |
Complies |
|
Residential Flat Buildings including conversion of industrial buildings and shop top residential developments. |
In developments containing five or more dwellings, a minimum of one adaptable dwelling, designed in accordance with relevant Australian Standards must be provided for every ten dwellings or part thereof.
Two accessible units required.
Access for all persons through the principal entrance and access to any common laundry, kitchen, sanitary or other common facilities in accordance with relevant Australian Standards.
One accessible parking space for every adaptable dwelling designed in accordance with Australian Standards.
Two accessible spaces required. |
Two adaptable units provided (G.03 and 3.01), Three (3) required, one (1) additional unit could be conditioned to be an accessible unit however the proposal is not supported for other reasons contained within this report.
Adequate access provided.
Two (2) accessible spaces provided within the basement level. As outlined above a condition of consent could be imposed to ensure that that three (3) accessible spaces are provided within the development if the application was to be supported. |
Yes
Yes
Yes |
Section 3.4 Crime Prevention Through Environmental Design
96. The proposal is considered to satisfy the intent of this subsection by providing passive natural surveillance to and from the street by way of the window and balcony location and outlook. The ground floor units are located above natural ground level sight lines. The proposed vegetation is of an appropriate nature and maturity height to allow for casual surveillance opportunities. The proposed design and layout does not result in any adverse impacts given the sitting of the communal open space area on the roof top. Given the above the proposal results in an acceptable built form in relation to crime prevention through environmental design principles. The proposal can provide appropriate lighting in entry and common areas to improve functionality, security and safety if the application was to be supported.
Section 3.5 Landscaping
97. The proposal provides acceptable landscaping in accordance with the requirements of this subsection. The proposal is supported by Council’s Consulting Arborist who has assessed the landscaping and tree impacts of the proposal.
Section 3.7 Stormwater
98. The proposal seeks to drain to the street with on-site detention proposed within the basement. Council’s Development Engineer has reviewed the proposal and supports the design and relocation of an easement subject to conditions of consent.
Section 4 Specific Controls for Residential Development
|
Control |
Provision |
Proposal |
Complies |
|
|
General Controls |
||||
|
PC1 Neighbouring Character |
DS1.1. The development application is supported by a Statement of Environmental Effects that: a. includes a satisfactory neighbourhood and site description, including the identification of the key features of the neighbourhood and site.
b. shows how the siting and design response derives from and responds to the key features identified in the neighbourhood and site description.
c. demonstrates that the residential development proposal respects the existing or desired neighbourhood character and satisfies objectives of the zone in the LEP. |
Statement of Environmental Effects includes satisfactory neighbourhood and site description and context.
The proposal has provided an analysis of the surrounding area.
Detailed within the Statement of Environmental Effects. |
Yes
Yes
Yes
|
|
|
PC2 Site Frontage |
DS2.1. The minimum street frontage is 24m
Note: minimum street frontage may be reduced where development is proposed on an isolated site. |
32.310m frontage to Trafalgar Street. |
Yes
|
|
|
PC3 Isolated Sites |
DS3.1. Where a site is isolated (refer Figure 3 and Figure 4), Council will consider on merit an application for a Residential Flat Building which does not meet the minimum street frontage requirement contained in this DCP. |
The site is considered not to be isolated however results in the isolation of 55 Trafalgar Street, Peakhurst.
|
No (1), refer to discussion below.
|
|
|
(1) Site isolation The subject site being 57-59 Trafalgar Street, Peakhurst results in the isolation of the adjoining allotment to the east being 55 Trafalgar Street, Peakhurst. Development consent has been granted for 51-53 Trafalgar Street, Peakhurst for a residential flat building comprising of thirteen (13) units. Council’s controls prescribe a minimum street frontage of 24m to accommodate a residential flat building. 55 Trafalgar Street Peakhurst comprises approximately a 15m allotment width and site area of 580sqm which is insufficient to accommodate a residential flat building with compliant Apartment Design Guide (ADG) setbacks as depicted below.
Figure 12: Extract of subject site in relation to adjoining properties and development approvals.
The applicant has not addressed site isolation witin the application and therefore attempts under planning principle “Karavelas ats Sutherland Council” have not been undertaken. A diagram or schematic has not been provided to demonstrate how a reasonable built form could be accommodated on No.55 Trafalgar Street, Peakhurst in consideration with the 6m spatial separation to the eastern side boundary generated by the development and the 3m – 6m setbacks. |
||||
|
PC4 Building Height |
DS4.1. The maximum building height is in accordance with the Hurstville LEP 2012 and 3 storeys. |
Three storey built form proposed |
Yes |
|
|
PC5 Excavation |
DS5.1. The natural ground level is not excavated more than 0.5m for the finished ground floor level. |
Ground floor levels are located above natural ground level. |
No (2) refer to discussion below. |
|
|
(2) Excavation Council’s controls prescribe a maximum excavation of 500mm to accommodate the ground floor levels. The proposal seeks a maximum excavation of 1m at the southern rear elevation to accommodate 2 of the 5 ground floor units due to slope of the site which falls from rear (high) to front (low). This is not considered to result in any undue impacts in relation to solar access, privacy, amenity or the like and is not dissimilar to other residential flat buildings on sloping sites approved within the locality. However, the proposal is not supported for other reasons contained within this report. |
||||
|
PC6 Setbacks |
DS6.1. The minimum setback to a primary or secondary street is 6m. Note: Setbacks to the side and rear boundary and building separations are to be provided in accordance with the design criteria in the Visual Privacy section of the Apartment Design Guide (ADG).
DS6.2. An articulation zone allowing for lightweight elements such as eaves, sun-hoods, blade walls, battens and the like may intrude up to 1m within a road boundary setback for a maximum of 25% of the horizontal distance of the total facade.
|
6m
The ground floor front balconies encroach the front setback by 2m. The balconies could be conditioned to be setback a minimum of 5m from the front boundary, with the podium area to be amended to form planter boxes however the proposal is not supported for other reasons contained within this report. |
Yes
Yes |
|
|
PC7 Vehicle Access, Parking and Manoeuvring |
DS7.1. Car parking is provided on site in accordance with the following rates:
a. 1 resident space for every studio, 1 or 2 bedroom dwelling
b. 2 spaces for 3 bedrooms/
developments of 4 dwellings or more, one visitor space per 4 dwellings or part thereof |
11 spaces
4 spaces
There are 21 spaces nominated. |
Yes
Yes
Yes |
|
|
PC8 Landscape Open Space |
DS8.1. The minimum amount of landscaped open space is 20% of the site area.
DS8.2. The minimum dimension of landscaped open space is 2m in any direction.
DS8.3. Landscaping between the front of buildings and the street boundary achieves a balance between reducing the visual impact of building when viewed from the street and facilitating passive casual surveillance of the street.
DS8.4. A development application is to be supported by a landscape plan prepared by a qualified person addressing the performance criteria and design solutions and in particular addressing areas of communal open space and areas that are visible from the street. |
More than 25% landscaped area provided.
2m minimum dimension.
Appropriate landscaping provided in accordance with this Clause however it is noted that the front portico is excessive and detracts from the streetscape, this design element is not supported.
A landscape plan has been prepared by a Landscape Architect with good levels of planting proposed within the rooftop communal area and within the ground floor setbacks. |
Yes
Yes
Yes
Yes |
|
|
PC9 Solar Access |
DS9.1. Development allows for at least 3 hours of sunlight on the windows of main living areas and adjoining principal private open space of adjacent dwellings between 9.00am and 3.00pm on 22 June. Note 1: development applications are to be supported by shadow diagrams demonstrating compliance with this design solution. Note 2: Exemptions will be considered for developments that comply with all other requirements but are located on sites with an east-west orientation. |
3 hours of solar access achieved to the neighbouring properties. |
Yes
|
|
|
PC10 Noise |
DS10.1. Windows of adjacent dwellings are separated by a distance of at least 3m Note: this can be achieved by an offset.
DS10.2. Site layout separates active recreation areas, parking areas, vehicle access-ways and service equipment areas from bedroom areas.
DS10.3. Dwellings are designed so that the internal noise level from outside sources does not exceed the parameters established by the NSW Environment Protection Authority (EPA).
DS10.4. Habitable rooms located within 60m of a railway or facing a classified major road satisfy the acoustic criteria contained within the NSW Government’s Development Near Rail Corridors and Busy Roads – Interim Guideline (2008), or the most recent version
DS10.5. Where development is likely to be subject to noise from a railway line, arterial or state road or Sydney airport flight path, council may require the submission of a report prepared by a qualified acoustic engineer to demonstrate that internal noise levels will be acceptable. |
Windows are separated by at least 3m.
The car parking layout and driveway location is positioned to minimise impacts to bedrooms.
Can be conditioned if the application was to be supported.
Located more than 60m away from a major classified Road.
The site is not within close proximity to a railway line, arterial or state road or Sydney Airport flight path. |
Yes
Yes
Yes
Yes
Yes |
|
|
PC11 Streetscape |
Large expanses of blank, unarticulated walls on any street frontage is not supported.
DS11.2. In more urban streetscapes, development emphasises corners by increased scale or massing treatments compared to the remainder of the building. Note: compliance with maximum building height under the LEP must be achieved in these situations.
DS11.3. Roofs: a. have a pitch of up to 350, or up to 450 where an attic is involved b. provide a varied shape with hips, gables or other forms c. mark the entrance to a building by the use of a porch, portico or similar element.
DS11.5. To reduce the appearance of building bulk and provide visual interest through articulation, maximum wall length in one plane is 6m at the street frontage Note: Lengths greater than this may be acceptable where the elevation incorporates visually significant changes in massing and form and the use of articulation such as recesses, projections, balconies, blade walls and similar |
All walls are appropriately modulated, articulated and detailed with contemporary design elements.
The proposal adopts a three storey built form with roof top terrace. As detailed earlier within this report, the proposal complies with the 12m height of building limit with the exception of the lift overrun and communal roof top open space structures only.
The proposal seeks a flat contemporary roof design with design treatment to mark the entrance of the building from Trafalgar Street
Unrelieved wall lengths do not exceed 6m as the proposal incorporates modulation to break up the visual bulk using contemporary architectural cues. |
Yes
Yes
Yes |
|
|
PC12 Stormwater |
DS12.1. Stormwater management is in accordance with section 3.7 of this DCP |
The proposal seeks to drain to Council’s existing infrastructure and is supported by Council’s Development Engineer subject to conditions of consent. |
Yes |
|
|
PC13 Front Fencing |
DS13.1. Fencing is in accordance with Appendix 2 – Fences Adjacent to Public Roads |
No front fencing proposed. |
Yes |
|
|
PC14 Site facilities |
DS14.1. Electricity and telephone lines are provided underground unless there is the connection of electricity and telephone lines directly from the service pole to the fascia of the front dwelling.
DS14.2. Mail and garbage collection areas are integrated into the overall design of the development.
DS14.3. Development provides space for the storage of recyclable goods, either in the curtilage of each dwelling or in a central storage area in larger developments. DS14.4.
A master TV antenna is provided for any development of more than two dwellings.
DS14.5. Storage is provided in accordance with the design criteria of the ADG. Note: Storage in a basement means all non-habitable, secure (i.e. lockable) space located in a basement or similar underground part of a building or structure that is used solely for the purposes of domestic storage. The extent of the area is measured from the boundaries of its enclosure to the top of the building or structural slab above.
DS14.6. Communal outdoor clothes drying facilities must be visually screened from the street. |
Services to be provided in accordance with the utility providers requirements. This would be conditioned if the application was to be supported.
Mail collection is located along Trafalgar Street and is well integrated into the development. Waste collection and storage area is located within basement level.
Storage areas are located to south east corner of the basement and suitable storage within each unit.
Can be provided and conditioned if the application was to be approved.
Storage areas provided within the basement in the form of designated storage areas.
Communal outdoor clothes drying facilities are located within the communal open space and can be screened via a condition of consent. |
Yes
Yes
Yes
Yes
Yes
Yes |
|
Section 94 Contributions
99. A Section 7.11 Contribution of $178,601.89 would be applied to the proposal via a condition of consent if the application was being supported.
SUBMISSIONS
100. The proposal was notified in accordance with the provisions of the Hurstville Development Control Plan No 1 (HDCP) for a period of 14 days. In response, two (2) submissions were received. The amended plans did not require re-notification given the minor extent of changes sought.
Drainage impacts
101. Concerns were raised in relation to drainage impacts from the development and impacts on the easement.
102. Comment: The proposal seeks to drain to the Trafalgar Street which includes the relocation of the easement which benefits 12 and 12A Gover Street to the rear which is an attached dual occupancy. The easement relocation is supported by Council’s Development Engineer subject to conditions.
103. Bulk and scale, character of the area, development type
Comment: Concerns were raised regarding adverse impacts to the streetscape and character of the area, whereby it was also suggested that a different built form such as multi dwelling housing or a dual occupancy should be considered. The site is zoned R3 Medium Density Residential whereby a residential flat building forms a permissible use on the subject site. As discussed earlier within this report, the proposal generally complies with the applicable planning controls. The application is being recommended for refusal not based on the development type or is design, it is being refused because adequate consideration has not been given the site isolation of 55 Trafalgar Street Peakhurst and other design elements that could be overcome if the applications was able to be supported.
104. Privacy impacts
Comment: Concerns were raised in relation to privacy impacts in particular from the rear elevation. The proposal is not considered to result in any unacceptable privacy impacts as most rooms along this elevation are low use rooms and the proposal complies with the required setbacks and contains a communal rooftop which is appropriately designed and sited to minimised impacts to adjoining properties.
105. Overshadowing impacts to adjoining properties
Comment: The proposal complies with the ADG setbacks and generally the height, given the central sitting of the proposal and orientation of the site. Given the northern orientation of the site, it is considered that overshadowing to neighbouring properties is not considered to be unreasonable given the uplift of the locality. The height breach will not result in any additional overshadowing onto the adjoining allotments, the additional shadow falls within the subject site.
106. Devaluation of property
Comment: This is not a matter for consideration under the Environmental Planning and Assessment Act 1979.
REFERRALS
107. The proposal did not trigger and external referrals mandated by any SEPP or legislation. The development application was referred to the relevant officers within Council. The responses are outlined as follows.
Council Referrals
Landscape Officer
108. The application was reviewed by Council’s Consultant Arborist who supported the proposal subject to conditions relating to removal, protection and tree replacement.
Environmental Health Officer
109. The application was reviewed by Council’s Coordinator Environmental Health who supported the proposal subject to conditions.
Traffic Engineer
110. The application has been reviewed by Council’s Traffic Engineer who supports the proposal subject to conditions.
111. Senior Building Surveyor
The application has been reviewed by Council’s Senior Building officer who supports the proposal subject to conditions.
Drainage Engineer
112. The application was reviewed by Council’s Development Engineer whom supported the proposal subject to conditions.
113. Waste/Environmental Services
The application has been reviewed by Council’s Coordinator Environmental Sustainability Officer who supported the proposal subject to conditions.
IMPACTS
Natural Environment
114. The proposed development is unlikely to generate adverse impacts on the natural environment.
Built Environment
115. The proposed development is likely to result in adverse impacts on the built environment in particular to 55 Trafalgar Street, Peakhurst given this allotment is isolated if the development was to proceed.
Social Impacts
116. The proposal is likely to result in any adverse social impacts given the design and residential use of the site which results in the isolation of the adjoining property at 55 Trafalgar Street, Peakhurst which is unable to accommodate a residential flat building. It is also noted that this site is also deficient in terms of being able to comply with the minimum lot areas for multi-dwelling house or dual occupancy.
Economic Impacts
117. The proposed development is likely to generate adverse economic impacts in the form of unorderly economic development given the residential nature of the development and the resultant site isolation of 55 Trafalgar Street, Peakhurst.
Suitability of the Site
118. The proposal is not inconsistent with Council’s Interim Policy. However the proposed physical built form is of a scale and design that is not suitable for the site having regard to its size, shape, topography, relationship to adjoining developments and evolving character of Peakhurst and impact of site isolation to the adjoining property at 55 Trafalgar Street, Peakhurst.
Public Interest
119. The proposal is not considered to be in the public interest for the reasons contained within this report as the proposal results in the isolation of the adjoining property at 55 Trafalgar Street, Peakhurst.
CONCLUSION
120. The development application has been assessed having regard to the Matters for Consideration under Section 4.15 of the Environmental Planning and Assessment Act 1979, the provisions of the relevant State Environmental Planning Policies, Local Environmental Plans and Development Control Plans.
121. The application DA2018/0285 for is recommended to be determined by way of refusal under the provisions of Section 4.16(1)(a) of the Environmental Planning and Assessment Act 1979.
DETERMINATION AND STATEMENT OF REASONS
Statement of Reasons
· The proposal results in a built form which is inconsistent with the envisaged desired character of the R3 Medium Density Residential Zone and results in the isolation of 55 Trafalgar Street, Peakhurst.
· The proposal result in poor occupant amenity.
Determination
THAT Pursuant to Section 4.16(1)(b) of the Environmental Planning and Assessment Act 1979, as amended, the Georges River Local Planning Panel determine DA2018/0285 for demolition works and construction of a four (4) storey residential flat building containing fourteen (14) units twenty one (21) car parking spaces, site and landscaping works on Lots 167 and 168 in DP 36317 on land known as 57-59 Trafalgar Street, Peakhurst, should be refused.
1......... The proposal is unsatisfactory having regarding to Object (c) which states “to promote orderly and economic use and development of land” of the Environmental Planning and Assessment Act 1979.
2......... The proposal is unsatisfactory having regarding to Clause 3D Communal and Public Open Space and 3F – Visual Privacy of the Apartment Design Guide referred to within State Environmental Planning Policy No 65 – Design Quality of Residential Apartment Development in that the development has not provided adequate communal open space to service the amenity for future occupants.
3......... The proposal does not satisfy the following zone objectives as per Clause 2.3 – Zone Objectives and Land Use Table (R3 Medium Density Residential) of Hurstville Local Environmental Plan 2012:
• To provide for the housing needs of the community within a medium density residential environment.
• To provide a variety of housing types within a medium density residential environment.
• To enable other land uses that provide facilities or services to meet the day to day needs of residents.
• To ensure that a high level of residential amenity is achieved and maintained.
4......... The proposal does not comply having regard to Section 4.15(1)(a)(iii) the number of accessible units, accessible car parking, site isolation, excavation having regard to the Hurstville Development Control Plan.
5......... The proposal is unsatisfactory having regard to Section 4.15(1)(b) of the Environmental Planning and Assessment Act 1979 as the development will cause adverse impacts upon the natural and built environment.
6......... The proposed development is unsatisfactory having regard to Section 4.15(1)(c) of the Environmental Planning and Assessment Act 1979 in that the site is not suitable for the development in its present form as the proposal results in the isolation the adjoining property being No. 55 Trafalgar Street, Peakhurst.
7......... Approval of the development is not considered to be in the public interest and contrary to Section 4.15(1)(e) of the Environmental Planning and Assessment Act 1979.
8......... The proposal has not provided owners consent from the benefiting properties at 12 and 12A Gover Street, Peakhurst in relation to the relocation of the existing registered easement.
9......... An amended landscape plan has been submitted which is inconsistent with the revised architectural plans.
|
Attachment ⇩1 |
Photo Montage - 57-59 Trafalgar St Peakhurst |
|
Attachment ⇩2 |
Elevations and Roof Plan 57-59 Trafalgar Street Hurstville |
|
Georges River Council - Georges River Local Planning Panel (LPP) - Thursday, 21 November 2019 LPP052-19 57-59 Trafalgar Street Peakhurst [Appendix 1] Photo Montage - 57-59 Trafalgar St Peakhurst |
Page 188 |
|
Georges River Council - Georges River Local Planning Panel (LPP) - Thursday, 21 November 2019 LPP052-19 57-59 Trafalgar Street Peakhurst [Appendix 2] Elevations and Roof Plan 57-59 Trafalgar Street Hurstville |
Page 191 |


|
Georges River Council – Local Planning Panel Thursday, 21 November 2019 |
Page 224 |
REPORT TO GEORGES RIVER COUNCIL
LPP MEETING OF Thursday, 21 November 2019
|
LPP Report No |
LPP053-19 |
Development Application No |
DA2018/0573 |
|
Site Address & Ward Locality |
268 Carrington Avenue Hurstville Hurstville Ward |
||
|
Proposed Development |
Demolition of all structures, boundary adjustment and construction of two semi-detached dwellings. |
||
|
Owners |
Mariam Boulos |
||
|
Applicant |
Magdy Iskander |
||
|
Planner/Architect |
None referenced |
||
|
Date Of Lodgement |
17/12/2018 |
||
|
Submissions |
One (1) submission |
||
|
Cost of Works |
$748,000.00 |
||
|
Local Planning Panel Criteria |
Variation to the minimum subdivision lot size development standard which exceeds 10% |
||
|
List of all relevant s.4.15 matters (formerly s79C(1)(a)) |
Environmental Planning Assessment Act 1979; Environmental Planning and Assessment Regulations 2000; Greater Metropolitan Regional Environmental Plan No 2 – Georges River Catchment; State Environmental Plan No. 55 – Remediation of Land; State Environmental Planning Policy (Infrastructure) 2007; State Environmental Planning Policy BASIX; Hurstville Local Environmental Plan 2012; Hurstville Development Control Plan No 1 |
||
|
List all documents submitted with this report for the Panel’s consideration |
Subdivision Plan and Architectural Plans Clause 4.6 Variation Request
|
||
|
Report prepared by |
Development Assessment Planner |
||
|
|
Summary of matters for consideration under Section 4.15 Have all recommendations in relation to relevant s4.15 matters been summarised in the Executive Summary of the assessment report? |
Yes |
|
Legislative clauses requiring consent authority satisfaction Have relevant clauses in all applicable environmental planning instruments where the consent authority must be satisfied about a particular matter been listed and relevant recommendations summarised, in the Executive Summary of the assessment report? |
Yes |
|
Clause 4.6 Exceptions to development standards If a written request for a contravention to a development standard (clause 4.6 of the LEP) has been received, has it been attached to the assessment report? |
Yes Clause 4.1 Minimum subdivision lot size |
|
Special Infrastructure Contributions Does the DA require Special Infrastructure Contributions conditions (under s7.24)? |
Not Applicable |
|
Conditions Have draft conditions been provided to the applicant for comment? |
No, standard conditions have been recommended with no design changes. The conditions will be available for review when the report is published. |
|
Site Plan
Subject site outlined in blue |
Executive Summary
Proposal
1. Council is in receipt of an application seeking approval for the demolition of existing structures, boundary adjustment, and construction of two (2) x two (2) storey semi-detached dwellings, each with their own title.
2. Currently there are two (2) titles associated with this proposal, the current structures on the site are built over both allotments. This application is seeking to remove all structures and relocate the boundary between the allotments to provide equal width lots and lots of equal area. Each allotment will be 7.54m in width and 40.03m in depth, with an area of 302sqm.
3. The DA also proposes that, following the boundary adjustment, two (2) by two (2) storey three (3) bedroom semi-detached dwellings with basements are to be erected, one on each of the created lots and separated by a party wall. The party wall is to align with new boundary alignment.
Site and Locality
4. The lots are legally identified as Lot 1 DP104955; and Lot 101 DP3406, and known as 268 Carrington Avenue Hurstville NSW 2220. Both lots are rectangular shaped and are located on the south eastern side of Carrington Avenue Hurstville.
· Lot 1 – width 5.03m by 40.03m depth with an area of 196sqm.
· Lot 101 – width 10.06m by 40.03m depth with an area of 398.4sqm.
NOTE: The areas referenced above are as shown on the Deposited Plans (DPs) for the property – and given the age of the Deposited Plans, the areas have inconsistencies. So the survey details provided with the application have been used in the assessment.
Zoning and Permissibility
5. The site is zoned R2 Low Density Residential in accordance with the Hurstville Local Environmental Plan 2012 (HLEP, 2012). ‘Semi-detached dwellings’ and ‘subdivision’ are permissible with Council consent pursuant to Clause 2.6 of the HLEP 2012. The proposed development satisfies the objectives of the zone.
Clause 4.6 Variation – Minimum Lot Size
6. The subject site is identified as 268 Carrington Avenue, Hurstville and comprises of two (2) existing Torrens title lots. The proposal seeks a ‘Boundary Adjustment’ of these two titles.
7. The minimum lot size under the provisions of the Hurstville Local Environmental Plan (HLEP) 2012 is 450sqm. The allotment sizes post boundary adjustment (subdivision) will have areas of 302sqm, a variation of 148sqm or 33% from the Minimum Allotment Size under HLEP 2012.
8. The proposed subdivision (boundary adjustment) seeks to adjust the allotment widths and site areas to be equal for both allotments. The following table presents the existing allotment widths and site areas of both the existing allotments, and also the proposed allotments (resulting from the boundary adjustment):
|
Lot |
DP |
Existing Lot Width |
Existing Site Area |
Proposed Lot Width and Lot Depth |
Proposed Site Area |
Variation |
|
Lot 1 |
DP104955 |
5.03m |
196.0sqm |
7.54m x 40.03m |
302sqm |
An increase in 2.515m of the frontage and an increased site area of 101.2sqm. |
|
Lot 101 |
DP3406 |
10.06m |
398.4sqm |
7.54m x 40.03m |
302sqm |
Reduced frontage of 2.515m.
A loss of 101.2sqm of site area. |
9. The boundary adjustment will therefore result in each title having a site area of 302sqm, a variation of 148sqm or 33%.
The extent of the variation is related primarily to the adjustment of the boundary between the existing allotments which have dwelling entitlements. The new titles will provide a more conventional subdivision pattern with equitable allotments for the new dwellings, posing reduced and minimal impacts on the adjacent neighbouring allotments.
Submissions
10. In accordance with the provisions of Councils Public Notification policy, the application was placed on neighbour notification between 25 January 2019 to 11 February 2019 where adjoining property owners were notified in writing of the proposal and invited to comment. One (1) submission was received objecting to the proposed development, this is addressed in detail later in this report.
Conclusion
11. This application has been assessed having regard to the Matters for Consideration under Section 4.15(1) and 4.15(3) of the Environmental Planning and Assessment Act 1979, the provisions of the relevant State Environment Planning Policies, Local Environmental Plan and Development Control Plan. The application seeks approval for the demolition of existing structures, a boundary adjustment and construction of two (2) semi-detached two (2) storey dwellings with basements.
12. Following a detailed assessment it is recommended that Development Application No. DA2018/0573 is approved subject to the recommended conditions at the end of this report.
Report in Full
Proposal
13. Council is in receipt of an application seeking approval for the demolition of existing structures, a boundary adjustment and construction of two (2) semi-detached two (2) storey dwellings each on a separate title. The proposed works are specifically outlined below.
14. Demolition:
· The proposal seeks to demolish the existing single storey brick and tile dwelling, detached garage and the infilling of the existing inground swimming pool.
15. Semi-detached Dwelling on Proposed Lot 101
Basement;
· Single garage, entry landing area and porch, staircase connecting basement level to ground floor,
Ground Floor;
· Study room, laundry, bathroom, kitchen/dining area, living area, rear alfresco, ancillary staircase links;
First Floor:
· Three (3) bedrooms, bathroom, master bedroom including ensuite, rear and front facing balconies;
16. Semi-detached Dwelling on Lot 1
Basement;
· Single garage, entry landing area and porch, staircase connecting basement level to ground floor,
Ground Floor;
· Study room, laundry, bathroom, kitchen/dining area, living area, rear alfresco, ancillary staircase links;
First Floor:
· Three (3) bedrooms, bathroom, master bedroom including ensuite, rear and front facing balconies;
17. Boundary Adjustment: The boundary adjustment will result in the following:
|
Address |
Existing site area by DP |
Proposed site area after subdivision (by calculation) |
Existing frontage |
Proposed frontage after subdivision |
|
268 Carrington Avenue Hurstville (Lot 101) |
398.4sqm |
302sqm |
10.06m |
7.54m |
|
268 Carrington Avenue Hurstville (Lot 1) |
196sqm |
302sqm |
5.03m |
7.54m |
|
Combined area of both allotments (see note below) |
Existing Site Area (based on current DPs): 594.4sqm |
Proposed Site Area (based on updated survey information): 604sqm |
|
|
NOTE: According to the current Deposited Plans, the site has a total area of 594.4sqm. However this site area is based on the measurements taken for the Deposited Plans prepared in 1897 (DP3406) and 1916 (DP104955). A more recent/more accurate measurement of site area (produced for the survey plan for the site prepared in 2018) produces a total site area of 604.0sqm, based on combined site dimensions of 15.09m frontage x 40.03m depth.
The Site and Locality
18. The subject site observes a unique characteristic in being located over two separate land titles. The lots are legally identified as Lot 1 DP104955; and Lot 101 DP3406, both of which identified by the street address of 268 Carrington Avenue Hurstville NSW 2220. Both lots are rectangular shaped allotments with a primary south western frontage onto Carrington Avenue. Lot 101 presents a frontage width of 10.6m, and a site area of 398.4sqm. Lot 1 presents a frontage width of 5.03m, and a site area of 196sqm. The sites slope from the north eastern boundary (rear) to the south western boundary (front) at an average height difference of 2.08m.
19. The amalgamated site forms a rectangular shape with a combined area of 604.0sqm with a consistent depth of 40.03m a front and rear boundary of 15.09m as identified in the submitted Survey Plan prepared by NGEO Surveyors, lodged with the Development Application.
20. The site slopes towards the south west primary frontage (Carrington Avenue) with a fall of approximately 2500mm and from side to side with a fall that varies from 300mm to approximately 800mm. NEGO Surveying have advised that upon the preparation of a detailed site survey, it was identified that the current DPs illustrated an inconsistency in land size when comparing actual surveyed land to historic DPs.
21. By calculation, the above site’s dimensions provide a sites area of 604sqm (15.09 x 40.03). Consequently, this will result in each of the proposed lots being 302sqm with consistent front and rear boundaries of 7.54m to each Lot. In conclusion, with NGEO Surveying, they have noted that the marginal inconsistency in land size (9.65sqm) from the 2018 land survey compared to the areas shown on the DPs is a result of inaccurate DP’s that will be updated as part of the boundary adjustment process.
22. Currently existing on the site is a single storey brick and tiled roof dwelling house with an attached garage along the northern side boundary. A driveway located along the northern side boundary services the allotment. A veranda and an in-ground swimming pool are located behind the primary dwelling; at the rear of the allotment. The site includes minor trees (mostly non-native species) and vegetation.
23. The surrounding area is characterised by a variety of single and double storey dwellings and dual occupancies. Development in the area is a mix of original brick and tiled roof dwellings, with more contemporary homes becoming common. These new homes provide a more varied material pallet, with rendered brick, lighter colours, cladding, timber, concrete and low pitch to flat metal roofs.
Background
24. There are no recent relevant applications pertinent to the above mentioned subject allotment.
Zoning
25. The subject site is zoned R2 - Low Density Residential and the proposed development is defines as a “Semi-detached dwellings” in HLEP 2012, the proposal is a permissible form of development with Council’s consent. The proposed development satisfies the objectives of the zone which are;
· To provide for the housing needs of the community within a low density residential environment.
· To enable other land uses that provide facilities or services to meet the day to day needs of residents.
· To encourage development of sites for a range of housing types, where such development does not compromise the amenity of the surrounding area, or the natural or cultural heritage of the area.
· To ensure that a high level of residential amenity is achieved and maintained.
· To encourage greater visual amenity through maintaining and enhancing landscaping as a major element in the residential environment.
· To provide for a range of home business activities where such activities are not likely to adversely affect the surrounding residential amenity.

Figure 1: Zoning map of 268 Carrington Avenue Hurstville (Source: Intramaps, 2019)
PLANNING ASSESSMENT
Environmental Planning Instruments
26. The site has been inspected and the proposed development has been assessed under the relevant Section 4.15(1) Matters for Consideration under the Environmental Planning and Assessment Act 1979.
State Environmental Planning Policies
27. Compliance with the relevant State Environmental Planning Policies is summarized and discussed in more detail below.
Greater Metropolitan Regional Environmental Plan No 2 – Georges River Catchment
28. This REP is applicable to the subject site and the aims of the plan are;
(a) to maintain and improve the water quality and river flows of the Georges River and its tributaries and ensure that development is managed in a manner that is in keeping with the national, State, regional and local significance of the Catchment,
(b) to protect and enhance the environmental quality of the Catchment for the benefit of all users through the management and use of the resources in the Catchment in an ecologically sustainable manner,
(c) to ensure consistency with local environmental plans and also in the delivery of the principles of ecologically sustainable development in the assessment of development within the Catchment where there is potential to impact adversely on groundwater and on the water quality and river flows within the Georges River or its tributaries,
(d) to establish a consistent and coordinated approach to environmental planning and assessment for land along the Georges River and its tributaries and to promote integrated catchment management policies and programs in the planning and management of the Catchment,
(e) (Repealed)
(f) to provide a mechanism that assists in achieving the water quality objectives and river flow objectives agreed under the Water Reform Package.
The proposal generally satisfies the objectives and provisions of the Regional Environmental Plan (REP).
State Environmental Planning Policy (Infrastructure) 2007
29. Clause 45 of the SEPP required consideration of the application by the local Energy Provider. Council forwarded the application to Ausgrid for consideration, however Ausgrid failed to respond. In accordance with the provisions a period of 21 days has passed since Council referral and Council is permitted to determine the application without further comment from the electricity provider.
Clause 101 of the State Environmental Planning Policy relates to development within a classified road. Stoney Creek Road is located to the north of the Site. This roadway is a classified arterial road, however, there is no access from the site to this roadway.
As such Clause 101 is not applicable in this case. Clause 102 of the State Environmental Planning Policy (Infrastructure) relates to the assessment and consideration of road noise or vibration on non-road development.
This clause is applicable to developments that are “on land in or adjacent to the road corridor for a freeway, a tollway or a transit way or any other road with an annual average daily traffic volume of more than 20,000 vehicles”. The RMS website includes traffic volumes at various locations.
State Environmental Planning Policy No 55 - Remediation of Land
30. SEPP 55 aims to promote the remediation of contaminated land in order to reduce the risk of harm to human health or any other aspect of the environment.
31. Clause 7 requires contamination and remediation to be considered in determining a development application. The consent authority must not consent to the carrying out of development on land unless it has considered whether or not the land is contaminated.
32. The site has a history of residential uses and as such, site contamination is not suspected. In this regard, no further assessment is warranted with regard to site contamination.
Draft Remediation of Land SEPP
33. The Department of Planning and Environment has announced a Draft Remediation of Land SEPP, which will repeal and replace the current State Environmental Planning Policy No 55 — Remediation of Land.
34. The main changes proposed include the expansion of categories of remediation work which requires development consent, a greater involvement of principal certifying authorities particularly in relation to remediation works that can be carried out without development consent, more comprehensive guidelines for Councils and certifiers and the clarification of the contamination information to be included on Section 10 Planning Certificates.
35. Whilst the proposed SEPP will retain the key operational framework of SEPP 55, it will adopt a more modern approach to the management of contaminated land.
36. The subject site has a history of residential use and as such, site contamination is not suspected. In this regard, no further assessment is warranted with regards to site contamination.
Draft Environment SEPP
37. The Draft Environment SEPP was exhibited from 31 October 2017 to 31 January 2018. This consolidated SEPP proposes to simplify the planning rules for a number of water catchments, waterways, urban bushland, and Willandra Lakes World Heritage Property.
· Changes proposed include consolidating the following seven existing SEPPs:
· State Environmental Planning Policy No. 19 – Bushland in Urban Areas
· State Environmental Planning Policy (Sydney Drinking Water Catchment) 2011
· State Environmental Planning Policy No. 50 – Canal Estate Development
· Greater Metropolitan Regional Environmental Plan No. 2 – Georges River Catchment
· Sydney Regional Environmental Plan No. 20 – Hawkesbury-Nepean River (No.2-1997)
· Sydney Regional Environmental Plan (Sydney Harbour Catchment) 2005
· Willandra Lakes Regional Environmental Plan No. 1 – World Heritage Property.
38. The proposal is consistent with the provisions of this Draft Instrument given there is no vegetation impacted by the proposed development.
Hurstville Local Environmental Plan 2012
39. The provisions of this local environmental plan are relevant to the proposal. The extent to which the proposal complies with the relevant standards of the Hurstville Local Environmental Plan 2012 (HLEP 2012) is outlined in the table below.
|
Clause |
Provision |
Proposed |
Complies |
|
Part 1 – Preliminary |
|||
|
1.2 – Aims of the Plan |
In accordance with Clause 1.2 (2) |
The development is consistent with the aims of the plan. |
Yes |
|
Part 2 – Permitted or prohibited development |
|||
|
2.3 Zone objectives and Land Use Table |
The site is within the R2 Low Density Residential zone.
The relevant objective of the zone is to provide for the housing needs of the community within a low density residential environment. |
The proposal is not inconsistent with the zone objectives. |
Yes
Yes |
|
2.6 Subdivision – consent requirements |
(1) Land to which this Plan applies may be subdivided, but only with development consent. |
The application proposes a boundary adjustment. |
Yes |
|
Part 4 – Principal development standards |
|||
|
4.1 Minimum subdivision lot size |
(3) The size of any lot resulting from a subdivision of land to which this clause applies is not to be less than the minimum size shown on the Lot Size Map in relation to that land. |
Lot size map: 450sqm
Lot 1: 302sqm
Lot 101:302sqm |
No (1)
No (1)
See below |
|
4.3 Height of Buildings |
(2) The height of a building on any land is not to exceed the maximum height shown for the land on the Height of Buildings Map - 9.0m
|
Semi-detached dwelling on Lot 101:
The proposed height of the development is 7.7m, well within the maximum building height limit of 9m as per HLEP 2012. |
Complies |
|
|
|
Semi-detached dwelling on Lot 1:
The proposed height of the development is 7.4m, well within the maximum building height limit of 9m as per HLEP 2012. |
Complies |
|
4.4 Floor Space Ratio |
(2) The maximum floor space ratio for a building on any land is not to exceed the floor space ratio shown for the land on the Floor Space Ratio Map - 0.6:1 |
Semi-detached Dwelling on Lot 101:
The proposed development will result in an increased gross floor area of 181.08sqm, or 60% |
Complies |
|
|
|
Semi-detached Dwelling on Lot 1:
The proposed development will result in an increased gross floor area of 181.08sqm, or 60% |
Complies |
|
4.6 Exceptions to development standards |
The application proposes a variation to the minimum lot size standard (450sqm) for 268 Carrington Avenue, Hurstville |
The lot size of 268 Carrington Avenue Hurstville is currently 594.4sqm. However, this is based on calculations for the deposited plans prepared in 1897 and 1916. A more accurate (recent) calculation of site area produces a site area of 604sqm.
The proposed boundary adjustment results in: Lot 1 being 302sqm and Lot 101 being 302sqm. |
Refer to discussion on the request for a variation to the lot size standard. |
|
Part 5 - Miscellaneous Provisions |
|||
|
5.10 Heritage Conservation |
Heritage Item and or Heritage Conservation Area. |
Not identified as heritage and or in Conservation Area
|
Yes |
|
5.11 Bush Fire Hazard Reduction |
Bush fire hazard reduction work authorised by the Rural Fires Act 1997 may be carried out on any land without development consent.
|
Not affected by Bushfire Prone Land |
Yes |
|
Part 6 - Additional Local Provisions |
|||
|
6.1 Acid Sulfate Soils |
(2) Development consent is required for the carrying out of works described in the Table to this subclause on land shown on the Acid Sulfate Soils Map as being of the class specified for those works. |
Not Affected by Acid Sulfate Soils |
Yes |
(1) Justification for Clause 4.1 - Minimum subdivision lot size
40. The provisions of this Local Environmental Plan are relevant to the proposal. The extent to which the proposal complies with the relevant standards of the Hurstville Local Environmental Plan 2012 (HLEP 2012) is outlined in the table below.
Proposed Boundary Adjustment and Variation to Minimum Lot Size Standard
41. The subject site has a unique characteristic in being located over two separate land titles. The lots are legally identified as Lot 1 DP104955; and Lot 101 DP3406, both of which identified by the street address of 268 Carrington Avenue Hurstville, 2220.
42. Both lots are rectangular shaped allotments with a primary south western frontage onto Carrington Avenue. Lot 101 presents a frontage width of 10.6m, and a site area of 398.4sqm. Lot 1 presents a frontage width of 5.03m, and a site area of 196sqm.
43. Neither the existing allotment sizes, nor the proposed allotment sizes, comply with the minimum lot size prescribed in Hurstville LEP 2012. The existing and proposed lot sizes are outlined in the table below.
|
Property |
Min. Lot Size |
Existing Lot Size |
Proposed Lot Size |
Complies |
|
Lot 1 – 268 Carrington Avenue, Hurstville |
450sqm |
196.0sqm |
302sqm |
No |
|
Lot 101 – 268 Carrington Avenue, Hurstville |
450sqm |
398.4sqm |
302sqm |
No |
44. Clause 4.1 of the LEP states the minimum lot size is 450sqm. As stated above, both allotments are under the minimum lot size. Due to the non-compliant size of the lots that exist, the applicant has submitted a Clause 4.6 variation request, and is discussed below.
Clause 4.6 – Exceptions to Development Standards – Clause 4.1 Minimum subdivision lot size
45. The objectives of Clause 4.6(1) are as follows: and;
(a) to provide an appropriate degree of flexibility in applying certain development standards to particular development,
(b) to achieve better outcomes for and from development by allowing flexibility in particular circumstances.
46. Applicant’s Comment: “Lot 1 and Lot 101 are existing non-compliant site areas, when assessed under the provisions of the Hurstville Local Environmental Plan (HLEP) 2012. The proposed works of the Boundary Adjustment could otherwise be considered under the provisions of the State Environmental Planning Policy (Exempt and Complying Development Codes) 2008, except that the boundary adjustment sought is equivalent to an area of greater than 10%”.
47. Council Comment: The proposed development fails to comply with the development standard for minimum subdivision lot size. Clause 4.1 in Hurstville LEP 2012 stipulates a minimum lot size of 450sqm. However, an appropriate subdivision pattern has been provided for assessment and the proposed development does not create an adverse impact upon adjoining allotments or affect the existing subdivision pattern of the Hurstville locality. In this regard, the allotments as existing (i.e. Lot 1: 196sqm and Lot 101: 398.4sqm) are both already under-sized compared to the existing minimum allotment size prescribed in HLEP 2012. The proposed boundary adjustment only seeks to adjust the boundary to provide equal allotment sizes upon which to construct new semi-detached dwellings.
Is the planning control in question a development standard?
48. The objectives of Clause 4.6(3)(a) are as follows:
(3) Development consent must not be granted for development that contravenes a development standard unless the consent authority has considered a written request from the applicant that seeks to justify the contravention of the development standard by demonstrating—
(a) that compliance with the development standard is unreasonable or unnecessary in the circumstances of the case, and;
(b) that there are sufficient environmental planning grounds to justify contravening the development standard.
49. Council Comment: To support the non-compliance, the applicant has provided a request for a variation to Clause 4.1 in accordance with Clause 4.6 of HLEP 2012 as Clause 4.1 is a development standard. The Clause 4.6 request for variation is assessed as follows;
What are the underlying objectives of the development standard?
50. The objectives of the lot size development standard set out in Clause 4.1(1) of HLEP 2012 are as follows:
4.1 Minimum subdivision lot size
(1) The objectives of this clause are as follows—
(a) to retain the pattern of subdivision in residential zones while allowing infill development of smaller lots in some areas,
(b) to ensure lots have a minimum size that would be sufficient to provide useable area for building and landscaping,
(c) to require larger lots in the foreshore area or where the topography or other natural features of the site limit its subdivision potential.
Compliance is unreasonable or unnecessary in the circumstances of the case (clause 4.6(3)(a))
51. There have been several Court cases that have established provisions in which to assess Clause 4.6 statements to ensure they are well founded and address the provisions of Clause 4.6.
52. In Wehbe V Pittwater Council (2007) NSW LEC 827 Preston CJ sets out ways of establishing that compliance with a development standard is unreasonable or unnecessary. This list is not exhaustive. It states, inter alia:
53. “An objection under SEPP 1 may be well founded and be consistent with the aims set out in clause 3 of the Policy in a variety of ways. The most commonly invoked way is to establish that compliance with the development standard is unreasonable or unnecessary because the objectives of the development standard are achieved notwithstanding non-compliance with the standard.”
54. The judgement goes on to state that:
55. “The rationale is that development standards are not ends in themselves but means of achieving ends. The ends are environmental or planning objectives. Compliance with a development standard is fixed as the usual means by which the relevant environmental or planning objective is able to be achieved. However, if the proposed development proffers an alternative means of achieving the objective strict compliance with the standard would be unnecessary (it is achieved anyway) and unreasonable (no purpose would be served).”
56. Preston CJ in the judgement then expressed the view that there are 5 different ways in which an objection may be well founded and that approval of the objection may be consistent with the aims of the policy, as follows (with emphasis placed on number 1 for the purposes of this Clause 4.6 variation [our underline]):
1. “The objectives of the standard are achieved notwithstanding non-compliance with the standard;
2. The underlying objective or purpose of the standard is not relevant to the development and therefore compliance is unnecessary;
3. The underlying object or purpose would be defeated or thwarted if compliance was required and therefore compliance is unreasonable;
4. The development standard has been virtually abandoned or destroyed by the Council's own actions in granting consents departing from the standard and hence compliance with the standard is unnecessary and unreasonable;
5. The zoning of the particular land is unreasonable or inappropriate so that a development standard appropriate for that zoning is also unreasonable and unnecessary as it applies to the land and compliance with the standard that would be unreasonable or unnecessary. That is, the particular parcel of land should not have been included in the particular zone.”
57. The statement was prepared in consideration of the recent court cases and their judgements.
58. Applicant’s Comment: “The NSW Land and Environment Court in Four2Five Pty Ltd v Ashfield Council [2015] NSWLEC90, considered how this question may be answered and referred to the earlier Court decision in Wehbe v Pittwater Council [2007] NSW LEC 827. Under Wehbe, the most common way of demonstrating that compliance is unreasonable or unnecessary, was whether the objectives of the standard were still met despite the contravention of that standard.
59. The following discussion provides a response to the relevant "tests" of the 5-part Wehbe test, remembering only one (1) of the tests has to be achieved, not all five (5).
60. Compliance with the minimum 450.0sqm site area is unreasonable or unnecessary in the circumstances of this case because, as explained in the table below, the objectives of the development standard are achieved, notwithstanding non-compliance with the standard.
(a) to retain the pattern of subdivision in residential zones while allowing infill development of smaller lots in some areas,
Applicant Comment: The proposed boundary adjustment will retain the existing subdivision pattern in the residential zone, and specifically the immediate surrounding environment, whilst allowing infill development.
Officer Comment: Council’s mapping system indicates similar subdivision patterns along Dora Street and Carrington Avenue. Furthermore, as the proposal relate to a boundary adjustment of an existing a lot where building entitlements currently exist the proposal will result in a better outcome in terms of pattern, built form and streetscape.
(b) to ensure lots have a minimum size that would be sufficient to provide useable area for building and landscaping,
Comment: The current allotments Lot 1, is only 5.03m metres wide with a site area of 196.0sqm, which renders it insufficient to provide usable area for building an landscaping. The boundary adjustment will provide for sufficient useable area for building and landscaping.
Officer Comment: To ensure compliance with the Australian Standards and Council’s Development Control Plan; the proposed subdivision pattern of a 7m frontage for each lot is suitable for the subject site. The proposed development also seeks approval for landscaping works within the front setback of the site; which provides comfortable articulation to the streetscape along Carrington Avenue. Furthermore, as discussed previously the proposal relate to a boundary adjustment of an existing a lot where building entitlements currently exist the proposal will result in a better outcome in terms of pattern, built form and streetscape.
(c) to require larger lots in the foreshore area or where the topography or other natural features of the site limit its subdivision potential.
Comment: The site is not located within foreshore area. The topography is considered to be relatively flat with no specific natural features of the site limiting the subdivision / boundary adjustment.”
61. Council Comment: The proposed development contains an established dwelling and the reduction in lot size will not impact the site functionality as semi-detached dwellings are permitted within the zone and the proposal will not result in any adverse impact on the streetscape presentation.
62. The site and adjoining properties are developed and the existing pattern of development and the existing streetscape will be unaltered as a result of the boundary adjustment. The boundary adjustment will facilitate an even frontage to Carrington Avenue to enable appropriate access to each site. The proposed development is considered to satisfy the objectives of the development standard by providing additional residential accommodation.
Clause 4.6(3)(b) are there sufficient environmental planning grounds to justify contravening the standard
63. Having regard to Clause 4.6(3)(b) and the need to demonstrate that there are sufficient environmental planning grounds to justify contravening the development standard, it is considered that there is an absence of any negative impacts of the proposed non-compliance on the environmental quality of the locality and amenity of adjoining properties.
64. Clause 4.6(4) states that:
“Development consent must not be granted for development that contravenes a development standard unless:
(a) the consent authority is satisfied that:
(i) the applicant’s written request has adequately addressed the matters required to be demonstrated by subclause (3), and”
(ii) the proposed development will be in the public interest because it is consistent with the objectives of the particular standard and the objectives for development within the zone in which the development is proposed to be carried out,”
65. Applicant’s comment: “The breach of the standard allows for a development that is consistent with the desired future character of the area which is going through a transition. It is consistent in the transition of perceived site area; and
66. The proposal complies with the maximum permissible floor space ratio for the site, provides a better designed building which results in improved amenity for the residents of the development and those adjoining. It is a better allocation of floor space across the sites, avoiding a short/squat built-form, thus maintaining the human scale at street level.
67. Compliance with the standard would be unreasonable or unnecessary, due to the existing controls being virtually abandoned or destroyed from previous consents being granted.
o The subject allotment is unique in configuration and size, narrower isolated site. The boundary adjustment will allow for a visually interesting building, that achieves high quality design for the occupants of the development and little impact on the adjoining residents,
o The proposed new allotments are compatible with the existing development and subdivision pattern in the immediate context of the environment and with the emerging pattern of development in the locality.
o There will be no loss to any 'significant' views as a result of the breach of the standard,
o The shadow diagrams that form part of this Development Application indicate that the area of non-compliance with the lot size will not have an adverse impact on solar amenity or overshadowing,
o It is considered that the proposed non-compliances with the lot area does not result in any unreasonable impact and is appropriate for the orderly and economic use of the land, and
o The proposed development results in an improved urban design outcome and enhanced compliance.
The environmental planning benefits that are facilitated by the variation of the minimum lot size relate to a boundary adjustment and the achievement of the desired future character of the precinct.
It enables the provision of a generous street setback and the creation of a modest residential dwelling. The variation also facilitates the provision of generous building articulation.”
Officer Comment: The proposed development is compliant with Council’s LEP and DCP Controls with the exception of the minimum lot size – which as identified is an existing non-compliance and an existing building entitlement on the separate allotments. The submitted Statement of Environmental Effects (SEE) accompanied with the Development Application (DA) provides a holistic environmental planning assessment of the proposed development and concludes that there are sufficient environmental planning grounds to support the development.
Council can conclude from its assessment that the outcome is appropriate on environmental planning grounds the proposal will result in a better outcome in terms of pattern, built form and streetscape..
Whether contravention of the development standard raises any matter of significance for State or regional environmental planning (Clause 4.6(5)(a))
68. Applicant Comment: “There is no identified outcome which would be prejudicial to planning matters of state or regional significance that would result as a consequence of varying the development standard as proposed by this application.”
69. Council Comment: Contravention of the lots size control development standard proposed by this application does not raise any matter of significance for State or regional environmental planning.
The public benefit in maintaining the development standard (Clause 4.6(5)(b))
70. Applicant Comment: “The proposed breach of the standard facilitates public benefits through a built form outcome that achieves the desired urban design principles. The proposal provides generous setbacks and articulation, resulting in a building that will provide an improved relationship to the public domain. It is also consistent with the objectives of the zone.
71. The breach of the standard does not result in any adverse environmental impacts to the public domain or surrounding properties. Accordingly, there is no public benefit in maintaining strict compliance with the development standard given that there are no unreasonable impacts that will result from the variation to the minimum lot size standard and hence there are very minor disadvantages. We therefore conclude that the benefits of the proposal outweigh any disadvantage and as such the proposal will have an overall public benefit.”
72. Council Comment: Is noted that in Initial Action Pty Ltd v Woollahra Municipal Council [2018] NSWLEC 118, Preston CJ clarified what items a Clause 4.6 does and does not need to satisfy. Importantly, there does not need to be a "better" planning outcome resulting from the non-compliance.
73. Clause 4.6 does not directly or indirectly establish a test that the non-compliant development should have a neutral or beneficial effect relative to a compliant development.
74. The second matter was in cl 4.6(3)(b), where the Commissioner applied the wrong test in considering this matter by requiring that the development result in a "better environmental planning outcome for the site" relative to a compliant development. Clause 4.6 does not directly or indirectly establish this test. The requirement in cl 4.6(3)(b) is that there are sufficient environmental planning grounds to justify contravening the development standard, not that the development that contravenes the development standard have a better environmental planning outcome than a development that complies with the development standard.
75. Officer Comment: There will be no adverse amenity impacts generated by the variation and the proposal satisfies the objectives of the zone and the development standard. In this case the justification to vary the minimum subdivision lot size control is considered to be a reasonable and a well-founded request to enable an equitable distribution of land for the orderly development of the lots, the Clause 4.6 is recommended to be supported.
Development Control Plans
Hurstville Development Control Plan No 1 – LGA Wide
76. The proposed development is subject to the provisions of Hurstville Development Control Plan No 1 - 2018. The following comments are made with respect to the proposal considering the objectives and controls contained within Hurstville DCP No 1.
|
DCP Control |
Standards |
Proposal |
Complies |
|
3.0 General Planning Considerations |
|||
|
Underground/ Basement
Parking Areas |
DS1.11 Underground parking areas are to be concentrated under building footprints so as to maximise deep soil landscaping. |
Proposed basement is wholly located below the building footprint and is limited to the front potion of the site to minimize earthworks and impact on the environment and the amenity of neighbours. |
Complies |
|
|
DS1.12 Driveways to underground car parks are to be designed so as to minimise the visual impact on the street, and to maximise pedestrian safety. Pedestrian access to the development should be separate and clearly defined. |
Driveway has been designed in accordance with Australian Standard 2890.1-2004 and is of a modest street width to minimize the impact on pedestrian movement, street safety, and on street parking spaces. Pedestrian access to the site is separate from the driveway to maximize safety. |
Complies |
|
|
DS1.13 Access ways to underground car parking areas is to be located away from doors and windows to habitable rooms wherever possible. |
Access to basement parking is located away from habitable rooms, doors and windows. |
Complies |
|
|
DS1.14 Basement car parking is preferable in commercial and residential flat buildings. |
Although this development type is not commercial or a residential flat building, the proposed basement maximizes the usable space available to the site; particularly due to the limitations of the lot sizes. |
Complies |
|
Performance Criteria |
Design Solution |
|||
|
4.4 Dwelling Houses on Standard lots |
||||
|
Neighbourhood Character |
||||
|
Clause |
Requirement |
Proposed |
Complies |
|
|
PC1. Development is sited and designed to respect existing neighbourhood and streetscape character. |
DS1.1 The development application is supported by a Statement of Environmental Effects. |
An acceptable Statement of Environmental Effects has been lodged with the DA. |
Yes |
|
|
Building Height |
||||
|
PC2. Building height:
|
DS2.1 Maximum building height is in accordance with the LEP
DS2.2 Maximum ceiling height is 7.2m above the existing ground level vertically below that point.
DS2.3 For flat roofed dwellings, maximum height to the top of the parapet of the building is:
a. 7.8m above the existing ground level vertically below that point.
|
7.4m height for Lot 101; and 7.7m height limit for Lot 1
Semi-detached dwelling on Lot 101: The proposed maximum ceiling height above the existing ground level is 6.31m.
Semi-detached dwelling on Lot 1: The proposed maximum ceiling height above the existing ground level is 7.08m.
Semi-detached dwelling on Lot 1: Maximum height to the top of the parapet is 7.7m.
Semi-detached dwelling on Lot 101: Maximum height to the top of the parapet is 7.4m. |
Yes
Yes
Yes
Yes
Yes |
|
|
Setbacks |
||||
|
PC3. Setbacks:
|
DS3.1 Minimum setback from the primary street boundary is:
a. 4.5m to the main building face
b. 5.5m to the front wall of garage, carport roof or onsite parking space (Refer Figure 2)
DS3.3 For properties 15m or less in width, the minimum setback to a secondary street boundary is in accordance with the side boundary setback requirements.
DS3.4. The minimum side setback outside the FSPA is 900mm (ground floor) and 1.2m (first floor)
DS3.6 Minimum rear boundary setbacks are:
a. 3m for any basement and ground floor level solid wall
b. 6m for first floor level solid walls
c. where a first floor balcony is proposed at the rear, 6m from the balustrade.
|
Semi-detached dwelling on Lot 1: 5.5m
Semi-detached dwelling on Lot 101: 5.5m
Semi-detached dwelling on Lot 1: 5.5m
Semi-detached dwelling on Lot 101: 5.5m
N/A
Semi-detached dwelling on Lot 101: 900m (ground floor), 1200mm first floor; and
Semi-detached dwelling on Lot 1: 900m (ground floor), 1200mm first floor
Semi-detached dwelling on Lot 1: 7.3m; and
Semi-detached dwelling on Lot 101: 7.3m
Semi-detached dwelling on Lot 101: 16.6m; and
Semi-detached dwelling on Lot 1: 16.6m.
Semi-detached dwelling on Lot 101: 12m; and
Semi-detached dwelling on Lot 1: 12m |
Yes
Yes
Yes
Yes
Yes
Yes
Yes
Yes
Yes
Yes
Yes |
|
|
Facades |
||||
|
PC4. Facades:
a. reduce the appearance of building scale and bulk
b. facilitate engagement with and activation of open space along the street
c. achieve a high level of design and architectural quality
|
DS4.1 The dwelling house has a front door or window to a habitable room facing the primary street frontage.
DS4.2 The dwelling house incorporates at least two of the following building elements facing any street frontage:
a. entry feature or portico b. awnings or other features over windows c. eaves and sun shading d. window planter box treatment e. bay windows or similar features f. wall offsets, balconies, verandas, pergolas or the like
DS4.3 Garage doors are not wider than 6m. |
Each semi-detached dwelling includes a front door and a window to a habitable room facing the primary street.
Dwelling incorporates an entry feature and balconies.
Entry feature;
N/A
Eaves
N/A
Windows
Balconies (Front and Rear)
Garage doors do not exceed 6m. |
Yes
Yes
Yes
Yes
Yes
Yes
Yes
Yes
Yes |
|
|
Views |
||||
|
PC5. Development is sited and designed to facilitate view sharing while not restricting the reasonable development of the site. |
DS5.1 No design solution is provided and each development application will be assessed on its individual merits.
|
N/A |
Yes |
|
|
Solar Access |
||||
|
PC6. Development ensures an appropriate amount of solar access to main living areas and areas of principal private open space within the site and adjoining sites.
|
DS6.1 Development allows for at least 3 hours of sunlight on the windows of main living areas and adjoining principal private open space of adjacent dwellings between 9.00 am and 3.00 pm on 21 June.
Note 2: Exemptions will be considered for developments that comply with all other requirements but are located on sites with an east-west orientation.
DS6.2 Development complies with the
Energy Efficiency section in Appendix 1 of this DCP and BASIX requirements. |
Shadow diagrams have been submitted with the Development Application.
The development allows for at least 3 hours of sunlight on adjoining principal private open space of adjacent dwellings between 9.00am and 3.00pm on 21 June.
Due to the north east/south west orientation of the site solar amenity to properties located to the south will be impacted.
The development is well within the height and floor space ratio limits and solar access to adjoining neighbours has been taken into consideration as part of the overall design of the development. The rear of the allotments achieve acceptable levels of sunlight which are the recreation areas of the development.
BASIX Certification has been submitted showing compliance for the dwellings.
|
Yes
Yes
Yes
Yes
Yes |
|
|
Visual Privacy |
||||
|
PC7. Development minimises direct overlooking between main living areas and areas of principal private open space within the site and adjoining sites
|
DS7.1 Windows of proposed dwelling must be offset from neighbouring windows by 1m, especially windows of high-use rooms.
DS7.2 Windows for primary living rooms must be designed so that they maintain privacy of adjoining site’s principal private open space. |
Windows of the proposed first floor addition are considered to be offset and adequately separated.
Complies. |
Yes
Yes |
|
|
Noise |
||||
|
PC8. Habitable rooms, in particular bedrooms, are not subject to unreasonable noise
|
DS8.1 Noise generators such as plant and machinery including air conditioning units and pool pumps are located away from windows or other openings of habitable rooms and are screened to reduce noise or acoustically enclosed. |
No plant nominated. |
Yes |
|
|
Vehicle access, parking and manoeuvring |
||||
|
PC9. Car parking is provided on site and:
|
DS.9.1 Car parking is provided on site in accordance with the following minimum rates:
b. for 3 or more bedroom dwellings, 2 car parking spaces
DS.9.2 For all new dwellings, at least 1 car space must be located behind the front building setback
DS.9.3 Enclosed or roofed car accommodation, including garages and carports, are located at least 1m behind the main setback.
DS.9.6 Vehicular crossing width at the front property boundary is between 2.7 and 4.5m in width. |
Two (2) car parking provided per dwelling; in the form of a garage space and a hardstand area.
One (1) car space is located behind the front building line.
Not applicable.
3.5m this will be endorsed via a condition of consent.
|
Yes
Yes
Yes
Yes
Yes |
|
|
Landscaped areas and private open space |
||||
|
PC10. Landscaped open space is provided on site and:
|
DS10.1 Where located outside the FSPA, a minimum of 20% of site area is landscaped open space.
DS10.3 The minimum dimension of landscaped open space is 2m in any direction.
DS10.4 A minimum of 15m2 of the landscaped open space is provided between the front setback and the street boundary in the form of a front yard.
DS10.5 An area of Principal Private Open Space is to be provided which:
a. has a minimum area of 30sqm
b. has a minimum dimension of 5m
c. is located at ground level and behind the front wall of the dwelling
d. is directly accessible from a main living area |
Semi-detached dwelling on Lot 1: 107.06sqm or 35.45%; and Semi-detached dwelling on Lot 101: 107.06sqm or 35.45%
Provided. The allotments provide 2m in any direction;
Provided, as per the submitted landscape plan.
Semi-detached dwelling on Lot 1: 107.06sqm or 35.45%; and
Semi-detached dwelling on Lot 101: 107.06sqm or 35.45%
Minimum dimension of 5.0m
Located at ground level
Is accessible from the main living area. |
Yes
Yes
Yes
Yes
Yes
Yes
Yes
Yes
Yes |
|
|
Stormwater |
||||
|
PC11. Stormwater management is provided on site:
|
DS11.1 Diversion of flows from one drainage sub-catchment to another is not encouraged.
DS11.2 Stormwater drainage is to occur by:
a. drainage by gravity to the adjacent road kerb and Council’s drainage system |
The proposed development was referred to Council’s Drainage Engineer, who has supported the proposed development subject to conditions of consent. |
Yes |
|
|
PC12. Basement |
||||
|
|
DS12.2 Basement do not protrude more than 1m above existing ground level at any point. |
Maximum 1m. |
Complies |
|
|
|
DS13.3 Only one driveway access is permitted
|
One main driveway access shared between both semi-detached dwellings, with one internal driveway per garage. |
Complies |
|
|
|
DS12.4 Driveway ramps providing access to basement garage is perpendicular to the property boundary at the street frontage. |
Driveway providing access to garage is perpendicular to the street frontage. |
Complies |
|
|
|
DS12.5 Exempt for driveway access, other access to the basement is through internal stairs or lifts within the dwelling house |
Access to the basement is only internal and through the driveway access ramp. |
Complies |
|
|
|
DS12.6 Access to the basement from external access stairs is not permitted. |
No external stairs proposed. |
Complies |
|
|
|
DS12.8 Maximum internal floor to ceiling height is 2.4m. |
2.4m |
Complies |
|
|
Balconies and Terraces |
||||
|
PC14. Balconies and terraces:
|
DS14.2 balconies and terraces include fixed planter boxes and or privacy screens.
|
Rear balconies provide privacy screens to both side facades to minimise overlooking and privacy impacts to adjoining properties. |
Complies |
|
IMPACTS
77. Natural Environment
The proposed development is not considered to have a significant impact on the natural environment of the locality.
78. Built Environment
The proposed development is unlikely to result in adverse impacts on the built environment.
79. Social Environment
The proposal is unlikely to result in any adverse social impacts given the design and residential use of the site.
80. Economic Impact
The proposal is unlikely to result to generate any adverse economic impacts given the residential nature of the development.
81. The suitability of the site for the development
It is considered that the proposed development is suitable for the site having regard to its size and shape, its topography, vegetation and relationship to adjoining developments.
SUBMISSIONS AND THE PUBLIC INTEREST
82. In accordance with the provisions of Councils Public Notification process, the application was placed on neighbour notification between 25 January 2019 to 11 February 2019 where adjoining property owners were notified in writing of the proposal and invited to comment. One (1) submission was received against the proposed development.
83. One (1) submission was received which has been summarised and paraphrased below.
Overshadowing Impacts, Privacy and Boundary Configuration
“I am writing in reference to a letter I received in my mail this afternoon. This letter was a notice on the proposed development … The application number is DA2018/0573 and the address of the property is 268 Carrington Avenue Hurstville NSW 2220. … and I oppose of the proposal because of the following reasons:
1. As stated in the letter, the new property will consist of two semi-detached
dwellings which will be over 6 metres high. Due to this … will lack
sunlight and as a result, be dark.
2. As a reference to point 1, the height of the dwelling will make it an
invasion of privacy for my family as they can easily view many our
bedrooms.
3. The letter also stated boundary adjustment but it was not specified the
exact distance or whether they will make the building closer or further. The
width of their land is about 15m and if they were to build two semi-detached
dwellings, there is no doubt they would come very close to our boundary, and
once again give us a lack of privacy.”
84. Council’s Comment: The adjoining property to the west accommodates a dwelling house on an allotment with a west-east orientation, with a series of window openings on the southern façade. Further, a series of solar panels occupy the east facing roof plane. In addition, the adjoining property to east provides a two storey dwelling with various windows along its western elevation.
85. The DA is accompanied by shadow diagrams which depicts the impacts of the proposed development in both plan and elevation form. The diagrams demonstrate there will be some additional overshadowing of the adjoining property during the mid-winter period. The overshadowing is predominately located within the allotment located directly east of the site (266 Carrington Avenue, Hurstville). The site will still achieve morning solar access during the period of 9am on 21 June (winter solstice).
86. The ‘boundary adjustment’ does not relate to any building works to the site or encroachment of any setbacks.
87. The boundary adjustment relates to Clause 4.1 of the Hurstville Local Environmental Plan; which has been addressed by the applicant and Council in the above report.
88. The proposed dwelling on the northern side is proposing two (2) windows on the ground floor; in which one (1) window is for the staircase - which is to be glazed and highlighted and the other one (1) to a dining room – which will not cause an impact to any adjoining neighbouring property, due to the windows being off-set from the adjoining neighbouring property. In addition, the adjoining development is a single storey and the proposed bedrooms have been orientated to northern aspect of the site to achieve appropriate solar access. The proposal is consistent with Council’s planning controls in relation to privacy and the development is not considered to be unreasonable on merit in the circumstances of this case given the scale and type of development proposed.
Development Contributions
89. The proposed development is subject to a contribution fee. The contributions have been levied on the subject development pursuant to the provisions of the Georges River Council Contributions Plan. Contributions have been levied on the subject development by way of condition of consent, pursuant to the Georges River Council – Contributions Plan with a total fee to paid – prior to the issue of a Construction Certificate of $7,480.00
CONCLUSION
90. The application has been assessed having regard to the Matters for Consideration under Section 4.15 (1) of the Environmental Planning and Assessment Act 1979, the provisions of the Hurstville Local Environmental Plan 2012 and Hurstville Development Control Plan No. 1.
91. The proposal meets the objectives of the minimum subdivision lot size development standard and the Clause 4.6 variation request is considered to be well founded and satisfies the provisions and requirements of Clause 4.6 of Hurstville LEP 2012.
92. Following a detailed assessment it is considered that Development Application No. DA2018/0573 should be approved subject to the recommended conditions.
DETERMINATION AND STATEMENT OF REASONS
93. Statement of Reasons
a) The request to vary the development standard in relation to the minimum subdivision lot size is well founded and worthy of support;
b) The proposed development is considered to be appropriate for the site and the character of the locality. Subject to the implementation of the recommended conditions, the development will have no unacceptable adverse impacts upon the natural or built environment; and
c) In consideration of the aforementioned reasons, the proposed development is a suitable and planned use of the site and its approval is not inconsistent with the public interest.
94. Determination
THAT pursuant to Section 4.16(1) of the Environmental Planning and Assessment Act 1979 (as amended) the Georges River Local Planning Panel accept the Clause 4.6 Variation to the lots size criterion and grant development consent to Development Application DA2018/0573 for demolition, boundary adjustment and construction of two x 2 storey semi-detached dwellings including landscaping and site works at Lot 101 and Lot 1 in DP 3406 and DP 104955 and known as 268 Carrington Street, Hurstville, subject to the following conditions of consent:
Section A Development Details
1. Approved Plans - The development must be implemented in accordance with the approved plans and supporting documentation listed below which have been endorsed by Council’s approved stamp, except where marked up on the plans and/or amended by conditions of this consent:
|
Description |
Reference No. |
Date |
Revision |
Prepared by |
|
Demolition Plan |
A01 - P151 |
June 2018 |
1 |
M. Iskander |
|
Site Plan/Analysis Plan |
A02- P151 |
June 2018 |
1 |
M. Iskander |
|
Boundary Adjustment Plan |
A03- P151 |
June 2018 |
1 |
M. Iskander |
|
Proposed Basement Plan |
A04 - P151 |
June 2018 |
1 |
M. Iskander |
|
Proposed Ground Floor Plan |
A05- P151 |
June 2018 |
1 |
M. Iskander |
|
Proposed First Floor Plan |
A06- P151 |
June 2018 |
1 |
M. Iskander |
|
Elevations 1 – 3 |
A07- P151 |
June 2018 |
1 |
M. Iskander |
|
Elevations 2 – 3 |
A08- P151 |
June 2018 |
1 |
M. Iskander |
|
Elevations 3 – 3 |
A09 - |
June 2018 |
1 |
M. Iskander |
|
Sections |
A010 - |
June 2018 |
1 |
M. Iskander |
|
Schedule of Finishes |
A011- |
June 2018 |
1 |
M. Iskander |
|
Concept Landscape Plan |
A021- |
June 2018 |
1 |
M. Iskander |
Section B Separate Approvals Required Under Other Legislation
2. Section 138 Roads Act 1993 and Section 68 Local Government Act 1993 - Unless otherwise specified by a condition of this consent, this Development Consent does not give any approval to undertake works on public infrastructure.
Separate approval is required under Section 138 of the Roads Act 1993 and/or Section 68 of the Local Government Act 1993 for any of the following activities carried out in, on or over a public road (including the footpath) listed below.
An application is required to be lodged and approved prior to the commencement of any of the following works or activities;
(a) Placing or storing materials or equipment;
(b) Placing or storing waste containers or skip bins;
(c) Erecting a structure or carrying out work
(d) Swinging or hoisting goods over any part of a public road by means of a lift, crane or the like;
(e) Pumping concrete from a public road;
(f) Pumping water from the site into the public road;
(g) Constructing a vehicular crossing or footpath;
(h) Establishing a “works zone”;
(i) Digging up or disturbing the surface of a public road (eg Opening the road for the purpose of connections to utility providers);
(j) Stormwater and ancillary works in the road reserve;
(k) Stormwater and ancillary to public infrastructure on private land; and
(l) If any excavation is to be supported by the use of below ground (cable) anchors that are constructed under Council’s roadways/footways.
These separate activity approvals must be obtained and evidence of the approval provided to the Certifying Authority prior to the issue of the Construction Certificate.
The relevant Application Forms for these activities can be downloaded from Council’s website www.georgesriver.nsw.gov.au. For further information, please contact Council’s Customer Service Centre on (02) 9330 6400.
3. Vehicular Crossing - Minor Development - Constructing a vehicular crossing and/or footpath requires a separate approval under Section 138 of the Roads Act 1993 prior to the commencement of those works.
To apply for approval, complete the Driveway Crossing on Council Road Reserve Application Form which can be downloaded from Georges River Council’s Website at www.georgesriver.nsw.gov.au. Lodge the application form, together with the associated fees at Council’s Customer Service Centre, during business hours. Refer to Section P1 and P2, in Council’s adopted Fees and Charges for the administrative and inspection charges associated with Vehicular Crossing applications.
An approval for a new or modified vehicular crossing will contain the approved access and/or alignment levels which will be required to construct the crossing and/or footpath. Once approved, all work shall be carried out in accordance with Council’s specifications applicable at the time, prior to the issue of an Occupation Certificate.
Section C Requirements of Concurrence, Integrated & Other Government Authorities
4. Sydney Water - Tap in TM - The approved plans must be submitted to a Sydney Water Tap in TM to determine whether the development application will affect Sydney Water’s sewer and water mains, stormwater drains and/or easements, and if further requirements need to be met. The approved plans will be appropriately endorsed. For details please refer to ‘Plumbing, building and developing’ section of Sydney Water’s web site at www.sydneywater.com.au then see ‘Building’, or telephone 13000 TAP IN (1300 082 746). The Certifying Authority must ensure that a Tap in TM agent has appropriately stamped the plans prior to the issue of the Construction Certificate.
5. Notice of Requirements for a Section 73 Certificate - A Notice of Requirements of what will eventually be required when issuing a Section 73 Compliance Certificate under the Sydney Water Act 1994 must be obtained from Sydney Water Corporation. Application must be made through an authorised Water Servicing Co-ordinator. Please refer to the ‘Plumbing, building and developing’ section of the web site www.sydneywater.com.au then refer to ‘Providers’ under ‘Developing’ or telephone 13 20 92 for assistance.
Following application, a ‘Notice of Requirements’ will advise of water and sewer infrastructure to be built and charges to be paid. Please make early contact with the Co-ordinator, as it can take some time to build water/sewer pipes and this may impact on other services and building, driveway or landscape design.
The Notice of requirements must be submitted prior to the commencement of work. A Section 73 Compliance Certificate will be required at the completion of development in accordance with further conditions.
Section D Prior to the Issue of a Construction Certificate
6. Fees to be paid - The fees listed in the table below must be paid in accordance with the conditions of this consent and Council’s adopted Fees and Charges applicable at the time of payment (available at www.georgesriver.nsw.gov.au).
Payments must be made prior to the issue of the Construction Certificate or prior to the commencement of work (if there is no associated Construction Certificate).
Please contact Council prior to the payment of Section 7.11 Contributions to determine whether the amounts have been indexed from that indicated below in this consent and the form of payment that will be accepted by Council.
Council will only accept Bank Cheque or Electronic Funds Transfer (EFT) for transaction values of $500,000 or over. Council must be contacted prior to payment to determine correct total amount to be paid and bank account details (if applicable).
A summary of the fees to be paid are listed below:
|
Fee Type |
Fee |
|
GENERAL FEES |
|
|
Long Service Levy (to Long Service Corporation) Or, provide evidence of Payment direct to the Long Service Corporation. See https://portal.longservice.nsw.gov.au/bci/levy/ |
|
|
Builders Damage Deposit |
$1,900.00 |
|
Inspection Fee for Refund of Damage Deposit |
$155.00 |
|
Georges River Council Section 94A Development Contributions Plan 2017 |
$ 7,480.00 |
General Fees
The fees and charges above are subject to change and are as set out in the version of Council's Schedule of Fees and Charges or as required by other Government Authorities, applicable at the time of payment.
Development Contributions
The Section 7.11 contribution is imposed to ensure that the development makes adequate provision for the demand it generates for public amenities and public services within the area.
A Section 7.12 contribution has been levied on the subject development pursuant to the Georges River Council Section 94A Contributions Plan.
Indexation
The above contributions will be adjusted at the time of payment to reflect changes in the cost of delivering public amenities and public services, in accordance with the indices provided by the relevant Section 94 Development Contributions Plan.
Timing of Payment
The contribution must be paid and receipted by Council, prior to the release of the Construction Certificate.
Further Information
A copy of the all current Development Contributions Plans may be inspected or a copy purchased at Council’s offices (Georges River Civic Centre, MacMahon Street, Hurstville and Kogarah Library and Service Centre, Kogarah Town Square, Belgrave Street, Kogarah) or viewed on Council’s website www.georgesriver.nsw.gov.au.
7. Damage Deposit - Minor Works - In order to insure against damage to Council property the following is required:
(a) Pay Council, before the issue of the Construction Certificate, a damage deposit for the cost of making good any damage caused to any Council property as a result of the development: $1,900.00
(b) Pay Council, before the issue of the Construction Certificate, a non-refundable inspection fee to enable assessment of any damage and repairs where required: $155.00
(c) Submit to Council, before the commencement of work, a photographic record of the condition of the Council nature strip, footpath and driveway crossing, or any area likely to be affected by the proposal.
At the completion of work Council will inspect the public works, and the damage deposit will be refunded in full upon completion of work where no damage occurs. Otherwise the amount will be either forfeited or partly refunded according to the amount of damage.
8. BASIX Commitments - All energy efficiency measures as detailed in the BASIX Certificate must be implemented on the plans lodged with the application for the Construction Certificate.
9. Site Management Plan - A Site Management Plan detailing all weather access control points, sedimentation controls, fencing, builder’s site sheds office, amenities, materials storage and unloading arrangements must be submitted with the application for the Construction Certificate.
10. Erosion & Sedimentation Control - Erosion and sediment controls must be provided to ensure:
(a) Compliance with the approved Erosion & Sediment Control Plan
(b) Removal or disturbance of vegetation and top soil is confined to within 3m of the approved building area (no trees to be removed without approval)
(c) All clean water runoff is diverted around cleared or exposed areas
(d) Silt fences, stabilised entry/exit points or other devices are installed to prevent sediment from entering drainage systems or waterways
(e) All erosion and sediment controls are fully maintained for the duration of demolition, excavation and/or development works
(f) Controls are put into place to prevent tracking of sediment by vehicles onto adjoining roadway
(g) All disturbed areas are rendered erosion-resistant by turfing, mulching, paving or similar
(h) Compliance with Managing Urban Stormwater - Soils and Construction (Blue Book) produced by Landcom 2004.
These measures are to be implemented prior to the commencement of work (including demolition and excavation) and must remain until works are completed and all exposed surfaces are landscaped/sealed.
11. Traffic Management - Compliance with AS2890 - All driveways, access ramps, vehicular crossings and car parking spaces shall be designed and constructed in accordance with the current version of Australian Standards, AS 2890.1 (for car parking facilities) and AS 2890.2 (for commercial vehicle facilities).
12. Waste Management Plan - A Waste Management Plan incorporating all requirements in respect of the provision of waste storage facilities, removal of all materials from the site that are the result of site clearing, extraction, and, or demolition works and the designated Waste Management Facility shall be submitted to the Certifying Authority prior to the issue of any Construction Certificate.
13. Required design changes - The following changes are required to be made and shown on the Construction Certificate. The submitted concept hydraulic plan shall be amended to include –
1. On Site Detention System (OSD)
A system that processes runoff from a minimum of 80% of the site area, including roof and pavement runoff, drains by gravity to Council’s underground drainage system, and comprises
Either
(i) Detention basins on the ground surface,
Or
(ii) below ground tanks.
There is to be a minimum freeboard of 300mm above the top water surface level and the finished floor level of the dwellings.
2. Grated trench drains
Provision is to be made at the lower end of the vehicle entrance ramp to the basement for the interception of all driveway runoff.
3. Connection of the development stormwater disposal pipeline to Council’s underground drainage system in Carrington Avenue.
4. Full details of downpipes, surface inlet pits and silt arrestor pit with permanent galvanised mesh litter trap.
5. Basement ramp crest levels, and ramp retaining walls levels providing protection of the basement from surface flows in a 1:100yr ARI storm event.
The design of the proposed drainage system with these design changes must be prepared by a professional engineer who specialises in hydraulic engineering, and be submitted for approval with the Construction Certificate Application.
14. Stormwater System - The submitted stormwater plan has been assessed as a concept plan only. Final detailed plans of the drainage system, prepared by a professional engineer specialising in hydraulic engineering, shall be submitted for approval with the Construction Certificate.
(a) All stormwater shall drain by gravity to the upper level of Council’s stormwater drainage pipeline located in Carrington Avenue in accordance with the Australian/New Zealand Standard AS/NZS 3500.3: 2015 (as amended).
(b) Stormwater drainage plans including pipe sizes, type, grade, length, invert levels, dimensions and types of drainage pits prepared by a professional engineer who specialises in Hydraulic Engineering in accordance with the Australian Institute of Engineers Australian Rainfall and Runoff (1987) and Council's Stormwater Drainage Guidelines, shall accompany the application for the Construction Certificate.
15. Stormwater Systems with Basement - The underground basement car park may pump to and all other stormwater must drain by gravity to Council’s stormwater pipeline in Carrington Avenue.
The design of the proposed drainage system must be prepared by a professional engineer who specialises in hydraulic engineering and be submitted for approval with the Construction Certificate application.
16. Protection of basement from inundation of stormwater waters - A crest is to be provided in the driveway, and driveway ramp retaining walls constructed to levels that provide protection of the underground basement from the inundation of surface waters in a 1:100yr ARI storm event.
Evidence from a professional engineer who specialises in hydraulic engineering that this design requirement has been adhered to shall be submitted with the Construction Certificate application.
17. On Site Detention - The submitted stormwater plan has been assessed as a concept plan only. Final detailed plans of the drainage system, prepared by a professional engineer specialising in hydraulic engineering, shall be submitted for approval with the Construction Certificate.
An on-site detention (OSD) facility designed by a professional engineer who specialises in Hydraulic Engineering must be designed, approved and installed. The design must include the computations of the inlet and outlet hydrographs and stage/storage relationships of the proposed OSD using the following design parameters:
(a) peak flow rates from the site are to be restricted to a permissible site discharge (PSD) equivalent to the discharge when assuming the site contained a single dwelling, garage, lawn and garden,
(b) at Annual Recurrence Intervals of 2 years and 100 years.
Refer to Flow Controls in Council's Draft/Adopted Stormwater Drainage Policy.
The OSD facility shall be designed to meet all legislated safety requirements and childproof safety fencing around the facility must be provided where the OSD facility is open or above ground when the design peak storage depth is greater than 300mm. A durable metal plate or similar sign is to be placed at the OSD facility and must bear the words:
"BEWARE: This is an on-site detention basin/tank for rainwater which could overflow during heavy storms."
Full details shall accompany the application for the Construction Certificate.
18. Detailed Stormwater Drainage Design - The submitted stormwater plan has been assessed as a concept plan only. A detailed drainage design supported by a catchment area plan and drainage calculations (including a Hydraulic Grade Line Analysis) must be submitted with the Construction Certificate application.
19. Pump-Out System Design for Stormwater Disposal - The design of the pump-out system for storm water disposal will be permitted for drainage of basement areas only, and must be designed in accordance with the following criteria:
(a) The pump system shall consist of two pumps, connected in parallel, with each pump being capable of emptying the holding tank at the rate equal to the rate of inflow for the one-hour duration storm. The holding tank shall be capable of holding one hour’s runoff from a one-hour duration storm of the 1 in 20 year storm;
(b) The pump system shall be regularly maintained and serviced, every six (6) months; and
(c) Any drainage disposal to Council’s drainage system from a pump system must have a stilling sump provided at the property line, connected to the underground pipeline in the street by a suitable gravity line.
Details and certification of compliance from a professional engineer specialising in civil engineering shall be provided for approval with the Construction Certificate application.
20. Stormwater Drainage Plan Details - Stormwater drainage plans including pipe sizes, type, grade, length, invert levels, dimensions and types of drainage pits prepared by a professional engineering specialising in hydraulic engineering shall be submitted with the Construction Certificate application.
These plans shall be prepared in accordance with the Australian Institute of Engineers Australian Rainfall and Runoff (1987) and Council's Hurstville Development Control Plan 1, Appendix 2.
21. Geotechnical report - The applicant must submit a Geotechnical Report, prepared by a professional engineer specialising in geotechnical engineering who holds the relevant Certificate of accreditation as required under the Building Professionals Act 2005 in relation to dilapidation reports, all site works and construction. This is to be submitted before the issue of the Construction Certificate and is to include:
a) Investigations certifying the stability of the site and specifying the design constraints to be placed on the foundation, any earthworks/stabilization works and any excavations.
b) Dilapidation Reports on the adjoining properties including, but not limited to (address) and (address) prior to any excavation of site works. The Dilapidation Report is to include assessments on, but not limited to, the dwellings at those addresses and any external paths, grounds etc. This must be submitted to the PCA and the adjoining residents as part of the application for the Construction Certificate. Adjoining residents are to be provided with the report five (5) working days prior to any works on the site.
c) On-site guidance by a vibration specialist during the early part of excavation to minimise impacts during construction.
d) Measures to minimise vibration damage and loss of support to other buildings. Where possible any excavation into rock is to be carried out with tools such as rock saws which reduce vibration to adjoining buildings and associated structures. Where a hydraulic hammer is to be used within 30 metres of any building (other than a path or a fence) the report shall detail the maximum size of hammer to be used and provide all reasonable recommendations to manage impacts.
e) Sides of the excavation are to be piered prior to any excavation occurring to reinforce the walls of the excavation to prevent any subsidence to the required setbacks and neighbouring sites.
22. Allocation of street addresses - In order to comply with AS/NZS 4819:2011 Rural and Urban Addressing, the NSW Addressing User Manual (Geographical Names Board of NSW) and Georges River Council’s requirements, the street addresses for the subject development is allocated as follows:
|
Dwelling description on plans |
Location within development |
Proposed street address to comply with AS/NZS 4819:2011 and NSW Addressing Manual |
|
Lot adjacent 270 Carrington Avenue Hurstville |
Northern dwelling |
268A Carrington Avenue HURSTVILLE NSW 2220 |
|
Lot adjacent 266 Carrington Avenue Hurstville |
Southern dwelling |
268 Carrington Avenue HURSTVILLE NSW 2220 |
Details indicating compliance with this condition must be shown on the plans lodged with any Construction Certificate for approval.
23. Landscape Plans - All landscape works shall be carried out in accordance with the approved landscape plans and specifications – Concept Landscape Plan”, reference numbers – P151, A21. The landscaping shall be maintained in accordance with the approved plans in perpetuity, subject to the following:
a) Two (2) of the four (4) trees shall be of differing species and be of Australian native species , pot/ bag size minimum 45 litre trees and be able to reach a height at maturity of nine (9) metres.
b) The proposed tree and plant species, pot/ bag size and quantities of plants shall be in accordance with the proposed plant schedule upon the landscape plan and reference above within “a”. If plant species, pot/ bag size and quantities cannot be sourced, Council shall be contacted for alternatives.
c) All trees proposed upon the approved landscape plan shall comply with NATSPEC Specifying Trees: a guide to assessment of tree quality (2003), and be planted and maintained in accordance with Councils standard specification.
d) If the planted trees and plants are found to be faulty, damaged, dying or dead within twelve (12) months of planting then they must be replaced with the same species. If the trees are found dead before they reach a height where they are protected by Councils Tree Management Controls, they must be replaced with the same species and pot/bag size.
e) A certificate of compliance for the planting of all trees and shrubs proposed for the site. An AQF 5 Horticulturist shall be engaged and in writing certify that all trees have been planted as per landscape plan and specifications and forwarded to the PCA – Principal Certifying Authority.
24. Tree Protection and Retention - The following trees shall be retained and protected:
|
Tree Species |
Location of Tree/Tree No. |
Tree Protection Zone (metres) Fencing distance from trunk |
|
Plumeria acutifolia Frangipani |
Within front side fence of 270 Carrington |
2.0 metres radially |
Details of the trees to be retained must be included on the Construction Certificate plans.
- The client shall engage a qualified Arborist who holds an AQF Level 5 or above in Arboriculture and who is a current financial member of Arboriculture Australia – AA and or Institute of Australian Consulting Arboriculturists – IACA
- A certificate of compliance for tree protection measures shall be completed and forwarded to the PCA – Principal Certifying Authority, before works, during works and once all building works have been completed, that tree protection measures have been installed and maintained during the building process.
General Tree Protection Measures
(a) All trees to be retained shall be protected before and maintained during demolition, excavation and construction of the site.
(b) The tree protection measures must be in undertaken in accordance AS4970 -2009 Protection of trees on development sites.
(c) Details of the tree protection measures to be implemented must be provided with the application for a Construction Certificate by a suitably qualified Arborist who holds an AQF Level 5 or above in Arboriculture and who is a current financial member of Arboriculture Australia – AA and or Institute of Australian Consulting Arboriculturists – IACA.
(d) The Project Arborist must be present on-site during the stages of excavation, demolition and construction when works are being undertaken that could impact on the tree canopy or root zone within the tree protection zone of each tree.
(e) Unless otherwise specified in AS 4970-2009 Protection of trees on development sites, a protective fence consisting of 2.4 x 1.8 metres high, fully supported chainmesh fence shall be used. The distance of the fence from the base of each tree is to be in accordance with the TPZ listed in the table above. A layer of organic mulch 100 millimetres thick shall be placed over the protected area and no soil or fill should be placed within the protection area.
(f) The Tree Protection Zone of each tree, to be protected, shall be watered thoroughly and regularly to minimise the effects of construction works.
(g) No building products/ materials or services shall be installed within the TPZ of the tree/s unless approved by Council. This fence shall be kept in place during demolition, construction and also have a sign displaying ‘Tree Protection Zone – DO NOT ENTER’ attached to the fence and must also include the name and contact details of the Project Arborist.
Excavation works near tree to be retained – Plumeria acutifolia
(h) Excavations around the trees to be retained on site or the adjoining properties shall be supervised by the Project Arborist to ensure that the root system will not adversely be affected.
(i) Where the Tree Protection Zone (TPZ) of trees on site or adjoining sites become compromised by any excavation works, the Project arborist shall be consulted to establish the position of any major roots and determine the necessary measures to protect these roots. The recommendations of the Arborist shall be submitted to Council prior to any further demolition or construction works taking place.
(j) Tree Protection Zone around the trees to be retained are not to have soil level changes, building product / materials stored or services installed in this area. Any structures proposed to be built in this area of the trees are to utilise pier and beam or cantilevered slab construction.
Details satisfying this condition shall be shown on the Construction Certificate plans.
Removal or pruning of any other tree (that would require consent of Council) on the site is not approved. All pruning must be undertaken by a minimum certificate Level 3, Licenced and insured Tree surgeon / Arborist in accordance with AS4373 -2007 Pruning of Amenity Trees and Amenity Tree Industry, Code of Practice (SafeWork NSW August 1998).
25. Tree Removal & Replacement - Tree removal - Permission is granted for the removal of the following trees:
|
Tree Species |
Number of trees |
Location |
|
Chamaecyparis Spp |
X3 |
Within backyard, north east corner |
|
Archontophoenix cunninghamiana |
X2 |
Front yard of 268 Carrington Ave |
General Tree Removal Requirements
(a) All tree removal shall be carried out by a minimum certificate Level 3, Licenced and insured Tree Surgeon/Arborist to ensure that removal is undertaken in a safe manner and complies with the AS 4373-2007 - Pruning of Amenity Trees and Tree Works Industry Code of Practice (Work Cover NSW 1.8.98).
(b) No trees are to be removed on the site or neighbouring properties without the prior written approval of Council. A copy of the Hurstville City Council’s Tree Removal and Pruning Guidelines and Kogarah City Council, Street Tree Management Strategy and Masterplan, can be downloaded from Council’s website www.georgesriver.nsw.gov.au.
Section E Prior to the Commencement of Work (Including Demolition & Excavation)
26. Dial before your dig - The applicant shall contact “Dial Before You Dig on 1100” to obtain a Service Diagram prior to the issuing of the Construction Certificate. The sequence number obtained from “Dial Before You Dig” shall be forwarded to Council’s Engineers for their records.
27. Registered Surveyors Report - During Development Work - A report must be submitted to the PCA at each of the following applicable stages of construction:
(a) Set out before commencing excavation.
(b) Floor slabs or foundation wall, before formwork or commencing brickwork.
(c) Completion of Foundation Walls - Before any construction of flooring, detailing the location of the structure relative to adjacent boundaries and floor levels relative to the datum shown on the approved plans.
(d) Completion of Floor Slab Formwork - Before pouring of concrete/walls construction, detailing the location of the structure relative to adjacent boundaries and floor levels relative to the datum shown on the approved plans. In multi-storey buildings a further survey must be provided at each subsequent storey.
(e) Completion of any Pool Formwork - Before concreting of pool shell, detailing the location of the pool relative to the adjacent boundaries and its height relative to the datum shown on the approved plans.
(f) Completion of any Roof Framing - Before roof covered detailing eaves/gutter setback from boundaries.
(g) Completion of all Work - Detailing the location of the structure (including eaves/gutters) relative to adjacent boundaries and its height relative to the datum shown on the approved plans. A final Check Survey must indicate the reduced level of the main ridge.
Work must not proceed beyond each stage until the PCA is satisfied that the height and location of the building is proceeding in accordance with the approved plans.
28. Utility Arrangements - Arrangements are to be made with utility authorities in respect to the services supplied by those authorities to the development. The cost associated with the provision or adjustment of services within the road and footway areas is to be at the applicant’s expense.
Section F During Construction
29. Site sign - Soil & Erosion Control Measures - Prior to the commencement of works (including demolition and excavation), a durable site sign, issued by Council in conjunction with this consent, must be erected in a prominent location on site. The site sign warns of the penalties which apply to pollution, storing materials on road or footpath and breaches of the conditions relating to erosion and sediment controls. The sign must remain in a prominent location on site up until the completion of all site and building works.
30. Hours of construction for demolition and building work - Any work activity or activity associated with the development consent that requires the use of any tools (including hand tools) or any power operated plant and machinery that creates noise on or adjacent to the site shall not be performed, or permitted to be performed, except between the hours of 7.00 am to 5.00 pm, Monday to Saturday inclusive. No work or ancillary activity is permitted on Sundays, or Public Holidays.
Note: A penalty infringement notice may be issued for any offence.
31. Ground levels and retaining walls - The ground levels of the site shall not be excavated, raised or filled, or retaining walls constructed on the allotment boundary, except where indicated on approved plans or approved by Council.
32. Cost of work to be borne by the applicant - The applicant shall bear the cost of all works associated with the construction of the development that occurs on Council property. Care must be taken to protect Council's roads, including the made footway, kerbs, etc., and, where plant and vehicles enter the site, the footway shall be protected against damage by deep-sectioned timber members laid crosswise, held together by hoop iron straps and chamfered at their ends. This construction shall be maintained in a state of good repair and condition throughout the course of construction.
33. Obstruction of Road or Footpath - The use of the road or footpath for the storage of any building materials, waste materials, temporary toilets, waste or skip bins, or any other matter is not permitted unless separately approved by Council under Section 138 of the Roads Act 1993 and/or under Section 68 of the Local Government Act 1993. Penalty infringement Notices may be issued for any offences and severe penalties apply.
34. Waste Management Facility - All materials removed from the site as a result of demolition, site clearing, site preparation and, or excavation shall be disposed of at a suitable Waste Management Facility. No vegetation, article, building material, waste or the like shall be ignited or burnt.
Copies of all receipts for the disposal, or processing of all such materials shall be submitted to the PCA and Council, where Council is not the Principal Certifying Authority.
35. Physical connection of Stormwater to site - No work is permitted to proceed above the ground floor slab level of the building until there is physical connection of the approved stormwater drainage system from the land the subject of this consent to Council's stormwater drainage pipeline in Carrington Avenue.
Section G Prior to the issue of the Occupation Certificate
36. BASIX Compliance Certificate - A Compliance Certificate must be provided to the PCA regarding the implementation of all energy efficiency measures as detailed in the approved BASIX Certificate before any Occupation Certificate is issued.
37. Vehicular crossing - Minor development - The vehicular crossing and/or footpath works shall be constructed by a private contractor at the expense of the applicant, in accordance with the Vehicular Crossing Approval issued by Council’s Engineering Services Division and in accordance with Council’s Specification for Vehicular Crossings and Associated Works and the issued.
Any existing vehicular crossing and/or laybacks which are redundant must be removed. The kerb and gutter, any other footpath and turf areas shall be restored at the expense of the applicant and in accordance with Council’s Specification for Vehicular Crossings and Associated Works.
NOTE: No stencilled or coloured concrete may be used outside the boundary of the property.
The work must be completed before the issue of an Occupation Certificate.
38. Restriction to User and Positive Covenant for On-Site Detention Facility - A Restriction on Use of the Land and Positive Covenant shall be created and registered on the title of the property, which places the responsibility for the maintenance of the on-site stormwater management system on the owners of the land. The terms of the instrument are to be in accordance with Council’s standard terms and restrictions which are as follows;
a) Restrictions on Use of Land
The registered proprietor shall not make or permit or suffer the making of any alterations to any on-site stormwater management system which is, or shall be, constructed on the lot(s) burdened without the prior consent in writing of Georges River Council. The expression “on-site stormwater management system” shall include all ancillary gutters, pipes, drains, walls, kerbs, pits, grates, tanks, chambers, basins and surfaces designed to manage stormwater quantity or quality including the temporary detention or permanent retention of stormwater storages. Any on-site stormwater management system constructed on the lot(s) burdened is hereafter referred to as “the system.
Name of Authority having the power to release, vary or modify the Restriction referred to is Georges River Council.”
b) Positive Covenants
1. The registered proprietor of the lot(s) hereby burdened will in respect of the system:
a) keep the system clean and free from silt, rubbish and debris
b) maintain and repair at the sole expense of the registered proprietors the whole of the system so that if functions in a safe and efficient manner
c) permit the Council or its authorised agents from time to time and upon giving reasonable notice (but at any time and without notice in the case of an emergency) to enter and inspect the land for the compliance with the requirements of this covenant
d) comply with the terms of any written notice issued by the Council in respect of the requirements of this covenant within the time stated in the notice.
2. Pursuant to Section 88F(3) of the Conveyancing Act 1919 the Council shall have the following additional powers:
a) in the event that the registered proprietor fails to comply with the terms of any written notice issued by the Council as set out above the Council or its authorised agents may enter the land with all necessary materials and equipment and carry out any work which the Council in its discretion considers reasonable to comply with the said notice referred to in part 1(d) above
b) the Council may recover from the registered proprietor in a Court of competent jurisdiction:
i. any expense reasonably incurred by it in exercising its powers under subparagraph (i) hereof. Such expense shall include reasonable wages for the Council’s employees engaged in effecting the work referred to in (i) above, supervising and administering the said work together with costs, reasonably estimated by the Council, for the use of materials, machinery, tools and equipment in conjunction with the said work.
ii. legal costs on an indemnity basis for issue of the said notices and recovery of the said costs and expenses together with the costs and expenses of registration of a covenant charge pursuant to section 88F of the Act or providing any certificate required pursuant to section 88G of the Act or obtaining any injunction pursuant to section 88H of the Act. Name of Authority having the power to release vary or modify the Positive Covenant referred to is Georges River Council.
39. Maintenance Schedule – On-site Stormwater Management - A Maintenance Schedule for the proposed on-site stormwater management measures is to be prepared and submitted to Council. The Maintenance Schedule shall outline the required maintenance works, how and when these will be done and who will be carrying out these maintenance works.
40. Works as Executed and Certification of Stormwater works - Prior to the issue of an Occupation Certificate, the PCA must ensure that the stormwater drainage system has been constructed in accordance with the approved design and relevant Australian Standards. A works-as-executed drainage plan and certification must be forwarded to the PCA and Council, from a professional engineer specialising in hydraulic engineering.
This Plan and Certification shall confirm that the design and construction of the stormwater drainage system satisfies the conditions of development consent and the Construction Certificate stormwater design details approved by the PCA.
The works-as-executed drainage plan must be prepared by a professional engineer specialising in hydraulic engineering in conjunction with a Registered Surveyor and must include the following details:
(a) The location of any detention basin/s with finished surface levels;
(b) Finished site contours at 0.2 metre intervals (if applicable)
(c) Volume of storage available in any detention areas;
(d) The location, diameter, gradient and material (i.e. PVC, RC etc.) of all stormwater pipes;
(e) The orifice size/s;
(f) Details of any pumping systems installed (including wet well volumes) (if applicable).
41. Requirements prior to the issue of the Occupation Certificate - The following shall be completed and or submitted to the PCA prior to the issue of the Occupation Certificate:
(a) All the stormwater/drainage works shall be completed in accordance with the approved Construction Certificate plans prior to the issue of the Occupation Certificate.
(b) The internal driveway construction works, together with the provision for all services (conduits and pipes laid) shall be completed in accordance with the approved Construction Certificate plans prior to the issue of the Occupation Certificate.
(c) Construct any new vehicle crossings required.
(d) Replace all redundant vehicle crossing laybacks with kerb and guttering, and replace redundant concrete with turf.
(e) A Section 73 (Sydney Water) Compliance Certificate for the Subdivision shall be issued and submitted to the PCA prior to the issue of the Occupation Certificate.
(f) Work as Executed Plans prepared by a Chartered Professional Engineer or a Registered Surveyor when all the site engineering works are complete shall be submitted to the PCA prior to the issue of the Occupation Certificate.
(g) The connection of a drainage pipeline to Council’s underground stormwater drainage system shall be completed in accordance with the conditions and specifications of the Section 138 Drainage Application Approval.
42. Vehicular crossing - Minor development - The vehicular crossing and/or footpath works shall be constructed by a private contractor at the expense of the applicant, in accordance with the specifications contained in the ‘Application for Driveway Crossing and Associated Works on Council Road Reserve’ approval issued by Council’s Assets and Infrastructure Division and in accordance with Council’s Specification for Vehicular Crossings and Associated Works and the issued.
Any existing vehicular crossing and/or laybacks which are redundant must be removed. The kerb and gutter, any other footpath and turf areas shall be restored at the expense of the applicant and in accordance with Council’s Specification for Vehicular Crossings and Associated Works.
No stencilled or coloured concrete may be used outside the boundary of the property.
The work must be completed before the issue of an Occupation Certificate.
43. Stormwater drainage works – Works As Executed - Prior to the issue of the Occupation Certificate, stormwater drainage works are to be certified by a professional engineer specialising in hydraulic engineering, with Works-As-Executed drawings supplied to Council detailing:
(a) Compliance with conditions of development consent relating to stormwater;
(b) The structural adequacy of the On-Site Detention system (OSD);
(c) That the works have been constructed in accordance with the approved design and will provide the detention storage volume and attenuation in accordance with the submitted calculations;
(d) Pipe invert levels and surface levels to Australian Height Datum;
(e) Contours indicating the direction in which water will flow over land should the capacity of the pit be exceeded in a storm event exceeding design limits.
Council must advise in writing that they are satisfied with the Works-As-Executed prior to the issue of an Occupation Certificate.
44. Completion of Landscape Works - All landscape works must be completed before the issue of the Final Occupation Certificate in accordance with approved landscape plans and specifications - Concept Landscape Plan”, reference numbers – P151, A21. The landscaping shall be maintained in accordance with the approved plans in perpetuity, subject to the following;
a) Two (2) of the four (4) trees shall be of differing species and be of Australian native species, pot/ bag size minimum 45 litre trees and be able to reach a height at maturity of nine (9) metres.
b) The proposed tree and plant species, pot/ bag size and quantities of plants shall be in accordance with the proposed plant schedule upon the landscape plan and reference above within “a”. If plant species, pot/ bag size and quantities cannot be sourced, Council shall be contacted for alternatives.
c) All trees proposed upon the approved landscape plan shall comply with NATSPEC Specifying Trees: a guide to assessment of tree quality (2003), and be planted and maintained in accordance with Councils standard specification.
d) If the planted trees and plants are found to be faulty, damaged, dying or dead within twelve (12) months of planting then they must be replaced with the same species. If the trees are found dead before they reach a height where they are protected by Councils Tree Management Controls, they must be replaced with the same species and pot/bag size.
e) A certificate of compliance for the planting of all trees and shrubs proposed for the site. An AQF 5 Horticulturist shall be engaged and in writing certify that all trees have been planted as per landscape plan and specifications and forwarded to the PCA – Principal Certifying Authority.
Section H Operational Conditions (Ongoing)
45. Outdoor Lighting - To avoid annoyance to the occupants of adjoining premises or glare to motorist on nearby roads, outdoor lighting must comply with AS 4282-1997: Control of the obtrusive effects of outdoor lighting.
46. Amenity of the neighbourhood - The implementation of this development shall not adversely affect the amenity of the neighbourhood or interfere unreasonably with the comfort or repose of a person who is outside the premises by reason of the emission or discharge of noise, fumes, vapour, odour, steam, soot, dust, waste water, waste products, grit, oil or other harmful products.
47. Noise Control - The use of the premises must not give rise to the transmission of offensive noise to any place of different occupancy. Offensive noise is defined in the Protection of the Environment Operations Act 1997 (as amended).
Section I Operational Requirements Under the Environmental Planning & Assessment Act 1979
48. Requirement for a Construction Certificate - The erection of a building must not commence until a Construction Certificate has been issued.
49. Appointment of a PCA - The erection of a building must not commence until the applicant has:
(a) appointed a PCA for the building work; and
(b) if relevant, advised the PCA that the work will be undertaken as an Owner -Builder.
If the work is not going to be undertaken by an Owner - Builder, the applicant must:
(c) appoint a Principal Contractor to undertake the building work. If residential building work (within the meaning of the Home Building Act 1989) is to be undertaken, the Principal Contractor must be a holder of a contractor licence; and
(d) notify the PCA of the details of any such appointment; and
(e) notify the Principal Contractor of any critical stage inspections or other inspections that are required to be carried out in respect of the building work.
A Information Pack is attached for your convenience should you wish to appoint Georges River Council as the PCA for your development.
50. Notification Requirements of PCA - No later than two days before the building work commences, the PCA must notify:
(a) the consent authority and the Council (if not the consent authority) of his or her appointment; and
(b) the applicant of the critical stage inspections and other inspections that are to be carried out with respect to the building work.
51. Notice of Commencement - The applicant must give at least two days notice to the Council and the PCA of their intention to commence the erection of a building.
A Notice of Commencement Form is attached for your convenience.
52. Critical Stage Inspections - The last critical stage inspection must be undertaken by the PCA. The critical stage inspections required to be carried out vary according to Building Class under the Building Code of Australia and are listed in Clause 162A of the Environmental Planning and Assessment Regulation 2000.
53. Notice to be given prior to critical stage inspections - The principal contractor for a building site, or the owner-builder, must notify the PCA at least 48 hours before each required inspection needs to be carried out.
Where Georges River Council has been appointed as the PCA, 48 hours notice in writing, or alternatively 24 hours notice by facsimile or telephone, must be given when specified work requiring inspection has been completed.
54. Occupation Certificate - A person must not commence occupation or use of the whole or any part of a new building unless an Occupation Certificate has been issued in relation to the building or part.
Only the PCA appointed for the building work can issue the Occupation Certificate.
An Occupation Certificate Application Form is attached for your convenience.
Section J Prescribed Conditions
55. Clause 97A - BASIX Commitments - This Clause requires the fulfilment of all BASIX Commitments as detailed in the BASIX Certificate to which the development relates.
56. Clause 98 - Building Code of Australia & Home Building Act 1989 - Requires all building work to be carried out in accordance with the Building Code of Australia. In the case of residential building work to which the Home Building Act 1989 relates, there is a requirement for a contract of insurance to be in force before any work commences.
57. Clause 98A - Erection of Signs - Requires the erection of signs on site and outlines the details which are to be included on the sign. The sign must be displayed in a prominent position on site and include the name and contact details of the PCA and the Principal Contractor.
58. Clause 98B - Home Building Act 1989 - If the development involves residential building work under the Home Building Act 1989, no work is permitted to commence unless certain details are provided in writing to Council. The name and licence/permit number of the Principal Contractor or Owner Builder and the name of the Insurer by which work is insured under Part 6 of the Home Building Act 1989.
59. Clause 98E - Protection & support of adjoining premises - If the development involves excavation that extends below the level of the base of the footings of a building on adjoining land, this prescribed condition requires the person who benefits from the development consent to protect and support the adjoining premises and where necessary underpin the adjoining premises to prevent any damage.
60. Clause 98E - Site Excavation - Excavation of the site is to extend only to that area required for building works depicted upon the approved plans. All excess excavated material shall be removed from the site.
All excavations and backfilling associated with the erection or demolition of a building must be executed safely and in accordance with appropriate professional standards.
All excavations associated with the erection or demolition of a building must be properly guarded and protected to prevent them from being dangerous to life or property.
If the soil conditions require it, retaining walls associated with the erection or demolition of a building or other approved methods of preventing movement of the soil shall be provided and adequate provision shall be made for drainage.
NOTES/ADVICES
61. Review of Determination - Section 8.2 of the Environmental Planning and Assessment Act confers on an applicant who is dissatisfied with the determination of the application the right to lodge an application with Council for a review of such determination. Any such review must however be completed within 6 months from its determination. Should a review be contemplated sufficient time should be allowed for Council to undertake public notification and other processes involved in the review of the determination.
Note: Review provisions do not apply to Complying Development, Designated Development, State Significant Development, Integrated Development or any application determined by the Sydney South Planning Panel or the Land & Environment Court.
62. Appeal Rights - Part 8 (Reviews and appeals) of the Environmental Planning and Assessment Act 1979 confers on an applicant who is dissatisfied with the determination of the application a right of appeal to the Land and Environment Court of New South Wales.
63. Lapsing of Consent - This consent will lapse unless the development is physically commenced within 5 years from the Date of Operation of this consent, in accordance with Section 4.53 of the Environmental Planning and Assessment Act 1979 as amended.
64. Long Service Levy - The Long Service Corporation administers a scheme which provides a portable long service benefit for eligible workers in the building and construction industry in NSW. All benefits and requirements are determined by the Building and Construction Industry Long Service Payments Act 1986. More information about the scheme and the levy amount you are required to pay to satisfy a condition of your consent can be found at http://www.longservice.nsw.gov.au.
The required Long Service Levy payment can be direct to the Long Service Corporation via their web site https://online.longservice.nsw.gov.au/bci/levy. Payments can only be processed on-line for the full levy owing and where the value of work is between $25,000 and $6,000,000. Payments will be accepted for amounts up to $21,000, using either MasterCard or Visa.
65. Security deposit administration & compliance fee - Under Section 97 (5) of the Local Government Act 1993, a security deposit (or part) if repaid to the person who provided it is to be repaid with any interest accrued on the deposit (or part) as a consequence of its investment.
Council must cover administration and other costs incurred in the investment of these monies. The current charge is $50.00 plus 2% of the bond amount per annum.
The interest rate applied to bonds is set at Council's business banking facility rate as at 1 July each year. Council will accept a bank guarantee in lieu of a deposit.
All interest earned on security deposits will be used to offset the Security Deposit Administration and Compliance fee. Where interest earned on a deposit is not sufficient to meet the fee, it will be accepted in full satisfaction of the fee.
66. Council as PCA - Deemed to Satisfy Provisions of BCA - Should the Council be appointed as the PCA in determining the Construction Certificate, the building must comply with all the applicable deemed to satisfy provision of the BCA. However, if an alternative fire solution is proposed it must comply with the performance requirements of the BCA, in which case, the alternative solution, prepared by an appropriately qualified fire consultant, accredited and having specialist qualifications in fire engineering, must justifying the non-compliances with a detailed report, suitable evidence and expert judgement. Council will also require if deemed necessary, for the alternative solution to undergo an independent peer review by either the CSIRO or other accredited organisation. In these circumstances, the applicant must pay all costs for the independent review.
67. Stormwater & Ancillary Works - Applications under Section 138 Roads Act and/or Section 68 Local Government Act 1993 - To apply for approval under Section 138 of the Roads Act 1993:
(a) Complete the Driveway Crossing on Council Road Reserve Application Form which can be downloaded from Georges River Council’s Website at www.georgesriver.nsw.gov.au.
(b) In the Application Form, quote the Development Consent No. (eg. DA2018/0148) and reference this condition number (e.g. Condition 23)
(c) Lodge the application form, together with the associated fees at Council’s Customer Service Centre, during business hours. Refer to Council’s adopted Fees and Charges for the administrative and inspection charges associated with Vehicular Crossing applications.
An approval for a new or modified vehicular crossing will contain the approved access and/or alignment levels which will be required to construct the crossing and/or footpath. Once approved, all work shall be carried out by a private contractor in accordance with Council’s specifications prior to the issue of an Occupation Certificate.
The developer must meet all costs of the extension, relocation or reconstruction of any part of Council’s drainage system (including design drawings and easements) required to carry out the approved development.
The preparation of all engineering drawings (site layout plans, cross sections, longitudinal sections, elevation views together with a hydraulic grade analysis) and specifications for the new storm water drainage system to be arranged by the applicant. The design plans must be lodged and approved by Council prior to the issue of a Construction Certificate.
NOTE: A minimum of four weeks should be allowed for assessment.
68. Site Safety Fencing - Site fencing must be erected in accordance with SafeWork Guidelines, to exclude public access to the site throughout the demolition and/or construction work, except in the case of alterations to an occupied dwelling. The fencing must be erected before the commencement of any work and maintained throughout any demolition and construction work.
A demolition licence and/or a high risk work license may be required from SafeWork NSW (see www.SafeWork.nsw.gov.au).
|
Attachment ⇩1 |
Survey Plan - 268 Carrington Ave Hurstville |
|
Attachment ⇩2 |
Site Plan - 268 Carrington Ave Hurstville |
|
Attachment ⇩3 |
Front and Rear Elevation - 268 Carrington Ave Hurstville |
|
Attachment ⇩4 |
Side Elevation (South) - 268 Carrington Ave Hurstville |
|
Attachment ⇩5 |
Side Elevation (North) - 268 Carrington Ave Hurstville |
|
Georges River Council - Georges River Local Planning Panel (LPP) - Thursday, 21 November 2019 LPP053-19 268 Carrington Avenue Hurstville [Appendix 1] Survey Plan - 268 Carrington Ave Hurstville |
Page 239 |
|
Georges River Council - Georges River Local Planning Panel (LPP) - Thursday, 21 November 2019 LPP053-19 268 Carrington Avenue Hurstville [Appendix 2] Site Plan - 268 Carrington Ave Hurstville |
Page 240 |
|
Georges River Council - Georges River Local Planning Panel (LPP) - Thursday, 21 November 2019 LPP053-19 268 Carrington Avenue Hurstville [Appendix 3] Front and Rear Elevation - 268 Carrington Ave Hurstville |
Page 241 |
|
Georges River Council - Georges River Local Planning Panel (LPP) - Thursday, 21 November 2019 LPP053-19 268 Carrington Avenue Hurstville [Appendix 4] Side Elevation (South) - 268 Carrington Ave Hurstville |
Page 242 |
|
Georges River Council - Georges River Local Planning Panel (LPP) - Thursday, 21 November 2019 LPP053-19 268 Carrington Avenue Hurstville [Appendix 5] Side Elevation (North) - 268 Carrington Ave Hurstville |
Page 243 |
|
Georges River Council – Local Planning Panel Thursday, 21 November 2019 |
Page 268 |
REPORT TO GEORGES RIVER COUNCIL
LPP MEETING OF Thursday, 21 November 2019
|
LPP Report No |
LPP054-19 |
Development Application No |
DA2019/0347 |
|
Site Address & Ward Locality |
37 Plimsoll Street Sans Souci Kogarah Bay Ward |
||
|
Proposed Development |
Demolition of existing structures, and construction of a two storey dwelling house, swimming pool, detached cabana, and front fence |
||
|
Owners |
Cathy and Michael Daher |
||
|
Applicant |
Michael Daher c/o City Plan Strategy and Development |
||
|
Planner/Architect |
Boli Designs |
||
|
Date Of Lodgement |
22/08/2019 |
||
|
Submissions |
No submissions |
||
|
Cost of Works |
$1,277,553.00 |
||
|
Local Planning Panel Criteria |
Development contravenes a development standard in excess of 10% |
||
|
List of all relevant s.4.15 matters (formerly s79C(1)(a)) |
State Environmental Planning Policy No 55 - Remediation Of Land; State Environmental Planning Policy (Infrastructure); State Environmental Planning Policy (Building Sustainability Index: BASIX) 2004; State Environmental Planning Policy (Vegetation in Non-Rural Areas) 2017; Greater Metropolitan Regional Environmental Plan No 2 – Georges River Catchment; State Environmental Planning Policy (Coastal Management) 2018; Draft Environment State Environmental Planning Policy; Draft Remediation of Land State Environmental Planning Policy; Kogarah Local Environmental Plan 2012; Kogarah Development Control Plan 2013 |
||
|
List all documents submitted with this report for the Panel’s consideration |
Architectural Plans; Statement of Environmental Effects; Clause 4.6 Request; Arborist Report; Groundwater Infiltration Assessment Report; BASIX Certificate |
||
|
Report prepared by |
Development Assessment Planner |
||
|
|
Summary of matters for consideration under Section 4.15 Have all recommendations in relation to relevant s4.15 matters been summarised in the Executive Summary of the assessment report? |
Yes |
|
Legislative clauses requiring consent authority satisfaction Have relevant clauses in all applicable environmental planning instruments where the consent authority must be satisfied about a particular matter been listed and relevant recommendations summarised, in the Executive Summary of the assessment report? |
Yes |
|
Clause 4.6 Exceptions to development standards If a written request for a contravention to a development standard (clause 4.6 of the LEP) has been received, has it been attached to the assessment report? |
Yes - 22.5% variation to the Floor Space Ratio development standard. |
|
Special Infrastructure Contributions Does the DA require Special Infrastructure Contributions conditions (under s7.24)? |
Not Applicable |
|
Conditions Have draft conditions been provided to the applicant for comment? |
No as the application is being recommended for refusal. The reasons for refusal will be available upon the publishing. |
|
Site Plan
Figure 1: Aerial view of 37 Plimsoll Street Sans Souci |
Executive Summary
Proposal
1. Development consent is sough for the demolition of existing structures, and construction of a two storey dwelling house, swimming pool, detached cabana, and front fence.
The proposal fails to provide an adequate Clause 4.6 submission to justify the necessity for the variation of the Kogarah Local Environmental Plan 2012 (KLEP) Floor Space Ratio (FSR) development standard. The proposal seeks to vary the applicable FSR of 0.43:1 (445.2sqm) seeking an FSR of 0.53:1 (545.4sqm) being a variation of 22.5%.
Site and Locality
2. The lot is rectangular in shape and has a total site area of 1,018sqm (by title) and a 20.14m frontage to Plimsoll Street. The local topography surrounding the site generally falls towards the west/south west (rear) toward Kogarah Bay. The site’s topography slopes south-west being front to rear by two (2) meters. The site has one street frontage being Plimsoll Street, where vehicular access is gained.
Zoning and Permissibility
3. The site is zoned R2 - Low Density Residential under the provisions of Kogarah Local Environmental Plan 2012 (KLEP 2012). Dwelling houses and ancillary development are permitted with consent.
Submissions
4. No public submissions were received at the close of the public notification period or at the time this report was prepared being 8 November 2019.
Conclusion
5. Having regard to the matters for consideration under section 4.15(1) of the Environmental Planning and Assessment Act 1979 and following a detailed assessment, the proposed Development Application (DA2019/0347) is recommended for refusal for the reasons contained within this report.
Report in Full
PROPOSAL
6. Council is in receipt of an application seeking development consent for the demolition of existing structures, and construction of a two storey dwelling house, swimming pool, detached cabana, and front fence.
A detailed description of the proposal is as follows:
Demolition:
· Demolition of existing structures being the brick and tiled dwelling, fibro garage, fibro shed, driveway and vehicular crossing.
New Dwelling
Ground Floor Level:
· Double garage, workshop, study room, entry hall, guest bedroom with ensuite and walk in robe, media room, wine cellar, pantry room, cool room, scullery, kitchen, dining/living area, rear alfresco area with outdoor kitchen/BBQ area and central courtyard between the media room and the living room.
First Floor Level:
· Two bedrooms with walk-in-robes and shared bathroom, leisure room, storage room, bedroom with ensuite and walk-in-robe, laundry room, linen area, balcony along southern façade, master suite with ensuite, separate WC and dressing room, a terrace along eastern façade facing Plimsoll Street and a void area adjacent to the master room.
Inground Swimming Pool:
· Inground swimming pool in rear yard with dimensions: 8.1m x 3.5m x 1.5m (average depth), open pergola along pool area;
Detached cabana:
· Open roofed cabana area, bathroom;
Ancillary Works:
· Ancillary excavation;
· Masonry Front fence (1.8m maximum);
· Below ground rain water tank in the rear yard and a drainage system into rear absorption trench;
· Ancillary landscape works;
· Construction of a new driveway and internal pedestrian footpath and gate;
· Water feature along northern side boundary adjacent to the central courtyard;

Figure 2: Proposed site plan - 37 Plimsoll Street Sans Souci (Source: Boli Designs, 2019).
THE SITE AND LOCALITY
7. The site is identified as Lot 1, DP 939418 known as 37 Plimsoll Street Sans Souci NSW 2219.
The lot is rectangular in shape and has a total site area of 1,018sqm (by title) and a 20.14m frontage to Plimsoll Street. The local topography surrounding the site generally falls towards the west/south west (rear) toward Kogarah Bay. The sites topography slopes south west being front to rear by 2m. The site has one street frontage being Plimsoll Street, where vehicular access is gained.
The site is currently occupied by a single storey brick and tiled residential dwelling with a detached fibro shed and garage. Adjoining the site in all directions are dwelling houses, ranging from one to two storeys in height, comprising of brick or render exteriors with either a parapet, gabled or skillion roof. In addition, the subject site is located approximately 105m from Kogarah Bay located west and approximately 85m from Anderson Park located south west.
In the wider context, the subject site is located in an established R2 Low Density Residential Area containing a mixture of traditional and contemporary dwelling houses, dual occupancies, and multi dwelling housing developments.
It is noted that a Sydney Water sewer pipe traverses under the site at the rear. The matter will be the subject of Sydney Water Tap In conditions if approval was to be granted.
The application was referred to Ausgrid in accordance with Clause 45(2) of the State Environmental Planning Policy (Infrastructure) 2007 and no response was received at the time this report was prepared (8 November 2019).
As part of the proposal, six (6) trees have been nominated for removal. The application was referred to Council’s Consultant Arborist and specific conditions of consent have been recommended should the application be supported. No street trees were nominated for removal.

Figure 3: Street view of subject site as per site inspection - 37 Plimsoll Street Sans Souci
Background
8. Development Application DA2019/0327 lodged for comparable works as the subject Development Application DA2019/0347. This application was rejected on 1 August 2019 due to insufficient stormwater information and at this time raised concerns with regards to floor space exceedance.
Subject Application
This Development Application DA2019/0347 was lodged with Council on 22 August 2019.
Compliance and Assessment
9. The development has been assessed having regarding to Matters for Consideration under Section 4.15(1) of the Environmental Planning and Assessment Act 1979.
STATE ENVIRONMENTAL PLANNING INSTRUMENTS
10. Compliance with the relevant State Environmental Planning Policies (SEPP) is detailed below.
STATE ENVIRONMENTAL PLANNING POLICY NO 55 – REMEDIATION OF LAND
11. SEPP 55 aims to promote the remediation of contaminated land in order to reduce the risk of harm to human health or any other aspect of the environment. Clause 7 requires contamination and remediation to be considered in determining a development application. The consent authority must not consent to the carrying out of development on land unless it has considered whether or not the land is contaminated.
A review of the site history indicates that the site has been used for residential purposes for extended periods of time, and such uses and/or development are not typically associated with activities that would result in the contamination of the site. The proposed works do not include any change to the use of the land that would result in any concerns with respect to contamination. There is no indication of previous uses that would cause contamination. In this regard there is no indication that the land is contaminated.
STATE ENVIRONMENTAL PLANNING POLICY (BUILDING SUSTAINABILITY INDEX: BASIX) 2004
12. The trigger for BASIX Certification is when the estimated cost of works for residential development (new dwelling(s)/alterations and additions) is equal to or above $50,000. BASIX Certification is also triggered when proposing a swimming pool with a volume of 40,000 litres.
A BASIX Certificate prepared by Thermal Performance, dated 11 June 2019, certificate number 1017478S, has been submitted with the Development Application satisfying the minimum requirements of SEPP (Building Sustainability Index: BASIX) 2004.
STATE ENVIRONMENTAL PLANNING POLICY (VEGETATION IN NON-RURAL AREAS) 2017
13. The Vegetation SEPP regulates clearing of native vegetation on urban land and land zoned for environmental conservation/management that does not require development consent.
The Vegetation SEPP applies to clearing of:
(a) Native vegetation above the Biodiversity Offset Scheme (BOS) threshold where a proponent will require an approval from the Native Vegetation Panel established under the Local Land Services Amendment Act 2016; and
(b) Vegetation below the BOS threshold where a proponent will require a permit from Council if that vegetation is identified in the council’s development control plan (DCP).
The objectives of the SEPP are to protect the biodiversity values of trees and other vegetation in non-rural areas and preserve the amenity of non-rural areas through the preservation of trees and other vegetation. This policy is applicable pursuant to Clause 5(1) of the SEPP as the site is within both Georges River Council and the R2 Low Density Residential zone.
Pursuant to Clause 8(1) of the SEPP, clearing does not require authority under the policy as it is a type of clearing that is authorised under Section 60O of the Local Land Services Act 2013 (specifically, that associated with a development consent issued under Part 4 of the Environmental Planning and Assessment Act 1979).
As part of the proposal, six (6) trees have been nominated for removal. The application was referred to Council’s Consultant Arborist and specific conditions of consent have been recommended if the application is to be supported. No street trees were nominated for removal.
STATE ENVIRONMENTAL PLANNING POLICY (COASTAL MANAGEMENT) 2018
14. The Coastal Management SEPP 2018 aims to: “Promote an integrated and co-ordinated approach to land use planning in the coastal zone in a manner consistent with the objects of the Coastal Management Act 2016 including the management objectives for each coastal management area”.
The subject site has not been identified as being located in a coastal vulnerability area and a coastal environmental area as per NSW State Environmental Planning Policy (Coastal Management) 2018 - Maps.

Figure 4: Coastal zone (identified in blue) with 37 Plimsoll Street Sans Souci outside identified area
(Source: Intramaps, 2019)
GREATER METROPOLITAN REGIONAL ENVIRONMENTAL PLAN NO 2 — GEORGES RIVER CATCHMENT
15. The main aims and objectives of this plan include but are not limited to the following:
· To maintain and improve the water quality and river flows of the Georges River and its tributaries and ensure that development is managed in a manner that is in keeping with the national, State, regional and local significance of the Catchment,
· To protect and enhance the environmental quality of the Catchment for the benefit of all users through the management and use of the resources in the Catchment in an ecologically sustainable manner,
· To ensure consistency with local environmental plans and also in the delivery of the principles of ecologically sustainable development in the assessment of development within the Catchment where there is potential to impact adversely on groundwater and on the water quality and river flows within the Georges River or its tributaries,
· To establish a consistent and coordinated approach to environmental planning and assessment for land along the Georges River and its tributaries and to promote integrated catchment management policies and programs in the planning and management of the Catchment,
The proposed stormwater drainage system has been assessed by Council’s Development Engineer and has been found to be unsatisfactory. Based on the Groundwater Infiltration Assessment Report and the location of the absorption trench, the ground is not considered suitable for water absorption as bedrock is experienced at a depth of only 1.3m. The result will be water runoff to downstream properties during ‘over average’ rainfall events. It is also important to note that the location of the absorption system is likely to be over a Sydney Water sewer main. The plans have not indicated the invert level of the sewer main or its location with respect to the proposal.
DRAFT ENVIRONMENTAL PLANNING INSTRUMENTS
Draft Environmental SEPP
16. The Draft Environment SEPP was exhibited from 31 October 2017 to 31 January 2018. This consolidated SEPP proposes to simplify the planning rules for a number of water catchments, waterways, urban bushland and Willandra Lakes World Heritage Property. Changes proposed include consolidating the following seven existing SEPPs:
· State Environmental Planning Policy No. 19 – Bushland in Urban Areas;
· State Environmental Planning Policy (Sydney Drinking Water Catchment) 2011;
· State Environmental Planning Policy No. 50 – Canal Estate Development;
· Greater Metropolitan Regional Environmental Plan No. 2 – Georges River Catchment;
· Sydney Regional Environmental Plan No. 20 – Hawkesbury-Nepean River (No.2-1997);
· Sydney Regional Environmental Plan (Sydney Harbour Catchment) 2005;
· Willandra Lakes Regional Environmental Plan No. 1 – World Heritage Property.
The proposal is not inconsistent with the provisions of this Draft Instrument.
Draft Remediation of Land SEPP
17. The Draft Remediation of Land SEPP was exhibited from 31 January 2018 to 13 April 2018. The proposed remediation of land SEPP will:
· Provide a state-wide planning framework for the remediation of land;
· Maintain the objectives and reinforce those aspects of the existing framework that have worked well;
· Require planning authorities to consider the potential for land to be contaminated when determining development applications and rezoning land;
· Clearly list the remediation works that require development consent;
· Introduce certification and operational requirements for remediation works that can be undertaken without development consent.
The proposal is not inconsistent with the provisions of this Draft Instrument.
KOGARAH LOCAL ENVIRONMENTAL PLAN 2012
18. The extent to which the proposed development complies with the Kogarah Local Environmental Plan 2012 (KLEP 2012) is detailed and discussed in the table below.

Figure 5: Land Zoning Map as per KLEP 2012 (subject site outlined in blue)
|
Clause |
Standard |
Proposed |
Complies |
|
Part 1 – Preliminary |
|||
|
1.2 – Aims of the Plan |
In accordance with Clause 1.2 (2) |
The development is not considered to be consistent with the aims of the plan. |
No, refer to comment (A) |
|
1.4 - Definitions |
Dwelling House means:
a building containing only one dwelling. |
The proposed development is consistent with the definition. |
Yes |
|
Part 2 - Permitted or prohibited development |
|||
|
2.3 - Zone objectives and Land Use Table |
Meets objectives of R2- Low Density Residential Zone.
Development must be permissible with consent |
The proposal fails to meets all objectives.
The proposal is permissible with development consent. |
No, refer to comment (B)
Yes |
|
Part 4 - Principal Development Standards |
|||
|
4.3 – Height of Buildings |
9m as identified on Height of Buildings Map |
The proposal has a maximum overall height of 7.64m.
Cabana height is 3.47m. |
Yes |
|
4.4 – Floor Space Ratio |
0.6:1 as identified on Floor Space Ratio Map |
Despite clause 4.4 (2), the floor space ratio for residential accommodation on land in Zone R2 Low Density Residential, Clause 4.4A applies. |
Refer to Clause 4.4A |
|
4.4A – Exceptions to floor space ratio for residential accommodation in Zone R2 |
2) Despite clause 4.4 (2), the floor space ratio for residential accommodation on land in Zone R2 Low Density Residential is not to exceed the maximum floor space ratio specified in the table to this subclause.
For site area less than less than 1,500sqm but not less than 1,000sqm [(lot area − 1,000) × 0.15 + 442.5] ÷ lot area:1
Site area: 1,018sqm
0.43:1 or 445.2sqm |
The proposed development has a total FSR of 545.4sqm or 0.53:1
100.2sqm exceedance or a 22.5% variation. |
No, refer to comment (C) |
|
4.6 – Exceptions to development standards |
In accordance with Clause 4.6 (1) through to and including (8) |
The proposal is accompanied by a Clause 4.6 variation relating to the breach of the Floor Space Ratio standard under Clause 4.4A. |
No, refer to comment (D) |
|
Part 5 - Miscellaneous Provisions |
|||
|
5.7 – Development below mean high water mark |
(2) Development consent is required to carry out development on any land below the mean high water mark of any body of water subject to tidal influence (including the bed of any such water). |
The proposal does not involve works below the Mean High Water Mark. |
Yes |
|
5.10 – Heritage conservation |
In accordance with Clause 5.10 (2) |
The site is not a heritage item and not located within the vicinity of any heritage items. Site is not in a heritage conservation area. |
Yes |
|
5.11 – Bush Fire Hazard Reduction |
Bush fire hazard reduction work authorised by the Rural Fires Act 1997 may be carried out on any land without development consent. |
The subject land is not within a bush fire prone area. |
Yes |
|
Part 6 - Additional Local Provisions |
|||
|
6.1 – Acid sulfate soils |
(2) Development consent is required for the carrying out of works described in the Table to this subclause on land shown on the Acid Sulfate Soils Map as being of the class specified for those works.
Class 5: Works within 100 metres of adjacent Class 2, 3 or 4 land that is below 5 metres Australian Height Datum and by which the watertable is likely to be lowered below 1 metre Australian Height Datum on adjacent Class 2, 3 or 4 land. |
Subject site is located in a Class 5 Acid Sulfate Soils Area.
Although land is within 100m of adjacent class 2 area, the land is not below 5m AHD therefore an Acid Sulfate management Plan is not required. |
Yes |
|
6.2 – Earthworks |
(2) Development consent is required for earthworks unless— (a) the earthworks are exempt development under this Plan or another applicable environmental planning instrument, or
(b) the earthworks are ancillary to development that is permitted without consent under this Plan or to development for which development consent has been given. |
The proposed earthworks are ancillary to the proposed development and are acceptable for this form of development. |
Yes |
|
6.3 – Flood planning |
(2) This clause applies to—
(a) land identified as “Flood planning area” on the Flood Planning Map, and
(b) other land at or below the flood planning level. |
The proposed development is not located in a mapped flood prone area. |
Yes |
|
6.4 – Limited development on foreshore area |
In accordance with Clause (2) and (3) |
The proposed development is not located in the foreshore area. |
Yes |
(A) Aims of Plan
19. The particular aims of the Kogarah Local Environmental Plan 2012 in relation to Clause 1.2 (2) are as listed below:
· To guide the orderly and sustainable development of Kogarah,
· To encourage a diversity of housing choice suited to meet the needs of the current and future residents of Kogarah,
· To promote economic development and facilitate the continued growth of commercial, medical-related and industrial employment-generating opportunities,
· To protect and enhance Kogarah’s natural environment, foreshores and waterways,
· To provide high quality open space and a range of recreational areas and facilities suited to meet the needs of the residents of Kogarah and its visitors,
· To conserve Kogarah’s environmental heritage.
The development is not considered to be consistent with the aims of the Kogarah Local Environmental Plan 2012, as the proposal has not been designed to satisfy the criteria relating to the orderly and sustainable development given the insufficient drainage of the development and the bulk and scale/density breaches. The proposal is not considered to be well suited to meet the needs of the current and future residents of the locality.
(B) Zone Objectives
20. The objectives of the R2 Low Density Residential Zone as identified in KLEP 2012 are as listed below:
· To provide for the housing needs of the community within a low density residential environment.
· To enable other land uses that provide facilities or services to meet the day to day needs of residents.
The proposed development fails to satisfy all the R2 Low Density Residential zone objectives as:
i. The development presents unreasonable visual bulk and scale compromising the amenity of the surrounding area.
ii. The proposed development will result in significant built form with a lack of emphasis on landscaping. An adverse impact would result from the proposed development on the amenity of the locality and adjoining neighbours and general expectations for a residential dwelling form in a low density residential area.
(C) Exceptions to floor space ratio for residential accommodation in Zone R2
21. The proposed development seeks a total Floor space Ratio (FSR) of 0.53:1, being 545.4sqm, whilst Clause 4.4A of KLEP 2012 restricts the FSR to 0.43:1, being 445.2sqm, resulting in a non-compliance of 100.2sqm equating to 22.5%. The Applicant has submitted a Clause 4.6 submission to vary the permissible FSR and this is addressed at below (D).
Any assessment of the intent and objective of the development standard must have regard to the definitions for Gross Floor Area and Floor Space Ratio and their wording to ascertain what form of building is proposed see below:
gross floor area means the sum of the floor area of each floor of a building measured from the internal face of external walls, or from the internal face of walls separating the building from any other building, measured at a height of 1.4 metres above the floor, and includes:
(a) the area of a mezzanine, and
(b) habitable rooms in a basement or an attic, and
(c) any shop, auditorium, cinema, and the like, in a basement or attic,
but excludes:
(d) any area for common vertical circulation, such as lifts and stairs, and
(e) any basement:
(i) storage, and
(ii) vehicular access, loading areas, garbage and services, and
(f) plant rooms, lift towers and other areas used exclusively for mechanical services or ducting, and
(g) car parking to meet any requirements of the consent authority (including access to that car parking), and
(h) any space used for the loading or unloading of goods (including access to it), and
(i) terraces and balconies with outer walls less than 1.4 metres high, and
(j) voids above a floor at the level of a storey or storey above.
And
The floor space ratio of buildings on a site is the ratio of the gross floor area of all buildings within the site to the site area.
The submitted architectural plans in conjunction with the Statement of Environmental Effects (prepared by City Plan dated July 2019 reference #19-064) and Clause 4.6 of the LEP, seeks a variation of 15% to the maximum allowable FSR control. Council’s assessment revealed that the Floor Space Ratio breach is 100.2sqm or a 22.5% variation to Clause 4.4A of Kogarah LEP.
With reference to the definition of gross floor area:
(g) car parking to meet any requirements of the consent authority (including access to that car parking),
As per Kogarah DCP 2013; B4 - Parking and Traffic, dwelling houses are required to provide two (2) car spaces for residential dwellings. It is noted that the floor area of one (1) car parking has been calculated as per the dimensions of a car with door swing as per AS2890.1-2004 (3.0m x 5.5m = 16.5sqm). In this case, two car spaces equating to 33sqm (16.5sqm + 16.5sqm) are required to be provided as per Kogarah DCP 2013. All floor area within the garage in excess of 33sqm has contributed to floor space.
(D) Clause 4.6 Exceptions to Development Standards
22. The application was supported by a Clause 4.6 Development Standard variation request (prepared by City Plan dated July 2019 reference #19-064). In this instance the variation request is considered inadequate, particularly having regard to the matters raised above.
23. Clause 4.6(1):
“The objectives of this clause are as follows:
(a) to provide an appropriate degree of flexibility in applying certain development standards to particular development,
(b) to achieve better outcomes for and from development by allowing flexibility in particular circumstances.”
Comment: The proposed development seeks a total Floor Space Ratio (FSR) of 0.53:1, being 545.4sqm, whilst Clause 4.4A of KLEP 2012 restricts the FSR to 0.43:1, being 445.2sqm. The resultant non-compliance of 100.2sqm equates to 22.5%. The effect of this non-compliance will increase the scale of the building and its visual bulk. It is not considered appropriate to flexibly apply the standard in the circumstances of this case as the outcome of contravening with the development standard is not considered to be in the interest of the public and will have an adverse environmental impact.
24. Clause 4.6(2):
“Development consent may, subject to this clause, be granted for development even though the development would contravene a development standard imposed by this or any other environmental planning instrument. However, this clause does not apply to a development standard that is expressly excluded from the operation of this clause”
Comment: Clause 4.4A – Exceptions to floor space ratio for residential accommodation in Zone R2 identified as a development standard is not excluded from the operation of Clause 4.6.
25. Clause 4.6(3):
“Development consent must not be granted for development that contravenes a development standard unless the consent authority has considered a written request from the applicant that seeks to justify the contravention of the development standard by demonstrating:
(a) that compliance with the development standard is unreasonable or unnecessary in the circumstances of the case, and
(b) that there are sufficient environmental planning grounds to justify contravening the development standard”
The submitted 4.6 variation has responded to the FSR non-compliance by relying on the following:
· The proposal complies with the maximum building height identified in the LEP, the maximum wall height prescribed in the DCP, the minimum deep soil area as well as the front, rear and side setback controls in the DCP.
· The proposed dwelling alterations and additions will promote good residential amenity in that:
o The proposed dwelling maximises the opportunity for solar access into the dwelling from the northern elevation, through the inclusion of two courtyards and a large void.
o The proposed dwelling has good residential amenity and is an improved dwelling to what is currently on the site.
o Design has minimised windows and included privacy louvres and landscaping where there is potential for overlooking into the site.
Comment: The applicant has provided a written variation request prepared by prepared by City Plan dated July 2019 reference #19-064. A copy of this Clause 4.6 request for variation is provided for the Panel’s consideration.
26. Clause 4.6(4):
“Development consent must not be granted for development that contravenes a development standard unless:
(a) the consent authority is satisfied that:
(i) the applicant’s written request has adequately addressed the matters required to be demonstrated by subclause (3), and
(ii) the proposed development will be in the public interest because it is consistent with the objectives of the particular standard and the objectives for development within the zone in which the development is proposed to be carried out, and”
With regard to the form and content of the Clause 4.6 Variation submission it is considered to have addressed the relevant provisions, objectives, case law and information as per Clause 4.6. However, review of the submission concludes that the submission does not adequately justify the intent and purpose of the works and the necessity for the substantial increase in Floor Space Ratio.
With regard to the proposals compliance with the objectives for Clause 4.4A below:
(a) to ensure that the bulk and scale of development are compatible with the size of the lot, and
(b) to promote good residential amenity.
The proposal seeks an FSR of 0.53:1 (545.4sqm) on an allotment of 1,018sqm whereas the planning controls define a floor space for development of this type in this locality of 0.43:1 (445.2sqm). The proposal is 100.2sqm in excess of the standard. This is an excessive non-compliance with the FSR standard with minimal justification provided for the need/demand for the additional floor space, and will impose amenity impact on the amenity of surrounding properties.
It is contended that the bulk and scale resulting from this breach creates an undesirable outcome for a single dwelling house by creating a potential precedent where an excessive floor space can be proposed simply on the basis that it complies with the numerical height, setback, and landscape controls.
The design and form of the development is considered to result in significant and visually dominant built form which will adversely impact the opportunity of neighbouring properties to receive sufficient solar amenity and adequate cross ventilation. The design incorporates excessive voids across the first floor (approximately 85sqm of voids representing 36% of the floor area of the first floor).
The Clause 4.6 variation relies on compliance with two of the five justifications expressed in the Land and Environment Court decision of Wehbe -v- Pittwater City Council (2007) which set down criteria to justify a variation under State Environmental Planning Policy No.1 (Development Standards) which has been replaced in Planning Instruments by the standard Clause 4.6. The principals espoused in the Appeal do however, remain relevant for consideration.
The Applicants reliance on the first justification that “the objectives of the development standard are achieved notwithstanding non-compliance with the standard” remains questionable as, although the works will not result in increased bulk and scale when viewed directly from the Plimsoll Street, being a larger building when viewed from other aspects, it promotes a building form and site density that is not envisaged by the controls and would perpetuate similar building proposals which would undermine the intent and objectives of the controls and diminishing the amenity of adjoining properties.
In respect to Prestons CJ judgement the NSW Land and Environment Court has established the five part test (outlined above). In this case the development fails to satisfy the five part test for the following reasons:
· The objectives of the standard are not considered to be satisfied;
· The underlying objective of the standard remains relevant and therefore compliance is necessary and warranted;
· The underlying objective has not been defeated or thwarted as recent development applications within the vicinity have been designed to comply.
27. In Initial Action Pty Ltd v Woollahra Council [2018] NSWLEC 2018, Preston CJ observed that in order for there to be 'sufficient' environmental planning grounds to justify a written request under clause 4.6 to contravene a development standard, the focus must be on the aspect or element of the development that contravenes the development standard.
The applicant attempted to justify that that there are sufficient environmental planning grounds to justify contravening the development standard. Although justification has been provided in relation to the proposal complying with the height controls, setbacks, in addition to privacy, views and overshadowing, the request fails to justify contravening the development standard and fails to adequately demonstrate that there are sufficient environmental planning grounds to justify contravention so that the Council
In terms of the proposal providing sufficient planning grounds to justify contravention of the standard, the variation to the floor space development standard is considered to increase the bulk, scale and massing of the building. The visual dominance of the building will be increased and the scale of the building is larger, bulkier and inconsistent with similar developments in the immediate vicinity of the site. The proposed additional 100.2sqm internal floor space is considered to be an overdevelopment of the site.
(b) the concurrence of the Director-General has been obtained.”
Comment: The concurrence of the Director-General is assumed and has been delegated to the determining authority which is the Georges River Local Planning Panel as the non-compliance exceeds 10%.
28. Clause 4.6(5):
“In deciding whether to grant concurrence, the Secretary must consider-
(a) whether contravention of the development standard raises any matter of significance for State or regional environmental planning, and
(b) the public benefit of maintaining the development standard, and
(c) any other matters required to be taken into consideration by the Secretary before granting concurrence.”
Pursuant to Clause 4.6(5) of KLEP 2012 the matter involves a variation of 22.5% and the Secretary’s consideration of this extent of variation has been delegated to the Local Planning Panel. Therefore the Panel is required to consider the matters for consideration by the Secretary. In this instance the following is relevant:
“the public benefit of maintaining the development standard”
It is Council’s active policy to generally seek compliance with the development standards applicable and a variation of 22.5% is considered beyond what is considered acceptable when considering a variation to the standard. Approval of the subject proposal would create an unacceptable and unjustified precedent to vary the standard in the low density residential locality. Being a building larger than the set parameters, this would result in an undesirable outcome that would set an undesirable precedent; notwithstanding that part of the works would not be visible directly from Plimsoll Street. However, being an above ground construction the dwelling will result in an excessive bulk and built form when viewed from multiple aspects due to the additional 100.2sqm internal floor space. A stringent application of the FSR standard in this instance ensures a building form, scale and design that is compatible with dwelling houses in a low density residential locality.
29. On the basis of the commentary expressed above, the Clause 4.6 submission is not acceptable and would result in an undesirable precedent building form that would undermine the intent of the development standard as it applies to the low density residential area.
DEVELOPMENT CONTROL PLANS
30. The proposed development is subject to the provisions of the Interim Policy - Georges River Development Control Plan 2020 and the Kogarah Development Control Plan 2013. The following comments are made with respect to the proposal considering the objectives and controls contained within both DCPs.
Interim Policy Georges River Development Control Plan 2020
31. The proposed development is subject to the provisions of the Interim Policy Georges River DCP 2020. Only the applicable aspects have been assessed with respect to the Interim DCP. All other aspects have been thoroughly assessed under Kogarah DCP 2013. The aim of an Interim Policy is to set a consistent approach for the assessment of residential development within the Georges River Local Government Area, until such a time as a comprehensive DCP is prepared and implemented. Comments are made with respect to the proposal satisfying the objectives and controls contained within the DCP.
|
Control |
Standard |
Proposed |
Complies |
|
Dwelling houses |
|||
|
Landscaped area |
Where located outside the FSPA, a minimum of 20% of site area is landscaped open space
The minimum dimension of landscaped open space is 2m, designed in a useable configuration A minimum of 15sqm of the landscaped open space is provided between the front setback and the street boundary in the form of a front yard |
159sqm or 15%
Landscape areas provided are a minimum 2m x 2m in dimension.
Greater than 15sqm provided |
No, refer to discussion below
Yes
Yes |
Landscaped area
32. The Georges River Council Interim DCP 2020 became effective on 22 July 2019. As part of the Interim Policy, landscaping requirements for dwelling houses across the LGA have been identified as 20% for lots outside Foreshore Scenic Protection Areas (FSPA).
The subject site being located in the former Kogarah City Council area is subject to the controls listed in the Kogarah DCP 2013. The 20% landscape requirement stipulated in the Interim Policy DCP exceeds the Kogarah DCP 2013 landscape requirements of 15%.
The subject proposal providing 159sqm or 15% of landscaping falls short of the required 20% as per the Interim DCP 2020. Notwithstanding the 5% variance, Council has not abandoned Kogarah DCP 2013 controls and has applied it consistently to applications in the former Kogarah City Council LGA boundary. In this case, and with reference to Kogarah DCP 2013, 1.3 Open Space (1) the 15% of landscaping provided is considered to comply with the 15% landscape requirements of KDCP 2013.
C1- Low Density Housing
|
Control |
Standard |
Proposed |
Complies |
|
1.2 Building Scale and Height |
|||
|
1.2.1 Floor space Requirements
|
(5) Blank walls and flat facades should be avoided. Walls longer than 10m should be articulated by a minimum 300mm projection or indentation in the façade.
(6) The overall building should present a building mass that is in proportion with the allotment size, provides opportunities for modulation and articulation of the building and does not detract from the satisfaction of any other applicable design principle.
(7) Where proposed development includes a two (2) residential level element, then the second level should not extend beyond 60% of the depth of the allotment measured from the street boundary. Where side boundaries are of varying length, the second level is limited to a line across the block between the points on both boundaries. |
The proposed development is sufficiently articulated albeit the bulk exceeds that envisaged in this zone.
The proposed building mass is not considered to be suitable for the allotment size as the proposal exceeds the floor space ratio development standard. The Clause 4.6 variation the development standard has not been supported by the assessing officer.
60% depth = 30.36m
Proposed first floor element= 31m
Difference: 640mm |
Yes
No, refer to comment (E)
No
|
|
1.2.2 Building Heights
|
(1) The maximum building height must comply with the requirements specified in table below:
Dwelling Type Single dwelling;
Maximum Height 7.2m to the underside of the upper ceiling; 7.8m to the top of the parapet; |
7.14m
7.64m
|
Yes
Yes
|
|
1.2.3 Rhythm of the Built Elements in the Streetscape
|
(1) The primary building façade should not exceed 40% of the overall width of the total frontage. (2) The secondary building façade should be set back a minimum of 1.5 metres from the primary building façade.
(3) Where the dominant built form in the streetscape provides for a pitched hip or gable ended presentation to the street, the new buildings and/or additions should reflect that roof form. |
The primary façade does not exceed 40% the width of the frontage.
The proposed secondary building façade is setback 1.5m from the primary.
The streetscape is characterised by a mix of pitched and parapet roofs. The proposed development incorporates a parapet design which is acceptable. |
Yes
Yes
Yes |
|
1.2.4 Building Setbacks
|
1.2.4.2 Front Setbacks
(1) Where the setback of an adjacent building is greater than 5m, an appropriate setback may be achieved by ensuring development is set back:
(i) the same distance as one or the other of the adjoining buildings, provided the difference between the setbacks of the two adjoining buildings is less than or equal to 2.0m (Figure 9); or
1.2.4.3 Side & Rear Setbacks
(1) The side and rear boundary setbacks should comply with the table below.
Rear Setback Buildings are to have a minimum rear setback of 15% of the average site length, or 6m, whichever is greater.
Side Setbacks For buildings having a wall height of 3.5m or less, the minimum side boundary setback is 900mm.
For buildings having a wall height of greater than 3.5m, the minimum side boundary setback is 1200mm. |
The proposed ground floor has an average setback of 7.2m.
15% equates to 7.6m. Development is setback 14.7m
Northern side setback Ground floor: 1.2m First floor: 1.2m
Southern side setback Ground floor: 1.2m First floor: 1.5m
|
Yes
Yes
Yes
Yes
|
|
1.2.5 Fenestration and External Materials |
(1) New buildings and alterations and additions should present a primary building façade and roofing that is constructed of materials, and within a colour range, that is complementary to the dominant character of buildings in the streetscape.
(2) Garage doors should not dominate the street front elevation (Figure 16).
(3) The roof should be similar to the angle of pitch, materials and colour of roofs in the streetscape (Figure 14).
(4) The colours of garages, window frames, and balustrading on main facades and elevations are to be integrated with the external design of the building.
(5) Glazing shall be limited to a maximum 35% of the total area of the overall street front façade. This includes both primary and secondary façade bays (Figure 15).
(6) Where garaging is in the front façade it should be limited to a maximum of two garage bays, with separate garage door openings of a maximum width of 3m. |
The proposed development is considered to be consistent with the modern design demonstrated throughout the immediate vicinity.
The proposed development includes one garage door approximately 6.1m.
The immediate vicinity demonstrates both pitched and parapet roofs, the proposal is consistent with the streetscape.
The external facades of the proposed development are considered appropriate for the locality.
The proposed front façade does not exceed the maximum 35% glazing.
Although the proposal has one double garage door, the streetscape includes several examples of such garage doors (36, 39, 29 Plimsoll Street). |
Yes
Yes
Yes
Yes
Yes
Yes
|
|
1.2.6 Street Edge |
(1) New developments should provide front fencing that complements fencing within the streetscape.
(2) Fencing is to be consistent with the requirements of Section 4.2.
(3) Existing vegetation in the front building line setback or on the street verge that contributes to the character of the streetscape should be preserved.
(4) The driveway location should not result in the removal of any street trees or removal of substantial trees on the site. |
The proposed development provides sufficient front fencing to complement the streetscape.
Fencing is consistent with the Section 4.2 requirements.
Six (6) trees have been nominated for removal. The application was referred to Council’s Consultant Arborist and the removal was supported subject to specific conditions of consent being imposed should the application be supported. No street trees were nominated for removal.
The proposed driveway does not result in the removal of any street trees. |
Yes
Yes
Yes
Yes
|
|
1.3 Open Space |
|||
|
1.3 Open Space |
(1) 15% of the site area must be deep soil landscaped area.
(2) Private open space should be adjacent to and visible from the main living and/or dining rooms and be accessible from those areas.
(3) Development should take advantage of opportunities to provide north facing private open space to achieve comfortable year round use.
(4) Where soil and drainage conditions are suitable, unpaved or unsealed landscaped areas should be maximised and designed to facilitate on site infiltration of stormwater.
(5) Existing significant trees and vegetation must be incorporated into proposed landscape treatment. |
159sqm or 15% (excluding below round OSD and below ground rainwater tank area)
The proposed development includes a satisfactory area for private open space.
The proposed private open space is appropriately located.
The landscape area calculation has excluded the turfed area above the below ground rainwater tank.
Six (6) trees have been nominated for removal. The application was referred to Council’s Consultant Arborist and the removal was supported subject to specific conditions of consent if the proposal was to be supported. No street trees were nominated for removal. |
Yes. Although the Georges River Development Control Plan 2020 Interim Policy requires 20% landscaping, Kogarah DCP requires 15% landscaping.
Yes
Yes
Yes
Yes
|
|
1.4 Vehicular access, parking and circulation |
|||
|
|
(1) Car parking is to be provided in accordance with the requirements in Section B4.
(4) Crossings are to be positioned so that on-street parking and landscaping on the site are maximised, and removal or damage to existing street trees is avoided.
(5) Garaging should be setback behind the primary façade.
(6) The maximum driveway width between the street boundary and the primary building façade is 4m.
|
The proposed development is satisfactory having regard to Section B4 of the KDCP 2013.
2 car spaces required and have been provided (additional car spaces provided have contributed to FSR)
The proposed vehicular crossing does not impact on existing on-street parking arrangements or landscaping.
The garage is setback behind the primary façade.
The proposed development includes a driveway between the side and the secondary street façade. The proposed driveway is 3.1m. |
Yes
Yes
Yes
Yes
|
|
1.5 Privacy |
|||
|
1.5.1 Visual Privacy |
(1) Windows from active rooms are to be offset between adjacent dwellings so as to avoid direct overlooking onto neighbouring windows.
(2) Where terraces and balconies are proposed and are elevated more than 1.5m above ground level (finished) and are located behind the street front façade, they are restricted to a maximum width of 2.5m and must be setback a minimum 3m from any adjoining property boundary.
(3) The area of balconies or terraces greater than 1.5m above ground level is limited to a cumulative total of 40m2 per dwelling.
(5) For active rooms or balconies on an upper level, the design should incorporate placement of room windows or screening devices to only allow oblique views to adjoining properties (Figures 18 and 19). |
Glazing adjacent to the spiral staircase on the northern façade of first floor level is considered to directly overlook into neighbouring properties, and has not been appropriately treated.
Although a side boundary balcony has been proposed along the southern façade of the first floor it has been appropriately treated by louvers as per 1.5.1 (4) Council may consider a variation to the above requirements where it is considered that the terrace or balcony will not result in a loss of privacy to neighbouring properties.
The areas of balconies great than 1.5m above ground level do not exceed 40sqm.
The proposed development is considered to have been appropriately treated to prevent any privacy concerns.
|
No
Yes
Yes
Yes |
|
1.6 Solar Access |
|||
|
|
(1) At least 50% of the primary private open space of the proposed development should have access to a minimum of four hours of sunlight between 9am–3pm on 21 June.
(3) Where the neighbouring properties are affected by overshadowing, at least 50% of the neighbouring existing primary private open space or windows to main living areas must receive a minimum of 3 hours sunlight between 9am–3pm on 21 June (Figure 21). |
The proposed private open space will receive the minimum 4 hours sunlight between 9am–3pm on 21 June.
The proposed development affects the immediate neighbour to the south, however this property receives a minimum of 3 hours sunlight between 9am–3pm to at least 50% of the existing primary private open space on 21st June. |
Yes
Yes. Although the proposed dwelling satisfies the numerical solar amenity requirements, the additional built form will prevent additional sunlight of reaching the adjoining allotments. Compliant FSR would have the ability to increase solar access to this allotment. |
|
1.7 Views and view sharing |
|||
|
|
(1) Development shall provide for the reasonable sharing of views. Note: Assessment of applications will refer to the Planning Principle established by the Land and Environment Court in Tenacity Consulting vs Warringah Council (2004) NSWLEC140 |
The proposed development is not expected to impact any adjoining properties or public space access to view corridors.
|
Yes |
|
4.2 Fences and Walls |
|||
|
4.2.1 Front Fences |
(1) In cases where an applicant can demonstrate the need for a front fence higher than 1.4m, the maximum height of the fence must not exceed 1.8m.
(2) Fences over 1.4m must be setback 1.2m from the street alignment, except where Council considers a lesser distance is warranted due to the siting of the existing residence, levels or width of the allotment or exceptional circumstances of the site. |
1.4m with the gate being 1.8m
Fence and gate elements above 1.4m have been setback 700mm in lieu of the 1.2m required.
|
Yes
No |
|
4.4 Outbuilding |
|||
|
|
(1) Outbuildings are not to be located within the front building line and must be set back 900mm from the site boundaries. Windows and glass doors must face into the yard, or be frosted if facing a neighbour’s property.
(5) Maximum height of outbuildings is 3.5m to the ridge and 2.5m to the underside of the eaves above natural ground level. |
Rear outbuilding is setback 900mm to the rear and 1.2m to the southern side boundary.
Height of the outbuilding is 3.47m.
The height to the underside of the ceiling is 3.1m. |
Yes
Yes
No |
|
4.6 Swimming pools, spas and enclosures |
|||
|
|
(1) Swimming pools/ spas should be located at the rear of properties.
(3) Swimming pools/spas must be positioned a minimum of 900mm from the property boundary with the water line being a minimum of 1500mm from the property boundary. (4) In-ground swimming pools shall be built so that the top of the swimming pool is as close to the existing ground level as possible. On sloping sites this will often require excavation of the site on the high side to obtain the minimum out of ground exposure of the swimming pool at the low side.
(7) On steeply sloping sites, Council may consider allowing the top of the swimming pool at one point or along one side to extend up to 1m above natural ground level, provided that the exposed face of the swimming pool wall is treated to minimise impact. The materials and design of the retaining wall should be integrated with, and complement the style of the swimming pool.
(8) Filling is not permitted between the swimming pool and the property boundary. The position of the swimming pool, in relation to neighbours and other residents, must be considered to minimise noise associated with activities carried out in the swimming pool or from the swimming pool equipment, such as cleaning equipment.
(10) A pool fence complying with the legislation should separate access from the residential dwelling on the site to the pool.
(11) Safety and security measures for swimming pools must comply with the relevant requirements of the Swimming Pools Act and any relevant Australian Standards. |
The proposed pool is located in the rear yard of the property.
The proposed pool waterline is located at least 1.5m from all boundaries.
The pool and paved area at the rear is proposed to be raised 450mm. (mainly due to slope of land to the back and to achieve a flat area and minimize cut).
The proposed development is not located on a steep site. The proposal for the pool is satisfactory.
The proposal does not include fill between the pool and the boundary.
Pool fencing is in accordance with the relevant Australian Standards have been proposed. If the application was to be supported a condition would be imposed accordingly.
Pool to comply with NCC and relevant Australian Standard. |
Yes
Yes
Yes
Yes
Yes
Yes
Yes |
(E) Floor Space Requirements:
33. As established in the above assessment, the proposal seeks an FSR of 0.53:1 (545.4sqm) on an allotment of 1,018sqm whereas the planning controls define a floor space for development of this type in this locality of 0.43:1 (445.2sqm). The proposal is 100.2sqm in excess of the standard. This is an excessive non-compliance with the FSR standard fails to satisfy the Floor Space Requirements objectives as set out in Clause 1.2.1 of Kogarah DCP.
The objectives of Clause 1.2.1 as per the DCP are as follows:
· In scale with the allotment size;
Comment: The floor space ratio applicable to the subject site is 0.43:1 (445.2sqm) as per the Kogarah Local Environmental Plan 2012, while the proposal seeks an FSR of 0.53:1 (545.4sqm). The proposal is not considered to be in scale with the allotment size as the FSR is in excess of the standard by 100.2sqm or 22.5%.
· Provides opportunities for modulation and articulation of the building form;
Comment: The variation to the floor space development standard is considered to increase the bulk, scale and massing of the building. The visual dominance of the building will be increased and the scale of the building is larger, bulkier and inconsistent with similar developments in the immediate vicinity of the site. The proposed additional 100.2sqm internal floor space is considered to be an overdevelopment of the site.
· Does not detract from the satisfaction of any other requirement;
Comment: The variation to the floor space development standard results in a number of variations in relation to privacy and overlooking, amenity to neighbours, in addition to failing to meet key objectives set out in Kogarah Local Environmental Plan 2012.
IMPACTS
Natural Environment
34. The proposal seeks to remove a number of onsite trees and the removal has been assessed and endorsed by Council’s Consultant Arborist. If the application was to be supported conditions would be imposed for replacement trees to be provided.
The proposed works will not directly impact the natural environment with the built form but will indirectly impact the environment through excavation works and drainage management.
Built Environment
35. The built form of the proposed development is of a bulk and scale that is inconsistent with contemporary development in the locality. The development presents unreasonable visual bulk impacts to the neighbouring properties along both the northern and southern side elevations.
The proposal will result in a dwelling of 545.4sqm, approximately 100.2sqm above the permissible floor space, resulting in an FSR of 0.53:1 and a non-compliance of 22.5%. A Clause 4.6 variation was submitted in support of the non-compliance but is considered to be inadequate. The primary building forms planning concerns relating to the long term management of the floor space usage where large void areas are proposed and have potential for alternative use in an undesirable amenity environment. The proposal is thus recommended for refusal.
During the assessment of the application the proposed stormwater drainage system was found to be unsatisfactory and unable to be supported by Council’s Development Engineer. In addition, based on the Groundwater Infiltration Assessment Report and the location of the absorption trench the ground is not considered suitable for water absorption as bedrock is experienced at a depth of only 1.3m. The result will be water runoff to downstream properties during over average rainfall events. It is also important to note that the location of the absorption system is likely to be over a Sydney Water sewer main. The plans have not indicated the invert level of the sewer main or its location with respect to the proposal.
Social Impact
36. The assessment demonstrates that the proposal in its current form will have an adverse impact on the character of the locality and the amenity of neighbouring residential properties. The environmental impacts on the social environment are considered to be unreasonable and the application is not supported.
Economic Impact
37. The proposal is not considered to result in unreasonable material economic impact.
Suitability of the Site
38. The site is zoned R2 – Low Density Residential. Whilst the proposal being a dwelling and ancillary works, is a permissible form of development in this zone, it is considered that the proposal will have an adverse impact on the adjoining properties and the streetscape in its current form. The proposal is considered to constitute an overdevelopment and ultimately the site is unsuitable for the development.
SUBMISSIONS, REFERRALS AND THE PUBLIC INTEREST
39. The application was advertised and adjoining residents were notified by letter and given fourteen (14) days in which to view the plans and submit any comments on the proposal. No submissions were received during the neighbour notification period.
Council Referrals
Development Engineer
40. Council’s assessment of the drainage system concluded that the proposal is unsatisfactory the sub-surface is not suitable for drainage by means of an absorption trench, and preferred method of drainage is through the provision of a drainage easement which has not been provided.
Consultant Arborist
41. No objections were raised for the removal of trees subject to replanting new trees, and the protection of the four (4) trees on the adjoining sites during construction, and the protection of the two (2) street trees. If the application was to be supported conditions of consent would be imposed.
External Referrals
Ausgrid
42. The application was referred to Ausgrid as per Clause 45(2) of the State Environmental Planning Policy (Infrastructure) 2007. No communication was received at the time this report was prepared (08 November 2019).
Contributions
43. The development is subject to Section 7.12 (former Section 94A Contribution) contribution as the proposed cost of works exceed $100,000.00. In accordance with Council’s Section 94A Contributions Plan 2017, Section 7.12 – Fixed Development Consent Levies are applicable to dwelling house developments. A condition of consent requiring payment of the contribution will be imposed should the application be supported.
CONCLUSION
44. Development consent is sough for the demolition of existing structures, and construction of a two storey dwelling house, swimming pool, detached cabana, and front fence.
The proposal fails to provide an adequate Clause 4.6 submission to justify the necessity for the variation of the Kogarah LEP 2012 requirement for Floor Space Ratio. The proposal seeks to vary the 0.43:1 (445.2sqm) standard to 0.53:1 (545.4sqm) for a total variation of 22.5%.
The proposal has been assessed in accordance with Section 4.15 (1) of the Environmental Planning and Assessment Act, 1979. As discussed throughout this report, the proposal fails to provide an adequate Clause 4.6 submission to justify the necessity for the variation of the Kogarah LEP 2012 requirement for Floor Space Ratio. The proposal seeks to vary the 0.43:1 (445.2sqm) standard to 0.53:1 (545.4sqm) for a total variation of 22.5%.The proposal also fails to satisfy all the R2 Low Density zone objectives and a number of DCP controls. The proposed development is not considered to be suitable for the site or its locality and is likely to set an undesirable precedent.
It is considered that the proposed development is not of a scale and design that is suitable for the site having regard to its size and shape, its topography, vegetation and relationship to adjoining developments and the lack of adequate justification supporting a significant FSR variation.
DETERMINATION AND STATEMENT OF REASONS
45. Statement of Reasons
· The proposed development is not considered to be an appropriate scale and form for the site and the character of the locality.
· The excessive non-compliance of the Floor Space Ratio standard with minimal justification provided for the need/demand for the additional floor space is considered unacceptable.
· The proposed development will have unacceptable adverse impacts on the natural and built environments.
· The proposed development will result in unacceptable adverse impacts on the amenity of adjoining residents and the locality and is likely to set an undesirable precedent.
· In consideration of the aforementioned reasons, the proposed development is not a suitable and planned use of the site and its approval is not in the public interest.
Determination
46. THAT pursuant to Section 4.16(1)(b) of the Environmental Planning and Assessment Act 1979 (as amended) Council refuses DA2019/0347 for demolition of existing structures, and construction of a two storey dwelling house, swimming pool, detached cabana, and front fence at Lot 1, DP 939418 and known as 37 Plimsoll Street, Sans Souci, for the following reasons:
1......... Pursuant to Section 4.15 (1)(a)(i) of the Environmental Planning and Assessment Act 1979, the proposed development does not comply with the following sections of Kogarah Local Environmental Plan 2012:
a. Clause 2.3 – Zone Objectives (R2 Low Density Residential);
b. Clause 4.4A – Exceptions to floor space ratio for residential accommodation in Zone R2, having regard to the extent of variation sought;
c. Clause 4.6 – Exceptions to development standards, having regard to lack of adequacy in justifying the need for development standard variation.
2......... Pursuant to Section 4.15 (1)(a)(iii) of the Environmental Planning and Assessment Act 1979, the proposed development does not comply with the following sections of Kogarah Development Control Plan 2013:
a.... Control 1.2.1 Floor Space Requirements (6) and (7);
b.... Control 1.5.1 Visual Privacy (1);
3......... The proposal is unsatisfactory having regard to Section 4.15(1)(b) of the Environmental Planning and Assessment Act 1979 as the development will cause adverse impacts upon the following aspects of the environment:
a.... Built Environment: An adverse impact would result from the proposed development on the amenity of adjoining premises relating to building bulk, scale and form, and overlooking and impacts upon adjoining neighbours. In addition, the proposed stormwater system will likely have an impact on downstream properties.
b.... Social Impacts: An adverse impact would result from the proposed development on the amenity of the locality and adjoining neighbours and general expectations for a dwelling house in a low density residential area;
4......... The proposed development is unsatisfactory having regard to Section 4.15(1)(c) of the Environmental Planning and Assessment Act 1979 the proposed development is not considered to be suitable for the site or its locality and is likely to set an undesirable precedent.
5......... Approval of the development would not be in the public interest and contrary to Section 4.15(1)(e) of the Environmental Planning and Assessment Act 1979.
|
Attachment ⇩1 |
Site Plan - 37 Plimsoll Street Sans Souci |
|
Attachment ⇩2 |
Elevations - 37 Plimsoll Street Sans Souci |
|
Attachment ⇩3 |
Finishes Schedule - 37 Plimsoll Street Sans Souci |
|
Georges River Council - Georges River Local Planning Panel (LPP) - Thursday, 21 November 2019 LPP054-19 37 Plimsoll Street Sans Souci [Appendix 1] Site Plan - 37 Plimsoll Street Sans Souci |
Page 276 |
|
Georges River Council - Georges River Local Planning Panel (LPP) - Thursday, 21 November 2019 LPP054-19 37 Plimsoll Street Sans Souci [Appendix 2] Elevations - 37 Plimsoll Street Sans Souci |
Page 277 |
|
Georges River Council - Georges River Local Planning Panel (LPP) - Thursday, 21 November 2019 LPP054-19 37 Plimsoll Street Sans Souci [Appendix 3] Finishes Schedule - 37 Plimsoll Street Sans Souci |
Page 278 |
|
Georges River Council – Local Planning Panel Thursday, 21 November 2019 |
Page 299 |
REPORT TO GEORGES RIVER COUNCIL
LPP MEETING OF Thursday, 21 November 2019
|
LPP Report No |
LPP055-19 |
Development Application No |
DA2019/0128 |
|
Site Address & Ward Locality |
83A Kyle Parade Kyle Bay Blakehurst Ward |
||
|
Proposed Development |
Alterations and additions to existing dwelling including internal excavation |
||
|
Owners |
Cai Fu Ming and Qiang En Zhen |
||
|
Applicant |
Cai Qiang c/- Minto Planning Services Pty Ltd |
||
|
Planner/Architect |
Minto Planning Services/MGA Architects Pty Ltd |
||
|
Date Of Lodgement |
9/04/2019 |
||
|
Submissions |
Nil |
||
|
Cost of Works |
$500,000.00 |
||
|
Local Planning Panel Criteria |
Variation of Floor Space Ratio Development Standard of greater than 10%. |
||
|
List of all relevant s.4.15 matters (formerly s79C(1)(a)) |
State Environmental Planning Policy 55 – Remediation of Land State Environmental Planning Policy – (Infrastructure) 2007, State Environmental Planning Policy (Vegetation in Non-Rural Areas ) 2017, State Environmental Planning Policy BASIX 2004, State Environmental Planning Policy (Coastal Management) 2018, Kogarah Local Environmental Plan 2012, Kogarah Development Control Plan 2013 |
||
|
List all documents submitted with this report for the Panel’s consideration |
Site Plan - MGA Architects Pty Ltd, Survey Plan, SurvCheck Surveyors Statement of Environmental Effects - Minto Planning Services Clause 4.6 Variation Submission - Minto Planning Services
|
||
|
Report prepared by |
Consultant Planner |
||
|
|
Summary of matters for consideration under Section 4.15 Have all recommendations in relation to relevant s4.15 matters been summarised in the Executive Summary of the assessment report? |
Yes |
|
Legislative clauses requiring consent authority satisfaction Have relevant clauses in all applicable environmental planning instruments where the consent authority must be satisfied about a particular matter been listed and relevant recommendations summarised, in the Executive Summary of the assessment report? |
Yes |
|
Clause 4.6 Exceptions to development standards If a written request for a contravention to a development standard (clause 4.6 of the LEP) has been received, has it been attached to the assessment report? |
Yes - Variation to Floor Space Ratio Standard |
|
Special Infrastructure Contributions Does the DA require Special Infrastructure Contributions conditions (under s7.24)? |
Not Applicable |
|
Conditions Have draft conditions been provided to the applicant for comment? |
No, the application is recommended for refusal. The refusal reasons can be viewed when the report is published |
|
Site Plan – allotment outlined in blue. |
Executive Summary
Proposal
1. The development application seeks development consent for additions and alterations to an existing multi-level terraced dwelling house (325sqm floors pace) in the form of a semi-basement excavated development accommodating both habitable and non-habitable floors pace which will exceed the permissible Floor Space Ratio applicable to the land.
Site and Locality
2. The application applies to land known as 83A Kyle Parade, Kyle Bay and legally described as Lot 2 in DP 505481. The site is a battle-axe allotment located on the eastern side of Kyle Parade, 100m north east of the intersection with Riverview Avenue and Cross Street. The site has a 5.325m frontage to Kyle Parade and the eastern boundary directly fronts Kyle Bay. The land has a total site area of 872.6sqm and slopes to the street to Kyle Bay.
3. Adjoining the site to the north and south and opposite to the west are existing one and two storey dwelling houses. These dwellings are a mixture of older style brick and tile homes along with modern/contemporary dwellings up to 3 or 4 storeys.
4. The site is affected by a Foreshore Building Line restriction of 15m from the Mean High Water Mark (MHWM). It is noted that the proposed works are located behind the existing building on site therefore not encroaching upon the 15m setback from the MHWM.
Zoning and Permissibility
5. The subject site is zoned R2 - Low Density Residential, the proposed development is defined as a “Dwelling house” in Kogarah Local Environmental Plan 2012 (KLEP). The proposal is a permissible form of development with Council’s consent.
Submissions
6. No public submissions were received at the close of the public exhibition period or at the time this report was prepared (6 November 2019).
Reasons for Referral to the Local Planning Panel
7. This application is referred to the Local Planning Panel for determination as the proposal seeks a variation of the Floor Space Ratio (FSR) development standard applicable to the land of greater than 10%, as referenced in the 9.1 Ministerial Direction of 23 February 2018.
Planning and Design Issues
8. The proposal fails to provide an adequate Clause 4.6 submission to justify the necessity for the variation of the Kogarah LEP2012 requirement for Floor Space Ratio. The proposal seeks to vary the 0.478:1 (417sqm) standard to 0.59:1 (517sqm) being a variation of 24%. The proposal is also considered to be inconsistent with Objective (a) of Clause 4.4 Floor Space Ratio relating to unreasonable intensity of development.
9. The proposal fails to provide adequate information relating to the carrying out and management of excavation of the land having regard to the location of services in proximity to the proposed works and the treatment/transfer of any contaminated soil, identified with high Copper levels, from the site. The proximity of the proposed excavation works to neighbouring lands, warrants preparation of dilapidation reports. It is acknowledged if the development was to be supported these reports would be required as a condition of consent.
10. The proposal will involve construction of large new retaining walls and also replacement of existing structural support beams and walls of the dwelling, however, no details have been provided on the structural nature of these walls and the management of drainage around the walls during and post the works.
11. The proposal has not provided a Soil and Sedimentation Plan or Stormwater Management Plan for the control of drainage runoff during and post construction, into Kyle Bay.
Conclusion
12. The application has been assessed having regard to the Matters for Consideration under Section 4.15 of the Environmental Planning and Assessment Act 1979, the provisions of the relevant State Environmental Planning Policies, Local Environmental Plan and Development Control Plans. The following deficiencies have been identified:
a. The proposal does not provide a satisfactory Clause 4.6 Variation submission to address the variation of the Clause 4.4A Floor Space Ratio development standard by 24% and is inconsistent with the Floor Space Ratio Objective 4.4.(a) relating to unreasonable intensity of development.
b. The Construction Methodology Report does not adequately address the excavation construction works, considering the likely impacts on existing services, need for disposal/treatment of contaminated soil and the potential structural impacts on the existing neighbouring housing.
c. The proposal lacks a Soil and Sedimentation Plan and Stormwater Management Plan for the control of quality and quantity of runoff into Kyle Bay.
d. The lack of structural detail provided to address the staging of construction of significant new retaining walls and structural beams and drainage works required to service the retaining walls.
Report in Full
PROPOSAL
13. Council is in receipt of an application seeking approval for the additions and alterations to an existing dwelling house with internal excavation works over four (4) levels. The proposed works are illustrated in Figures 2 and 3 below and specifically relate to:
Demolition:
Demolition of existing internal walls, the creation of new openings in external walls resulting from the additional floor area following excavation.
Existing Dwelling Additions
Level 1:
Excavation behind the existing Rumpus/Spa area to accommodate new storage rooms, bathroom, theatre with a passageway to the new lift.
Level 2:
Excavation behind existing bedrooms, bathroom and WC to accommodate a new study, lift, lobby and extension of the existing guest bedroom.
Level 3:
Excavation behind existing kitchen, dining and lounge to accommodate a bathroom, store room and lift installation.
Level 4:
Installation of the new lift as part of entry foyer level.

Figure 2: Proposed Development (Source: MGA Architects, 2019).

Figure 3: Proposed site and roof plan, (Source: MGA Architects, 2019).
THE SITE AND LOCALITY
14. The site is identified as Lot 2 DP 505481 being 83A Kyle Parade, Kyle Bay. The site is located on the eastern side of Kyle Parade approximately 100m north east of the intersection between Kyle Parade, Cross Street and Riverview Avenue. The locality is generally residential in character of various scale and form.
15. The site is battle-axe shaped allotment with a 5.325m frontage to Kyle Parade, a 80.465m northern side boundary adjoining 79 and 81 Kyle Parade, a 30.48/37.015m southern side boundary and 12.04m western boundary adjoining 83 Kyle Parade and the eastern boundary directly fronts Kyle Bay. The land has a total site area of 872.6sqm.
16. Existing on site is a multi-level rendered and painted masonry dwelling, outdoor swimming pool and a jetty. The site is landscaped and this will not be impacted by the proposal.
17. The site, excluding the access driveway handle, has a fall of 12.122m measured from the south west corner of the boundary (RL 13.171) to the rear boundary (RL 1.049), being the Kyle Bay frontage over a distance of 37m (1:3).
18. The site is affected by a Foreshore Building Line restriction of 15m from the Mean High Water Mark (MHWM). It is noted that the proposed works are located behind the existing building on site therefore not encroaching upon the 15m setback from the MHWM.
19. Adjoining the site to the north and south and opposite to the west are existing one and two storey dwelling houses. These dwellings are a mixture of older style brick and tile homes along with modern contemporary dwellings being 3 or 4 storeys.

Figure 4: Aerial Locality Plan for 83A Kyle Parade, (Source: Nearmaps, 2019)
20. The subject land is located approximately 500m south of Merriman Reserve, The Green, Connells Point Public School and Connells Point Sailing Club. The property is approximately 1.5km from the intersection between Terry Street and King Georges Road where bus services are available between Hurstville, Rockdale and Sutherland Shire.
BACKGROUND
21. There are no recent relevant applications pertinent to this allotment.
22. Council on 23 May 2019 initially raised issues relating to exceedance of the permissible floor space ratio (FSR), dimensioning of the floor plans and adequacy of the Construction Methodology Report.
23. Applicant lodged additional information in response to these issues on 15 July 2019.
STATE ENVIRONMENTAL PLANNING POLICIES (SEPP)
24. Compliance with the relevant state environmental planning policies is summarised in the table, and discussed in more detail below.
|
State Environmental Planning Policy |
Complies |
|
Greater Metropolitan Regional Environmental Plan No 2 – Georges River Catchment |
No |
|
State Environmental Planning Policy (Building Sustainability Index: BASIX) 2004 |
Yes |
|
State Environmental Planning Policy No 55 - Remediation of Land |
No |
|
State Environmental Planning Policy (Infrastructure) 2007 |
Yes |
|
State Environmental Planning Policy (Vegetation in Non-Rural Areas) 2017 |
Yes |
|
State Environmental Planning Policy (Coastal Management) 2018 |
Yes |
Greater Metropolitan Regional Environmental Plan No 2 – Georges River Catchment
25. The main aims and objectives of this plan are (not limited to);
· to maintain and improve the water quality and river flows of the Georges River and its tributaries and ensure that development is managed in a manner that is in keeping with the national, State, regional and local significance of the Catchment,
· to protect and enhance the environmental quality of the Catchment for the benefit of all users through the management and use of the resources in the Catchment in an ecologically sustainable manner,
· to ensure consistency with local environmental plans and also in the delivery of the principles of ecologically sustainable development in the assessment of development within the Catchment where there is potential to impact adversely on groundwater and on the water quality and river flows within the Georges River or its tributaries,
· to establish a consistent and coordinated approach to environmental planning and assessment for land along the Georges River and its tributaries and to promote integrated catchment management policies and programs in the planning and management of the Catchment,
26. The application is not accompanied by a concept stormwater plan and the application relies upon the existing stormwater system servicing the existing dwelling. The works will involve extensive excavation works and construction of new retaining walls requiring suitable drainage. No Soil and Sedimentation Plan has been lodged in support of the proposal and is required to ensure the quality of runoff draining into Kyle Bay is acceptable and appropriately controlled.
27. The proposal is considered to be inconsistent with the aims, objectives and purpose of the Regional Plan.
State Environmental Planning Policy (Building Sustainability Index: BASIX) 2004
28. BASIX Certificate No.A268083_04 dated 31 March 2019 prepared by Max Brightwell has been issued for the proposed development and the development can meet the provisions and minimum requirements of BASIX in terms of water, thermal comfort and energy efficiency.
State Environmental Planning Policy No 55 - Remediation of Land
29. SEPP 55 aims to promote the remediation of contaminated land in order to reduce the risk of harm to human health or any other aspect of the environment.
30. Clause 7 requires contamination and remediation to be considered in determining a development application. The consent authority must not consent to the carrying out of development on land unless it has considered whether or not the land is contaminated.
31. A review of the site history indicates that the site has been used for residential purposes for extended periods of time, and such uses and/or development are not typically associated with activities that would result in the contamination of the site. The Soil Contamination and Waste Classification Screening Report that accompanies the application, prepared by JK Environments, identifies a high level of Copper contaminant at the site. In this regard, no further assessment was warranted with regard to site contamination subject to any soil removed being suitably disposed of at appropriately licensed facilities. If this application was to be support than an appropriate condition could be imposed to address this issue.
Draft Remediation of Land SEPP
32. The Department of Planning and Environment has announced a Draft Remediation of Land SEPP which will repeal and replace the current State Environmental Planning Policy No 55 — Remediation of Land.
33. The main changes proposed include the expansion of categories of remediation work which requires development consent, a greater involvement of principal certifying authorities particularly in relation to remediation works that can be carried out without development consent, more comprehensive guidelines for Councils and certifiers and the clarification of the contamination information to be included on Section 149 Planning Certificates.
34. Whilst the proposed SEPP will retain the key operational framework of SEPP 55, it will adopt a more modern approach to the management of contaminated land. The Draft SEPP will not alter or affect the findings in respect to contamination of the Site. Should the application be approved appropriate conditions should be included in respect to any potential Copper contaminated soil or asbestos removal and an unexpected finds condition would ensure that if any trace of contamination is found appropriate measures in accordance with EPA requirements are implemented.
State Environmental Planning Policy (Vegetation in Non-Rural Areas) 2017
35. The Vegetation SEPP regulates clearing of native vegetation on urban land and land zoned for environmental conservation/management that does not require development consent.
36. The Vegetation SEPP applies to clearing of:
(a) Native vegetation above the Biodiversity Offset Scheme (BOS) threshold where a proponent will require an approval from the Native Vegetation Panel established under the Local Land Services Amendment Act 2016; and
(b) Vegetation below the BOS threshold where a proponent will require a permit from Council if that vegetation is identified in the council’s development control plan (DCP).
37. The Vegetation SEPP repeals clause 5.9 and 5.9AA of the Standard Instrument - Principal Local Environmental Plan with regulation of the clearing of vegetation (including native vegetation) below the BOS threshold through any applicable DCP.
38. The proposed development does not involve the removal of trees or vegetation.
State Environmental Planning Policy (Coastal Management) 2018
39. SEPP (Coastal Management) 2018 updates and consolidates three SEPPs (SEPP 14 Coastal Wetlands, SEPP 26 Littoral Rainforests, SEPP 71 Coastal Protection) into one integrated Policy and is a matter for consideration for the current DA.
40. Under SEPP (Coastal Management) 2018, the subject site is mapped as a Coastal Environment area and a Coastal Use area. These have the following management objectives under the SEPP:
(a) to protect and enhance the coastal environmental values and natural processes of coastal waters, estuaries, coastal lakes and coastal lagoons, and enhance natural character, scenic value, biological diversity and ecosystem integrity,
(b) to reduce threats to and improve the resilience of coastal waters, estuaries, coastal lakes and coastal lagoons, including in response to climate change,
(c) to maintain and improve water quality and estuary health,
(d) to support the social and cultural values of coastal waters, estuaries, coastal lakes and coastal lagoons,
(e) to maintain the presence of beaches, dunes and the natural features of foreshores, taking into account the beach system operating at the relevant place,
(f) to maintain and, where practicable, improve public access, amenity and use of beaches, foreshores, headlands and rock platforms.
41. The following is an assessment of the matters for consideration listed under the SEPP as applicable to the Coastal Environment Area and Coastal Use Area.
|
SEPP Control |
Proposal |
Complies |
|
13. Development on land within the coastal environment area |
|
|
|
(1) Development consent must not be granted to development on land that is within the coastal environment area unless the consent authority has considered whether the proposed development is likely to cause an adverse impact on the following: |
|
|
|
(a) the integrity and resilience of the biophysical, hydrological (surface and groundwater) and ecological environment, |
Surface water runoff is proposed to be managed in accordance with the existing stormwater drainage, direct to Kyle Bay, which presently services the dwelling. The proposed excavation and retaining wall treatments have not been addressed as part of the management of stormwater runoff. |
No – see discussion below |
|
(b) coastal environmental values and natural coastal processes, |
||
|
(c) the water quality of the marine estate (within the meaning of the Marine Estate Management Act 2014), in particular, the cumulative impacts of the proposed development on any of the sensitive coastal lakes identified in Schedule 1, |
The site is not located on any of the sensitive coastal lakes identified in Schedule 1. |
Not applicable |
|
(d) marine vegetation, native vegetation and fauna and their habitats, undeveloped headlands and rock platforms, |
An ecologist report has not been submitted to address the impact upon native flora and fauna, the connectivity to the Georges River foreshore, geological features or hydrology/water quality. A detailed assessment cannot be carried out as insufficient information has been provided relating to the control and discharge of stormwater. |
No – see discussion below |
|
(e) existing public open space and safe access to and along the foreshore, beach, headland or rock platform for members of the public, including persons with a disability, |
The subject site is privately owned and there is no public access to Georges River. |
Yes |
|
(f) Aboriginal cultural heritage, practices and places, |
The site is not known as a place of Aboriginal significance. There is no impact in terms of Aboriginal heritage. |
Yes |
|
(g) the use of the surf zone. |
The development is not located near the surf zone. |
Not applicable |
|
(2) Development consent must not be granted to development on land to which this clause applies unless the consent authority is satisfied that: |
|
|
|
(a) the development is designed, sited and will be managed to avoid an adverse impact referred to in subclause (1), or |
The existing dwelling on the land is located within the coastal environment area. The proposed works will create potential sedimentation and poor water quality impacts. The proposal in its current form is not supported. |
No – see discussion below |
|
(b) if that impact cannot be reasonably avoided—the development is designed, sited and will be managed to minimise that impact, or |
||
|
(c) if that impact cannot be minimised—the development will be managed to mitigate that impact |
||
|
14 Development on land within the coastal use area |
|
|
|
(1) Development consent must not be granted to development on land that is within the coastal use area unless the consent authority: |
|
|
|
(a) has considered whether the proposed development is likely to cause an adverse impact on the following: |
|
|
|
(i) existing, safe access to and along the foreshore, beach, headland or rock platform for members of the public, including persons with a disability, |
The proposed development does not provide public access to the Georges River. |
Not applicable |
|
(ii) overshadowing, wind funnelling and the loss of views from public places to foreshores, |
There are no unreasonable overshadowing impacts generated by the proposal on public places or the foreshore/waterways. It should be noted there are currently no views from the public domain to the waterways that would be impacted by this proposed development. |
Yes |
|
(iii)the visual amenity and scenic qualities of the coast, including coastal headlands, |
The proposal has no impact on the visual quality when viewed from the waterways. |
Yes |
|
(iv)Aboriginal cultural heritage, practices and places, |
The property is not a known site of Aboriginal heritage. |
Yes |
|
(v) cultural and built environment heritage, and |
The site does not contain or adjoin any heritage items. |
Yes |
|
(b) is satisfied that: |
|
|
|
(i) the development is designed, sited and will be managed to avoid an adverse impact referred to in paragraph (a), or |
The proposal is not supported in its current form. The proposal has a number of issues with regards to works associated with the development works. A detailed assessment can’t be carried out as insufficient information has been provided. |
No |
|
(ii) if that impact cannot be reasonably avoided—the development is designed, sited and will be managed to minimise that impact, or |
||
|
(iii) if that impact cannot be minimised—the development will be managed to mitigate that impact, and |
||
|
(c) has taken into account the surrounding coastal and built environment, and the bulk, scale and size of the proposed development. |
Development is non-compliant with regards to Floor Space Ratio and Gross Floor Area development standard. The proposed modified dwelling is considered excessive in bulk and scale and does not satisfy built form controls and objectives in Kogarah Local Environmental Plan and Kogarah Development Control Plan. |
No |
42. Generally, the proposed development is consistent with the management objectives of the SEPP. However, the application is not supported by documentation addressing the impact upon threatened native flora and fauna, the connectivity to the Georges River foreshore, geological features and hydrology/water quality.
43. A detailed assessment cannot be undertaken as insufficient information has been provided.
ENVIRONMENTAL PLANNING INSTRUMENTS
Kogarah Local Environmental Plan 2012 (KLEP)
44. The subject site is zoned R2 - Low Density Residential and the proposed development is defined as a “Dwelling house” in KLEP 2012. The proposal is a permissible form of development with Council’s consent. The proposed development satisfies the objectives of the zone as follows:
Objectives of R2 Zone
· To provide for the housing needs of the community within a low density residential environment.
· To enable other land uses that provide facilities or services to meet the day to day needs of residents.
45. The subject application seeks to increase the floor space within the existing four bedroom dwelling and will not result in any additional housing in this locality. The additions provide for storage space, increase in size of the existing guest bedroom, new toilets/bathrooms, lift installation throughout and a new study and theatre.
46. The proposal will not accommodate any other land uses which would provide facilities or services for the residents.
47. The proposal, being a residential improvement, is considered to be consistent with the objectives.

Figure 5: Zoning map of 83a Kyle Parade (Source: Intramaps, 2019)
48. The table below addresses the proposed development against the relevant provisions of the Kogarah Local Environmental Plan:
Part 2 - Permitted or prohibited development
|
Applicable LEP Clause |
Standards |
Proposal |
Complies |
|
2.7 Demolition requires development consent |
The demolition of a building or work may be carried out only with development consent. |
Proposed partial demolition of walls to facilitate site excavation. |
Yes
|
Part 4 - Principal Development Standards
|
Applicable LEP Clause |
Standards |
Proposal |
Complies |
|
4.1B Minimum lot size for dual occupancies
|
(2) Despite clause 4.1, development consent must not be granted for the erection of a dual occupancy on a lot unless:
(a) the lot is at least the minimum lot size shown on the Lot Size for Dual Occupancies Development Map in relation to that land,
The Minimum Lot size requirement is 1000m² |
The proposal does not seek to develop a Dual Occupancy. The lot is 872.6sqm in area and would not achieve the lot area requirement.
|
Yes as the application is not seeking works to create a Dual Occupancy. |
|
4.3 Height of Buildings |
(2) The height of a building on any land is not to exceed the maximum height shown for the land on the Height of Buildings Map - 9.0m |
The proposal seeks no increase in height of the existing dwelling. The new lift has been designed so there is no mechanical plant on the roof. |
Yes. |
|
4.4 Floor Space Ratio |
The objectives of this clause are as follows: (a) to ensure the intensity of development is compatible with the desired future character and zone objectives for the land, (b) to limit the bulk and scale of development. |
The proposal seeks an increase in permissible FSR by 24%. This raises concern with the overall intensity of the development. |
No (1) |
|
4.4A Floor Space Ratio |
(2) The floor space ratio for residential accommodation on land in Zone R2 Low Density Residential is not to exceed the maximum floor space ratio calculated as 0.478:1 |
The proposal seeks a Floor Space Ratio of 0.59:1, representing a non-compliance of 24% or 100sqm. |
No (1) |
|
4.6 Exceptions to development standards |
(3) Development consent must not be granted for development that contravenes a development standard unless the consent authority has considered a written request from the applicant that seeks to justify the contravention of the development standard by demonstrating:
(a) that compliance with the development standard is unreasonable or unnecessary in the circumstances of the case, and
(b) that there are sufficient environmental planning grounds to justify contravening the development standard.
(4) Development consent must not be granted for development that contravenes a development standard unless: (a) the consent authority is satisfied that:
(i) the applicant’s written request has adequately addressed the matters required to be demonstrated by subclause (3), and
(ii) the proposed development will be in the public interest because it is consistent with the objectives of the particular standard and the objectives for development within the zone in which the development is proposed to be carried out, and
(b) the concurrence of the Secretary has been obtained.
(5) In deciding whether to grant concurrence, the Secretary must consider:
(a) whether contravention of the development standard raises any matter of significance for State or regional environmental planning, and
(b) the public benefit of maintaining the development standard, and
(c) any other matters required to be taken into consideration by the Secretary before granting concurrence.
|
The proposal is accompanied by a Clause 4.6 variation to support the breach of the Floor Space Ratio standard under Clause 4.4A. |
No (2) |
Part 5 - Miscellaneous Provisions
|
Applicable LEP Clause |
Standards |
Proposal |
Complies |
|
5.7 Development below mean high water mark |
(1) The objective of this clause is to ensure appropriate environmental assessment for development carried out on land covered by tidal waters.
(2) Development consent is required to carry out development on any land below the mean high water mark of any body of water subject to tidal influence (including the bed of any such water). |
The proposal does not involve works below the Mean High Water Mark. |
Yes |
|
5.10 Heritage Conservation |
(2) Requirement for consent Development consent is required for any of the following:
(a) demolishing or moving any of the following or altering the exterior of any of the following (including, in the case of a building, making changes to its detail, fabric, finish or appearance):
(i) a heritage item,
(ii) an Aboriginal object,
(iii) a building, work, relic or tree within a heritage conservation area, |
The subject land is not identified as being a Heritage Item or within a Conservation Area.
|
Yes |
|
5.11 Bush Fire Hazard Reduction |
Bush fire hazard reduction work authorised by the Rural Fires Act 1997 may be carried out on any land without development consent. |
The subject land is not within a bush fire prone area. |
Yes |
Part 6 - Additional Local Provisions
|
Applicable LEP Clause |
Standards |
Proposal |
Complies |
|
6.1 Acid Sulfate Soils |
(2) Development consent is required for the carrying out of works described in the Table to this subclause on land shown on the Acid Sulfate Soils Map as being of the class specified for those works. |
The proposal results in considerable excavation into the slope. The land is not identified as being within Acid Sulfate Soil areas. |
Yes |
|
6.2 Earthworks |
(2) Development consent is required for earthworks unless:
(a) the earthworks are exempt development under this Plan or another applicable environmental planning instrument, or
(b) the earthworks are ancillary to development that is permitted without consent under this Plan or to development for which development consent has been given.
(3) Before granting development consent for earthworks (or for development involving ancillary earthworks), the consent authority must consider the following matters:
(a) the likely disruption of, or any detrimental effect on, drainage patterns and soil stability in the locality of the development,
(b) the effect of the development on the likely future use or redevelopment of the land,
(c) the quality of the fill or the soil to be excavated, or both,
(d) the effect of the development on the existing and likely amenity of adjoining properties,
(e) the source of any fill material and the destination of any excavated material,
(f) the likelihood of disturbing relics,
(g) the proximity to, and potential for adverse impacts on, any waterway, drinking water catchment or environmentally sensitive area,
(h) any appropriate measures proposed to avoid, minimise or mitigate the impacts of the development. |
The proposal will result in excavation to accommodate the new built form. No details have been provided relating to the quantities of excavated materials involved or extent of works. It is noted in the Construction Report that the excavation will be undertaken by hand only, as the site constraints are such that machinery cannot access the area where the work is to take place.
Excavation works will be undertaken in the south-western corner of the allotment where it is noted that a sewer line and stormwater lines are located, see Figure 4, below. No assessment of the likely impacts associated with the excavation material on the land, neighbouring lands or the waterway has been lodged with the application. |
No (3) Inadequate information has been submitted detailing the volume of excavated material, sedimentation/ siltation controls, detail on the condition of the existing boundary/side walls and a plan of existing services that may be impacted. |
|
6.3 Flood planning |
(2) This clause applies to:
(a) land identified as “Flood planning area” on the Flood Planning Map, and
(b) other land at or below the flood planning level. |
The subject land is not identified as being flood prone land or it being a flood affected lot. |
Yes |
|
6.4 Limited development on foreshore area |
(2) Development consent must not be granted to development on land in the foreshore area except for the following purposes:
(a) the extension, alteration or rebuilding of an existing building wholly or partly in the foreshore area,
(b) the erection of a building in the foreshore area, if the levels, depth or other exceptional features of the site make it appropriate to do so,
(c) boat sheds, sea retaining walls, wharves, slipways, jetties, works to enable pedestrian access to the waterway, swimming pools, fences, cycleways or walking trails.
(3) Development consent must not be granted under this clause unless the consent authority is satisfied that:
(a) the development will contribute to achieving the objectives for the zone in which the land is located, and
(b) the appearance of any proposed structure, from both the waterway and adjacent foreshore areas, will be compatible with the surrounding area, and
(c) the development will not cause environmental harm such as: (i) pollution or siltation of the waterway, or (ii) an adverse effect on surrounding uses, marine habitat, wetland areas, fauna and flora habitats, or (iii) an adverse effect on drainage patterns, |
The existing development in the site is forward of the foreshore building line, however the proposed works do not result in any of the additions being within this part of the site. Rock outcrops are to be removed as part of the excavation. The works will result in new excavation of top soil/fill to accommodate new retaining walls which will disturb existing soil and potentially result in siltation or sedimentation concerns. The proposal was not supported by a Sedimentation & Soil Control Plan for the construction period or onwards.
|
Yes (4) Note: Works are proposed which will result in excavation below existing built form and the excavation has the potential to result in sedimentation and slope instability for the subject and neighbouring lands. |
(1) Clause 4.4A - Floor Space Ratio
49. The proposed development seeks a total Floor Space Ratio (FSR) of 0.59:1, being 517sqm, whilst the KLEP2012 restricts the FSR to 0.478:1, being 417sqm, resulting in a non-compliance of 100sqm equating to 24%. The Applicant has submitted a Clause 4.6 submission to vary the development standard relating to the permissible FSR which is assessed below.
50. Consideration is given to the objectives for Floor Space Ratio (FSR) under Clause 4..4 below:
The objectives of this clause are as follows:
(a) to ensure the intensity of development is compatible with the desired future character and zone objectives for the land,
(b) to limit the bulk and scale of development.
51. The proposal seeks an FSR of 0.59:1 which equates to a breach of 24% or 100sqm, in excess of the permissible FSR of 0.478:1. The exiting dwelling has a calculated floor space of 325sqm being 0.373:1. The proposal is for an additional 192sqm, being a 59% increase in floor space. This additional floor space, although not increasing the bedroom numbers, proposes a significant increase in the guest bedroom size, as well as two additional large habitable rooms, a study and theatre. Concerns are raised that the residential use will be intensified due to the scale and form of the additions, which undermine the objective of the controls with respect to scale and density. On this basis the proposal is considered to be inconsistent with the Clause 4.4 objectives.
52. Although the majority of the proposed floor space will be obscured from public view the justification for the addition non-complying floor space is not substantiated. With regard to the proposed works the following is noted:
· The original property previously had no discernible storage areas whilst the current proposal will provide approximately 80sqm of storage area, equivalent to a standard two bedroom unit. Of this storage space approximately 52.5sqm will be calculated as FSR with the remainder being under the existing ground level. This represents over 50% of the non-complying FSR will be for storage purposes.
· The proposed theatre which is greater than 50sqm in area (equivalent to a one bedroom unit) and an extension to the existing guest bedroom to be now 38sqm in area (existing Bedrooms 2 and 3 total only 28sqm combined) are considered to be excessive in area for their general purposes.
· The size of the works, the areas of certain rooms and the accessibility of individual levels by external stairs raises concerns at the potential for the proposed development to be utilised as a dual occupancy, requiring only minor modifications to include a kitchenette. This is only of concern as the requirement for lot area for a dual occupancy in this location is 1000sqm whereas the subject land is 872.6sqm.
· Had the original application for the dwelling sought the proposed 0.59:1 FSR it is likely that a different building form would have been designed to accommodate the floor space where a minimum of basement floor space would be proposed. On this basis it is considered that the proposed amendment to the approved dwelling is not the most appropriate form for a dwelling on a sloping site.
53. Any assessment of the intent and objective of the development standard must have regard to the definitions for Gross Floor Area (GFA), Floor Space Ratio (FSR) and Basement and their wording to ascertain what form of building is proposed, see below:
gross floor area means the sum of the floor area of each floor of a building measured from the internal face of external walls, or from the internal face of walls separating the building from any other building, measured at a height of 1.4 metres above the floor, and includes:
(a) the area of a mezzanine, and
(b) habitable rooms in a basement or an attic, and
(c) any shop, auditorium, cinema, and the like, in a basement or attic,
but excludes:
(d) any area for common vertical circulation, such as lifts and stairs, and
(e) any basement:
(i) storage, and
(ii) vehicular access, loading areas, garbage and services, and
(f) plant rooms, lift towers and other areas used exclusively for mechanical services or ducting, and
(g) car parking to meet any requirements of the consent authority (including access to that car parking), and
(h) any space used for the loading or unloading of goods (including access to it), and
(i) terraces and balconies with outer walls less than 1.4 metres high, and
(j) voids above a floor at the level of a storey or storey above.
And
The floor space ratio of buildings on a site is the ratio of the gross floor area of all buildings within the site to the site area.
And
basement means the space of a building where the floor level of that space is predominantly below ground level (existing) and where the floor level of the storey immediately above is less than 1 metre above ground level (existing).
54. The term basement clearly applies to works taking place below the existing ground level and the intent of the Gross Floor Area (GFA) definition is to limit this area of basement to service activities generally, being storage and car parking. It was not the intent or purpose of the GFA or FSR or basement definitions to encourage large areas of service activities or active habitable rooms in a basement environment. In this instance the guest room extension, new study and new theatre (totalling approximately 100sqm) are predominantly assessed as being at basement level and normally would not be considered acceptable within a basement, see Figure 6 below. In this particular instance the Applicant has dismissed any restriction under these definitions by claiming that the lack of added external bulk and minimal environmental amenity concerns are adequate justification for the variation of the FSR development standard.
55. It is reasonable to assume that had the Applicant sought the 0.59:1 FSR as part of the original dwelling-house approval, that a vastly different building design would have resulted.
56. It is concluded that insufficient information and justification has been lodged with the subject application to justify the large variation of permissible FSR as proposed, equating to a 24% breach. A simple statement that the works are not visible and thus have minor amenity impacts relating to bulk and visual appearance is not adequate justification to vary the FSR standard to such a degree and provide a “precedent” decision. This ideology undermines the objectives of the clause.

Figure 6: Cross Section of proposed works with ground level shown as RED dotted line (Source: Application plans)
(2) Clause 4.6 Exceptions to Development Standards
57. The modified application was supported by a Clause 4.6 Development Standard variation request. In this instance the variation request is considered inadequate, particularly having regard to the matters raised at (1) above.
58. Minto Planning Services, by submission dated 15 July 2019, has responded to the FSR non-compliance by relying upon the following :
· The proposed dwelling alterations and additions will not result in any discernible increase in the bulk and scale of development, given that the additions are wholly located within and below the existing building footprint, and as such the dwelling in my opinion will remain compatible with the size of the lot.
· The proposed dwelling alterations and additions will promote good residential amenity in that:
o There will be no external impacts upon the amenity of adjoining properties resulting from the proposed dwelling alterations and additions, particularly in relation to a loss of privacy, overshadowing or loss of outlook or views.
o The proposal will result in improved amenity for the residents of the subject dwelling as a result of improved internal access and facilities.
· The proposal is consistent with the objectives of the R2 - Low Density Residential Zone in that the proposal will continue to ensure that the site provides for the housing needs of the community within a low density residential environment through the provision of a single dwelling house which maintains its existing height, bulk and scale.
59. With regard to the form and content of the Clause 4.6 Variation submission it is considered to be an adequate submission addressing the relevant provisions, objectives and local amenity. The review of the submission, however, concludes that the submission does not adequately justify the intent and purpose of the works and the necessity for the substantial increase in FSR.
60. The conclusions reached by the Applicant relating to:
· the bulk and scale of the building being visibly unaltered; and
· the proposals compliance with the objectives of Clause 4.6; and
· the proposals compliance with the objectives for the R2 Low Density Residential Zone;
are concurred with on the basis that the works are carried out to the rear of the existing residence and are unlikely to be visible to the public, apart from additional openings, windows/doors, within the existing building façade.
61. With regard to the objectives under Clause 4.6 it is contended that the proposal is not consistent with Objective (b):
(b) to achieve better outcomes for and from development by allowing flexibility in particular circumstances.
As the proposed works are not considered to be achieving a better outcome of development of the land through an unjustified increase in the permissible Floor Space Ratio.
59. With regard to the proposals compliance with the objectives for Clause 4.4A below:
(a) to ensure that the bulk and scale of development are compatible with the size of the lot, and
(b) to promote good residential amenity.
The proposal is considered to be inconsistent. The bulk and scale of the building will appear unaltered, however, the additions would result in more than one third of the buildings floor space being located below, or partially below ground, including three habitable rooms, a theatre, study and the extended guest room. These rooms will have minimal amenity, ie natural light, air circulation, yet are rooms of significant size for rooms of a secondary nature, indeed the extended guest room is proposed to be almost three times larger than the existing second and third bedrooms.
60. It is contended that the bulk and scale, although not visually apparent, creates an undesirable outcome for a single dwelling house by creating a potential precedent where a major portion of a home can be located underground simply on the basis that it has not added external bulk. In this instance, the proposal seeks to partly utilise areas that were excavated and unfinished in the original building form, but are supporting the structure, as well as excavate further to accommodate the additional floor space. If this variation request is supported an argument is evident for a building to be designed to step down the slope on suspended slabs, rather than utilising the slope/bedrock to anchor the building, and then seek a building modification to fill in the suspended areas, similarly to the subject proposal. This approach would then circumvent any possible disputes relating to bulk and scale objectives compliance for a non-complying FSR as part of an original application.
61. The proposal seeks an FSR of 0.59:1 (517sqm) on an allotment of 872.6sqm on the waterfront, whereas the general expectancy for development in this locality would be 0.478:1 (417sqm), being 100sqm (equivalent to a large 2 bedroom unit) in excess of the standard. This is an excessive non-compliance of the FSR standard with minimal justification provided for the need/demand for the additional floor space.
62. The design and form of the development, with stair access (internal/external) as well as lift access, could provide opportunity for multiple occupancy of the building in the future. Level 1 (accommodating two bathrooms) could readily be converted for sole occupancy unit with the installation of cooking facilities and utilising external stair access. These concerns have not been adequately resolved in the design and the supporting documentation.
63. The Clause 4.6 variation relies on compliance with one of the five justifications expressed in the Land and Environment Court decision of Wehbe –v- Pittwater City Council (2007) which set down criteria to justify a variation under State Environmental Planning Policy No 1 (Development Standards) which has been replaced in Planning Instruments by the standard Clause 4.6. The principals espoused in the Appeal do however, remain relevant for consideration. The Applicant’s reliance on the first justification that:
(a) the objectives of the development standard are achieved notwithstanding non-compliance with the standard
Remains questionable as, although the works will not result in increased bulk and scale of the existing dwelling, it promotes a building form that would perpetuate similar building proposals. Approval of the subject development would encourage applications for a building form that presses the outer limits of building envelopes normally not designed for, particularly on sloping land. This design outcome would then enable lodgement of new applications to fill in undercroft areas and exceed the permitted FSR controls, further undermining the relevance of that standard. Or the excavation of rock outcrops or natural feature of the site to facilitate additional floor space without impacting externally, this is not the intent of the clause.
64. Pursuant to Clause 4.6(5) of KLEP2012 the matter involves a variation of 24% and the Secretary’s’ consideration of this extent of variation has been delegated to the Local Planning Panel. Therefore the Panel is required to consider the matters for consideration by the Secretary. In this instance the following is relevant:
(b) the public benefit of maintaining the development standard, and
65. It is Council’s active policy to generally seek compliance with the development standards applicable and a variation of 24% is considered beyond the norm. Approval of the subject proposal would create an unacceptable and unjustified precedent to vary the standard in this foreshore area. This would be an undesirable outcome notwithstanding that the majority of the works would not be readily visible. A stringent application of the FSR standard in this instance ensures a building form, scale and design that is compatible with housing generally and which does not take undue advantage of the slope of the foreshore lands.
66. On the basis of the arguments expressed above, the Clause 4.6 submission is not acceptable and would result in an undesirable precedent in building form that would undermine the intent of the development standard as it applies to the foreshore area.
67. The recent Land and Environment Court decision (Initial Action v Woollahra Municipal Council the NSW Land and Environment Court established a “five part test” for consent authorities to consider when assessing a clause 4.6 request for variation. These are set out below, together with commentary in respect of the proposed development.
|
1. the objectives of the standard are achieved notwithstanding non-compliance with the standard;
|
Comment: This has been addressed in the points above. Although works will not result in increased bulk and scale of the existing dwelling, it promotes a building form that would perpetuate similar building proposals. Approval of the subject development would encourage applications for a building form that presses the outer limits of building envelopes normally not designed for, particularly on sloping land. In addition it will seek to remove natural features which are inconsistent with the LEP objectives. |
|
2. The underlying objective or purpose of the standard is not relevant to the development and therefore compliance is unnecessary;
|
Comment: The proposed works are accommodated beneath the existing dwelling and excavated into the hillside, resulting in works that do not significantly add to the original bulk and scale of the dwelling. The purpose of standard is to control the bulk and scale of built form, particularly in foreshore locations due to impacts on views, loss of natural features and visual impact from waterways. The proposal, in isolation, is unlikely to result in impacts of this nature; however, support of the unjustified increased FSR sets a precedent for bulkier building forms on sloping sites. Had the proposed FSR been sought as part of original dwelling house approval the building form would have been vastly different and the non-complying FSR could have been relevant grounds for a refusal. |
|
3. The underlying object or purpose would be defeated or thwarted if compliance was required and therefore compliance is unreasonable; |
Comment: The underlying object or purpose of the control will not be thwarted or defeated if compliance is achieved. Compliance with the standard is reasonable and may be achievable through possible modification of the layout design, including reconsideration of the suitability of the excavated area for habitable floor space and/or the reduction in size of the habitable rooms. |
|
4. The development standard has been virtually abandoned or destroyed by the council’s own actions in granting consents departing from the standard and hence compliance with the standard is unnecessary and unreasonable; |
Comment: No evidence of the abandonment of the standard by Council has been submitted by the Applicant. Council has continued to pursue development compliance with the FSR standard.
|
|
5. The compliance with development standard is unreasonable or inappropriate due to existing use of land and current environmental character of the particular parcel of land. That is, the particular parcel of land should not have been included in the zone. |
Comment: The subject land is foreshore frontage low density residential land and the FSR standard application to the land is most appropriate. No evidence has been submitted by the Applicant to support an argument that the particular land should not have been included in the zone. It is relevant that this development standard has particular application to foreshore lands as a means to control bulk, scale and form, and protection of the nature features to ensure protection of local amenity and to restrict development form to an acceptable scale for all. |
(3) Clause 6.2 Earthworks
68. The proposal will result in excavation to accommodate the new built form. No details have been provided relating to the quantities of excavated materials involved or the extent of works proposed. It is noted in the Construction Report that the excavation will be undertaken by hand only as the site constraints are such that machinery cannot access the area where the excavation is to take place.
The objective of this clause is to ensure that earthworks for which development consent is required will not have a detrimental impact on environmental functions and processes, neighbouring uses, cultural or heritage items or features of the surrounding land.
69. The subject proposal is considered to be inconsistent with this objective as it has not adequately addressed impacts on neighbouring lands with regard to services and general amenity, including method of disposal of excavated material/fill and identification of existing essential services.
70. Excavation works will be undertaken in the south-west corner of the allotment where it is noted that a sewer line and stormwater lines are located, see Figure 7 below.

Figure 7: Servicing of the subject land and neighbours (Source: Intramaps)
71. No assessment of the likely impacts associated with the excavation of material on the land, neighbouring lands or the waterway have been lodged with the application. It is evident that the proposed works will directly impact the location of the sewer line and potentially the stormwater line.
72. Also of relevance for consideration are the matters raised at 6.2(3):
(a) the likely disruption of, or any detrimental effect on, drainage patterns and soil stability in the locality of the development,
(b) the effect of the development on the likely future use or redevelopment of the land,
(c) the quality of the fill or the soil to be excavated, or both,
(d) the effect of the development on the existing and likely amenity of adjoining properties,
(e) the source of any fill material and the destination of any excavated material,
(f) the likelihood of disturbing relics,
(g) the proximity to, and potential for adverse impacts on, any waterway, drinking water catchment or environmentally sensitive area,
(h) any appropriate measures proposed to avoid, minimise or mitigate the impacts of the development.
73. The subject proposal and supporting documentation have failed to adequately address the matters at (a), (d), (e), and (h) as they relate to earthworks.
74. On the basis of this lack of excavation detail, the application is deficient in addressing potential amenity/environment impacts. Should the application be approved then appropriate “Deferred Commencement” conditions are recommended to be included which require a detailed assessment of the excavation works and manner of disposal of excavated material is required, as well as a standard requirement for Dilapidation reports for neighbouring properties.
(4) Clause 6.4 Limited Development on Foreshore Area
75. The subject land is partially affected by the Foreshore Area, however, proposed works will not be undertaken directly within the Foreshore Area, being the land restricted to between Mean High Water Mark and the 15m foreshore building line, see Figure 7 above.
76. The proposed building works will result in new excavation of top soil/fill/basement rock outcrop to accommodate new retaining walls which will disturb existing soil and potentially result in siltation or sedimentation concerns. The proposal was not supported by a Sedimentation & Soil Control Plan for the construction period or onwards.
77. Works result in excavation below the built form which could result in sedimentation and slope stability issues for the subject and neighbouring lands.
Kogarah Development Control Plan – 2013 (KDCP)
74. The proposed development is subject to the provisions of Kogarah Development Control Plan - 2013. The following comments are made with respect to the proposal considering the objectives and controls contained within Kogarah DCP 2013.
C1- Low Density Housing
|
1. Design Requirements |
|||
|
Control |
Requirement |
Proposal |
Complies |
|
1.1 Streetscape Character |
1. A Streetscape Character Analysis (SCA) must be submitted as part of any Development Application for the following:
• new dwellings • alterations to the front elevation and/or two level additions to an existing dwelling • attached dual occupancy • detached dual occupancy
2. The SCA should comprise an analysis of both the existing streetscape and the future desirable streetscape. |
The proposal does not modify the dwelling at the street front as the allotment is a battle axe lot. |
Yes |
|
1.2 Building Scale and Height |
|||
|
1.2.1 Floor space Requirements
|
(1) The floor space ratio for dwelling houses must comply with the requirements in the table below:
Site Area: Greater than 800sqm Less than or equal to 1000sqm Maximum FSR: (Site Area – 800) x 0.2 + 402.5
(3) Notwithstanding compliance with the numerical requirements in Table 1, applicants must demonstrate that the bulk and relative mass of the proposed development is acceptable in the street and on adjoining dwellings, in terms of the following impacts: (i) streetscape considerations (bulk and scale); (ii) building setbacks; (iii) landscape requirements; (iv) the existence of significant trees/vegetation on site; (v) the size and shape of the allotment; and (vi) topography of the site.
(4) Where alterations and additions are proposed, and the existing floor space and/or floor space ratio of the development exceeds the maximum requirements, the application will be considered on merit. In these circumstances, Council will not support any increase in the floor area of the development unless it is satisfied that the development will meet the overall objectives of this Part.
(5) Blank walls and flat facades should be avoided. Walls longer than 10m should be articulated by a minimum 300mm projection or indentation in the façade.
(6) The overall building should present a building mass that is in proportion with the allotment size, provides opportunities for modulation and articulation of the building and does not detract from the satisfaction of any other applicable design principle.
(7) Where proposed development includes a two (2) residential level element, then the second level should not extend beyond 60% of the depth of the allotment measured from the street boundary. Where side boundaries are of varying length, the second level is limited to a line across the block between the points on both boundaries. |
Based upon the formula the permissible FSR is 0.478:1. The proposal seeks an FSR of 0.59:1
The proposed works will not impact upon the streetscape values of the locality as works are primarily below the built form within the subject land which is a battle axe allotment.
The proposal seeks a variation of the permissible FSR and therefore the application will be considered on its merits, including general amenity issues and environmental impacts. A clause 4.6 variation has been lodged and assessed earlier in this report as being unsupportable. |
Yes |
|
1.2.2 Building Heights
|
(1) The maximum building height must comply with the requirements specified in table below:
Dwelling Type Single dwelling; Dual occupancy; Attached secondary dwelling.
Maximum Height 7.2m to the underside of the upper ceiling; 7.8m to the top of the parapet; 9m to the top of the ridge (pitched roof).
(2) The maximum number of residential levels is two (2), except where the site has a slope exceeding 1:8 (12.5%), where the maximum number of residential levels is three (3).
(3) Regardless of the number of levels, the maximum height of the building must be consistent with the maximum height requirements.
(4) Foundation areas, garages, basements, storage rooms or the like must not have an external wall height greater than 1m above ground level (existing) at any point on the building.
(5) Where the dominant built form in the streetscape is single level, new buildings and alterations and additions should present as a single level building to the street. Any second level element is to be setback a minimum of 10m from the street boundary.
(6) Council may, at its discretion, approve an attic within dwelling houses provided that such development meets the overall height requirements.
(7) The habitable area in an attic is included as gross floor area for the purposes of determining the floor space ratio.
(8) Where an attic is proposed, the roof must have a pitch of between 30 degrees and 40 degrees and the attic space:
(i) must be wholly within the roof space; (ii) must be designed to comply fully with the building height; and (iii) may only project beyond the roof plane in the form of a traditional or non-traditional dormer, depending on the streetscape, and are not to incorporate balconies
(9) Attics are prohibited in flat roofed developments.
(10) Rooftop terraces are prohibited in dwelling houses, dual occupancy development and secondary dwellings. |
The proposed development does not propose an extension of the dwelling height and internal modifications appear to be 7m - 8m in height against existing ground level measurements.
The subject land has a slope exceeding 1:8, being 1:3 in the area of the works. Works will not amend the building height as the lift has been designed so there is no additional height for the plant. Acceptable – overall height remains unaltered.
This remains unclear for the subject proposal as insufficient sections have been provided to confirm compliance with the height control. The concept, however, relies on works as floor space and not basement area
Acceptable as no overall change in height.
Not applicable.
Not applicable.
Not applicable.
Not applicable.
Not applicable.
|
Yes, as proposal does not alter the building height but will result in new windows for the study.
|
|
1.2.3 Rhythm of the Built Elements in the Streetscape
|
(1) The primary building façade should not exceed 40% of the overall width of the total frontage.
(2) The secondary building façade should be set back a minimum of 1.5 metres from the primary building façade.
(3) Where the dominant built form in the streetscape provides for a pitched hip or gable ended presentation to the street, the new buildings and/or additions should reflect that roof form. |
Not applicable. Proposal does not result in visible external building form alterations at street level; the site is a battle axe allotment.
Not applicable.
Not applicable. |
Not applicable |
|
1.2.4 Building Setbacks
|
1.2.4.2 Front Setbacks
(1) Where the setback of an adjacent building is greater than 5m, an appropriate setback may be achieved by ensuring development is setback:
(i) the same distance as one or the other of the adjoining buildings, provided the difference between the setbacks of the two adjoining buildings is less than or equal to 2.0m (Figure 9); or
(ii) the average of the setbacks of the two adjoining buildings, if the difference between the setbacks of the buildings is greater than 2.0m (Figure 10).
(2) Where the setbacks of the adjacent buildings are 0m-5.0m, an appropriate setback may be achieved by ensuring development is set back the same distance as one or the other of the two adjoining dwellings (Figure 11).
(3) Where a development has a frontage to two (2) streets, then the setback to the secondary street shall be 1.2m, with the exception of dual occupancy (detached), where the setback to the secondary street shall be 4.5m.
1.2.4.3 Side & Rear Setbacks
(1) The side and rear boundary setbacks should comply with the table below.
Dwelling Type Single dwelling, dual occupancy development and Secondary dwellings (attached to primary dwelling)
Rear Setback Buildings are to have a minimum rear setback of 15% of the average site length, or 6m, whichever is greater.
Where the existing pattern of development displays an established rear setback, development should recognise and respond to site features and cross views of neighbouring properties.
Council may permit a variation to the rear setback if it can be demonstrated that this will result in the retention of significant trees or site features, has no adverse impacts on neighbouring amenity.
Side Setbacks For buildings having a wall height of 3.5m or less, the minimum side boundary setback is 900mm.
For buildings having a wall height of greater than 3.5m, the minimum side boundary setback is 1200mm.
The above numerical requirements may be varied to ensure side boundary setbacks and building to building relationships are consistent with those setbacks established within the streetscape.
Dwelling Type Secondary dwelling (detached from primary dwelling) |
Not applicable. The proposal does not alter street front façade as the allotment is a battle-axe lot.
Not applicable
Not applicable
Not applicable. All works are proposed within or below the existing building footprint and maintains the side/rear setbacks.
The existing setbacks generally are: Level 3 is 1200mm to the northern boundary. Level 2 is 900mm to southern boundary and 1200mm to the northern boundary. Level 1 internal retaining walls are setback greater than 1500mm to northern side boundary. The habitable works for the study at Level 2 will include an area of wall 4m-8m in height and the Level 3 Theatre area has wall height of 5.5m so both would normally require a setback of 1200mm, and are thus non-compliant. The plans indicate that no external façade works will be altered apart from new windows to the study, the setbacks are existing.
Not applicable as the works are below the existing built form on site.
Not applicable. Single dwelling only. |
Not applicable |
|
1.2.5 Fenestration and External Materials |
(1) New buildings and alterations and additions should present a primary building façade and roofing that is constructed of materials, and within a colour range, that is complementary to the dominant character of buildings in the streetscape.
(2) Garage doors should not dominate the street front elevation (Figure 16).
(3) The roof should be similar to the angle of pitch, materials and colour of roofs in the streetscape (Figure 14).
(4) The colours of garages, window frames, and balustrading on main facades and elevations are to be integrated with the external design of the building.
(5) Glazing shall be limited to a maximum 35% of the total area of the overall street front façade. This includes both primary and secondary façade bays (Figure 15).
(6) Where garaging is in the front façade it should be limited to a maximum of two garage bays, with separate garage door openings of a maximum width of 3m. |
Complies. Building materials are proposed to be complimentary to the existing.
Not applicable. The garage is not proposed to be altered.
Not applicable. No roof works proposed. The mechanical plant for the lift is not proposed to the roof.
Complies. Building materials are proposed to be complimentary to those existing.
Complies.
Not applicable. The site is a battle axe lot. |
Yes |
|
1.2.6 Street Edge |
(1) New developments should provide front fencing that complements fencing within the streetscape.
(2) Fencing is to be consistent with the requirements of Section 4.2.
(3) Existing vegetation in the front building line setback or on the street verge that contributes to the character of the streetscape should be preserved.
(4) The driveway location should not result in the removal of any street trees or removal of substantial trees on the site. |
Not applicable. Additions to an existing dwelling.
Not applicable. Fencing unaltered.
Not applicable. No impact on existing landscaping.
Not applicable. No works proposed in the driveway. |
Not applicable |
|
1.3 Open Space |
|||
|
|
(1) 15% of the site area must be deep soil landscaped area.
(2) Private open space should be adjacent to and visible from the main living and/or dining rooms and be accessible from those areas.
(3) Development should take advantage of opportunities to provide north facing private open space to achieve comfortable year round use.
(4) Where soil and drainage conditions are suitable, unpaved or unsealed landscaped areas should be maximised and designed to facilitate on site infiltration of stormwater.
(5) Existing significant trees and vegetation must be incorporated into proposed landscape treatment. |
Not applicable. Existing open space is unaltered as part of proposal. |
Not applicable |
|
1.4 Vehicular access, parking and circulation |
|||
|
|
(1) Car parking is to be provided in accordance with the requirements in Section B4.
(2) On corner sites with two street frontages vehicular access should be provided to the secondary frontage.
(3) Garages should be accessed from a rear lane where this is available.
(4) Crossings are to be positioned so that on-street parking and landscaping on the site are maximised, and removal or damage to existing street trees is avoided.
(5) Garaging should be setback behind the primary façade.
(6) The maximum driveway width between the street boundary and the primary building façade is 4m.
(7) Where the dominant provision of garaging within the streetscape is provided to the rear or side of developments, new developments and additions to existing development should provide for a side driveway or garaging behind the main street front elevation of the building.
(8) Basement parking is not encouraged on flat sites. Garaging should be provided at ground level unless the slope of the site exceeds 1:8 (12.5%) in which case a basement or suspended garage may be acceptable.
(9) Where a basement garage is proposed, the maximum height of the basement above ground level (existing) is 1m measured to the underside of the basement ceiling. Where the basement exceeds 1m above ground level (existing), the basement will be considered to be a floor (Figure 17).
Note: Floor means the space within a building which is situated between one floor level and the floor level next above or if there is no floor above, the ceiling or roof above.
(10) For basement garages the maximum amount of excavation is to be limited to required car parking and any manoeuvring areas, access stairwells, lift wells and storage areas.
(11) Storage areas within basements or garages must not exceed 10sqm per dwelling (with a minimum width of 500mm).
(12) Car parking layout and vehicular access requirements and design are to be in accordance with the Australian Standards, in particular AS 2890.1-2004.
(13) Dual occupancy development must have only one single fronted garage per dwelling. Where garaging is required for 2 cars, this must be tandem parking. |
Not applicable Existing access and car parking unaltered. |
Not applicable |
|
1.5 Privacy |
|||
|
1.5.1 Visual Privacy |
(1) Windows from active rooms are to be offset between adjacent dwellings so as to avoid direct overlooking onto neighbouring windows.
(2) Where terraces and balconies are proposed and are elevated more than 1.5m above ground level (finished) and are located behind the street front façade, they are restricted to a maximum width of 2.5m and must be setback a minimum 3m from any adjoining property boundary.
(3) The area of balconies or terraces greater than 1.5m above ground level is limited to a cumulative total of 40sqm per dwelling.
(4) Council may consider a variation to the above requirements where it is considered that the terrace or balcony will not result in a loss of privacy to neighbouring properties.
(5) For active rooms or balconies on an upper level, the design should incorporate placement of room windows or screening devices to only allow oblique views to adjoining properties (Figures 18 and 19).
(6) Loss of privacy to neighbouring properties, as a result of a proposed development, will only be considered where a variation is sought to the objective or the design solution for floor space ratio, building height, building envelope, side boundary setbacks, extent of second level development or size of balcony/terrace.
(7) In these circumstances, Council will undertake an assessment of the impact of the proposed development on the neighbouring properties having regard to:
(i) The types of rooms that are located on the upper levels; (ii) Whether the rooms are “active” or “non-active” (iii) The size and location of proposed upper level windows, balconies, terraces and any other area (elevated more than 1500mm above ground level). (iv) The extent of overlooking onto neighbouring properties. (v) Notwithstanding the above, where rooms on the upper levels are “non-active”, no consideration will be given with respect to privacy issues.
Active rooms are rooms used for normal domestic activities and include a living room, lounge room, music room, television room, dining room, family room, kitchen, playroom, parents retreat and the like.
Non-active rooms are rooms of a generally passive nature and include bathroom, laundry, water closet, walk in wardrobe, bedroom, sewing room and the like. |
Complies. The proposal will only include two new windows to service the proposed new study at level 2. There is no dwelling existing directly opposite these proposed windows.
Not applicable
Not applicable
Not applicable
Complies. The proposed windows to the new study will not adversely impact amenity on neighbouring land or overlook a dwelling.
Should the application be approved it is appropriate that a condition be imposed that suitable screening be required to the new study windows to ensure the long term privacy of the neighbouring property to the south.
The only room which proposes new openings is the new study, being two new windows, on Level 2. The new study is assessed as an “Active Room” which potentially could result in overlooking of the neighbouring property to the south. If the proposal was to be supported amelioration measures would need to be implemented.
|
|
|
1.5.2 Acoustic Privacy |
Residential development adjacent to a rail corridor or a busy road should be designed and sited to minimise noise impacts Refer to requirements in State Environmental Planning Policy – Infrastructure and the NSW Department of Planning’s Development near Rail Corridors and Busy Roads – Interim Guidelines. |
Not applicable. |
Not applicable |
|
1.6 Solar Access |
|||
|
|
(1) At least 50% of the primary private open space of the proposed development should have access to a minimum of four hours of sunlight between 9am–3pm on 21 June.
(2) Where private open space is proposed on the southern side of the building the distance from the southern boundary of the open space to the nearest wall to the north must be a minimum of 3m + h, where h is the height of the wall (Figure 20).
(3) Where the neighbouring properties are affected by overshadowing, at least 50% of the neighbouring existing primary private open space or windows to main living areas must receive a minimum of 3 hours sunlight between 9am–3pm on 21 June (Figure 21).
(4) Shadow diagrams are to be submitted for the winter solstice (21 June) and the spring equinox (22 September).
(5) Shadow diagrams are required to show the impact of the proposal on solar access to the open space of neighbouring properties. Existing overshadowing by fences, roof overhangs and changes in level should also be reflected in the diagrams. |
Not applicable. The proposal will not result in external works that will overshadow open space areas.
Not applicable. See comment above.
Not applicable. See comment above.
No shadow diagrams submitted. The work is below the existing built form.
See (4) above.
|
Not applicable |
|
1.7 Views and view sharing |
|||
|
|
(1) Development shall provide for the reasonable sharing of views. Note: Assessment of applications will refer to the Planning Principle established by the Land and Environment Court in Tenacity Consulting vs Warringah Council (2004) NSWLEC140 |
Not applicable. Works predominantly underground and do not add external bulk that would adversely impact views or shared views. |
Not applicable |
Variations
78. The application seeks a variation to the floor space ratio requirement under the Development Control Plan of 24%, or 100sqm, increasing it from 0.478:1 (417sqm) to 0.59:1 (517sqm).
79. This non-compliance has been addressed through a request for variation under Clause 4.6 of the Kogarah Local Environmental Plan 2012. An assessment of this request has been undertaken earlier in this report. The request for variation of the Floor Space Ratio standard is considered to be unreasonable and unjustified and approval has the potential to set an undesirable precedent which could lead to an undermining of the intent of the standard, particularly for sloping land or the foreshore locality.
Streetscape Character and Amenity
80. The proposed development satisfies the objectives and controls within the development control plan relevant to:
· Building Scale as constructed above ground,
· Rhythm of Built Elements in the Streetscape,
· Fenestration and External Materials, and
· Street Edge
As the allotment is a battle axe lot and does not have a streetscape interface.
Open Space
81. The proposed development does not seek modification to the existing open space as part of the existing dwelling and generally satisfies the relevant objectives and controls of the Kogarah DCP.
Vehicular access, Parking and Circulation
82. The proposed development does not seek modification to the existing garaging or car parking as part of the existing dwelling and generally satisfies the relevant objectives and controls of the KDCP.
Privacy
83. The proposed development generally satisfies the relevant objectives and controls of the KDCP. Should the application be approved it is recommended that the new study windows proposed at Level 2 be required to be screened.
Solar Access
84. The proposed development does not seek modification to the existing external building form to increase the existing dwelling bulk and generally satisfies the relevant objectives and controls of the KDCP.
Views and View Sharing
85. The proposed development satisfies the relevant objectives and controls of the KDCP.
Developer Contributions
86. The proposed development if approved would not require the payment of developer contributions under Section 7.12 of the Environmental Planning and Assessment Act 1979 as the proposal does not increase the density of the locality.
Impacts
Natural Environment
87. The proposed works will not directly impact the visible natural environment with the built form, apart from new southern façade windows to the study, but will indirectly impact the environment through excavation works and drainage management. Insufficient detail has been provided on the extent of the excavation works and the disposal of spoil associated with that excavation. The site investigation undertaken has identified that soil used as fill associated with the original dwelling construction has copper concentrations above the recommended safety levels and this will warrant implementation of due safety actions for removal and disposal which have not been detailed within the submission
88. The application proposes no specific drainage/stormwater runoff controls apart from relying on the existing system servicing the existing house, including drainage direct to Kyle Bay. The soil to be excavated is identified as being high in copper concentrations and this will drain to the Bay along with stormwater captured by the proposed retaining wall system. No details have been submitted to identify how water will be collected and disposed of from the retaining walls or how it will be treated before release into the Bay.
89. The information submitted does not allow for a detailed assessment of the site and works. Accordingly the application is recommended for refusal.
Built Environment
90. The proposal seeks to maximise the area of land that can be excavated for the expansion of the dwelling, in this instance back to the foundation walls. The proposal will result in a dwelling of 517sqm, some 100sqm above the permissible floor space, resulting in an FSR of 0.59:1 and a non-compliance of 24%. A Clause 4.6 Objection was submitted in support of the non-compliance but is considered to be inadequate.
91. The bulk and scale of the building is acceptable as it provides for floor space expansion primarily within the undercroft and basement area and will only be partly visible from neighbouring lands. The primary building form planning concern relates to the long term management of the floor space usage where large storage areas and submerged habitable floor space is proposed and have potential for alternative use in an undesirable amenity environment. The proposal is thus recommended for refusal.
Social Impact
92. No adverse social impacts have been identified as part of the assessment. However, the built form is not an appropriate outcome for the site.
Economic Impact
93. The proposed development has no apparent adverse economic impact.
Suitability of the site
94. The site is zoned R2 Low Density Residential. The proposal is a permissible land use within the zone, subject to development consent.
95. The development does not satisfy the floor space ratio permitted for the site. The proposed development is not of a scale and character that is in keeping with other dwellings being constructed in the locality. Accordingly, the proposal is considered to have an adverse impact on the natural and built environment of the foreshore locality. As discussed throughout this report, although the proposal will result in the majority of development taking place below or partially below ground level, the Applicants justification for the need of an excessive non-compliance with the standard, being 24% or 100sqm, is not substantiated.
96. The works will not result in traditional amenity concerns relating to increased bulk, additional overshadowing, view loss or overlooking (some potential overlooking may occur as a result of new windows for the proposed new study at Level 2). In this particular instance the primary issue relates to the undermining of the FSR development standard and how it relates to development on sloping land generally. It is concluded that the subject proposal is a deliberate attempt to circumvent the FSR standard through manipulation of the slope of the land whilst dismissing the consideration of the “basement” definition as part of the “Gross Floor Area” assessment.
97. Although the proposal does not unreasonably add external bulk to the dwelling by utilising undercroft and excavated areas, the outcome will result in a dwelling with approximately 33% of its floor space being below or partially below ground level, which is not considered to be the intent of the “Gross Floor Area” “Basement” or “Floor Space Ratio” definitions. If the same outcome were proposed for a dwelling on a level site it is unlikely that such a proposal would be supportable due to overall amenity concerns and accessibility.
98. It is considered that the proposed development is not of a scale and design that is suitable for the site having regard to its size and shape, its topography, vegetation and relationship to adjoining developments and the lack of adequate justification supporting a significant FSR variation.
SUBMISSIONS AND PUBLIC INTEREST
99. The application was neighbour notified in accordance with Kogarah DCP and no public submissions were lodged at the close of notification or at the time this report was being prepared (6 November 2019).
REFERRALS
Council Referrals
100. No referrals were required as the application as for additions to an existing dwelling relying on existing servicing arrangements and no vegetation was to be impacted. In addition there was not stormwater or waste management plan submitted for assessment.
External Referrals
Ausgrid
101. The application was referred to Ausgrid in accordance with Clause 45 of the State Environmental Planning Policy (Infrastructure) 2007. No formal response was provided in the prescribed time.
CONCLUSION
102. The proposal has been assessed using the maters for consideration listed in Section 4.15 of the Environmental Planning and Assessment Act 1979. The documentation supporting the application does not adequately address the stormwater/drainage management, soil contamination treatment/disposal, structural details for the retaining walls and drainage, and the proposal to vary the permissible FSR has not been adequately justified.
103. The proposed development fails to justify the floor space control standards variation and does not provide an adequate Clause 4.6 Exceptions to Development Standards submission to address the variation under the provisions of KELP2012 to justify and support the non-compliance. The application does not adequately address the definitions for Gross Floor Area, Basement and Floor Space, as addressed previously in this report, and therefore fails to satisfy the provision and requirements of Clause 4.6 of the Kogarah Local Environmental Plan 2012.
104. The proposed development has failed to adequately address the relevance and application of clause 6.2 Earthworks and clause 6.4 Limited development on foreshore area as it relates to these works in the residential zone,
DETERMINATION
105. THAT pursuant to Section 4.15(1)(b) of the Environmental Planning and Assessment Act 1979, and the provisions of the Kogarah Local Environmental Plan and Kogarah Development Control Plan the Georges River Local Planning Panel as the consent authority pursuant to Section 4.16 (1)(b) Environmental Planning and Assessment Act 1979, refuse Development Application No.2019/0128 for additions and alterations to an existing dwelling house with internal excavation works over four (4) levels at Lot 2 DP 505481 and known as 83A Kyle Parade, Kyle Bay, for the following reasons:
1. Environmental Planning Instrument - Pursuant to Section 4.15 (1)(a)(i) of the Environmental Planning and Assessment Act 1979, the proposed development does not comply with the following sections of Kogarah Local Environmental Plan 2012:
a. Clause 2.3 - Zone Objectives (R2 Low Density Residential);
b. Clause 4.4 – Floor Space Ratio objectives relating to increased intensity;
c. Clause 4.4A – Exceptions to floor space ratio for residential accommodation in Zone R2, having regard to the extent of variation sought;
d. Clause 4.6 – Exceptions to development standards, having regard to lack of adequacy in justifying the need for standard variation;
e. Clause 6.2 – Earthworks, having regard to lack of detail on volume of material, location of disposal and treatment during excavation/transport;
f. Clause 6.4 – Limited development on foreshore area, having regard to potential for sedimentation and soil impacts on foreshore and waterway.
2. Development Control Plan – Pursuant to Section 4.15 (1)(b) of the Environmental Planning and Assessment Act 1979, the proposed development is likely to have an adverse impact on the following aspects of the environment:
a) Building form – The proposal would result in an undesirable building form where approximately 33% of building floor space is located below existing grounds level. This would set an undesirable precedent for similar forms of development;
b) Built environment – An adverse impact is likely to result from the proposed development on the amenity of adjoining premises.
c) Social impacts – An adverse impact would result from the proposed development on the acoustic amenity of the locality and adjoining commercial/residential premises.
3. Impact on the Environment – Pursuant to Section 4.15 (1)(b) of the Environmental Planning and Assessment Act 1979, the proposed development is likely to have an adverse impact on the following aspects of the environment:
a) Built Environment: An adverse impact would result from the proposed development on the amenity of adjoining premises relating to building bulk and overlooking and impacts upon existing services;
b) Social Impacts: An adverse impact would result from the proposed development on the amenity of the locality and adjoining neighbours and general expectations for a residential building form in the foreshore area;
4. Suitability of the Site – Pursuant to Section 4.15 (1)(c) of the Environmental Planning and Assessment Act 1979, the proposed development is not considered to be suitable for the site or its locality and is likely to set an undesirable precedent.
5. Public Interest – Pursuant to Section 4.15 (1)(e) of the Environmental Planning and Assessment Act 1979, the proposed development is not considered to be in the public interest and is likely to set an undesirable precedent.
|
Attachment ⇩1 |
Site Plan - 83A Kyle Parade Kyle Bay |
|
Attachment ⇩2 |
Survey Plan - 83A Kyle Parade Kyle Bay |
|
Georges River Council - Georges River Local Planning Panel (LPP) - Thursday, 21 November 2019 LPP055-19 83A Kyle Parade Kyle Bay [Appendix 1] Site Plan - 83A Kyle Parade Kyle Bay |
Page 326 |
|
Georges River Council - Georges River Local Planning Panel (LPP) - Thursday, 21 November 2019 LPP055-19 83A Kyle Parade Kyle Bay [Appendix 2] Survey Plan - 83A Kyle Parade Kyle Bay |
Page 327 |
|
Georges River Council – Local Planning Panel Thursday, 21 November 2019 |
Page 342 |
REPORT TO GEORGES RIVER COUNCIL
LPP MEETING OF Thursday, 21 November 2019
|
LPP Report No |
LPP056-19 |
Development Application No |
DA2018/0577 |
|
Site Address & Ward Locality |
72 Connells Point Road South Hurstville Blakehurst Ward |
||
|
Proposed Development |
Alterations and additions to the South Hurstville RSL Club |
||
|
Owners |
South Hurstville RSL Club Limited |
||
|
Applicant |
South Hurstville RSL Club Limited |
||
|
Planner/Architect |
Architect - Axil Architects Pty Ltd |
||
|
Date Of Lodgement |
19/12/2018 |
||
|
Submissions |
No submissions received |
||
|
Cost of Works |
$746,570.00 |
||
|
Local Planning Panel Criteria |
Development requiring a club licence under the Registered Clubs Act 1976 as referenced in the 9.1 Ministerial Direction of 28 February 2018. |
||
|
List of all relevant s.4.15 matters (formerly s79C(1)(a)) |
State Environmental Planning Policy No 55 - Remediation of Land, State Environmental Planning Policy (Vegetation in Non-Rural Areas) 2017, State Environmental Planning Policy (Infrastructure) 2007, Greater Metropolitan Regional Environmental Plan No 2 – Georges River Catchment, Hurstville Local Environmental Plan 2012, Hurstville Development Control Plan No 1 |
||
|
List all documents submitted with this report for the Panel’s consideration |
Architectural plans Comments from NSW Police Traffic impact assessment
|
||
|
Report prepared by |
Development Assessment Planner |
||
|
|
Summary of matters for consideration under Section 4.15 Have all recommendations in relation to relevant s4.15 matters been summarised in the Executive Summary of the assessment report? |
Yes |
|
Legislative clauses requiring consent authority satisfaction Have relevant clauses in all applicable environmental planning instruments where the consent authority must be satisfied about a particular matter been listed and relevant recommendations summarised, in the Executive Summary of the assessment report? |
Yes |
|
Clause 4.6 Exceptions to development standards If a written request for a contravention to a development standard (clause 4.6 of the LEP) has been received, has it been attached to the assessment report? |
Not Applicable |
|
Special Infrastructure Contributions Does the DA require Special Infrastructure Contributions conditions (under s7.24)? |
Not Applicable |
|
Conditions Have draft conditions been provided to the applicant for comment? |
No, however the applicant will be able to review the conditions when the report is published. |
|
Site Plan
Allotment outlined in blue |
Executive Summary
Proposal
1. Development consent is sought for the alterations and additions to the existing South Hurstville RSL.
2. More specifically the works to the ground floor include, the extension of the entry awning, refurbishment of the entry steps and ramp, enclosing the existing loading dock area, extension of the terrace towards Connells Point Road, increasing the size of the bistro, removal of the existing war memorial, removal of the gaming and TAB area. The first floor additions will accommodate the new administration offices, small terrace and new gaming and TAB area. The first floor alterations include the removal of two (2) function rooms and its replacement with the gaming area, outdoor gaming terrace and reduced store room. The built form will remain two (2) storeys and have similar site coverage as the existing development albeit additional bulk at the first floor level.
3. There are changes proposed to the last approved hours of operation. The most recent approval that mentions operating hours is from 1982 (D.A. 133/82), which prescribes hours of operation of:
· Monday to Friday - 11:00am to 11:00pm,
· Saturday - 10:00am to 12:00am,
· Sunday – 10:00am to 11:00pm.
4. The Statement of Environmental Effects states that the hours of operation for the club are now proposed to be:
· Monday - 10am to 11pm;
· Sunday, Tuesday and Wednesday – 10am to midnight; and
· Friday and Saturday - 10am to 1am (the following day).
5. This change to the approved hours of operation is discussed and assessed in the body of the report.
Site and Locality
6. The site is identified as 72 Connells Point Road, South Hurstville with a legal description of Lot 100, DP 1114788. The allotment is an irregular shaped lot with dual frontage to Connells Point Road (68.63m) and The Mall (50.65m), with an area of 3111.00sqm. The subject site slopes towards the intersection of Connells Point Road and The Mall.
7. Existing on the site is South Hurstville RSL and associated parking, landscaped area and an existing war memorial (Councils has approved a new war memorial within the existing carpark under DA2018/0301). This is nominated on the plans as garden, therefore there is no impact on car parking.

Figure 1 – Site plan of approved War Memorial at South Hurstville RSL72 Connells Point Road, South Hurstville
8. There is an existing brick building on the north corner of the site that is being used as a restaurant separate to the RSL Club. Both the RSL Club and the brick building are on the Deposited Plan registered in 2008. No works are proposed to this brick building.
9. The locality surrounding the subject site contains a mixture medium and low density residential development and a range of commercial premises.
Zoning and Permissibility
10. The site is zoned B2 – Local Centre under the Kogarah Local Environmental Plan 2012 (LEP) and the proposal is a permissible form of development with Council’s consent. The proposed development satisfies all relevant objectives contained within the LEP.
Submissions
11. The application was notified for a period of fourteen (14) days starting from 21 January 2018. No submissions were received.
Reason for Referral to the Local Planning Panel
12. This DA is referred to the Georges River Local Planning Panel for determination on the basis that the alterations and additions to the club will require a new club licence due to the relocation of the gaming and bar area.
Conclusion
13. The application has been assessed having regard to the Matters for Consideration under Section 4.15 of the Environmental Planning and Assessment Act 1979, the provisions of the relevant State Environmental Planning Policies, Local Environmental Plans and Development Control Plans. The application is recommended for approval subject to suitable conditions.
Report in Full
Proposal
14. The development application seeks consent for the alterations and additions to an established Club known as the South Hurstville RSL. This venue offers food, drink, gaming and associated activities. There will be no proposed changes to the hours of operation.
15. Further details of the proposal are as follows:
· Ground Floor
o The existing ground floor TAB and gaming area will be relocated for lounge areas,
o The outdoor terrace will be extended to the boundary of the western corner,
o Extension of the bistro area in the space between the existing kitchen and the new outdoor terrace,
o Addition over the awning over the loading dock and extension of the awning over the entry on the north west elevation,
o Relocation of external stairs near the loading dock
o Removal of the partitions in the entry area,
· First Floor
o The function room on the eastern corner and administrational offices will be opened up through the removal of walls and this area is to be fitout out as the outdoor gaming terrace, garden, store and a roof over the loading dock:
o The function room on the north east boundary will become an outdoor gaming terrace and a garden,
o Additional first floor area that will include a new TAB (relocated from the ground floor) and TAB smoking area, 3 offices and a CCTV and server room,
16. The hours of operation are proposed to be;
· Monday – 10:00am to 11:00pm,
· Tuesday to Thursday – 10:00am to 12:00am,
· Friday to Saturday – 10:00am to 1:00am (the following morning).
17. It is acknowledged that hours of operation are considered to be “existing” from the applicant however the most recent approval (D.A. 133/82) stated that the approved hours of operation were:
· Monday to Friday - 11:00am to 11:00pm,
· Saturday - 10:00am to 12:00am,
· Sunday – 10:00am to 11:00pm.
The Site and Locality
18. The site is identified as 72 Connells Point Road, South Hurstville and has a legal description of Lot 100, DP 1114788.
19. The allotment is an irregular shaped site with dual frontage to Connells Point Road (68.63m) and The Mall (50.65m), with an area of 3111.00sqm. The subject site slopes towards the intersection of Connells Point Road and The Mall.
20. Existing on the site is South Hurstville RSL and associated parking, landscaped area and existing war memorial (Councils has approved a new war memorial within the existing carpark under DA2018/0301 – see figure 1 above).
21. The locality surrounding the subject site contains a mixture medium and low density residential development and a range of commercial premises. Immediately to the north east of the site is mixed use development, adjacent to the north-west is a petrol station, and adjacent to the north east and south east boundary is residential development within the B2 – Local Centre and R3 – Medium density zone. King Georges Road is located in close proximity towards the north of the subject site.
22. Photos of the surrounding area are provided as follows:

Figure 2 - Existing Landscaped area and War Memorial – 72 Connells Point Road, South Hurstville

Figure 3 - Area of site subject to DA2018/0301, regarding construction of New War Memorial – 72 Connells Point Road, South Hurstville

Figure 4 – Existing entrance and parking lot for South Hurstville RSL Club

Figure 5 – Existing Bistro Area inside South Hurstville RSL Club

Figure 6 – Existing function room on the First Floor – 72 Connells Point Road, South Hurstville
Applicable Planning Controls
State Environmental Planning Policies (SEPPs)
23. Compliance with the relevant SEPPs is summarised in the following table and discussed in further detail below it.
|
SEPP Title |
Complies |
|
Greater Metropolitan Regional Environmental Plan No 2 – Georges River Catchment |
Yes |
|
State Environmental Planning Policy No 55 - Remediation of Land |
Yes |
|
State Environmental Planning Policy (Vegetation in Non-Rural Areas) 2017 |
Yes
|
|
State Environmental Planning Policy (Infrastructure) 2007 |
Yes |
Greater Metropolitan Regional Environmental Plan No 2 – Georges River Catchment
24. The primary relevant aims and objectives of this plan are:
· to maintain and improve the water quality and river flows of the Georges River and its tributaries and ensure that development is managed in a manner that is in keeping with the national, State, regional and local significance of the Catchment,
· to protect and enhance the environmental quality of the Catchment for the benefit of all users through the management and use of the resources in the Catchment in an ecologically sustainable manner,
· to ensure consistency with local environmental plans and also in the delivery of the principles of ecologically sustainable development in the assessment of development within the Catchment where there is potential to impact adversely on groundwater and on the water quality and river flows within the Georges River or its tributaries,
· to establish a consistent and coordinated approach to environmental planning and assessment for land along the Georges River and its tributaries and to promote integrated catchment management policies and programs in the planning and management of the Catchment
25. The stormwater design was referred to Council’s Development Engineer for review. It is proposed to direct stormwater from the new covered areas to the existing stormwater system on site. No objection was raised with respect to the management and disposal of stormwater subject to the imposition of conditions of consent.
26. In summary, the proposal will not contravene the aims, objectives or purpose of the Regional Plan subject to the imposition of those conditions recommended by the Development Engineer.
State Environmental Planning Policy No 55 - Remediation of Land (SEPP 55)
27. SEPP 55 aims to promote the remediation of contaminated land in order to reduce the risk of harm to human health or any other aspect of the environment.
28. Clause 7 requires contamination and remediation to be considered in determining a DA. The consent authority must not consent to the carrying out of development on land unless it has considered whether or not the land is contaminated.
29. A review of the site history indicates that the site has been used for South Hurstville RSL since at least 1956 – as indicated in a DA approved in 1982 which indicated that the previous use of the site was a “registered club”. Accordingly, the site has been used for purposes of a registered club during this time. This usage is not typically associated with activities that would result in the contamination of land.
30. The proposed development will not involve major excavation and the building footprint will remain mostly consistent with the existing site coverage. The proposed alterations and additions will involve works within the existing footprint, as well as minimal disturbance to existing paved areas (such as car parking area etc.).
31. The application was also referred to Council’s Environmental Health Officer who raised no objection in this regard.
32. On this basis, there is no impediment to approval of the DA under SEPP 55. However a condition has been recommended with respect to unexpected finds should contamination be experienced during excavation/construction.
State Environmental Planning Policy (Vegetation in Non-Rural Areas) 2017
33. The Vegetation SEPP aims to protect the biodiversity values of trees and other vegetation in non-rural areas of the State, and to preserve the amenity of non-rural areas of the State through the preservation of trees and other vegetation.
34. The Vegetation SEPP applies to clearing of:
(a) Native vegetation above the Biodiversity Offset Scheme (BOS) threshold where a proponent will require an approval from the Native Vegetation Panel established under the Local Land Services Amendment Act 2016; and
(b) Vegetation below the BOS threshold where a proponent will require a permit from Council if that vegetation is identified in the council’s development control plan (DCP).
35. The Vegetation SEPP repeals clauses 5.9 and 5.9AA of the Standard Instrument - Principal Local Environmental Plan with regulation of the clearing of vegetation (including native vegetation) below the BOS threshold through any applicable DCP.
36. The proposal will result in a small vegetated area on the southern corner, where the existing war memorial is located, being removed, and this is to be re-located under a separate approval issued by Council (DA2018/0301).
37. There is no significant vegetation that is proposed to be removed from the site and it does not conflict with the Vegetation in Non-Rural Areas SEPP.
State Environmental Planning Policy (Infrastructure) 2007
38. The aim of the Infrastructure SEPP is to facilitate the effective delivery of infrastructure across the State. The infrastructure SEPP also contains a number of clauses requiring assessment if the site is located on a main road (such as King Georges Road), and these clauses do not apply to this development. The DA is generally consistent with the provisions of the Infrastructure SEPP 2007 as there is adequate servicing of the site that can be extended to service the new works.
Draft State Environmental Planning Polices
Draft Environment SEPP
39. The Draft Environment SEPP was exhibited from 31 October 2017 to 31 January 2018. This consolidated SEPP proposes to simplify the planning rules for a number of water catchments, waterways, urban bushland, and Willandra Lakes World Heritage Property.
40. Changes proposed include consolidating the following seven existing SEPPs:
· State Environmental Planning Policy No. 19 – Bushland in Urban Areas
· State Environmental Planning Policy (Sydney Drinking Water Catchment) 2011
· State Environmental Planning Policy No. 50 – Canal Estate Development
· Greater Metropolitan Regional Environmental Plan No. 2 – Georges River Catchment
· Sydney Regional Environmental Plan No. 20 – Hawkesbury-Nepean River (No.2-1997)
· Sydney Regional Environmental Plan (Sydney Harbour Catchment) 2005
· Willandra Lakes Regional Environmental Plan No. 1 – World Heritage Property
41. The proposal is consistent with the provisions of this Draft Instrument.
Draft Remediation of Land SEPP
42. The Department of Planning and Environment has announced a Draft Remediation of Land SEPP, which will repeal and replace the current State Environmental Planning Policy No 55—Remediation of Land.
43. The main changes proposed include the expansion of categories of remediation work which requires development consent, a greater involvement of principal certifying authorities particularly in relation to remediation works that can be carried out without development consent, more comprehensive guidelines for Councils and certifiers and the clarification of the contamination information to be included on Section 149 Planning Certificates.
44. Whilst the proposed SEPP will retain the key operational framework of SEPP 55, it will adopt a more modern approach to the management of contaminated land. The Draft SEPP will not alter or affect the assessment in relation to contamination at the site.
Kogarah Local Environmental Plan
45. The zoning of the subject site is B2 – Local Centre under the Kogarah Local Environmental Plan where “registered club” is a permissible form of development. Refer to the zoning map below (figure 7).

Figure 7 - Zoning Map with the allotment outlined in blue
46. The objectives of the B2 -Local Centres are as follows;
“• To provide a range of retail, business, entertainment and community uses that serve the needs of people who live in, work in and visit the local area.
• To encourage employment opportunities in accessible locations.
• To maximise public transport patronage and encourage walking and cycling.”
47. The proposal satisfies the objectives of the B2 zone as it will continue to provide “a range of retail, business, entertainment and community uses that serve the needs of people who live in, work in and visit the local area” and “encourage employment opportunities in accessible locations”.
48. The proposal is fully compliant with the relevant provisions of the KLEP, as detailed within the following table.
|
Clause |
Objectives/Provisions |
Comment |
Complies |
|
4.3 - Height of buildings |
The height of a building on any land is not to exceed the maximum height shown for the land on the Height of Buildings Map. In this case, the relevant map limits the height of buildings on the subject site to 21m. |
The proposal has a building height of up to 10.06m |
Yes |
|
4.4 - Floor space ratio |
The maximum floor space ratio for a building on any land is not to exceed the floor space ratio shown for the land on the Floor Space Ratio Map. In this case, the relevant map limits the floor space ratio for buildings on the subject site to 2.5:1. |
The proposal has a floor space ratio of 06:1.
|
Yes |
|
5.10 – Heritage Conservation |
The objectives of this clause are; (i) to conserve the environmental heritage of Kogarah, (ii) to conserve the heritage significance of heritage items and heritage conservation areas, including associated fabric, settings and views. |
The site is not listed a heritage item or within a heritage conservation area and is not adjacent to a heritage item. |
N/A |
|
6.1 - Acid sulfate soils
|
The objective of this clause is to ensure that development does not disturb, expose or drain acid sulfate soils and cause environmental damage. |
The subject site is not identified on the Acid Sulfate Soils Map as being affected by any particular class of acid sulfate soils. |
N/A |
|
6.2 - Earthworks
|
The objective of this clause is to ensure that earthworks for which development consent is required will not have a detrimental impact on environmental functions and processes, neighbouring uses, cultural or heritage items or features of the surrounding land. |
There will be minimal earthworks associated with the proposal. |
Yes |
|
6.3 - Flood planning
|
The objectives of this clause are as follows:
(a) to minimise the flood risk to life and property associated with the use of land, (b) to allow development on land that is compatible with the land’s flood hazard, taking into account projected changes as a result of climate change, (c) to avoid significant adverse impacts on flood behaviour and the environment. |
The subject site is not identified on the Flood Planning Map as being within a Flood Planning Area. |
N/A |
Development Control Plans
Kogarah Development Control Plan 2013
49. The proposal is affected by the provisions of Part 2 – General Controls and Part D – Commercial and Industrial. These provisions are addressed in more detail within the following table.
|
Kogarah Development Control Plan 2013 |
|||
|
Part B General Controls |
|||
|
Controls |
Required |
Proposed |
Complies |
|
Part B2_ Tree Management and Greenweb |
The objectives of this Part are: (a) Establish the criteria governing the removal or pruning of trees. (b) Ensure that appropriate information is submitted to Council regarding tree management. |
This was discussed in detail under the State Environmental Planning Policy (Vegetation in Non-Rural Areas) 2017 commentary. There are no trees existing onsite and therefore no additional consideration is required to be given to the Greenweb. |
Yes |
|
Part B4 – Parking and Traffic |
Development Type not listed in Table 1 – base parking requirements on RMS Guide to Traffic Generating Development. |
A parking assessment has been provided below in relation to the “Guide to Traffic Generating Development”. |
See below |
|
Part B5 – Waste Management and Minimisation |
Submit a Waste Management Plan with DAs involving: · demolition; · construction of a new building(s); or · change of use or alterations/additions to existing premises (only when this would result in a change of waste generation). |
A waste management plan has been provided. |
Yes |
|
Part B6 – Water management |
All developments requiring Council approval within the City of Kogarah require consideration of the Water Management Policy.
|
The proposed development predominantly involves internal works only and minimal increase in impervious areas. This is occurring within the west corner of the site where the war memorial will be replaced for a new terrace area. Stormwater will be connected to the existing drainage system and appropriate conditions have been imposed by Council Engineers. |
Yes |
|
Part D – Commercial and Industrial |
|||
|
D1 – 3.1 Streetscape |
Facades are to be ordered and articulated to visually break up the building massing, for example through materials, colour and the design of openings. Large areas of glass curtain walling and blank walls are to be avoided. |
The façade presents a variety of finishes and articulation to the street. |
Yes |
|
Enhance pedestrian amenity through the provision of continuous awnings for weather protection. |
The proposal is not considered to have an unreasonable impact on the amenity of pedestrians. The changes to the entry and the ramps and the internal room layout will facilitate access for all. |
Yes |
|
|
Promote safety and security by providing a high level of activation to the street, employing clear and direct lines of sight between the street and building entries, and using appropriate signage and lighting to enhance the amenity of the public domain. |
The built form change to the façade will not result in any sightline issues as stated by Councils Traffic Engineer with respect to the manoeuvrability into and out of the site and into and out of The Mall. There is also no proposed signage and the lighting is subject to a condition to protect the public amenity. |
Yes |
|
|
D1 – 3.4 Building Heights
|
Building height is to be in accordance with the Locality requirements. |
This is discussed under D2-19.1.1 – South Hurstville Height below. |
See below (D2-19.1.1) |
|
Buildings are massed towards the street frontage and step down towards the rear, to be in keeping with the existing retail/commercial built form pattern and compatible with the scale and character of adjacent residential areas. |
The building mass is towards the south west boundary of the site. This is existing but the extension will minimise the non-compliance. However it is considered that the built form pattern is compatible within the existing built landscape. It is acknowledged that the proposal is to an existing building and is not a new building. Therefore it will not be possible to move the entire building towards the street frontage. |
Yes |
|
|
Floor to ceiling heights should be a minimum of 3m at ground floor level, to allow for a range of uses including retail, commercial offices and home offices. |
The floor to ceiling heights are existing at 3.2m at the ground floor and 3.61m on the first floor. |
Yes |
|
|
Floor to ceiling should be a minimum of 2.7m at the upper storeys of the building, to allow for a range of uses, and to improve the environmental performance and amenity of the building. |
The floor to ceiling height of the upper floor is 6.31m, which is existing. |
Yes |
|
|
D1 – 3.5 Setbacks
|
Buildings adjacent to public roads are generally to align with and be built to the street frontage to provide continuity in the streetscape and encourage active frontages to ground level. |
The site has minimal opportunity to align with additional building due to the existing footprint that will undergo minor changes. |
Yes |
|
Street setbacks at ground level are permitted only:
· Where the established pattern is setback (for example where there are residential buildings within the locality) |
The existing building in part has a zero setback and the extent of this will be increased to the western side of the development as a result of this proposal. |
Yes |
|
|
Side setbacks are generally not permitted in order to maintain the continuity of active frontages, unless specified in the locality controls. |
The development proposes a minor extension along the frontages to Connells Point Road and The Mall (northern and western sides), which will generally maintain existing setbacks.
The development also proposes alterations to existing floor space along the eastern side, which retain existing setbacks to the eastern boundary. |
Yes |
|
|
Rear setbacks are determined by the context including the amenity of neighbouring residential uses and the amenity of any rear lanes. Refer to Locality Controls within Part D2 for specific rear setback requirements. |
The rear setback will not be altered as a result of the proposal. In this regard, the development involves louvres on the roof which does not result in a change to the existing setbacks in the area in which they are proposed. |
Yes |
|
|
Setbacks on corner blocks are to enable sufficient sightlines for traffic in accordance with the relevant Australian Standard. |
This has been reviewed by Councils Traffic engineer and the development is considered acceptable with respect to sightlines from the site and from The Mall. |
Yes |
|
|
D1 – 3.6 Building Design
|
Where appropriate, integrate buildings into the streetscape by adopting a modular form, which reflects the underlying narrow shop width of older buildings. Use vertical elements, such as vertically proportioned windows, exposed party walls, vertical balustrades, attached fins to express this modulation and rhythm. Use horizontal elements such as roofs, parapets, balconies and balustrades to align the building with its neighbours. |
The proposal has existing elements that integrate the RSL into the setback but the proposal will enhance this by the addition of the ground floor terrace and new TAB smoking area on the first floor.
|
Yes |
|
Ensure that the facade clearly expresses a bottom, middle and top related to the overall proportion of the building. |
The proposal has clear horizontal proportions. |
Yes |
|
|
Incorporate design characteristics such as projecting fins, corbelling, balconies with variable materials and finishes, punctuated walls with visually recognisable patterns, decorative features, rhythm and texture and a variable colour palate to achieve façade modulation and articulation. |
The design has incorporated variations regarding the articulation, materials and finishes to compliment the existing development. |
Yes |
|
|
Avoid curtain walls, large expanses of glass and large expanses of concrete as these do not create well-articulated and harmonious façades. |
The proposal does not incorporate these features. |
Yes |
|
|
Provide a greater proportion of solid areas to void areas on all façades and incorporate non-reflective materials. |
There is a greater amount of solid area to void areas on the façade. The materials have been required to be non-reflective via a condition of consent. |
Yes |
|
|
Use non-reflective glass or recess glass behind balconies to minimise reflectivity. |
This is been included as a condition of consent. |
Yes, via condition |
|
|
Windows and openings are to be generally of a vertical character and located within vertical bays. |
A majority of the existing windows and openings are not proposed to be changed as are vertical in character. |
Yes |
|
|
Air-conditioning units/fans/vents/stacks/hoods etc are to be inconspicuously located so as not to be visible from the shopping street and any other major side street. |
This is not proposed on any of the elevations fronting a street. |
Yes |
|
|
Design building openings at the ground floor to be in keeping with the overall building and bay scale and proportions. |
The modifications will remain in proportion. |
Yes |
|
|
For cafe/dining uses, provide openable window areas in association with seating overlooking the street, to create the effect of outdoor dining. |
The terrace on the ground floor will provide the effect of outdoor dining. |
Yes |
|
|
Incorporate continuous, independent and barrier free access to ground floor commercial entries, including effective signage, sufficient illumination, tactile ground surface indicators and pathways with limited cross-falls, sufficient width, comfortable seating and slip-resistant floor surfaces. |
Compliance will be ensured through conditions for compliance with the BCA/NCC. This detail is to be included as part of the construction certificate assessment. |
Yes |
|
|
Awnings should retain any original awning features present that contribute to the desired locality character. |
The original awning will be extended on the ground floor level to accommodate the ramp changes and will also be constructed over the loading bay. |
Yes |
|
|
Provide under awning lighting to improve public safety. |
This is provided via a condition. |
Yes, via condition |
|
|
Design awnings in the high range 3.6m – 4m and no higher or lower than adjoining awnings. |
The extension of the awning will follow the height of the existing awning but is more than 4m in height. |
Yes |
|
|
Provide awnings flat or near-flat in shape (not tilted upwards away from the facade), and opaque in finish. |
The awning/extension is flat and will adopt the finishes of the existing awning. |
Yes |
|
|
Design balustrades that allow for views into, and along the street. |
The balustrading on the ground and first floor will provide views to the street. |
Yes |
|
|
New development and refurbishments are to comply with the requirements of the BCA and Australian Standards. |
Council Building Surveyor has reviewed the proposal. No objections are raised subject to conditions of consent. |
Yes
|
|
|
Variation to the existing pattern of roof forms may only occur where the parapet line is not disrupted and where the new roof is not visible from the street below or adjacent public areas. |
A majority of the roof pattern will remain as existing. The parapet line will be different in the roof areas where the extension is proposed. It is considered that the change in roof line is acceptable as it provides additional articulation of the development and the materials are consistent with the existing development. The extension of the roof is not considered to unreasonably impact on the public domain. |
Yes |
|
|
Comply with the requirements of Part F1- Advertising and Signage. |
There is no signage proposed and the existing signage on the eastern building façade is proposed to stay. |
Yes |
|
|
Where parking requirements are not stated, reference should be made to the RTA’s Guide to Traffic Generating Developments. |
This is assessed in detail below. |
Yes, see below |
|
|
D1- 3.7 – Vehicular Access and Parking |
A minimum of 1 accessible car space required. |
An accessible parking space does not exist at present. A suitable condition of consent is recommended to ensure compliance with this requirement. |
Yes
|
|
Parking layout to ensure pedestrian safety
|
The parking layout is not proposed to be altered. The extension to the existing awning is to be constructed over existing parking spaces and pedestrian walkways, without impacting on the parking spaces or walkways. |
N/A |
|
|
Loading bay facilities are to be provided at the rate of: Commercial Floor area 1000sqm to 5000sqm – 1 bay required Floor area > 5000sqm to 10000sqm – 2 bays required |
The exiting bay will not be altered except for the addition of an awning and roller door. As the floor area will remain lower than 5000sqm, an additional bay is not required. |
Yes |
|
|
D1 – 3.12 Amenity
|
Utilise the site and building layout to maximise the potential for acoustic privacy by providing adequate building separation within the development and neighbouring properties.
|
A majority of the sites layout and separation between other buildings will not be altered. The changes are to the proposed outdoor gaming area that will include roof louvres and a new outdoor terrace on the western corner. An acoustic assessment was submitted and assessed by Council’s Health Unit and considered satisfactory pending conditions of consent. The recommended conditions to mitigate any noise issues that may arise due to the proposed development include compliance with the submitted acoustic report; no amplified gaming machines and live entertainment are to occur in outdoor gaming and smoking area, addition of acoustic tiles, noise levels for licensed premises and verification of acoustic report.
The new terrace to the intersection of Connells Point Road and The Mall will be enclosed by a glass shield wall in a manner which does not result in adverse impact on neighbouring properties. |
Yes – condition requiring
|
|
Locate all noise generating equipment so as to protect the acoustic privacy of workers and adjoining residents. |
Has been reviewed by Council’s Health Unit and considered satisfactory. Conditions about will be conditions of consent. The acoustic report states that “Any additional mechanical plant should be assessed to ensure compliance with the requirements of the EPA Noise Policy for Industry.” The conditions that will be imposed regarding acoustics are compliance with the submitted acoustic report; no amplified gaming machines and live entertainment are to occur in outdoor gaming and smoking area, addition of acoustic tiles, noise levels for licensed premises and verification of acoustic report. The built form is not proposed to be altered by the conditions or acoustic report and relate to tiles, soffit lining and door mechanism. |
Yes |
|
|
Retain existing, and incorporate new indigenous trees, shrubs and ground cover |
The west corner of the site has minimal vegetation and no significant vegetation or trees. This has been confirmed by Councils Arborist. The war memorial has been approved to be relocated and there was no vegetation included with this proposal. A condition has been imposed to add planter boxes along the perimeter of the new terrace on the western corner. This is deemed as an acceptable solution as there is currently no deep soil landscaping and will soften the appearance of the streetscape. |
Yes |
|
|
Maximise passive surveillance by orienting buildings towards the street, such that building frontages and entries overlook and are clearly visible from the street and provide a sense of address and visual interest. |
The NSW Police Force has commented on the proposal and a management and security plan has been provided. The Police recommendations are included as conditions. The layout of the site will only have minor alterations and the orientation of the building, building frontages and entries are not proposed to be altered. |
Yes |
|
|
D1 - 3.13 Open Space and Landscaping |
Retain existing, and incorporate new indigenous trees, shrubs and ground cover where appropriate. |
The site has minimal existing landscaping. This landscaping is used as a war memorial which will be redundant due to the new war memorial approved (DA2018/0301). The existing space is considered to be of a size to small to plant any large trees and have deep soiling planting. This space is proposed to form part of the terrace. This will result in space being useable and provided an active frontage to the street and therefore engaging the corner. It is acknowledged that the site will have minimal to no landscaping but due to the minimal usability of the currently landscaping the proposal is deemed acceptable in this regard. |
Yes |
|
D2 – 19.1.1 – South Hurstville Height |
The maximum overall building height including any residential component (measured from natural ground level) = 7m to the eave and 9m to the ridge.
The ground floor is to have a minimum floor to ceiling height of 3.2m while all other floors are to have a minimum floor to ceiling height of 2.7m.
Only one (1) level or floor is permitted below natural ground level, which can only be used for car parking purposes. |
The existing heights are 8.16m to the ceiling and 10.06m maximum height. The maximum height is not proposed to be altered and the development is considerably lower than the maximum height of 15m as stated in the LEP. It is acknowledged that the DCP has not been updated to reflect changes in the LEP; this is why there is inconsistency in this regard.
The ground floor has a floor to ceiling height of 3.2m and the first floor has a floor to ceiling height of 3.62m.
There is no level proposed below natural ground. |
No, justified
Yes
Yes |
|
D2 – 19.1.1 – South Hurstville Density
|
The maximum permitted gross floor area of any building or buildings erected or proposed to be erected on this land is 0.5:1.
The floor space ratio, may be exceeded only if: (i) the gross floor area in excess of 0.5:1 is used only for the purposes of dwellings; and (ii) the ratio of the gross floor area of the building or buildings to the site area for the respective zone does not exceed 1:1. |
The proposed FSR is 0.60:1. The permitted FSR under the LEP is 2.5:1 the proposal is acceptable in this regard as it is acknowledged that the DCP has not been updated to reflect changes in the LEP; this is why there is inconsistency in this regard.
The area over FSR is not used for a dwelling and as stated, the LEP allows for FSR. Beyond that referenced in the DCP. As with the building height, it is acknowledged that the DCP has not been updated to reflect changes in the LEP, hence why there is inconsistency in this regard. |
No, justified
No, justified |
Car Parking Assessment
50. The club has an existing car park that accommodates 39 car parking spaces. The RTA’s ‘Guide To Traffic Generating Development’ states that it is difficult to determine a general amount of spaces required due to the potential diversities between different clubs.
51. The RTA (RMS) state that for extensions to an existing club, the assessment should be based on the relevant club. A Traffic Impact Statement by Traffix was provided to Council in which the traffic survey was provided. This survey was conducted on 5 October 2019 between 4:00pm – 8:00pm which was a Saturday of a long weekend. An additional time on 19 October 2019 at 8:00pm was also recorded.
52. This information was forwarded to Councils Traffic Engineer for comment in which there were no objections to the data used in the car parking assessment. It was noted that the parking occupancy rates were worse in the hour that was surveyed on 19 October 2019 and therefore the survey can be relied on. In this instance, the existing parking provisions are considered acceptable.
53. Based on previous clubs that Traffix’s have conducted surveys for, the demand was 5.54 car parking spaces per 100sqm of gross floor area. The additional GFA which is proposed is 248sqm (report states 243sqm) and as per the figures above this will result in an increased parking required of 13.7 (14) spaces. The surveyed figures suggest that there will be an average of 56.8 spaces within the surrounding street network at the times surveyed and therefore sufficient parking spaces are available in the network to accommodate the additional 14 spaces required by this development.
54. Council’s Traffic Engineers have also reviewed the proposal in terms of sight lines for vehicles using the intersection of Connells Point Road and The Mall, as well as in terms of pedestrian safety in this location. It is advised that the proposal is acceptable in terms of sightlines for pedestrians and vehicles.
55. The proposal from a car parking assessment is considered satisfactory in this regard.
Hours of operation
56. The proposed hours of operation are
· Monday – 10:00am to 11:00pm,
· Tuesday to Thursday – 10:00am to 12:00am,
· Friday to Saturday – 10:00am to 1:00am (the following morning).
57. The most recent approval that mentions operating hours is from 1982 (D.A. 133/82). The hours conditioned in this proposal are:
· Monday to Friday - 11:00am to 11:00pm,
· Saturday - 10:00am to 12:00am,
· Sunday – 10:00am to 11:00pm.
58. Although the proposed hours of operation are stated in the Statement of Environmental Effects as being unchanged from the existing situation, they are a slight increase to the hours of operation approved in the 1982 approval.
59. The KDCP does not include provisions for permitted hours of businesses in B2 Zones. The existing club has not had a noise complaint since 2011 and there have only been four (4) noise complaints recorded in approximately 37 years.
60. The Acoustic report was prepared with the proposed/existing hours as part of the assessment. This report has been assessed by Councils Environmental Health Officer and a number of Acoustic conditions imposed which relate to compliance with the submitted acoustic report, no amplified gaming machines and live entertainment are to occur in outdoor gaming and smoking areas, addition of acoustic tiles, noise levels for licensed premises between certain time frames and verification of acoustic report.
61. The hours that are proposed do not differ greatly from the hours approved in 1982. Considering the acoustic conditions there is no objection to the proposed hours of operation.
Section 7.12 Contributions
62. Monetary contributions are required under Section 7.12 of the Environmental Planning and Assessment Act 1979, with respect to the proposed development. These contributions have been calculated appropriately and a suitable condition of consent has been included in the recommended conditions at the end of this report.
IMPACTS
Natural Environment
63. The site seeks minimal earthworks which are considered to have no unreasonable impacts on the natural environment. The proposal seeks the removal of small shrubs that are not considered of significance. Planter boxes have been included as a condition of consent to introduce some landscaping to the street frontage. In this regard, the proposal is not considered to result in an adverse impact to the natural environment.
Built Environment
64. The proposed development will not result in any adverse impacts upon the built environment for reasons discussed throughout the report. In this regard, the proposal is not considered to result in an adverse impact to the built environment.
Social and Economic Impact
65. It is considered that the proposed alterations and additions seek to update the existing development being South Hurstville RSL Club by modernising the facilities needed to continue to meet the social needs of the community. The proposal is unlikely to cause any unreasonable social and/or economic impacts.
Suitability of the Site
66. The site has been used as a ‘registered club’ since at least 1956. It is considered that the proposed development is of a scale and design that is suitable for the site having regard to its size and shape, topography and relationship to adjoining development and context.
REFERRALS
Council Referral
Development Engineering
67. The DA was referred to Council’s Development Engineer for review and comment in relation to the submitted stormwater plans. The application was supported subject to conditions.
Traffic Engineer
68. The DA was referred to Council’s Traffic Engineer for review and comment in relation to the traffic impact statement submitted. It was acknowledged that the traffic survey was conducted on 5 October 2019 which was a long weekend. An additional survey was conducted at 8:00pm on 19 October 2019 in which there were more spaces available than 8:00pm on the 5th October. As a result, Council’s Traffic Engineer supports the data used in the assessment of the deficient car parking.
69. The sightlines were also assessed as a result of the additions to the western corner. It was confirmed that the additions to this corner were compliant with the Australian Standard for sight lines being AS2890.1:2004.
Building Surveyor
70. The DA was referred to Council’s Building Surveyor for review and comment in relation to the submitted plans. The application was supported subject to conditions.
Environmental Health Officer
71. The DA was referred to Council’s Environmental Health Officer for review and comment in relation to the submitted plans and acoustic report. The application was supported subject to conditions.
Waste
72. The DA was referred to Council’s Environmental Sustainability and Waste Department for review and comment in relation to the submitted plans. The application was supported as “there are no major alterations to the property that would affect the waste service”.
External Referrals
NSW Police Force
73. The application was referred to the NSW Police for comment and review in relation to the submitted plans and documentation. The application is supported subject to conditions.
CONCLUSION
74. The proposal has been assessed with regard to the matters for consideration listed in Section 4.15 of the Environmental Planning and Assessment Act 1979. The proposal is an appropriate response to the context and constraints of the site and will result in alterations to the existing South Hurstville RSL. The application is consistent with the Kogarah Local Environmental Plan, Kogarah Development Control Plan and applicable State Environmental Planning Policies. The proposal will adequately respect the character of B2 zoned land and the proposal is appropriate on the site.
75. For the above reasons, the proposal is recommended for approval subject to the conditions included within the recommendation below.
DETERMINATION AND STATEMENT OF REASONS
Statement of Reasons
76. The reasons for this recommendation are:
· The proposal will facilitate alterations that will upgrade the existing ‘registered club’.
· The proposal will not create unreasonable impacts to the surrounding area.
· The proposed development is considered to be appropriate for the site. Subject to the implementation of the recommended conditions, the development will not create unreasonable impacts upon the natural or built environment.
Determination
77. THAT pursuant to Section 4.16(1) of the Environmental Planning and Assessment Act 1979 (as amended) the Georges River Local Planning Panel grant development consent to Development Application DA2018/0577 for the alterations and additions to South Hurstville RSL Club at Lot 100 DP 1114788, and known as 72 Connells Point Road, South Hurstville, subject to the following conditions of consent:
Development Details
1. Approved Plans - The development must be implemented in accordance with the approved plans and supporting documentation listed below which have been endorsed by Council’s approved stamp, except where marked up on the plans and/or amended by conditions of this consent:
|
Description |
Reference No. |
Date |
Revision |
Prepared by |
|
Site Plan |
A1.01 |
05/11/2018 |
- |
Axil architects |
|
Demolition Ground Floor Plan |
A1.02 |
05/11/2018 |
|
Axil architects |
|
Demolition First Floor Plan |
A1.03 |
05/11/2018 |
- |
Axil architects |
|
Ground Floor Plan |
A1.04 |
05/11/2018 |
- |
Axil architects |
|
First Floor Plan |
A1.05 |
05/11/2018 |
- |
Axil architects |
|
Roof Plan |
A1.06 |
05/11/2018 |
- |
Axil architects |
|
Elevations |
A1.07 |
05/11/2018 |
- |
Axil architects |
|
Sections |
A1.08 |
05/11/2018 |
- |
Axil architects |
|
External Finishes |
EF.01 |
05/11/2018 |
- |
Axil architects |
Documents Relied on
|
Description |
Reference No. |
Date |
Revision |
Prepared by |
|
Noise Impact Assessment |
20181537.1
|
19/12/2018 |
1 |
Acoustic Logic |
|
Management and Security Plan |
- |
28 November 2018 |
- |
South Hurstville RSL Club |
|
Traffic Impact Statement |
19.491r01v01 |
21 October 2019 |
- |
Traffix |
Separate Approvals Required Under Other Legislation
2. Building - Hoarding Application Prior to demolition of the buildings on the site, or the commencement of work above ground level, a separate application for the erection of an ‘A class’ (fence type) or a ‘B class’ (overhead type) hoarding or ‘C type’ scaffold, in accordance with the requirements of SafeWork NSW, must be erected along that portion of the footways/roadway where the building is within 3 metres of the street boundary.
An application for this work under Section 68 of the Local Government Act 1993 and the Roads Act 1993 must be submitted for approval to Council.
The following information is to be submitted with a Hoarding Application under Section 68 of the Local Government Act 1993 and Section 138 of the Roads Act 1993:
a) A site and location plan of the hoarding with detailed elevation, dimensions, setbacks, heights, entry and exit points to/from the site, vehicle access points, location of public utilities, electrical overhead wire protection, site management plan and builders sheds location; and
b) Hoarding plan and details that are certified by an appropriately qualified engineer; and
c) The payment to Council of a footpath occupancy fee based on the area of footpath to be occupied and Council's Schedule of Fees and Charges (available at www.georgesriver.nsw.gov.au) before the commencement of work; and
d) Public Risk Insurance Policy with a minimum cover of $20 million in relation to the occupation of and works within Council's road reserve, for the full duration of the proposed works, must be obtained a copy provided to Council. The Policy is to note Council as an interested party.
e) The application must be endorsement by the Roads & Maritime Services (RMS) as the hoarding is located within 100m of an intersection with traffic lights. For assistance you should contact the DA unit at RMS and speak to Hans on 88492076. Or email hans.pilly.mootanah@rms.nsw.gov.au to obtain concurrence for the hoarding structure.
3. Section 138 Roads Act 1993 and Section 68 Local Government Act 1993 - Unless otherwise specified by a condition of this consent, this Development Consent does not give any approval to undertake works on public infrastructure.
Separate approval is required under Section 138 of the Roads Act 1993 and/or Section 68 of the Local Government Act 1993 for any of the following activities carried out in, on or over a public road (including the footpath) listed below.
An application is required to be lodged and approved prior to the commencement of any of the following works or activities;
(a) Placing or storing materials or equipment;
(b) Placing or storing waste containers or skip bins;
(c) Erecting a structure or carrying out work
(d) Swinging or hoisting goods over any part of a public road by means of a lift, crane or the like;
(e) Pumping concrete from a public road;
(f) Pumping water from the site into the public road;
(g) Constructing a vehicular crossing or footpath;
(h) Establishing a “works zone”;
(i) Digging up or disturbing the surface of a public road (eg Opening the road for the purpose of connections to utility providers);
(j) Stormwater and ancillary works in the road reserve;
(k) Stormwater and ancillary to public infrastructure on private land; and
(l) If any excavation is to be supported by the use of below ground (cable) anchors that are constructed under Council’s roadways/footways.
These separate activity approvals must be obtained and evidence of the approval provided to the Certifying Authority prior to the issue of the Construction Certificate.
The relevant Application Forms for these activities can be downloaded from Council’s website www.georgesriver.nsw.gov.au. For further information, please contact Council’s Customer Service Centre on (02) 9330 6400.
4. Driveway Crossing - Minor Development - Constructing a driveway crossing and/or footpath requires a separate approval under Section 138 of the Roads Act 1993 prior to the commencement of those works.
To apply for approval, complete the “Application for Driveway Crossing and Associated Works on Council Road Reserve” issued under Section 138 Roads Act.” which can be downloaded from Georges River Council’s Website at www.georgesriver.nsw.gov.au. Lodge the application form, together with the associated fees at Council’s Customer Service Centre, during business hours. Refer to Section P1 and P2, in Council’s adopted Fees and Charges for the administrative and inspection charges associated with Driveway Crossing applications.
An approval for a new or modified driveway crossing will contain the approved access and/or alignment levels which will be required to construct the crossing and/or footpath. Once approved, all work shall be carried out in accordance with Council’s specifications applicable at the time, prior to the issue of an Occupation Certificate.
The design boundary level is to be received from Council prior to construction of the internal driveway
5. Road Opening Permit - A Road Opening Permit must be obtained from Council, in the case of local or regional roads, or from the RMS, in the case of State roads, for every opening of a public road reserve to access services including sewer, stormwater drains, water mains, gas mains, and telecommunications before the commencement of work in the road.
Requirements of Concurrence, Integrated & Other Government Authorities
6. Liquor Licence - Application shall be made to NSW Office of Liquor and Gaming for a Liquor Licence under the Liquor Act 2007, prior to the issue of a construction certificate. Evidence that the Licence has been issued shall be provided to the PCA prior to the commencement of works.
Note: A use which is reliant on the obtaining of a Liquor Licence should refrain from progressing until the Licence is obtained.
7. Sydney Water - Tap in TM - The approved plans must be submitted to a Sydney Water Tap inTM to determine whether the development application will affect Sydney Water’s sewer and water mains, stormwater drains and/or easements, and if further requirements need to be met. The approved plans will be appropriately endorsed. For details please refer to ‘Plumbing, building and developing’ section of Sydney Water’s web site at www.sydneywater.com.au then see ‘Building’, or telephone 13000 TAP IN (1300 082 746). The Certifying Authority must ensure that a Tap inTM agent has appropriately stamped the plans prior to the issue of the Construction Certificate.
Prior to the Issue of a Construction Certificate
8. Required design changes - The following changes are required to be made and shown on the Construction Certificate plans:
a) Planter boxers – Planter Boxes are to be added to the perimeter of the outdoor terrace and outdoor terrace extension that are adjacent to The Mall and Connells Point Road. There are to have a minimum width of 700mm and 60mm high. The plant species are to be consistent with the DCP.
9. Façade Materials – The materials incorporated into the façade are not to be reflective, this includes glass used as balustrading.
10. Fire Safety Measures - Prior to the issue of a construction certificate a list of the essential fire safety measures that are to be provided in relation to the land and any building on the land as a consequence of the building work must accompany an application for a construction certificate, which is required to be submitted to either Council or a PCA. Such list must also specify the minimum standard of performance for each essential fire safety measure included in the list. The Council or PCA will then issue a Fire Safety Schedule for the building.
11. Access for Persons with a Disability - Access for persons with disabilities must be provided to the site, including the carpark area in accordance with the Building Code of Australia and AS 1428.1. Details must be submitted with the Construction Certificate Application.
In the event that full compliance cannot be achieved the services of an accredited access consultant is to be obtained to determine alternative methods of compliance, such a report must be submitted to and endorsed by the Certifying Authority prior to issue of the Construction Certificate.
12. Slip Resistance - All new pedestrian surfaces must have slip resistance classifications, as determined using test methods in either wet or dry conditions, appropriate to their gradient and exposure to wetting. The classifications of the new pedestrian surface materials, in wet or dry conditions, must comply with AS/NZS4586:2004 - Slip Resistance Classifications of New Pedestrian Materials and must be detailed on the plans lodged with the application for the Construction Certificate.
13. Acoustic Requirements - Compliance with submitted Acoustic Report - The Construction Certificate plans shall demonstrate compliance with the Acoustic Report submitted and approved by Council; titled Noise Impact Assessment prepared by Acoustic Logic and dated 19 December 2018.
14. Fees to be paid - The fees listed in the table below must be paid in accordance with the conditions of this consent and Council’s adopted Fees and Charges applicable at the time of payment (available at www.georgesriver.nsw.gov.au).
Payments must be made prior to the issue of the Construction Certificate or prior to the commencement of work (if there is no associated Construction Certificate).
Please contact Council prior to the payment of Section 7.11 Contributions to determine whether the amounts have been indexed from that indicated below in this consent and the form of payment that will be accepted by Council.
Council will only accept Bank Cheque or Electronic Funds Transfer (EFT) for transaction values of $500,000 or over. Council must be contacted prior to payment to determine correct total amount to be paid and bank account details (if applicable).
A summary of the fees to be paid are listed below:
|
Fee Type |
Fee |
|
GENERAL FEES |
|
|
Long Service Levy (to Long Service Corporation) Or, provide evidence of Payment direct to the Long Service Corporation. See https://portal.longservice.nsw.gov.au/bci/levy/ |
|
|
Builders Damage Deposit |
$3,750.00 |
|
Inspection Fee for Refund of Damage Deposit |
$155.00 |
|
Georges River Council Section 94A Development Contributions Plan 2017 |
$7,465.70 |
General Fees
The fees and charges above are subject to change and are as set out in the version of Council's Schedule of Fees and Charges or as required by other Government Authorities, applicable at the time of payment.
Development Contributions
The Section 7.11 contribution is imposed to ensure that the development makes adequate provision for the demand it generates for public amenities and public services within the area.
A Section 7.12 contribution has been levied on the subject development pursuant to the Georges River Council Section 94 Contributions Plan.
Indexation
The above contributions will be adjusted at the time of payment to reflect changes in the cost of delivering public amenities and public services, in accordance with the indices provided by the relevant Section 94 Development Contributions Plan.
Timing of Payment
The contribution must be paid and receipted by Council prior to the release of the Construction Certificate.
Further Information
A copy of the all current Development Contributions Plans may be inspected or a copy purchased at Council’s offices (Georges River Civic Centre, MacMahon Street, Hurstville and Kogarah Library and Service Centre, Kogarah Town Square, Belgrave Street, Kogarah) or viewed on Council’s website www.georgesriver.nsw.gov.au.
15. Damage Deposit - Minor Works - In order to insure against damage to Council property the following is required:
a) Pay Council, before the issue of the Construction Certificate, a damage deposit for the cost of making good any damage caused to any Council property as a result of the development: $3,750.00.
b) Pay Council, before the issue of the Construction Certificate, a non-refundable inspection fee to enable assessment of any damage and repairs where required: $155.00
c) Submit to Council, before the commencement of work, a photographic record of the condition of the Council nature strip, footpath and driveway crossing, or any area likely to be affected by the proposal.
At the completion of work Council will inspect the public works, and the damage deposit will be refunded in full upon completion of work where no damage occurs. Otherwise the amount will be either forfeited or partly refunded according to the amount of damage.
16. Site Management Plan - A Site Management Plan detailing all weather access control points, sedimentation controls, fencing, builder’s site sheds office, amenities, materials storage and unloading arrangements must be submitted with the application for the Construction Certificate.
17. Erosion & Sedimentation Control - Erosion and sediment controls must be provided to ensure:
(a) Compliance with the approved Erosion & Sediment Control Plan
(b) Removal or disturbance of vegetation and top soil is confined to within 3m of the approved building area (no trees to be removed without approval)
(c) All clean water runoff is diverted around cleared or exposed areas
(d) Silt fences, stabilised entry/exit points or other devices are installed to prevent sediment from entering drainage systems or waterways
(e) All erosion and sediment controls are fully maintained for the duration of demolition, excavation and/or development works
(f) Controls are put into place to prevent tracking of sediment by vehicles onto adjoining roadway
(g) All disturbed areas are rendered erosion-resistant by turfing, mulching, paving or similar
(h) Compliance with Managing Urban Stormwater - Soils and Construction (Blue Book) produced by Landcom 2004.
These measures are to be implemented prior to the commencement of work (including demolition and excavation) and must remain until works are completed and all exposed surfaces are landscaped/sealed.
18. Stormwater System - No stormwater plan for the proposed extensions to the existing buildings has been submitted to Council. Stormwater plan for all proposed new covered areas as shown in Figure 1 of “Statement of Environmental Effects” shall be submitted to the PCA for approval. The plan shall include collection of stormwater from down pipes and conveyance to existing stormwater pipes/pits to form an integrated stormwater system. The existing outlet/s into a legal point of discharge shall also be shown on the plan. Final detailed plans of the drainage system, prepared by a professional engineer specialising in hydraulic engineering, shall be submitted for approval with the Construction Certificate.
19. Stormwater Drainage Plan Details - Stormwater drainage plans including pipe sizes, type, grade, length, invert levels, dimensions and types of drainage pits prepared by a professional engineering specialising in hydraulic engineering shall be submitted with the Construction Certificate application.
These plans shall be prepared in accordance with the Australian Institute of Engineers Australian Rainfall and Runoff (1987) and Council's stormwater drainage guide lines.
20. Structural details - Engineer's details prepared by a practising Structural Engineer being used to construct all reinforced concrete work, structural beams, columns and other structural members. The details are to be submitted to the Principal Certifying Authority for approval prior to construction of the specified works.
A copy shall be forwarded to Council where Council is not the PCA.
21. Waste Management Plan - A Waste Management Plan incorporating all requirements in respect of the provision of waste storage facilities, removal of all materials from the site that are the result of site clearing, extraction, and, or demolition works and the designated Waste Management Facility shall be submitted to the Certifying Authority prior to the issue of any Construction Certificate.
Prior to the Commencement of Work (Including Demolition & Excavation)
22. Hazardous or Intractable Waste – Removal and Disposal - Hazardous or intractable waste arising from the demolition or construction process shall be removed and disposed of in accordance with the requirements of SafeWork NSW and the NSW Environment Protection Authority and with the provision of:
· Work Health and Safety Act 2011 (NSW) (as amended);
· Work Health and Safety Regulation 2011 (as amended);
· Protection Of the Environment Operations Act 1997 (NSW) (as amended); and
· Protection of the Environment Operations (Waste) Regulation 2014 (as amended)
23. Demolition & Asbestos - The demolition work shall comply with the provisions of Australian Standard AS2601:2001 - Demolition of Structures, NSW Work Health & Safety Act 2011 and the NSW Work Health & Safety Regulation 2011. The work plans required by AS2601:2001 shall be accompanied by a written statement by a suitably qualified person that the proposals contained in the work plan comply with the safety requirements of the Standard. The work plans and the safety statement shall be submitted to the PCA prior to the commencement of works.
For demolition work which involves the removal of asbestos, the asbestos removal work must be carried out by a licensed asbestos removalist who is licensed to carry out the work in accordance with the NSW Work Health & Safety Act 2011 and the NSW Work Health & Safety Regulation 2011 unless specified in the Act and/or Regulation that a license is not required.
All demolition work including the removal of asbestos, shall be undertaken in accordance with the Demolition Code of Practice (NSW Work Cover July 2015).
Note: Copies of the Act, Regulation and Code of Practice can be downloaded free of charge from the SafeWork NSW website: www.SafeWork.nsw.gov.au.
24. Demolition Notification Requirements - The following notification requirements apply to this consent:
(a) The developer /builder must notify adjoining residents five (5) working days prior to demolition. Such notification is to be a clearly written note giving the date demolition will commence, contact details of the developer/builder, licensed asbestos demolisher and the appropriate regulatory authority. Notification is to be placed in the letterbox of every premises (including every residential flat or unit, if any) either side and immediately at the rear of the demolition site.
(b) Five (5) working days prior to demolition, the developer/builder is to provide written notification to Council advising of the demolition date, details of the SafeWork licensed asbestos demolisher and the list of residents advised of the demolition.
(c) On demolition sites where buildings to be demolished contain asbestos, a standard commercially manufactured sign containing the words “DANGER ASBESTOS REMOVAL IN PROGRESS” measuring not less than 400mm x 300mm is to be erected in a prominent visible position (from street frontage) on the site. The sign is to be erected prior to demolition work commencing and is to remain in place until such time as all asbestos material has been removed from the site to an approved waste facility.
25. Demolition work involving asbestos removal - Work involving bonded asbestos removal work (of an area of more than 10 square metres) or friable asbestos removal work must be undertaken by a person who carries on a business of such removal work in accordance with a licence under clause 458 of the Work Health and Safety Regulation 2011.
26. Dial before your dig - The applicant shall contact “Dial Before You Dig on 1100” to obtain a Service Diagram prior to the issuing of the Construction Certificate. The sequence number obtained from “Dial Before You Dig” shall be forwarded to the Principal Certifying Authority (PCA) and Council for their records.
27. Registered Surveyors Report - During Development Work - A report must be submitted to the PCA at each of the following applicable stages of construction:
a) Set out before commencing excavation.
b) Floor slabs or foundation wall, before formwork or commencing brickwork.
c) Completion of Foundation Walls - Before any construction of flooring, detailing the location of the structure relative to adjacent boundaries and floor levels relative to the datum shown on the approved plans.
d) Completion of Floor Slab Formwork - Before pouring of concrete/walls construction, detailing the location of the structure relative to adjacent boundaries and floor levels relative to the datum shown on the approved plans. In multi-storey buildings a further survey must be provided at each subsequent storey.
e) Completion of any Pool Formwork - Before concreting of pool shell, detailing the location of the pool relative to the adjacent boundaries and its height relative to the datum shown on the approved plans.
f) Completion of any Roof Framing - Before roof covered detailing eaves/gutter setback from boundaries.
g) Completion of all Work - Detailing the location of the structure (including eaves/gutters) relative to adjacent boundaries and its height relative to the datum shown on the approved plans. A final Check Survey must indicate the reduced level of the main ridge.
Work must not proceed beyond each stage until the PCA is satisfied that the height and location of the building is proceeding in accordance with the approved plans.
28. Utility Arrangements - Arrangements are to be made with utility authorities in respect to the services supplied by those authorities to the development. The cost associated with the provision or adjustment of services within the road and footway areas is to be at the applicant’s expense.
During Construction
29. Contamination – Should any unexpected contamination be experienced during excavation/construction work is to cease immediately and a , a detailed site investigation and remedial action plan (if required) shall be undertaken and completed by a suitably qualified person in accordance with the relevant guidelines approved by the Office of Environment and Heritage (OEH) and in accordance with the requirements of the Contaminated Land Management Act 1997.
Work may only recommence given approval to recommence by a suitably qualified person.
30. Road Opening Permit - A Road Opening Permit must be obtained from Council for every opening of a public road reserve to access services including sewer, water mains, gas mains, connecting of stormwater to the kerb and telecommunication. This is for any work that involves excavation through or within a public road, kerb and gutter, and or the public footway between the road and the property boundary. The permit is to be lodged prior to the commencement of works. Additional approval is required from Roads and Maritime Services for works on a State Road.
31. Structural Certificate during Construction - The proposed building works must be constructed in accordance with details designed and certified by the practising qualified structural engineer. All structural works must be inspected and structurally certified for compliance by an independent practising structural engineer. In addition a Compliance Certificate, to the effect that the building works have been carried in accordance with the structural design, must be submitted to the Certifying Authority at each stage of Construction or prior issue of the Occupation Certificate.
32. Site sign - Soil & Erosion Control Measures - Prior to the commencement of works (including demolition and excavation), a durable site sign, issued by Council in conjunction with this consent, must be erected in a prominent location on site. The site sign warns of the penalties which apply to pollution, storing materials on road or footpath and breaches of the conditions relating to erosion and sediment controls. The sign must remain in a prominent location on site up until the completion of all site and building works.
33. Hours of construction for demolition and building work - Any work activity or activity associated with the development consent that requires the use of any tools (including hand tools) or any power operated plant and machinery that creates noise on or adjacent to the site shall not be performed, or permitted to be performed, except between the hours of 7.00 am to 5.00 pm, Monday to Saturday inclusive. No work or ancillary activity is permitted on Sundays, or Public Holidays.
Note: A penalty infringement notice may be issued for any offence.
34. Cost of work to be borne by the applicant - The applicant shall bear the cost of all works associated with the construction of the development that occurs on Council property. Care must be taken to protect Council's roads, including the made footway, kerbs, etc., and, where plant and vehicles enter the site, the footway shall be protected against damage by deep-sectioned timber members laid crosswise, held together by hoop iron straps and chamfered at their ends. This construction shall be maintained in a state of good repair and condition throughout the course of construction.
35. Obstruction of Road or Footpath - The use of the road or footpath for the storage of any building materials, waste materials, temporary toilets, waste or skip bins, or any other matter is not permitted unless separately approved by Council under Section 138 of the Roads Act 1993 and/or under Section 68 of the Local Government Act 1993. Penalty infringement Notices may be issued for any offences and severe penalties apply.
36. Waste Management Facility - All materials removed from the site as a result of demolition, site clearing, site preparation and, or excavation shall be disposed of at a suitable Waste Management Facility. No vegetation, article, building material, waste or the like shall be ignited or burnt.
Copies of all receipts for the disposal, or processing of all such materials shall be submitted to the PCA and Council, where Council is not the Principal Certifying Authority.
Prior to the issue of the Occupation Certificate
37. Works as Executed and Certification of Stormwater works - Prior to the issue of an Occupation Certificate, the PCA must ensure that the stormwater drainage system has been constructed in accordance with the approved design and relevant Australian Standards. A works-as-executed drainage plan and certification must be forwarded to the PCA and Council, from a professional engineer specialising in hydraulic engineering.
This Plan and Certification shall confirm that the design and construction of the stormwater drainage system satisfies the conditions of development consent and the Construction Certificate stormwater design details approved by the PCA.
The works-as-executed drainage plan must be prepared by a professional engineer specialising in hydraulic engineering in conjunction with a Registered Surveyor and must include the following details (as applicable):
(a) The location of any detention basin/s with finished surface levels;
(b) Finished site contours at 0.2 metre intervals (if applicable)
(c) Volume of storage available in any detention areas;
(d) The location, diameter, gradient and material (i.e. PVC, RC etc.) of all stormwater pipes;
(e) The orifice size/s (if applicable);
(f) Details of any infiltration/absorption systems; and (if applicable);
(g) Details of any pumping systems installed (including wet well volumes) (if applicable).
38. Requirements prior to the issue of the Occupation Certificate - The following shall be completed and or submitted to the PCA prior to the issue of the Occupation Certificate:
(a) All the stormwater/drainage works shall be completed in accordance with the approved Construction Certificate plans prior to the issue of the Occupation Certificate.
(b) Work as Executed Plans prepared by a Chartered Professional Engineer or a Registered Surveyor when all the site engineering works are complete shall be submitted to the PCA prior to the issue of the Occupation Certificate.
(c) Council must advise in writing that they are satisfied with the Works-As-Executed prior to the issue of an Occupation Certificate.
39. Fire Safety Certificate before Occupation or Use - In accordance with Clause 153 of the Environmental Planning and Assessment Regulation 2000, on completion of building works and prior to the issue of an Occupation Certificate, the owner must cause the issue of a Final Fire Safety Certificate in accordance with Clause 170 of the aforesaid Regulation. The Fire Safety Certificate must be in the form or to the effect of Clause 174 of the Environmental Planning and Assessment Regulation, 2000. In addition, in relation to each essential fire or other safety measure implemented in the building or on the land on which the building is situated, such a Certificate is to state:
(a) That the measure has been assessed by a person (chosen by the owner of the building) who is properly qualified to do so.
(b) That as at the date of the assessment the measure was found to be capable of functioning at a standard not less than that required.
A copy of the certificate is to be given by the applicant to the Commissioner of Fire & Rescue NSW and a further copy is to be displayed in a frame and fixed to a wall inside the building's main entrance.
40. Acoustic Compliance - Prior to the issue of any Occupation Certificate, a report prepared by a suitably qualified acoustic consultant must be submitted to the PCA certifying that the construction has incorporated the recommendations in the DA Acoustic Report titled Noise Impact Assessment, prepared by Acoustic Logic and dated 19 December 2018.
Operational Conditions (Ongoing)
41. Hours of operations - The hours of operations are not to exceed;
Monday – 10:00am to 11:00pm,
Tuesday to Thursday – 10:00am to 12:00am,
Friday to Saturday – 10:00am to 1:00am (the following morning).
42. Police Measures - The premises are to be operated at all times in accordance with the Plan of Management dated 28 November 2018, as may be varied from time to time after consultation with the Local Area Commander of NSW Police Force and Georges River Council.
A copy of the Plan of Management is to be kept on the premises and made available for inspection on the request of a police officer, council officer, or liquor and gaming NSW inspector.
43. Noise Control - The use of the premises must not give rise to the transmission of offensive noise to any place of different occupancy. Offensive noise is defined in the Protection of the Environment Operations Act 1997 (as amended).
44. Maintenance of Sound Attenuation - Sound attenuation must be maintained in accordance with the Acoustic Report submitted by Acoustic Logic titled Noise Impact Assessment and dated 19 December 2018.
45. Final Acoustic Report - Verification of Noise report - Within three months from the issue of an Occupation Certificate, an acoustic assessment is to be carried out by an appropriately qualified acoustic consultant, in accordance with the EPA's Noise Policy for Industry and submitted to Council for consideration. This report should include but not be limited to, details verifying that the noise control measures as recommended in the acoustic report (submitted by Acoustic Logic titled Noise Impact Assessment and dated 19 December 2018 are effective in attenuating noise to an acceptable noise level and that the use is not calculated to give rise to ‘offensive noise’ as defined under the provision of the Protection of the Environment Operation Act 1997 (as amended).
46. Lighting - General Nuisance - Any lighting on the site shall be designed so as not to cause a nuisance to other residences in the area or to motorists on nearby roads and to ensure no adverse impact on the amenity of the surrounding area by light overspill or glare.
Flashing, moving or intermittent lights or signs are prohibited.
47. Activities and storage of goods outside buildings - There shall be no activities including storing or depositing of any goods or maintenance to any machinery external to the building with the exception of waste receptacles.
48. Food premises - Restricted use (premises that are not cooking) - There shall be no cooking (where heat is applied to food) permitted in the premises unless a separate development application has been approved by Council for this purpose.
49. Outdoor Gaming/Smoking Area - Smoke Free Compliance - The subject development consent issued by Council does not imply or otherwise verify compliance with the Smoke-Free Environment Act 2000 and/or the Smoke-Free Environment Regulation 2016. The applicant and/or owner of the premises should seek their own legal advice as to compliance with Act and/or Regulation if proprietors of the premises intend allowing smoking in any area of the premises, including that area subject of this consent.
50. Outdoor Gaming/Smoking Area - Amplified Music - There is to be no entertainment in the form of amplified music on any part of the outdoor gaming/smoking area at any time.
51. Outdoor Gaming/Smoking Area - Amplified Gaming Machines - There is to be no amplification from any gaming machines on any part of the outdoor gaming/smoking area at any time.
52. Outdoor Gaming/Smoking Area - Not Visible to Public - Machines located within the outdoor gaming/smoking area must not be visible from the public domain.
53. Outdoor Gaming/Smoking Area - Air Lock Entry - There is to be air lock entry from the main club or hotel area into the outdoor gaming/smoking area and doors must be fitted with self-closing device.
54. Outdoor Gaming/Smoking Area - Acoustic Ceiling - The ceiling of the outdoor gaming/smoking area above the poker machines is to be acoustically treated by the addition of acoustic tiles.
55. Licensed Premises - Noise Levels (7.00am to 12midnight) - The LA10 noise level emitted from the premises, measured between the hours of 7am and 12 midnight, is not to exceed the background noise level in any octave band frequency (centred on 31.5Hz to 8 kHz inclusive) by more than 5 dB, when measured at the boundary of any adjoining residence.
56. Licensed Premises - Noise Levels (12 midnight to 7.00am) - The LA10 noise level emitted from the premises, measured between the hours of midnight and 7am, is not to exceed the background noise level in any octave band frequency (centred on 31.5Hz to 8 kHz inclusive), when measured at the boundary of any adjoining residence.
57. Cashless Machines - Gaming machines within the outdoor gaming/smoking area are to be cashless and shall not dispense coins into coin trays.
58. Annual Fire Safety Statement - The owner of the building premises must ensure the Council is given an annual fire safety statement in relation to each essential fire safety measure implemented in the building. The annual fire safety statement must be given:
(a) Within 12 months after the date on which the fire safety certificate was received.
(b) Subsequent annual fire safety statements are to be given within 12 months after the last such statement was given.
(c) An annual fire safety statement is to be given in or to the effect of Clause 181 of the Environmental Planning and Assessment Regulation 2000.
(d) A copy of the statement is to be given to the Commissioner of Fire & Rescue NSW, and a further copy is to be prominently displayed in the building.
59. Outdoor Lighting - To avoid annoyance to the occupants of adjoining premises or glare to motorist on nearby roads, outdoor lighting must comply with AS 4282-1997: Control of the obtrusive effects of outdoor lighting.
Operational Requirements Under the Environmental Planning & Assessment Act 1979
60. Requirement for a Construction Certificate - The erection of a building must not commence until a Construction Certificate has been issued.
61. Appointment of a PCA - The erection of a building must not commence until the applicant has:
(a) appointed a PCA for the building work; and
(b) if relevant, advised the PCA that the work will be undertaken as an Owner -Builder.
If the work is not going to be undertaken by an Owner - Builder, the applicant must:
(a) appoint a Principal Contractor to undertake the building work. If residential building work (within the meaning of the Home Building Act 1989) is to be undertaken, the Principal Contractor must be a holder of a contractor licence; and
(b) notify the PCA of the details of any such appointment; and
(c) notify the Principal Contractor of any critical stage inspections or other inspections that are required to be carried out in respect of the building work.
An Information Pack is attached for your convenience should you wish to appoint Georges River Council as the PCA for your development.
62. Notification Requirements of PCA - No later than two days before the building work commences, the PCA must notify:
(a) the consent authority and the Council (if not the consent authority) of his or her appointment; and
(b) the applicant of the critical stage inspections and other inspections that are to be carried out with respect to the building work.
63. Notice of Commencement - The applicant must give at least two days notice to the Council and the PCA of their intention to commence the erection of a building.
A Notice of Commencement Form is attached for your convenience.
64. Critical Stage Inspections - The last critical stage inspection must be undertaken by the PCA. The critical stage inspections required to be carried out vary according to Building Class under the Building Code of Australia and are listed in Clause 162A of the Environmental Planning and Assessment Regulation 2000.
65. Notice to be given prior to critical stage inspections - The principal contractor for a building site, or the owner-builder, must notify the PCA at least 48 hours before each required inspection needs to be carried out.
Where Georges River Council has been appointed as the PCA, 48 hours notice in writing, or alternatively 24 hours notice by facsimile or telephone, must be given when specified work requiring inspection has been completed.
66. Occupation Certificate - A person must not commence occupation or use of the whole or any part of a new building unless an Occupation Certificate has been issued in relation to the building or part.
Only the PCA appointed for the building work can issue the Occupation Certificate.
An Occupation Certificate Application Form is attached for your convenience.
Prescribed Conditions
67. Clause 98D - Erection of sign for maximum number of persons - This prescribed condition applies to entertainment venues, function centres, pubs, registered clubs and restaurants. This condition requires the erection of a sign which states the maximum number of persons (as specified in the consent) that are permitted in the building.
68. Clause 98 - Building Code of Australia & Home Building Act 1989 - Requires all building work to be carried out in accordance with the Building Code of Australia. In the case of residential building work to which the Home Building Act 1989 relates, there is a requirement for a contract of insurance to be in force before any work commences.
69. Clause 98A - Erection of Signs - Requires the erection of signs on site and outlines the details which are to be included on the sign. The sign must be displayed in a prominent position on site and include the name and contact details of the PCA and the Principal Contractor.
70. Clause 98E - Protection & support of adjoining premises - If the development involves excavation that extends below the level of the base of the footings of a building on adjoining land, this prescribed condition requires the person who benefits from the development consent to protect and support the adjoining premises and where necessary underpin the adjoining premises to prevent any damage.
71. Clause 98E - Site Excavation - Excavation of the site is to extend only to that area required for building works depicted upon the approved plans. All excess excavated material shall be removed from the site.
All excavations and backfilling associated with the erection or demolition of a building must be executed safely and in accordance with appropriate professional standards.
All excavations associated with the erection or demolition of a building must be properly guarded and protected to prevent them from being dangerous to life or property.
If the soil conditions require it, retaining walls associated with the erection or demolition of a building or other approved methods of preventing movement of the soil shall be provided and adequate provision shall be made for drainage.
72. Clause 98C - Entertainment Venues - Schedule 3A of the Environmental Planning and Assessment Regulation 2000 outlines the prescribed conditions which apply to Entertainment Venues.
Advice
73. Review of Determination - Section 8.2 of the Environmental Planning and Assessment Act confers on an applicant who is dissatisfied with the determination of the application the right to lodge an application with Council for a review of such determination. Any such review must however be completed within 6 months from its determination. Should a review be contemplated sufficient time should be allowed for Council to undertake public notification and other processes involved in the review of the determination.
Note: Review provisions do not apply to Complying Development, Designated Development, State Significant Development, Integrated Development or any application determined by the Sydney South Planning Panel or the Land & Environment Court.
74. Appeal Rights - Part 8 (Reviews and appeals) of the Environmental Planning and Assessment Act 1979 confers on an applicant who is dissatisfied with the determination of the application a right of appeal to the Land and Environment Court of New South Wales.
75. Lapsing of Consent - This consent will lapse unless the development is physically commenced within 5 years from the Date of Operation of this consent, in accordance with Section 4.53 of the Environmental Planning and Assessment Act 1979 as amended.
76. Council Appointed as the CA - Should the Council be appointed as the Certifying Authority in determining the Construction Certificate, the building must comply with all the applicable deemed to satisfy provision of the BCA. However, if an alternative solution is proposed it must comply with the performance requirements of the BCA, in which case, the alternative solution, prepared by an appropriately qualified fire consultant, accredited and having specialist qualifications in fire engineering, must justify the non-compliances with a detailed report, suitable evidence and expert judgement.
In this regard, detailed construction plans and specifications that demonstrate compliance with the above requirements of the BCA, must be submitted to the Certifying Authority with the Construction Certificate Application.
Should there be any non-compliance, an alternative method of fire protection and structural capacity must be submitted, with all supporting documents prepared by a suitably qualified person.
In the event that full compliance with the BCA cannot be achieved and the services of a fire engineer are obtained to determine an alternative method of compliance with the BCA, such report must be submitted to and endorsed by the Certifying Authority prior to issue of the Construction Certificate.
77. Compliance with Access, Mobility and AS4299 - Adaptable Housing - Should the Council be appointment as the PCA, the Construction Certificate Application must be accompanied by detailed working plans and a report or a Certificate of Compliance from an Accredited Access Consultant certifying that the building design and access to the adaptable units complies with Council’s DCP and AS 4299 Adaptable Housing.
78. Food Premises - Information on Australian Standards can be obtained from www.standards.com.au.
Guidelines and Food Safety Standards may be obtained by contacting the Food Standards Australia New Zealand Authority at foodstandards.gov.au or the NSW Food Authority on 1300 552 406, email: contact@foodauthority.nsw.gov.au or by visiting the website www.foodauthority.nsw.gov.au.
Notification of Food Business under Section 100 of the Food Act 2003 requires the proprietor of a food business to give written notice, in the approved form, before conducting a food business. Penalties apply for failure to comply.
79. Noise - Noise related conditions - Council will generally enforce noise related conditions in accordance with the Noise Guide for Local Government (http://www.environment.nsw.gov.au/noise/nglg.htm) and the Industrial Noise Guidelines
(http://www.environment.nsw.gov.au/noise/industrial.htm) publish by the Department of Environment and Conservation. Other state government authorities also regulate the Protection of the Environment Operations Act 1997.
Useful links relating to Noise:
(a) Community Justice Centres - free mediation service provided by the NSW Government (www.cjc.nsw.gov.au).
(b) Department of Environment and Conservation NSW, Noise Policy Section web page (www.environment.nsw.gov.au/noise).
(c) New South Wales Government Legislation home page for access to all NSW legislation, including the Protection of the Environment Operations Act 1997 and the Protection of the Environment Noise Control Regulation 2000 (www.legislation.nsw.gov.au).
(d) Australian Acoustical Society - professional society of noise-related professionals (www.acoustics.asn.au/index.php).
(e) Association of Australian Acoustical Consultants - professional society of noise related professionals (www.aaac.org.au).
(f) Department of Gaming and Racing - (www.dgr.nsw.gov.au).
80. Disability Discrimination Act - This application has been assessed in accordance with the Environmental Planning and Assessment Act 1979. No guarantee is given that the proposal complies with the Disability Discrimination Act 1992. The applicant is responsible to ensure compliance with this and other anti-discrimination legislation. The Disability Discrimination Act 1992 covers disabilities not catered for in the minimum standards called up in the Building Code of Australia which refers to AS1428.1-Design for Access and Mobility.
81. Access for persons with disabilities - Should the Council be appointed as the PCA, an Access report prepared by an Accredited Access Consultant may be required to be submitted with the Construction Certificate Application, detailing the existing level of compliance in the building with the above requirements, and to provide details of proposed upgrading work necessary to bring the building into conformity with the Premises Standards and the BCA. All recommendations of the accredited access consultant must be incorporated in the plans to be submitted with the Construction Certificate application.
82. Long Service Levy - The Long Service Corporation administers a scheme which provides a portable long service benefit for eligible workers in the building and construction industry in NSW. All benefits and requirements are determined by the Building and Construction Industry Long Service Payments Act 1986. More information about the scheme and the levy amount you are required to pay to satisfy a condition of your consent can be found at http://www.longservice.nsw.gov.au.
The required Long Service Levy payment can be direct to the Long Service Corporation via their web site https://online.longservice.nsw.gov.au/bci/levy. Payments can only be processed on-line for the full levy owing and where the value of work is between $25,000 and $6,000,000. Payments will be accepted for amounts up to $21,000, using either MasterCard or Visa.
83. Security deposit administration & compliance fee - Under Section 97 (5) of the Local Government Act 1993, a security deposit (or part) if repaid to the person who provided it is to be repaid with any interest accrued on the deposit (or part) as a consequence of its investment.
Council must cover administration and other costs incurred in the investment of these monies. The current charge is $50.00 plus 2% of the bond amount per annum.
The interest rate applied to bonds is set at Council's business banking facility rate as at 1 July each year. Council will accept a bank guarantee in lieu of a deposit.
All interest earned on security deposits will be used to offset the Security Deposit Administration and Compliance fee. Where interest earned on a deposit is not sufficient to meet the fee, it will be accepted in full satisfaction of the fee.
84. Site Safety Fencing - Site fencing must be erected in accordance with SafeWork Guidelines, to exclude public access to the site throughout the demolition and/or construction work, except in the case of alterations to an occupied dwelling. The fencing must be erected before the commencement of any work and maintained throughout any demolition and construction work.
A demolition licence and/or a high risk work license may be required from SafeWork NSW (see www.SafeWork.nsw.gov.au).
85. Stormwater & Ancillary Works - Applications under Section 138 Roads Act and/or Section 68 Local Government Act 1993 - To apply for approval under Section 138 of the Roads Act 1993 and/or Section 68 Local Government Act 1993:
a) Complete the ‘Stormwater Drainage Application Form’ which can be downloaded from Georges River Council’s website at www.georgesriver.nsw.gov.au.
b) In the Application Form, quote the Development Consent No. (eg. DA2018/0580 and reference this condition number (e.g. Condition 23)
c) Lodge the application form, together with the associated fees at Council’s Customer Service Centre, during business hours. Refer to Council’s adopted Fees and Charges for the administrative and inspection charges associated with stormwater applications.
The developer must meet all costs of the extension, relocation or reconstruction of any part of Council’s drainage system (including design drawings and easements) required to carry out the approved development.
The preparation of all engineering drawings (site layout plans, cross sections, longitudinal sections, elevation views together with a hydraulic grade analysis) and specifications for the new storm water drainage system to be arranged by the applicant. The design plans must be lodged and approved by Council prior to the issue of a Construction Certificate.
NOTE: A minimum of four weeks should be allowed for assessment.
|
Attachment ⇩1 |
Site Plan - 72 Connells Point Road South Hurstville |
|
Attachment ⇩2 |
First Floor Plan - 72 Connells Point Road South Hurstville |
|
Georges River Council - Georges River Local Planning Panel (LPP) - Thursday, 21 November 2019 LPP056-19 72 Connells Point Road South Hurstville [Appendix 1] Site Plan - 72 Connells Point Road South Hurstville |
Page 373 |